°¢Æò³¬½ÃÅÍ À¯·á³¬½ÃÅÍ > ±ä¿¬ÈÞ³¡-ÁÖ¸»´ëºñ°í±â¹æ·ù : ³¬½Ã»ç¶û
ȸ¿ø°¡ÀÔ | ·Î±×ÀΠ| ½ÃÀÛÆäÀÌÁö | Áñ°Üã±â | ¹®ÀÇ/¿äû/½Å°í
³¬½ÃÅͼ±Åà | Àαâ°Ë»ö¾î | ¹Î¹°ÈÄ¿ø³¬½ÃÅÍ | ¹Ù´ÙÈÄ¿øÅÍ
 
¹Î¹°³¬½Ã | Á´ë/À¯·áÅÍ | ¹Ù´Ù³¬½Ã | ·ç¾î³¬½Ã | Ä¿¹Â´ÏƼ | ³¬¶ûŬ·´ | ³¬½Ã½ºÄð | Áß°íÀåÅÍ | ³¬½ÃQ&A | »ç¿ë±â/°­Á | ÃâÁ¶Á¤º¸ | °ø±¸/¿ëǰÁ¤º¸

 ½Ç½Ã°£³¬½ÃÅͼҽÄ(ÈÄ¿øÅÍ)

- º» °Ô½Ã¹°À» ¹«´Ü ´Ù¿î·Îµå, µµ¿ë, Àοë, ¸µÅ© ±ÝÁö. HOME >À¯·áÅÍÁ¤º¸ >½Ç½Ã°£³¬½ÃÅͼҽÄ(ÈÄ¿øÅÍ)
°¢Æò³¬½ÃÅÍ
ÀÛ¼ºÀÏ : 2025-10-17 18:56:55 / ÀϹÝÅÍ / °¢Æò³¬½Ã°ø¿ø   

Á¦¸ñ l °¢Æò³¬½ÃÅÍ À¯·á³¬½ÃÅÍ > ±ä¿¬ÈÞ³¡-ÁÖ¸»´ëºñ°í±â¹æ·ù : ³¬½Ã»ç¶û

 

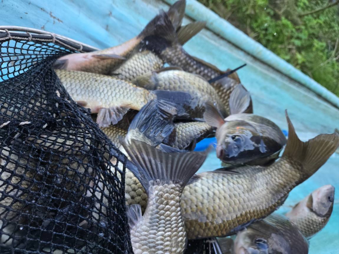
±æ¾ú´ø ¿¬ÈÞ°¡ ³¡³ª°í ´Ù½Ã ÀÏ»óÀ¸·Î µ¹¾Æ°¬½À´Ï´Ù.¿¬ÈޱⰣ µ¿¾È ¸¹Àº Á¶»ç´ÔµéÀÌ °¢ÆòÀ» ã¾Æ ÁÖ½Ã¾î °¨»çµå¸³´Ï´Ù.Áñ°Å¿î ½Ã°£ÀÌ µÇ¼Ì±â¸¦...

ÀÏ»óÀ¸·Î µ¹¾Æ°¡ ÁÖ¸»Àü¿¡ °í±â¸¦ ´ë·® ¹æ·ùÇÏ¿´À¸´Ï ¼Õ¸Àµé º¸·¯ ¿ÍÁֽñæ~~~~1760353711173.jpg

 

 

1760353711004.jpg

 

 

1760353710872.jpg

 

 

1760353710734.jpg

 

 

1760353710561.jpg

 

 

IMG_8490.jpg

 

 

IMG_8493.jpg

 

 

20251010_085227.jpg

 

 

20251009_223900.jpg

 

 

1759927023345.jpg

 

 

1759658634976.jpg

 

 

Resized_20251004_083651.jpeg

 

 

20251015_110050.jpg

 

 

20251015_110050(0).jpg

 

 

20251015_110051.jpg

 

 

20251015_110216.jpg

 

 

20251015_110216(0).jpg

 

 

20251015_110216(1).jpg

 


 * °¡²û ±¤°í¸¦ Ŭ¸¯ÇØ ºÁ ÁÖ½Ã¸é ³¬¶û »çÀÌÆ® ¿î¿µ¿¡ µµ¿òÀÌ µË´Ï´Ù ^^
  
ÃÑ 0°³ÀÇ ´ñ±ÛÀÌ ÀÖ½À´Ï´Ù.

    ´ñ±Û¾²±â     [·Î±×ÀÎ] | [ȸ¿ø°¡ÀÔ]
 
 
613°Ü¿ï³¬½ÃÁغñ¿Ï·á°¢Æò³¬½ÃÅÍ25.11.07
612¹Ù¶÷¸·(ÃßÀ§¸·)¼³Ä¡°¢Æò³¬½ÃÅÍ25.10.24
611°¡À»ÀÌÀ;´ÂÁÖ¸»Ç³°æ°¢Æò³¬½ÃÅÍ25.10.21
610±ä¿¬ÈÞ³¡-ÁÖ¸»´ëºñ°í±â¹æ·ù°¢Æò³¬½ÃÅÍ25.10.17
609Ãß¼®¿¬ÈÞ°í±â´ë·®¹æ·ù°¢Æò³¬½ÃÅÍ25.10.02
608´ë¾îµé·Î dz³â~^^°¢Æò³¬½ÃÅÍ25.09.24
607Á¶È²Á¤º¸°¢Æò³¬½ÃÅÍ25.09.17
606°í±â¹æ·ù°¢Æò³¬½ÃÅÍ25.09.12
605³¬½ÃÇϱâÁÁÀº³¯¾¾°¡´Ù°¡¿À´Âµí~^^°¢Æò³¬½ÃÅÍ25.09.03
604°í±â¹æ·ù¿Í Á¶È²°¢Æò³¬½ÃÅÍ25.08.29
603³¬½Ã´ë°¡ºÎ·¯Á®µµ±âºÐÁÁÀº´ë¾î°¢Æò³¬½ÃÅÍ25.08.19
602°í±â¹æ·ù¿ÍÁ¶È²°¢Æò³¬½ÃÅÍ25.08.15
  1   2   3   4   5   6   7   8   9   10   

³¬½Ã»ç¶û¼Ò°³ | ¿À½Ã´Â±æ | ³¬½Ã»ç¶û¹è³Ê | ÀÌ¿ë¾à°ü | À̸ÞÀϹ«´Ü¼öÁý°ÅºÎ | °³ÀÎÁ¤º¸Ãë±Þ¹æÄ§ | ±Ç¸®Ä§ÇØ½Å°í¼¾ÅÍ
Copyright 1997~2022 (ÁÖ)À¥¶óÀÌÇÁ/³¬½Ã»ç¶û All rights reserved »ç¾÷ÀÚµî·Ï¹øÈ£ 110-81-42683
»ç¾÷Àå : ¼­¿ïƯº°½Ã ¿µµîÆ÷±¸ ¿µµîÆ÷·Î 374, 3Ãþ
[±¤°í/Á¦ÈÞ ¹× Ãßõ»óǰ µî·Ï¹®ÀÇ]     [³¬½ÃÅÍ ¹× ³¬½Ë¹è µî·Ï¹®ÀÇ]     [¹Î¿ø/°ÇÀÇ/½Å°í]     [¸ÞÀϹ®ÀÇ]     [¹®ÀÇ(FAX) 02-2634-2730]