¾Æ¶ó¹Ù¶÷ > (½Ç½Ã°£)°¨¼ºµ¼ »õº® Çǵù~4Â¥±Þµé HIT ÇàÁø~°ÅÁ¦´ë¾î³¬½Ã(5ÀÏ ¿¹¾à) : ³¬½Ã»ç¶û
ȸ¿ø°¡ÀÔ | ·Î±×ÀΠ| ½ÃÀÛÆäÀÌÁö | Áñ°Üã±â | ¹®ÀÇ/¿äû/½Å°í
³¬½ÃÅͼ±Åà | Àαâ°Ë»ö¾î | ¹Î¹°ÈÄ¿ø³¬½ÃÅÍ | ¹Ù´ÙÈÄ¿øÅÍ
 
¹Î¹°³¬½Ã | Á´ë/À¯·áÅÍ | ¹Ù´Ù³¬½Ã | ·ç¾î³¬½Ã | Ä¿¹Â´ÏƼ | ³¬¶ûŬ·´ | ³¬½Ã½ºÄð | Áß°íÀåÅÍ | ³¬½ÃQ&A | »ç¿ë±â/°­Á | ÃâÁ¶Á¤º¸ | °ø±¸/¿ëǰÁ¤º¸

 Æ¯ÆÄ¿ø(ÃâÁ¶Á¡)Á¶È²Á¤º¸

- º» °Ô½Ã¹°À» ¹«´Ü ´Ù¿î·Îµå, µµ¿ë, Àοë, ¸µÅ© ±ÝÁö. HOME >¹Ù´Ù³¬½Ã >ƯÆÄ¿ø(ÃâÁ¶Á¡)Á¶È²Á¤º¸

¾Æ¶ó¹Ù¶÷
ÀÛ¼ºÀÏ : 2025-11-04 09:41:50 / Á¶È¸ : 3,888      

Á¦¸ñ l ¾Æ¶ó¹Ù¶÷ > (½Ç½Ã°£)°¨¼ºµ¼ »õº® Çǵù~4Â¥±Þµé HIT ÇàÁø~°ÅÁ¦´ë¾î³¬½Ã(5ÀÏ ¿¹¾à) : ³¬½Ã»ç¶û

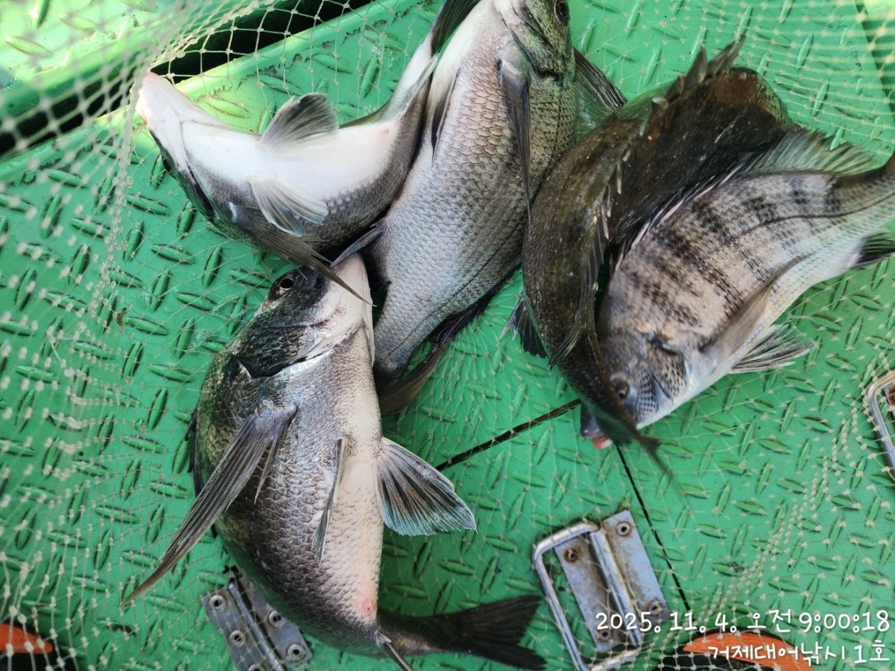
4ÀÏ(È­¿äÀÏ) °ÅÁ¦ °¨¼ºµ¼ Âüµ¼ È긲³¬½Ã "°ÅÁ¦´ë¾î³¬½Ã" (½Ç½Ã°£)ÇÖÁ¶È²ÀÔ´Ï´Ù.
¡Ø °¨¼ºµ¼ 53Cm Âüµ¼ 68CmÀÌ»ó(ìí1¸í) ´ë¾î&¾ÆÁöÄ«À̺¥Æ® ÃÖ°í±Þ¿øÁÙ ÁõÁ¤!!!
¡Ø ¾îÃÊ ¿©¹ç ¾îÀå Æ÷ÀÎÆ® ºÐ»ê ÃâÁ¶ÇÕ´Ï´Ù~

