¾È³ç Çϼ¼¿ä~~!!
¼ö·ÁÇÑ Ç³±¤, Èû ÁÁÀº ÅäÁ¾ºØ¾î ³¬½ÃÅÍ, Èú¸µÀÇ °ø°£ (ÅäÁ¾ºØ¾îÅÍ) ¿ëÀÎ »ïÀ㬽ÃÅÍÀÔ´Ï´Ù
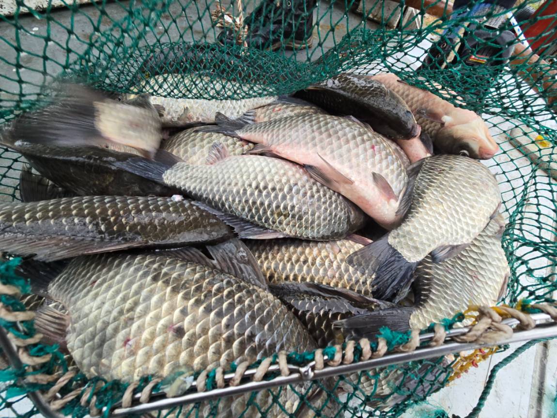
ºØ¾îµéÀº Àß ³ª¿À°í ÀÖ½À´Ï´Ù.
Á¶±Ý ÆíÂ÷´Â ÀÖ¾úÁö¸¸ ¸¶¸´¼ö Á¶È²µµ º¸À̰í
ÀüüÀûÀ¸·Î Áö±Ý½Ã±â¿¡ ¾ÆÁÖ ÁÁÀº Á¶È²À» º¸À̰í ÀÖ½À´Ï´Ù.
´ë¹°ºØ¾îµé¸¸ ¼±º°ÇÏ¿© °°Àº ½Ã±â ±× ¾î´À¶§º¸´Ù
ºØ¾î¹æ·ùµµ ¸¹ÀÌ ÀÌ·ç¾î Áö°í ÀÖ½À´Ï´Ù.
´ÙÇàÀ̵µ ÁÁÀº ºØ¾îµéÀ» ±¸ÇÒ¼ö ÀÖ¾ú½À´Ï´Ù.
°¡´ÉÇÑ ¸¹Àº ºØ¾î°¡ µé¾î °¥ °ÍÀÔ´Ï´Ù.
»ïÀ㬽ÃÅÍ´Â 365ÀÏ Ç×»ó Á¤»ó ¿î¿µµÇ°í ÀÖ½À´Ï´Ù.
°Ü¿ï¿¡µµ ¹°´ëÆ÷¸¦ °¡µ¿ÇÏ¿© ¾ðÁ¦µç ÆíÇϰÔ
³¬½Ã¸¦ Áñ±â½Ç¼ö ÀÖµµ·Ï ÁغñµÇ¾î ÀÖ½À´Ï´Ù.
ÇÏ½Ã°í ½ÍÀ»¶§ ¾ðÁ¦µç ¿À¼Å¼ Áñ±â½Ã¸é µË´Ï´Ù.
µîÀ¯³·Î ´ë¿©µµ ÁغñµÇ¾î ÀÖ½À´Ï´Ù.
°¨»çÇÕ´Ï´Ù.
Àϱ³Â÷°¡ ¸¹½À´Ï´Ù.
²À µû¶æÇÏ°Ô ÁغñÇϽðí ÃâÁ¶ÇϽñ⠹ٶø´Ï´Ù.
Ç×»ó°Ç° ÇϽðí Áñ°Å¿î ÇÏ·ç µÇ¼¼¿ä~~!!
