¾Æ¶ó¹Ù¶÷ > (°¨¼ºµ¼)¾îÃÊ¿©¹ç 4Â¥ ÀüÈÄ HIT~´ë¹° ÁÖÀǺ¸~°¡°íÆÄÈ£(12ÀÏ ¿¹¾à) : ³¬½Ã»ç¶û
ȸ¿ø°¡ÀÔ | ·Î±×ÀΠ| ½ÃÀÛÆäÀÌÁö | Áñ°Üã±â | ¹®ÀÇ/¿äû/½Å°í
³¬½ÃÅͼ±Åà | Àαâ°Ë»ö¾î | ¹Î¹°ÈÄ¿ø³¬½ÃÅÍ | ¹Ù´ÙÈÄ¿øÅÍ
 
¹Î¹°³¬½Ã | Á´ë/À¯·áÅÍ | ¹Ù´Ù³¬½Ã | ·ç¾î³¬½Ã | Ä¿¹Â´ÏƼ | ³¬¶ûŬ·´ | ³¬½Ã½ºÄð | Áß°íÀåÅÍ | ³¬½ÃQ&A | »ç¿ë±â/°­Á | ÃâÁ¶Á¤º¸ | °ø±¸/¿ëǰÁ¤º¸

 Æ¯ÆÄ¿ø(ÃâÁ¶Á¡)Á¶È²Á¤º¸

- º» °Ô½Ã¹°À» ¹«´Ü ´Ù¿î·Îµå, µµ¿ë, Àοë, ¸µÅ© ±ÝÁö. HOME >¹Ù´Ù³¬½Ã >ƯÆÄ¿ø(ÃâÁ¶Á¡)Á¶È²Á¤º¸

¾Æ¶ó¹Ù¶÷
ÀÛ¼ºÀÏ : 2025-11-11 16:22:41 / Á¶È¸ : 1,220      

Á¦¸ñ l ¾Æ¶ó¹Ù¶÷ > (°¨¼ºµ¼)¾îÃÊ¿©¹ç 4Â¥ ÀüÈÄ HIT~´ë¹° ÁÖÀǺ¸~°¡°íÆÄÈ£(12ÀÏ ¿¹¾à) : ³¬½Ã»ç¶û

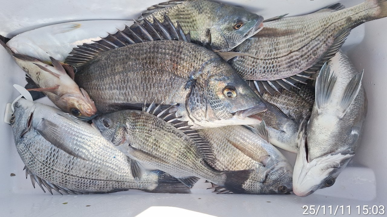
°¨¼ºµ¼ ´ë¹°½ÃÁð µ¹ÀÔ~äºñ ưưÈ÷ ì°Ü ¿À½Ê½Ã¿ä~
11ÀÏ(È­) °ÅÁ¦ Çл긶À» Ãâ¹ß, ¾îÃÊ °¨¼ºµ¼³¬½Ã "°¡°íÆÄÈ£" (ö¼ö)ÇÖÁ¶È²ÀÔ´Ï´Ù.
¡Ø ÁÖÂ÷ÇÏ°í ¼±ÂøÀå±îÁö ¹Ù·Î ¿¬°áµÇ¾î Æí¸®ÇÕ´Ï´Ù.

¡Ù 12ÀÏ(¼ö¿äÀÏ) °ÅÁ¦µµ °¨¼ºµ¼ Á¾ÀÏ È긲³¬½Ã "¿¹¾à °¡´É
(°¨¼ºµ¼) 4Â¥ ÀüÈÄ ´çÂù ¼Õ¸À ¾îÃÊ¿©¹ç ½ÃÀ۵˴ϴÙ~

°ÅÁ¦µµ Çл긶À» Ãâ¹ß, °¨¼ºµ¼ Àü¹® ÃâÁ¶Á¡ °¡°íÆÄÈ£ÀÔ´Ï´Ù.
ÁÁÀº ¹°¶§ ±¸°£ÀÔ´Ï´Ù ¾îÃÊ¿©¹ç ²ÙÁØÈ÷ µé¾î°£ ¹Ø¹ä¿¡ ¹ÝÀÀÇÑ
±½Á÷ÇÑ °¨¼ºµ¼µé·Î ¼Õ¸À Áñ°å°í Æ÷µ¿ Æ÷µ¿ µ¢Ä¡¸¦ Ű¿î ³à¼®µéÀÇ
´çÂù ¼Õ¸À¿¡ ½Ã°£ °¡´Â ÁÙ ¸ð¸£°í Áñ±â´Ù ¿Ô½À´Ï´Ù~ 11¿ù 12¿ù
¾¾¾Ë¿¡ ¸¶¸´¼ö±îÁö ±â´ëÇØº¼ ¼ö ÀÖ´Â ½Ã±âÀ̱⿡ ¼Õ¸À Áñ±â·¯
¿À½Ê½Ã¿À ³»ÀϺÎÅÍ Âß~ ¿¹¾à °¡´ÉÇÕ´Ï´Ù.

12ÀÏ(¼ö¿äÀÏ)ºÎÅÍ °ÅÁ¦ Ãâ¹ß °¨¼ºµ¼ È긲³¬½Ã ¿¹¾à °¡´ÉÇÕ´Ï´Ù.
º»°ÝÀûÀÎ ¸¶¸´¼ö ½ÃÁð ½ÃÀ۵Ǵ °Í °°½À´Ï´Ù.
¿À´Ãµµ °ÅÁ¦ °¡°íÆÄÈ£¿Í ÇÔ²²ÇØÁֽŠÁ¶»ç´Ôµé ¼ö°í ¸¹À¸¼Ì½À´Ï´Ù.

¢Ã °¡°íÆÄÈ£ °¡À» ½ÃÁð °¨¼ºµ¼³¬½Ã ÀÏÁ¤ ¾È³» ¢Ã
¡Ù12ÀÏ(¼ö¿äÀÏ) °ÅÁ¦ °¨¼ºµ¼ Á¾ÀÏ È긲³¬½Ã "¿¹¾à°¡´É"
¡Ù13ÀÏ(¸ñ¿äÀÏ) °ÅÁ¦ °¨¼ºµ¼ Á¾ÀÏ È긲³¬½Ã "¿¹¾à°¡´É"
¡Ù14ÀÏ(±Ý¿äÀÏ) °ÅÁ¦ °¨¼ºµ¼ Á¾ÀÏ È긲³¬½Ã "¿¹¾à°¡´É"
¡Ù15ÀÏ(Åä¿äÀÏ) °ÅÁ¦ °¨¼ºµ¼ Á¾ÀÏ È긲³¬½Ã "¿¹¾à°¡´É"
¡Ù16ÀÏ(ÀÏ¿äÀÏ) °ÅÁ¦ °¨¼ºµ¼ Á¾ÀÏ È긲³¬½Ã "¿¹¾à°¡´É"
¡Ù17ÀÏ(¿ù¿äÀÏ) °ÅÁ¦ °¨¼ºµ¼ Á¾ÀÏ È긲³¬½Ã "¿¹¾à°¡´É"
- ÁÖÁß, ÁÖ¸» ¿¹¾à °¡´ÉÇÕ´Ï´Ù.

¢Ì °¡°íÆÄÈ£(¼±»ó) ¢Ï 010 8553 7868
¢Ì °¡°íÆÄÈ£ ¹êµå http://band.us/@gagopaho
¢Ì ÁÖ¼Ò :°ÅÁ¦½Ã µÐ´ö¸é Çлê3±æ 81 (ÏÁÁÖ¼Ò:µÐ´ö¸é Çл긮 109¹øÁö)
¢Ì °¨¼ºµ¼ ¼±»ó È긲 ³¬½Ã ¾È³» ¢Ì
(ÃâÁ¶ ½Ã°£) 05½Ã ~ 14½Ã ö¼ö (À¯µ¿Àû) 11¸¸¿ø
- »ý¼ö,Ä¿ÇÇ,¶ó¸é,ÃÊÀåµî, ³¬½ÃÀåºñ¸¸ °¡Áö°í ¿À¼¼¿ä

¢Ìµ¹¹®¾î ÃâÁ¶ ½Ã°£ ¹× ¼±ºñ ¾È³» ¢Ì
(ÆòÀÏ Á¾ÀÏ) 05:00~14:00 ÀüÈÄ,
- ¹®¾î¶ó¸é Á¦°ø,À½·á, »ý¼ö Á¦°øÇÕ´Ï´Ù.
- °¡Á·ÆÀ/ȸ»çÆÀ/µ¿È£È¸ÆÀÀº µ¶¹è »ó½Ã ¿¹¾à°¡´É.
¡Ø ³¬½ÃÀåºñ(¹«·á) ´ë¿© °¡´É, ±¸¸íº¹ ÇÊ¿äÇϽŠºÐÀº ¿¹¾à ½Ã Àü´Þ ¿äû.

¢Ì °¡°íÆÄÈ£(¼±»ó) ¢Ï 010 8553 7868
¢Ì °¡°íÆÄÈ£ ¹êµå http://band.us/@gagopaho
¢Ì ÁÖ¼Ò :°ÅÁ¦½Ã µÐ´ö¸é Çлê3±æ 81 (ÏÁÁÖ¼Ò:µÐ´ö¸é Çл긮 109¹øÁö)
  • »ç¿ëÀÚ°¡ ¿Ã¸° À̹ÌÁö

 * °¡²û ±¤°í¸¦ Ŭ¸¯ÇØ ºÁ ÁÖ½Ã¸é ³¬¶û »çÀÌÆ® ¿î¿µ¿¡ µµ¿òÀÌ µË´Ï´Ù ^^
     
ÃÑ 0°³ÀÇ ´ñ±ÛÀÌ ÀÖ½À´Ï´Ù.

    ´ñ±Û¾²±â     [·Î±×ÀÎ] | [ȸ¿ø°¡ÀÔ]
 
 
3873(°¨¼ºµ¼)ÃѼҸ® ÀÛ·Ä~4Â¥4Â¥ 4Â¥±Þµé ¿Ü 4´ëµ¼~¾ßÈ£(15ÀÏ ¿¹¾à) ¾Æ¶ó¹Ù¶÷25.12.14830
3872(¾îÃÊ¿©¹ç)´ë¹° °¨¼ºµ¼ ÁýÁß ÃâÁ¶~4Â¥ÀüÈÄ ¼Õ¸À~°¡°íÆÄÈ£(15ÀÏ ¿¹¾à) ¾Æ¶ó¹Ù¶÷25.12.14880
3871(°¨¼ºµ¼)Àü¿ø ¼Õ¸À ¾îÃÊ¿©¹ç±Ç 4Â¥±Þ ¿Ü ÁßÄ¡±Þ~3´ëÈ£(15ÀÏ ¿¹¾à) ¾Æ¶ó¹Ù¶÷25.12.14855
3870(¹®¾î)°­Ç³µµ ¸ø¸»¸®´Â KKKKK ¿Ü ¸¶¸´¼ö ÇÖÁ¶È²~°í°íÇǽÌÈ£(15ÀÏ ¿¹¾à) ¾Æ¶ó¹Ù¶÷25.12.14885
3869(ÓÞ¹®¾î)¿¬ÀÏ ´ë¹Ú~2.4K2.3K1.9K1.8K ´ë¹° ÆÄƼ~°í°í½á´ÏÈ£(15ÀÏ ¿¹¾à) ¾Æ¶ó¹Ù¶÷25.12.14851
3868(¹®¾î)¾öû½Ã¸® ºüÆ®·Áµµ KÀüÈÄ Àü¿ø ¸ÁÅÊÀÌ Á¶È²~Çö¼­ÇǽÌ(15ÀÏ ¿¹¾à) ¾Æ¶ó¹Ù¶÷25.12.14891
3867(èݹ®¾î)3.2K 2.8K °ø·æ±Þ~°É¸é ´ë¹° ¿øµµ±Ç Á÷Ç×~¶ôÇǽÌ(15ÀÏ ¿¹¾à) ¾Æ¶ó¹Ù¶÷25.12.1495
3866(¹®¾î)¿øµµ±Ç ÀÌ»èÁݱâ ÁßÄ¡±Þµé µû¹® µû¹®~È«ºÎÀåÇǽÌ(15ÀÏ ¿¹¾à) ¾Æ¶ó¹Ù¶÷25.12.1474
3865(°¨¼ºµ¼)4Â¥ µ¢Ä¡ ¿Ü ÁßÄ¡±Þµé Å뿵±Ç ÇÖÁ¶È²~´ë¾çÈ£(15ÀÏ ¿¹¾à) ¾Æ¶ó¹Ù¶÷25.12.1459
3864(°¨¼ºµ¼)5Â¥ ´ë¹° ¿Ü 4Â¥ 4Â¥±Þ ÅÊÅ©µé ¾îÃÊ¿©¹ç Á¶È²~´ë¾î³¬½Ã(15ÀÏ ¿¹¾à) ¾Æ¶ó¹Ù¶÷25.12.14846
3863(´Ù´ëÆ÷)´ë»ó¾î ÆÄƼ~¾¾¾Ë±Þ Âüµ¼ ºÎ½Ã¸® ¹æ¾î HIT~¿ëÁøÈ£(15ÀÏ ¿¹¾à) ¾Æ¶ó¹Ù¶÷25.12.14919
3862(°¨¼ºµ¼)²ÙÁØÇÑ Á¶È² È®ÀÎ~4Â¥4Â¥±Þµé ÁÙÁÙÀÌ~Á¨Æ²È£(15ÀÏ ¿¹¾à) ¾Æ¶ó¹Ù¶÷25.12.14920
  1   2   3   4   5   6   7   8   9   10   

³¬½Ã»ç¶û¼Ò°³ | ¿À½Ã´Â±æ | ³¬½Ã»ç¶û¹è³Ê | ÀÌ¿ë¾à°ü | À̸ÞÀϹ«´Ü¼öÁý°ÅºÎ | °³ÀÎÁ¤º¸Ãë±Þ¹æÄ§ | ±Ç¸®Ä§ÇØ½Å°í¼¾ÅÍ
Copyright 1997~2022 (ÁÖ)À¥¶óÀÌÇÁ/³¬½Ã»ç¶û All rights reserved »ç¾÷ÀÚµî·Ï¹øÈ£ 110-81-42683
»ç¾÷Àå : ¼­¿ïƯº°½Ã ¿µµîÆ÷±¸ ¿µµîÆ÷·Î 374, 3Ãþ
[±¤°í/Á¦ÈÞ ¹× Ãßõ»óǰ µî·Ï¹®ÀÇ]     [³¬½ÃÅÍ ¹× ³¬½Ë¹è µî·Ï¹®ÀÇ]     [¹Î¿ø/°ÇÀÇ/½Å°í]     [¸ÞÀϹ®ÀÇ]     [¹®ÀÇ(FAX) 02-2634-2730]