¡Ù5ÀÏ(¼ö) °ÅÁ¦ °¨¼ºµ¼ È긲³¬½Ã ¼±¿Ü±â ´ë¿© "¿¹¾à°¡´É"
(5ÀÏ 8¹°, °£Á¶: 01:49 ¸¸Á¶: 08:25)
(½Ç½Ã°£)¾îÃÊ¿©¹ç °¨¼ºµ¼ »ç³É~4Â¥±Þ ¿í¾À ¼Õ¸À~
¾îÃÊ¿©¹ç±Ç ´ë¹° ½ÃÁð OPEN Âß~ ¿¹¾à °¡´ÉÇÕ´Ï´Ù!!!

°ÅÁ¦´ë¾î1È£ ¾îÃÊ, ¿©¹ç °¨¼ºµ¼ È긲³¬½Ã Á¶È²ÀÔ´Ï´Ù.
ÁÁÀº ¹°¶§ ±¸°£ÀÌ À̾îÁö°í ÀÖ½À´Ï´Ù ¾îÃÊ¿©¹ç±Ç Âù ¹Ù¶÷ÀÌ
ºÒ¾î¿À¸ç ±Ý¹æÀÌ¶óµµ ´ë¹°µéÀÌ ½ñ¾ÆÁú µíÇÑ Æ÷ÀÎÆ® ȯ°æÀÌ
Á¶»ç´ÔµéÀ» ±äÀå½ÃŰ°í ²ÙÁØÈ÷ µé¾î°£ ¹Ø¹ä¿¡ ³ðµéÀÇ ¹ÝÀÀÀÌ
À̾îÁý´Ï´Ù 4Â¥±Þµé·Î ¸¶¸´¼ö ¼Õ¸À ÁøÇàÁßÀÌ°í ³²Àº ½Ã°£
´ë¹°À» ³ë¸®¸ç ÁýÁßÇØº¸°Ú½À´Ï´Ù. ³»ÀϺÎÅÍ Âß~ ¿¹¾à °¡´ÉÇÕ´Ï´Ù.

5ÀÏ(¼ö¿äÀÏ) ³»¸¸ °¨¼ºµ¼³¬½Ã¿Í ¼±¿Ü±â ´ë¿© ¿¹¾à °¡´ÉÇÕ´Ï´Ù.

¢Ã °ÅÁ¦´ë¾î³¬½Ã °¨¼ºµ¼/µ¹¹®¾î/¼±¿Ü±â´ë¿© ÀÏÁ¤ ¾È³» ¢Ã
¡Ø ³¬½Ã Èú¸µÀº "°ÅÁ¦´ë¾î³¬½Ã"¿¡¼­ ³¬½Ã¹è+¼÷¹Ú±îÁö Çѹ濡 ÇØ°á~
¡Ù11¿ù 5ÀÏ(¼ö)¸Õ¹Ù´Ù Âüµ¼ ³»¸¸ °¨¼ºµ¼³¬½Ã ¼±¿Ü±â´ë¿© "¿¹¾à°¡´É"
¡Ù11¿ù 6ÀÏ(¸ñ)¸Õ¹Ù´Ù Âüµ¼ ³»¸¸ °¨¼ºµ¼³¬½Ã ¼±¿Ü±â´ë¿© "¿¹¾à°¡´É"
¡Ù11¿ù 7ÀÏ(±Ý)¸Õ¹Ù´Ù Âüµ¼ ³»¸¸ °¨¼ºµ¼³¬½Ã ¼±¿Ü±â´ë¿© "¿¹¾à°¡´É"
¡Ù11¿ù 8ÀÏ(Åä)¸Õ¹Ù´Ù Âüµ¼ ³»¸¸ °¨¼ºµ¼³¬½Ã ¼±¿Ü±â´ë¿© "¿¹¾à°¡´É"
¡Ù11¿ù 9ÀÏ(ÀÏ)¸Õ¹Ù´Ù Âüµ¼ ³»¸¸ °¨¼ºµ¼³¬½Ã ¼±¿Ü±â´ë¿© "¿¹¾à°¡´É"
¡Ù11¿ù 10ÀÏ(¿ù)¸Õ¹Ù´Ù Âüµ¼ ³»¸¸ °¨¼ºµ¼³¬½Ã ¼±¿Ü±â´ë¿© "¿¹¾à°¡´É"
¡Ù11¿ù 11ÀÏ(È­)¸Õ¹Ù´Ù Âüµ¼ ³»¸¸ °¨¼ºµ¼³¬½Ã ¼±¿Ü±â´ë¿© "¿¹¾à°¡´É"
¡Ø ÁÁÀº Æ÷ÀÎÆ® ¼±Á¤À» À§ÇØ ¿¹¾àÀ» ¹Ì¸®¹Ì¸® ¼­µÑ·¯ Áֽʽÿä.

°ÅÁ¦´ë¾î³¬½Ã ¼±»ó³¬½Ã ¿¹¾à(µ¶Ã¤ ¹Î¹Ú ¿î¿µ)
¹®ÀÇ ¢Ï 010-6400-2082 / ¢Ï 010-454-3937
¤±¼±¿Ü±â ¿¹¾à: ¢Ï 010-6400-2082
¡á ¹êµå: https://band.us/@geojdaeeofishing
°ÅÁ¦´ë¾î³¬½Ã´Â 1~8¼±´ÜÀ» ¿î¿µÇϰí ÀÖÀ¸¸ç °ÅÁ¦µµ¿¡¼­ °¡Àå Å«
±Ô¸ð¸¦ ÀÚ¶ûÇÕ´Ï´Ù. ´ÜüÆÀ/ȸ»çÆÀ/±â¾÷ÆÀ/µ¿È£È¸ÆÀ/¼±»ó ³¬½Ã´ëȸµµ
°¡´ÉÇÑ ÃæºÐÇÑ ÀοøÀ» ¼ö¿ë °¡´ÉÇÕ´Ï´Ù.

¢Ã °ÅÁ¦Ãâ¹ß ¢º»ç·®µµ Çѻ굵±Ç Á÷Ç× "µ¹¹®¾î³¬½Ã" ¢Ã
- 04½Ã 30ºÐ Ãâ¹ß ~ ¿ÀÈÄ 1½Ã(À¯µ¿Àû) ö¼ö
- µµ½Ã¶ô, »ý¼ö, Ä¿ÇÇ Á¦°øÇÕ´Ï´Ù.

¢Ã µ¹¹®¾î »ýȰ³¬½Ã & ³¬½ÃüÇè ¢Ã ¸ö¸¸ ¿À½Ã¸é µË´Ï´Ù.
- ³¬½Ë´ë, ÀåºñÀÏÀýÁ¦°ø, ±¸¸íº¹ Á¦°ø
- °¡Á·µé, ¿©¸§ÈÞ°¡, ´ÜüÆÀµé ´ëȯ¿µ~ °¡¼ººñ ÁÁ½À´Ï´Ù.

¡á Âüµ¼ È긲³¬½Ã (³»¸¸±Ç/ÁßÀå°Å¸® »ó½Ã ÃâÁ¶)
ÇѳªÀý:»õº®ºÎÅÍ ~ 2½Ã±îÁö(À¯µ¿Àû) 14¸¸¿ø
- ¹Ø¹ä,¹Ì³¢,µµ½Ã¶ô Á¦°ø, Ä¿ÇÇ, À½·á, »ý¼ö Á¦°ø
(³¬½Ë´ë) ±âº» 1.5È£~2È£´ë 530(°æÁú´ë ¼±È£)
(¸±) 4000¹ø~6000¹ø. ±Ç»ç·® 150~200¹ÌÅÍ ÃßõµÇ´Â ½ºÇǴ׸±.
(¶óÀÎ) ¿øÁÙ 4~6È£ ÇÃ·ÎÆÃ ¼¼¹ÌŸÀÔ, ¸ñÁÙ ÈķηÎÄ«º» 100% 4È£~6È£ ¼±È£.
(¹Ù´Ã) Âüµ¼ 8~12È£, Å¥¼Ç¶Ç´Â ¼öÁßÅ¥¼Ç -2B ~ -5B, Á¼½ÒºÀµ¹, ½ºÀ§º§µµ·¡
¡Øµ¶¹è´Â ½Ã°£ Á¶Á¤ °¡´ÉÇÕ´Ï´Ù.

¢Ë °ÅÁ¦´ë¾î³¬½Ã Âüµ¼ ½Ã»ó ³»¿ª ¢Ë ÀÏ 1¸í¾¿ ½Ã»óµË´Ï´Ù.
68Cm ÀÌ»ó - ÃÖ»ó±Þ ¿øÁÙ ÁõÁ¤

¡á ¼±¿Ü±â ´ë¿©
(4ÀνÂ)- 13¸¸¿ø, (3ÀνÂ) - 10¸¸¿ø / (2ÀνÂ) - 8¸¸¿ø / (1ÀνÂ)- 7¸¸¿ø.
¿µ¾÷±¸¿ª ³» Á¶Á¤¸éÇãÁõ ÇÊ¿ä ¾øÀ¸¹Ç·Î, ´©±¸³ª ÀÌ¿ëÀÌ °¡´ÉÇÕ´Ï´Ù.
- ¼±¿Ü±â »ç¿ë±³À° 3ºÐÀÌ¸é ¹Ù·Î, ¿îÀüÇÏ½Ç ¼ö ÀÖ½À´Ï´Ù.

¡Ú¾ÈÀü ÁÖÀÇ »çÇסÚ
- °ÅÁ¦´ë¾î³¬½Ã ¼±´Ü ÀÌ¿ë½Ã,¾ÈÀüÇÑ ³¬½Ã¸¦ À§ÇØ ¼±ÂøÀå Åë·Î ÀÌ¿ë½Ã ¹Ì²ø¸²À»
ÁÖÀÇ ÇØ ÁÖ½Ã±æ ¹Ù¶ø´Ï´Ù. Åë·Î Á¿쿡 ÀÖ´Â ÇÚµéÀ» Àâ°í À̵¿ÇÏ½Ã¸é ¾ÈÀüÇÕ´Ï´Ù.
- ¼±ÂøÀåµµÂøÀü, ¹è¿¡¼­ ¹Ì¸® ³»¸®Áö ¸¶½Ã°í, ¹è°¡ Á¤¹ÚÇϰí, ·ÎÇÁ¸¦ ¹­Àº µÚ¿¡
Çϼ±ÇØ ÁÖ½Ã±æ ¹Ù¶ø´Ï´Ù.

¡Ú´ë¾î³¬½Ã ¼±´Ü¡Ú
°ÅÁ¦ ´ë¾î³¬½Ã 1È£ ¤Ñ ¾ÈÁ©¶óÈ£
°ÅÁ¦ ´ë¾î³¬½Ã 2È£ ¤Ñ ¾Èµå·¹¾ÆÈ£
°ÅÁ¦ ´ë¾î³¬½Ã 3È£ ¤Ñ ¾ßÈ£(YAHO)
°ÅÁ¦ ´ë¾î³¬½Ã 4È£ ¤Ñ µ¹ÇÉÈ£
°ÅÁ¦ ´ë¾î³¬½Ã 5È£ ¤Ñ ¹Ì·¡È£
°ÅÁ¦ ´ë¾î³¬½Ã 6È£ ¤Ñ °ÅÁ¦¹Ù´ÙÈ£
°ÅÁ¦ ´ë¾î³¬½Ã 7È£ ¤Ñ »ç¶ûÈ£
°ÅÁ¦ ´ë¾î³¬½Ã 8È£ ¤Ñ ´ë¾îÈ£

¡á ÁÖº¯ Á¦ÈÞ ¹Î¹ÚÁý ¡á
¾ÆÁö¶û ¹Î¹Ú(´Üü-µ¶Ã¤) ¢Ï010-6400-2082
ÇØ¼Û±¼±¸ÀÌ¹Î¹Ú (´Üü) ¢Ï010-2545-3755
°ÅÁ¦ ´ë¾î³¬½Ã ÁÖº¯ ÆÄ¶ó½ºÆÄÂòÁú¹æ °Ë»öÇÏ½Ã¸é µË´Ï´Ù.