***µ¿°èÀÌ¿ë¿ä±Ý ****
³¬½Ã¿ä±Ý:1ÀÎ(3¸¸¿ø),ÁÖ¸»,ÆòÀϵ¿ÀÏ
1ÀνÇ:1ÀαâÁØ(4¸¸¿ø),ÁÖ¸»,ÆòÀÏ µ¿ÀÏ
2ÀνÇ:2ÀÎ (10¸¸¿ø)ÁÖ¸»,ÆòÀÏ µ¿ÀÏ
1ÀÎ (7¸¸¿ø)
ÀϹÝÁ´ë(°ü¸®½Ç¾Õ):2ÀαâÁØ(10¸¸¿ø)ÁÖ¸»,ÆòÀÏ µ¿ÀÏ
·Î¾âÁ´ë:ÆòÀÏ 2ÀαâÁØ(12¸¸¿ø),ÁÖ¸»3ÀαâÁØ(15¸¸¿ø)
*** ¸ðµçÁÂ´ë µ¿ÀÏÇÏ°Ô Àû¿ëµË´Ï´Ù***
-³¬½ÃÀ¯¹«,³²³à±¸ºÐ¾øÀÌ Ãß°¡Àοø1Àδç 3¸¸¿ø Ãß°¡µË´Ï´Ù.(Ãʵî»ýÀÌÇÏÁ¦¿Ü)
²À È®ÀÎÇϽþî Âø¿À¾øÀ¸½Ã±â ¹Ù¶ø´Ï´Ù.
-µ¿°è Áغñ»çÇ×-
¹Ù¶÷¸·ÀÌ ÀÛ¾÷µµ µÇ¾î ÀÖ°í ³·Îµµ ´ë¿©ÇÏ¿À´Ï ¾ÕÀ¸·Îµµ ³¬½Ã¸¦ Áñ±â½Ã±â¿¡
ºÒÆíÇÔÀÌ ¾øÀ» °ÍÀÔ´Ï´Ù.
°Ü¿ï¿¡´Â ¹°´ëÆ÷¸¦ ¼³Ä¡ÇÏ¿© ¾óÀ½ÀÌ ¾óÁö¾ÊÅä·ÏÇØ ³¬½Ã¸¦ ÇϽǼöÀÖµµ·Ï Çϰí ÀÖ½À´Ï´Ù.
º½ ,¿©¸§, °¡À» ,°Ü¿ï 365ÀÏ ¾ðÁ¦µç ¿À¼Å¼ ÀÚ¿¬°ú ÇÔ²² ³¬½Ã¸¦ Áñ±â½Ã¸é µË´Ï´Ù.
°¨»ç ÇÕ´Ï´Ù~~!!
»ïÀ㬽ÃÅÍ´Â ¹Ù¶÷À» ¸¹ÀÌ Å¸Áö ¾Ê°í Àú³áÀÌ¸é ´ëºÎºÐ ¹Ù¶÷ÀÌ
Àæ¾Æµé¾î ¹Ù¶÷ÀÇ ¿µÇâÀ» Àû°Ô ¹Þ½À´Ï´Ù.
¶ÇÇÑ Á´ë½Ã¼³ ¸ðµÎ°¡ ¿¬¾È¿¡¼ °É¾î¼ ¾ÈÀüÇÏ°Ô ÀÌ¿ëÇϽǼö ÀÖ½À´Ï´Ù.
¹Ù·Î µÚ¿¡ ÁÖÂ÷ÇÏ½Ã°í ¾ðÁ¦µç ÆíÇÏ°Ô ¿À½Ã°í °¡½Ç¼ö ÀÖ½À´Ï´Ù.
¼¿ï ±Ù±³¿¡ ÀÚ¸®ÇÑ °¡±î¿î ³¬½ÃÅÍ ÀÔ´Ï´Ù
»ê°ú ½£À¸·Î µÑ·¯½Î¿© ÀÖ¾î ³ìÁ¶µµ ¾ø¾î ¹°µµ ±ú²ýÇϰí dz±¤µµ ¼ö·ÁÇÕ´Ï´Ù.
Á¶¿ëÇÏ°Ô (ÅäÁ¾ºØ¾î) ³¬½Ãµµ Áñ±â½Ã¸ç »êÃ¥µµ ÇϽðí ÀÚ¿¬°ú ÇÔ²² ÇϽǼö ÀÖ½À´Ï´Ù.
***±Ã±ÝÇϽÅÁ¡ ÀÖÀ¸½Ã¸é ÀüÈ·Î ¹®ÀÇ ÇϽñ⠹ٶø´Ï´Ù~~!!
¹®ÀÇÀüÈ:031)332-6795,010-8379-9080 »ïÀ㬽ÃÅÍ


»ïÀ㬽ÃÅÍ ÁÖ¼Ò : °æ±âµµ ¿ëÀνà óÀα¸ »ïÀηΠ150
¡Ý¡Ý »ïÀÎÁö ³×À̹öÄ«Æä¿¡´Â ´õ ¸¹Àº Á¤º¸°¡ ÁغñµÇ¾î ