|
¹Ù´Ù³¬½ÃÅÍÁ¶È²Á¤º¸
|
- º» °Ô½Ã¹°À» ¹«´Ü ´Ù¿î·Îµå, µµ¿ë, Àοë, ¸µÅ© ±ÝÁö.
|
HOME >¹Ù´Ù³¬½Ã >¹Ù´Ù³¬½ÃÅÍÁ¶È²Á¤º¸ |
 |
|
 |
|
|
|
|
* °¡²û ±¤°í¸¦ Ŭ¸¯ÇØ ºÁ ÁÖ½Ã¸é ³¬¶û »çÀÌÆ® ¿î¿µ¿¡ µµ¿òÀÌ µË´Ï´Ù ^^
|
|
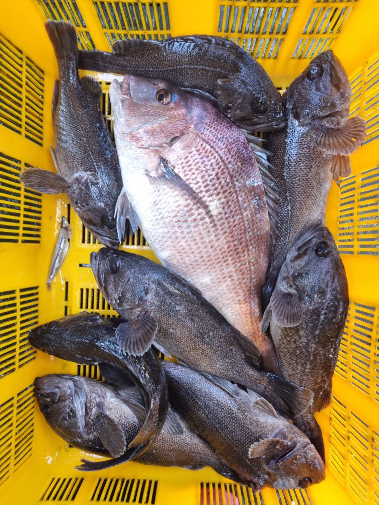
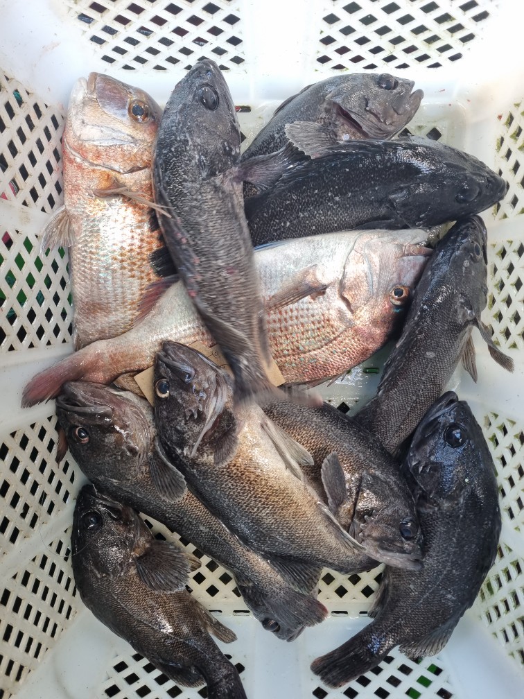
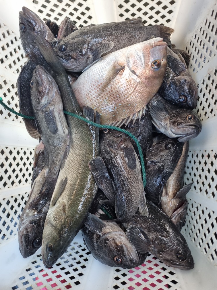
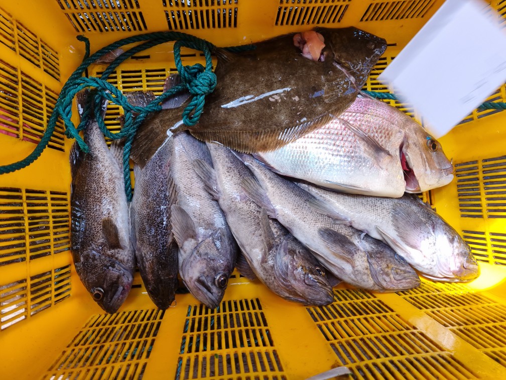
| 1796 | | ´çÁø¾ÆÄí¾ÆÁ´ë 10¿ù31ÀÏ Á¶È² | | ¾ÆÄí¾ÆÁ´ë | | 25.10.31 | | 8,670 | | | | 1795 | | ´çÁø¾ÆÄí¾ÆÁ´ë 10¿ù30ÀÏ Á¶È² | | ¾ÆÄí¾ÆÁ´ë | | 25.10.30 | | 9,355 | | | | 1794 | | ´çÁø¾ÆÄí¾ÆÁ´ë 10¿ù29ÀÏ Á¶È² | | ¾ÆÄí¾ÆÁ´ë | | 25.10.29 | | 8,391 | | | | 1793 | | ´çÁø¾ÆÄí¾ÆÁ´ë 10¿ù28ÀÏ Á¶È² | | ¾ÆÄí¾ÆÁ´ë | | 25.10.28 | | 7,382 | | | | 1792 | | ´çÁø¾ÆÄí¾ÆÁ´ë 10¿ù26ÀÏ Á¶È² | | ¾ÆÄí¾ÆÁ´ë | | 25.10.26 | | 8,294 | | | | 1791 | | ´çÁø¾ÆÄí¾ÆÁ´ë 10¿ù25ÀÏ Á¶È² | | ¾ÆÄí¾ÆÁ´ë | | 25.10.25 | | 7,677 | | | | 1790 | | ´çÁø¾ÆÄí¾ÆÁ´ë 10¿ù24ÀÏ Á¶È² | | ¾ÆÄí¾ÆÁ´ë | | 25.10.24 | | 8,607 | | | | 1789 | | ´çÁø ¾ÆÄí¾ÆÁ´ë 10¿ù23ÀÏ Á¶È² | | ¾ÆÄí¾ÆÁ´ë | | 25.10.23 | | 8,273 | | | | 1788 | | ´çÁø ¾ÆÄí¾ÆÁ´ë 10¿ù22ÀÏ Á¶È² | | ¾ÆÄí¾ÆÁ´ë | | 25.10.22 | | 7,667 | | | | 1787 | | ´çÁø ¾ÆÄí¾ÆÁ´ë 10¿ù21ÀÏ Á¶È² | | ¾ÆÄí¾ÆÁ´ë | | 25.10.21 | | 8,407 | | | | 1786 | | ´çÁø ¾ÆÄí¾ÆÁ´ë 10¿ù20ÀÏ Á¶È² | | ¾ÆÄí¾ÆÁ´ë | | 25.10.20 | | 9,497 | | | | 1785 | | ´çÁø ¾ÆÄí¾ÆÁ´ë 10¿ù19ÀÏ Á¶È² | | ¾ÆÄí¾ÆÁ´ë | | 25.10.19 | | 9,449 | | |
|
|

|
|

|
|
|