¡á ȯºÒ ±ÔÁ¤ ¡á
°ÅÁ¦´ë¾î³¬½Ã¿¡¼­´Â ÃâÁ¶¿¡ ´ëÇÑ È¯ºÒ±ÔÁ¤À» ¾Æ·¡¿Í °°ÀÌ ¿î¿µÁßÀÔ´Ï´Ù.
"¿¹¾à¿Ï·á" È®Á¤½Ã ÃâÁ¶ºñ Àü¾× ȯºÒÀÌ µÇÁö ¾Ê½À´Ï´Ù.
1ÀÏÀü, µµ½Ã¶ô°ú ¹Ø¹ä¿¡ µû¸¥ ½Çºñ¿Ü¿¡ ȯºÒ(ÃâÁ¶ÀÏ º¯°æ °¡´É)
2ÀÏÀü, ÃâÁ¶ºñ Àü¾× ȯºÒ,
"¿¹¾à ¿Ï·á" °øÁö ÀÌÈÄ, Ãë¼Ò ¿äû½Ã¿¡´Â ȯºÒµÇÁö ¾Ê½À´Ï´Ù.

¡Úã¾Æ¿À½Ã´Â±æ¡Ú
¡ØÃâÇ×Áö: °ÅÁ¦½Ã °ÅÁ¦¸é ¹ýµ¿¸® 1074¹øÁö ¾ÆÁö¶û°æ·Î´ç ¹æÆÄÁ¦
¡Ú¡Ú¡Ú½ÅºÐÁõ ²À ÁöÂüÇØÁÖ¼¼¿ä¡Ú¡Ú¡Ú

¢Ï °ÅÁ¦´ë¾î³¬½Ã ¼±»ó³¬½Ã ¿¹¾à(µ¶Ã¤ ¹Î¹Ú) ¹®ÀÇ¢Ï
¢Ï 010-6400-2082 / ¢Ï 010-4547-3937
¤±¼±¿Ü±â: ¢Ï 010-6400-2082
¡á ¹êµå: https://band.us/@geojdaeeofishing
  • »ç¿ëÀÚ°¡ ¿Ã¸° À̹ÌÁö

 * °¡²û ±¤°í¸¦ Ŭ¸¯ÇØ ºÁ ÁÖ½Ã¸é ³¬¶û »çÀÌÆ® ¿î¿µ¿¡ µµ¿òÀÌ µË´Ï´Ù ^^
     
ÃÑ 0°³ÀÇ ´ñ±ÛÀÌ ÀÖ½À´Ï´Ù.

    ´ñ±Û¾²±â     [·Î±×ÀÎ] | [ȸ¿ø°¡ÀÔ]
 
 
3449(¼±¿Ü±â)°¨¼ºµ¼ ÇÖÁ¶È²~4Â¥±Þ~ÁßÄ¡±Þ ¸¶¸´¼ö ÇàÁø(16ÀÏ ¿¹¾à) ¾Æ¶ó¹Ù¶÷25.11.1476
3448(¹®¾î)¿¬Å¸ ÀÛ·Ä Ã¨ÁúÀº °­ÇϰÔ~Áß·®±Þµé ¹Ù±Û¹Ù±Û~°­¹ÎÈ£(16ÀÏ ¿¹¾à) ¾Æ¶ó¹Ù¶÷25.11.1491
3447(°¨¼ºµ¼)´ë¹° ¼ÓÃâ ´Ù ÅÍÁö°í 4´ëµ¼ ¸¶¸´¼ö Á¶È²~°ÅÁ¦´ë¾î³¬½Ã(15ÀÏ ¿¹¾à) ¾Æ¶ó¹Ù¶÷25.11.14141
3446(¹®¾î)2.4K ´ë¹° èâ ڸģ Çǵù °è¼Ó Àâ³×¿ä~°í°í½á´ÏÈ£(ÁÖ¸» ¾ß°£ ¿¹¾à) ¾Æ¶ó¹Ù¶÷25.11.14153
3445(¹®¾î)2.4K ºò¿ø ¿Ü 30¼ö ¿À¹ö 2¸í ½ñ¾ÆÁ®¿ä~Çö¼­ÇǽÌ(15ÀÏ ¿¹¾à) ¾Æ¶ó¹Ù¶÷25.11.14176
3444(ÃÊ´ë¹Ú)ÓÞ¹®¾î 1µî30¼ö 2µî20¼ö ¹Ï°í ¿À½Ê½Ã¿À~¶ôÇǽÌ(15ÀÏ ¿¹¾à) ¾Æ¶ó¹Ù¶÷25.11.14182
3443(¹®¾î)ÁÙÀ» ¼­½Ã¿À~K¿À¹ö ´ë¹° ÀÜÄ¡ ¸¶¸´¼ö ³¡Àå~°í°íÇǽÌÈ£(15ÀÏ ¿¹¾à) ¾Æ¶ó¹Ù¶÷25.11.14113
3442(¾îÃÊ¿©¹ç)´ë¹Ú ÇàÁø~µ¹µ¼¶¼ º¬¿¡µ¼¶¼ ŸÀÛ~Á¨Æ²È£(17ÀÏ ¿¹¾à) ¾Æ¶ó¹Ù¶÷25.11.14155
3441(ÇØ±Ý°­)´ëÀå Äð·¯ ¸¸Äð~Âüµ¼ ÓÞÀü°»ÀÌ Å¸ÀÛ Á¶È²~½Å¼ºÈ£(15ÀÏ ¿¹¾à) ¾Æ¶ó¹Ù¶÷25.11.14329
3440(½Ç½Ã°£)ÓÞ¹®¾î 1.6K1.5K1.4K K¿À¹ö ¼ÓÃâ~¶ôÇǽÌ(15ÀÏ ¿¹¾à) ¾Æ¶ó¹Ù¶÷25.11.14388
3439(½Ç½Ã°£)»õº® Çǵù~°¨¼ºµ¼ 4Â¥3Â¥ ³¡Àå ¼Õ¸À ñé °ÅÁ¦´ë¾î³¬½Ã(15ÀÏ ¿¹¾à) ¾Æ¶ó¹Ù¶÷25.11.14428
3438(ÓÞ¹®¾î)°É¸é ¹¬Á÷~KÀüÈÄ ´ë¹° ÁýÁß °ø·« ½Ã±â~°­¹ÎÈ£(16ÀÏ ¿¹¾à) ¾Æ¶ó¹Ù¶÷25.11.14446
  1   2   3   4   5   6   7   8   9   10   

³¬½Ã»ç¶û¼Ò°³ | ¿À½Ã´Â±æ | ³¬½Ã»ç¶û¹è³Ê | ÀÌ¿ë¾à°ü | À̸ÞÀϹ«´Ü¼öÁý°ÅºÎ | °³ÀÎÁ¤º¸Ãë±Þ¹æÄ§ | ±Ç¸®Ä§ÇØ½Å°í¼¾ÅÍ
Copyright 1997~2022 (ÁÖ)À¥¶óÀÌÇÁ/³¬½Ã»ç¶û All rights reserved »ç¾÷ÀÚµî·Ï¹øÈ£ 110-81-42683
»ç¾÷Àå : ¼­¿ïƯº°½Ã ¿µµîÆ÷±¸ ¿µµîÆ÷·Î 374, 3Ãþ
[±¤°í/Á¦ÈÞ ¹× Ãßõ»óǰ µî·Ï¹®ÀÇ]     [³¬½ÃÅÍ ¹× ³¬½Ë¹è µî·Ï¹®ÀÇ]     [¹Î¿ø/°ÇÀÇ/½Å°í]     [¸ÞÀϹ®ÀÇ]     [¹®ÀÇ(FAX) 02-2634-2730]