|
³ëÁö ¸®¾óŸÀÓ
|
- º» °Ô½Ã¹°À» ¹«´Ü ´Ù¿î·Îµå, µµ¿ë, Àοë, ¸µÅ© ±ÝÁö.
|
HOME >¹Î¹°Á¤º¸ > |
 |
|
 |
|
Á¾°á Á¶È²¼Ò½Ä ¢ºÁ¶ÇàÀϽÃ: 12.28
¢º³¯¾¾: È帲.
¾ÆÄ§ ±â¿Â ¿µÇÏ4µµ
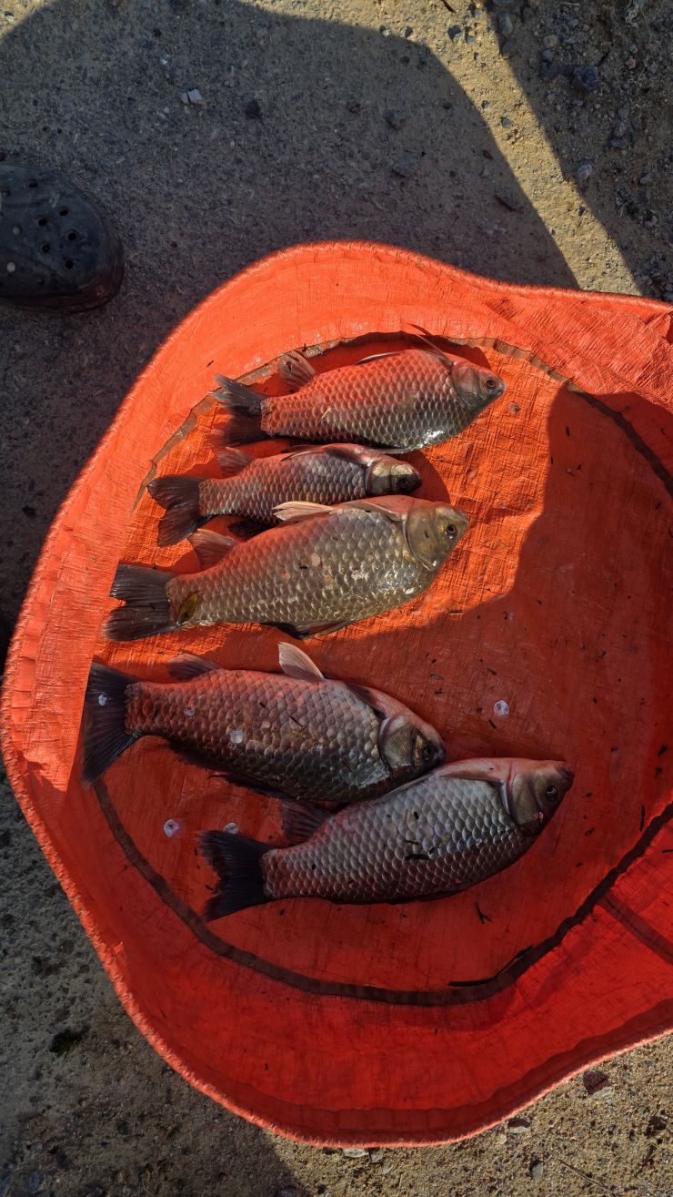
¢ºÁ¶Çà¼Ò½Ä: Á¶¿ëÇÏ°í ºÐÀ§±â ÁÁÀº ¼Ò·ùÁö ¿´À¸³ª Á¶°ú´Â ±â´ë¿¡ ¹ÌÄ¡Áö ¸øÇÔ.
8Ä¡.ÅΰŸ®.39µî ¸î ¼ö ¸¸³ª±â´Â Çߴµ¥ ¼Ò¹®°ú ´Ù¸£°Ô ¾Æ½±±â¸¸ ÇÕ´Ï´Ù.
´Ù¸¸ ¾Æ´Â »ç¶÷¸¸ÀÌ Ã£´Â´Ù´Â ¼Ò·ùÁö¿¡¼ µ¶Ã¤ Àü¼¼³»°í ³¬½ÃÇ߱⿡ ¸¸Á·ÇÕ´Ï´Ù.
Àαٿ¡¼ ³ª´Â ³¿»õ´Â ¹ßÈ¿ ºñ·á °øÀåÀ̶ó°í ÇÕ´Ï´Ù.;
Áß¹Ý Á¶È²¼Ò½Ä ¢ºÁ¶ÇàÀϽÃ: 12.27
¢º³¯¾¾: ¿µÇÏ6µµÀÇ °ÃßÀ§¿Í ¾Õ¹Ù¶÷
¢ºÁ¶Çà¼Ò½Ä: Ãä±âµµ ÇÏ·Á´Ï¿Í ¾Õ¹Ù¶÷À̶ó ¿Á¼ö¼ö¸¸ ´Þ¾Æ³õ°í ³¬½Ã ³¡.
µ¿ÀÌÆ®°í Âº¸´Ï Çϳª°¡ º¸ÀÌÁö ¾Ê³×¿ä.
µé¾îº¸´Ï ÁØÃ´¿¡ »ì¦ ¸ðÀÚ¶ó´Â ºØ¾î°¡ °É·Á ³ª¿É´Ï´Ù.
¿À´ÃÀº ³·¿¡µµ ¹Ù¶÷ÀÌ ¾ø¾î ³¬½ÃÇϱ⠳ʹ«ÁÁ½À´Ï´Ù.
±â¿Âµµ ¸¹ÀÌ ¶³¾îÁöÁö ¾Ê±â¿¡ ÁýÁßÇØ¼ ¹ã³¬½Ã ÇØº¸°Ú½À´Ï´Ù.
ÃÊ¹Ý Á¶È²¼Ò½Ä ¢ºÀå¼Ò: ¹«¾È º´»êÁ¦
¢ºÁ¶ÇàÀϽÃ: 12.26
¢º¹Ì³¢¹×Àåºñ±¸¼º: 3.0ĺÎÅÍ 4.4ıîÁö 11´ëÆí¼º
¹Ì³¢´Â ¿Á¼ö¼ö¿Í ¿Á¼ö¼ö ¾îºÐ±Û·çÅÙ
¢º³¯¾¾¹×ƯÀÌ»çÇ×: °Çѹٶ÷¿¡ ¿µÇϱÇ
¢ºµ¿ÇàÀÚ: ¾î½Å¿Ü 1¸í
¢ºÇöÀå»óȲ¹×Á¶Çà¼Ò½Ä:
´ÊÀº ¿ÀÈÄ µµÂøÇÏ´Ï ¾Æ¹«µµ ¾ø³×¿ä.
»ê¼Ó ¼Ò·ùÁöÀε¥ Àú¼öÁö ¾Æ·¡·Î´Â °ñÇÁ ¿¬½ÀÀåÀÌ ÀÖ°í Àαٿ¡´Â Ãà»ç°¡ ÀÖ´Âµí °í¾àÇÑ ³¿»õ°¡ ³³´Ï´Ù.
¼ö½ÉÀº 2~3mÁ¤µµ·Î ´Ù¼Ò ±íÀ¸¸ç ¹°¼Ó¿¡´Â ¸»Ç®ÀÌ ÀÚ¶ó°í Àִµí ÇÕ´Ï´Ù.
óÀ½ º¸¾ÒÀ» ¶§ ºÐÀ§±â´Â ÃÖ°í¿´Áö¸¸ Ãà»ç ³¿»õ°¡ ½Ç¸Á½Ãŵ´Ï´Ù.
ÇÏÁö¸¸ ÇöÁöÀÎÀÌ 4Â¥°¡ ¸¹ÀÌ ³ª¿Â°÷À̶ó¸ç ±â´ë°¨À» ³²±â°í °¡½Ê´Ï´Ù.       
|
|
* °¡²û ±¤°í¸¦ Ŭ¸¯ÇØ ºÁ ÁÖ½Ã¸é ³¬¶û »çÀÌÆ® ¿î¿µ¿¡ µµ¿òÀÌ µË´Ï´Ù ^^
|
|
|
ÃÑ 8°³ÀÇ ´ñ±ÛÀÌ ÀÖ½À´Ï´Ù.
|
|
|
|
| 342 | | ¹«¾È º´»êÁ¦ ¸¶°¨ (8) | | ¾î½Å | | 25.12.26 | | 10,777 | | | | 341 | | ¿µ¾Ï ±ÝÁöÁ¦ ¸¶°¨ (9) | | ¾î½Å | | 25.12.23 | | 13,914 | | | | 340 | | ÇмºÁö ¸¶°¨ (11) | | ¾î½Å | | 25.12.07 | | 12,048 | | | | 339 | | ¹é¹ÌÁö ¸¶°¨ (8) | | ¾î½Å | | 25.11.28 | | 11,600 | | | | 338 | | ¾Æ»êÈ£ ¸ð·¡¼¶¾Õ µÒº¡ ¸¶°¨ (9) | | ¾î½Å | | 25.11.21 | | 10,539 | | | | 337 | | ¾Æ»êÈ£ ±¸¼º¸®±Ç Áß¹Ý (6) | | ¾î½Å | | 25.11.07 | | 15,917 | | | | 336 | | ¾Æ»ê ¹®¹æÁö ¸¶°¨ (8) | | ¾î½Å | | 25.10.21 | | 33,401 | | | | 335 | | ¾È¸éµµ ½Å¾ß¸® ¼ö·Î ¸¶°¨ (7) | | ¾î½Å | | 25.10.13 | | 42,009 | | | | 334 | | .ÃæÁÖÀÇ ¹«¸í¼Ò·ùÁö ¸¶°¨ (8) | | ¾î½Å | | 25.09.05 | | 42,821 | | | | 333 | | ±«»ê µ¿ÁøÃµ ¸¶°¨ (5) | | ¾î½Å | | 25.08.18 | | 28,554 | | | | 332 | | õ¾È µ¿¸é ¼Ò·ùÁö ¸¶°¨ (9) | | ¾î½Å | | 25.08.11 | | 33,300 | | | | 331 | | ¿¹Ãµ ³»ÁöÀú¼öÁö ¸¶°¨ (9) | | ¾î½Å | | 25.08.05 | | 35,427 | | |
|
|

|
|

|
|
|
|
|
|
|
|
|