¾Æ¶ó¹Ù¶÷ > (°¨¼ºµ¼)²ÙÁØÇÑ Á¶È² È®ÀÎ~4Â¥4Â¥±Þµé ÁÙÁÙÀÌ~Á¨Æ²È£(15ÀÏ ¿¹¾à) : ³¬½Ã»ç¶û
ȸ¿ø°¡ÀÔ | ·Î±×ÀΠ| ½ÃÀÛÆäÀÌÁö | Áñ°Üã±â | ¹®ÀÇ/¿äû/½Å°í
³¬½ÃÅͼ±Åà | Àαâ°Ë»ö¾î | ¹Î¹°ÈÄ¿ø³¬½ÃÅÍ | ¹Ù´ÙÈÄ¿øÅÍ
 
¹Î¹°³¬½Ã | Á´ë/À¯·áÅÍ | ¹Ù´Ù³¬½Ã | ·ç¾î³¬½Ã | Ä¿¹Â´ÏƼ | ³¬¶ûŬ·´ | ³¬½Ã½ºÄð | Áß°íÀåÅÍ | ³¬½ÃQ&A | »ç¿ë±â/°­Á | ÃâÁ¶Á¤º¸ | °ø±¸/¿ëǰÁ¤º¸

 Æ¯ÆÄ¿ø(ÃâÁ¶Á¡)Á¶È²Á¤º¸

- º» °Ô½Ã¹°À» ¹«´Ü ´Ù¿î·Îµå, µµ¿ë, Àοë, ¸µÅ© ±ÝÁö. HOME >¹Ù´Ù³¬½Ã >ƯÆÄ¿ø(ÃâÁ¶Á¡)Á¶È²Á¤º¸

¾Æ¶ó¹Ù¶÷
ÀÛ¼ºÀÏ : 2025-12-14 14:08:24 / Á¶È¸ : 1,231      

Á¦¸ñ l ¾Æ¶ó¹Ù¶÷ > (°¨¼ºµ¼)²ÙÁØÇÑ Á¶È² È®ÀÎ~4Â¥4Â¥±Þµé ÁÙÁÙÀÌ~Á¨Æ²È£(15ÀÏ ¿¹¾à) : ³¬½Ã»ç¶û

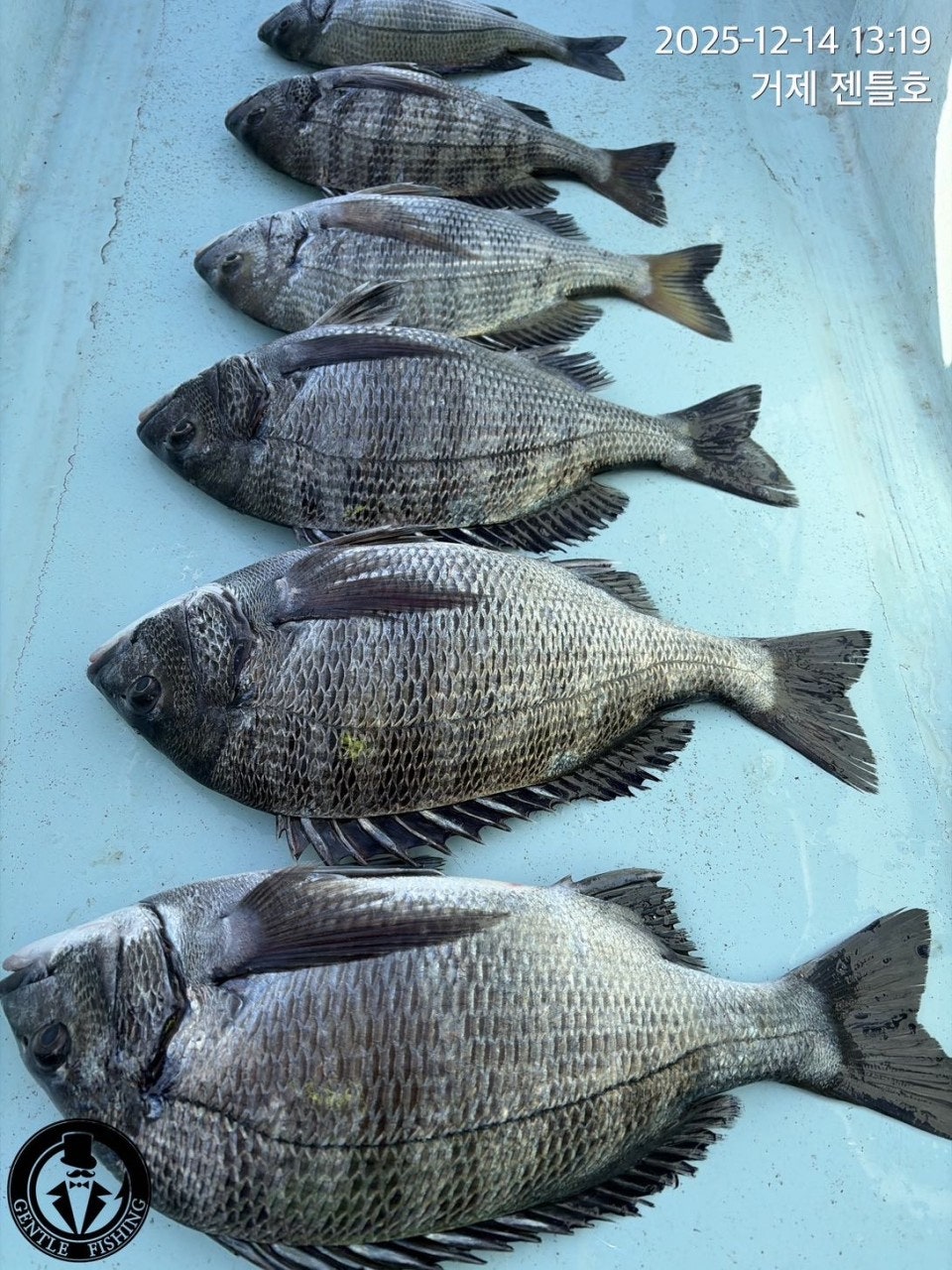
¾îÃÊ¿©¹ç °¨¼ºµ¼ ½Â·ü UP~ "¼ø±Ý °ñµå¹Ù À̺¥Æ®"
14ÀÏ(ÀÏ) 2¹°, °ÅÁ¦µµ ¾îÃÊ ¿©¹ç °¨¼ºµ¼ È긲³¬½Ã "Á¨Æ²È£" (ö¼ö) ÇÖÁ¶È²ÀÔ´Ï´Ù.
¡Ø(´ë¹°½Ã»ó) °¨¼ºµ¼ 53CmÀÌ»ó Âüµ¼ üÆ÷½Ã(1ÀÏ 1Ù£) ¾ÆÁöÄ« ÃÖ»ó±Þ¶óÀÎ ÁõÁ¤.

(°¨¼ºµ¼)¾îÃÊ¿©¹ç ²ÙÁØÇÑ Á¶È² È®ÀÎ~4Â¥ 4Â¥±Þµé!!
°ÅÁ¦µµ ¾îÃÊ¿©¹ç±Ç ´ë¹° °¨¼ºµ¼ ±º´Üµé º»°Ý ÀÔ¼º!!!
¡Ø 15ÀÏ(¿ù) 3¹°,(05¸í ÀÚ¸®) °ÅÁ¦µµ ¾îÃÊ ¿©¹ç °¨¼ºµ¼ È긲³¬½Ã "¿¹¾à °¡´É"

°ÅÁ¦µµ ¸±Â½Ã Àü¹® ÃâÁ¶Á¡ Á¨Æ²È£ ÇѼ±ÀåÀÔ´Ï´Ù.
²ÙÁØÇÑ Á¶È²ÀÌ È®Àεǰí ÀÖ´Â ¾îÃÊ¿©¹çÀÔ´Ï´Ù~ ³à¼®µéÀÌ È®½ÇÈ÷
ÁøÀÔÇÑ µí µû¹Ú µû¹Ú ÀÔÁúÀÌ ÀüÇØÁ³°í Á¦¹ý ºÎ´Â ¹Ù¶÷¿¡ °ø·«ÀÌ
½±Áö ¾Ê¾ÒÁö¸¸ 4Â¥ 4Â¥±Þµé·Î ¼Õ¸À Áñ±â°í ¸¶¹«¸® ÇÕ´Ï´Ù.
Á¦¹ý ÈûÀ» ¾²´ø ³à¼®µé 2¹æ ºüÆ®¸°°Ô »ó´çÈ÷ ¾Æ½±³×¿ä.
Âß »ì¾Æ³ª´Â ¹°¶§ ¼Ó ¾îÃÊ¿©¹ç ½Â·ü ³ôÀº Æ÷ÀÎÆ®·Î ÁøÀÔÇÏ´Ï
¼Õ¸À Áñ±â·¯ ¿À½Ê½Ã¿À °¨»çÇÕ´Ï´Ù~

15ÀÏ(¿ù¿äÀÏ) °ÅÁ¦µµ ¾îÃÊ/¿©¹ç °¨¼ºµ¼ È긲³¬½Ã ¿¹¾à°¡´ÉÇÕ´Ï´Ù.
Âß~ °¨¼ºµ¼µéÀÌ È°µ¿Çϱâ ÀûÇÕÇÑ È²±Ý ¹°¶§°¡ À̾îÁö±â¿¡ ¼Õ¸À Áñ±â·¯
¿À¼Åµµ ÁÁÀ» µí ÇÕ´Ï´Ù~
¿À´Ãµµ °ÅÁ¦Á¨Æ²È£¿Í ÇÔ²²ÇØÁֽŠÁ¶»ç´Ôµé ¼ö°í ¸¹À¸¼Ì½À´Ï´Ù.

¢Ã Á¨Æ²È£ °¨¼ºµ¼ È긲³¬½Ã ¿¹¾à ÀÏÁ¤ ¢Ã
15ÀÏ(¿ù) 3¹°, (05¸í ÀÚ¸®)°ÅÁ¦µµ ¾îÃÊ ¿©¹ç °¨¼ºµ¼ È긲³¬½Ã "¿¹¾à °¡´É"
16ÀÏ(È­) 4¹°, (07¸í ÀÚ¸®)°ÅÁ¦µµ ¾îÃÊ ¿©¹ç °¨¼ºµ¼ È긲³¬½Ã "¿¹¾à °¡´É"
17ÀÏ(¼ö) 5¹°, (07¸í ÀÚ¸®)°ÅÁ¦µµ ¾îÃÊ ¿©¹ç °¨¼ºµ¼ È긲³¬½Ã "¿¹¾à °¡´É"
18ÀÏ(¸ñ) 6¹°, (07¸í ÀÚ¸®)°ÅÁ¦µµ ¾îÃÊ ¿©¹ç °¨¼ºµ¼ È긲³¬½Ã "¿¹¾à °¡´É"
19ÀÏ(±Ý) 7¹°, (07¸í ÀÚ¸®)°ÅÁ¦µµ ¾îÃÊ ¿©¹ç °¨¼ºµ¼ È긲³¬½Ã "¿¹¾à °¡´É"
20ÀÏ(Åä) 8¹°, (03¸í ÀÚ¸®)°ÅÁ¦µµ ¾îÃÊ ¿©¹ç °¨¼ºµ¼ È긲³¬½Ã "¿¹¾à °¡´É"
21ÀÏ(ÀÏ) 9¹°, (07¸í ÀÚ¸®)°ÅÁ¦µµ ¾îÃÊ ¿©¹ç °¨¼ºµ¼ È긲³¬½Ã "¿¹¾à °¡´É"

¢Ã Á¨Æ²È£ ¿¹¾à¹®ÀÇ ¢Ï 010-8949-4045
(ã¾Æ ¿À½Ã´Â ±æ) °ÅÁ¦½Ã °ÅÁ¦¸é ¼­Á¤¸® 773-14
¢ÃÁ¨Æ²È£ ¹êµå : https://band.us/@gentlefishing
°¨¼ºµ¼ ¼ø±Ý °ñµå¹Ù ÁõÁ¤ À̺¥Æ®
¢Ã °¨¼ºµ¼³¬½Ã & Âüµ¼ ¾îÃÊ È긲³¬½Ã ¢Ã
(°¨¼ºµ¼) »õº®~14½Ã ÀüÈÄ(À¯µ¿Àû) Á¾ÀÏ 11¸¸¿ø/µ¶¹è 75¸¸¿ø
( Âüµ¼ ) »õº®~14½Ã ÀüÈÄ(À¯µ¿Àû) Á¾ÀÏ 13¸¸¿ø/µ¶¹è 75¸¸¿ø
- ¹Ø¹ä, ¹Ì³¢, µµ½Ã¶ô, »ý¼ö, À½·á Ä¿ÇÇ Á¦°ø

¢Ã Á¨Æ²È£ °øÁö»çÇ× ¹× ÁÖÀÇ »çÇ×
- ¿¹¾à ¹®ÀÇ´Â Àú³á 9½Ã±îÁö ¿¬¶ô ¹Ù¶ø´Ï´Ù
- ¼±»ó¿¡¼­ À½ÁÖ ¹× ÁÖ·ù ¹ÝÀÔÀº ±ÝÁöÀÔ´Ï´Ù
- ½ÅºÐÁõ ²À ÁöÂü ¹× ±¸¸íÁ¶³¢ Âø¿ë ÇʼöÀÔ´Ï´Ù.

Á¨Æ²È£ ¿¹¾à¹®ÀÇ ¢Ï 010-8949-4045
(ã¾Æ ¿À½Ã´Â ±æ) °ÅÁ¦½Ã °ÅÁ¦¸é ¼­Á¤¸® 773-14
¢Ã Á¨Æ²È£ ¹êµå : https://band.us/@gentlefishing
ÀԱݰèÁ (¼öÇù) 0010-8949-4045 ÇѼºÀç
  • »ç¿ëÀÚ°¡ ¿Ã¸° À̹ÌÁö

 * °¡²û ±¤°í¸¦ Ŭ¸¯ÇØ ºÁ ÁÖ½Ã¸é ³¬¶û »çÀÌÆ® ¿î¿µ¿¡ µµ¿òÀÌ µË´Ï´Ù ^^
     
ÃÑ 0°³ÀÇ ´ñ±ÛÀÌ ÀÖ½À´Ï´Ù.

    ´ñ±Û¾²±â     [·Î±×ÀÎ] | [ȸ¿ø°¡ÀÔ]
 
 
4294°¨¼ºµ¼(´ë¹Ú ¾îÃÊ)4Â¥4Â¥4Â¥4Â¥~µ¢¾î¸®µé üÆ÷ ´ë¾çÈ£(21ÀÏ ¿¹¾à) ¾Æ¶ó¹Ù¶÷26.01.201,507
4293(¹®¾î)Áö³­ 5K 4K ±«¹° ¿Ü 2K KÀüÈÄ µ¢Ä¡µé ²ÙÁØÈ÷~°­¹ÎÈ£(23ÀÏ ¿¹¾à) ¾Æ¶ó¹Ù¶÷26.01.201,897
4292ÓÞÚª°¨¼ºµ¼(¼±¿Ü±â) 4Â¥4Â¥4Â¥4Â¥4Â¥±Þ ±½Àº³ðµé~´ë¾î¼±¿Ü±â(20ÀÏ ¿¹¾à) ¾Æ¶ó¹Ù¶÷26.01.192,937
4291°¨¼ºµ¼(´ë¹° Ä«°í) °É¸é~ 5Â¥ 5Â¥´Ù~ºò½ÃÁð~È«ºÎÀåÇÇ½Ì (20ÀÏ ¿¹¾à) ¾Æ¶ó¹Ù¶÷26.01.192,875
4290°¨¼ºµ¼(È긲) ´ë¹° 5Â¥ 4Â¥ 4Â¥¿Ü ÂðÇÑ ¼Õ¸À~´ë¾î³¬½Ã (20ÀÏ ¿¹¾à) ¾Æ¶ó¹Ù¶÷26.01.192,892
4289°¨¼ºµ¼(¾îÃÊ È긲) »§ÁÁÀº 4Â¥ 4Â¥3Â¥µé¿Ü ¸¶¸®¼ö~´ë¾çÈ£ (20ÀÏ ¿¹¾à) ¾Æ¶ó¹Ù¶÷26.01.192,952
4288°¨¼ºµ¼(¼±»ó) 2¹æÆÃ~5Â¥ 4Â¥ 3Â¥ ±½Àº ¼Õ¸À~ÇØ±Ý°­È£(20ÀÏ ¿¹¾à) ¾Æ¶ó¹Ù¶÷26.01.191,510
4287¹®¾î(¿øµµ±Ç ½Ç½Ã°£) 2.1KÆ÷ÇÔ ±½Àº³ðµé ÁÖ··ÁÖ··~Çö¼­ÇǽÌ(20ÀÏ ¿¹¾à) ¾Æ¶ó¹Ù¶÷26.01.191,390
4286¹®¾î(½Ç½Ã°£) Ű·Î¿À¹ö Ű·Î±Þ ¸¶¸®¼ö º£¸®±Â~°í°íÇǽÌ(20ÀÏ ¿¹¾à) ¾Æ¶ó¹Ù¶÷26.01.19410
4285°¨¼ºµ¼(ÇÖ ½Ç½Ã°£) 4Â¥µé¿Ü 3Â¥±îÁö ÆÛ´ã°í~´ë¾çÈ£ (20ÀÏ ¿¹¾à) ¾Æ¶ó¹Ù¶÷26.01.191,885
4284°¨¼ºµ¼(½Ç½Ã°£ ¾îÃÊ) »§±½Àº 4Â¥ 4Â¥ °­·Â¼Õ¸À~´ë¾î³¬½Ã(20ÀÏ ¿¹¾à) ¾Æ¶ó¹Ù¶÷26.01.192,240
4283Å뿵(º¼¶ô) 3Â¥±Þ~29Cm±îÁö ´ã°í ÆÛ ´ã°í~°í°í½á´ÏÈ£(¿À´Ã ¿¹¾à) ¾Æ¶ó¹Ù¶÷26.01.193,307
  1   2   3   4   5   6   7   8   9   10   

³¬½Ã»ç¶û¼Ò°³ | ¿À½Ã´Â±æ | ³¬½Ã»ç¶û¹è³Ê | ÀÌ¿ë¾à°ü | À̸ÞÀϹ«´Ü¼öÁý°ÅºÎ | °³ÀÎÁ¤º¸Ãë±Þ¹æÄ§ | ±Ç¸®Ä§ÇØ½Å°í¼¾ÅÍ
Copyright 1997~2022 (ÁÖ)À¥¶óÀÌÇÁ/³¬½Ã»ç¶û All rights reserved »ç¾÷ÀÚµî·Ï¹øÈ£ 110-81-42683
»ç¾÷Àå : ¼­¿ïƯº°½Ã ¿µµîÆ÷±¸ ¿µµîÆ÷·Î 374, 3Ãþ
[±¤°í/Á¦ÈÞ ¹× Ãßõ»óǰ µî·Ï¹®ÀÇ]     [³¬½ÃÅÍ ¹× ³¬½Ë¹è µî·Ï¹®ÀÇ]     [¹Î¿ø/°ÇÀÇ/½Å°í]     [¸ÞÀϹ®ÀÇ]     [¹®ÀÇ(FAX) 02-2634-2730]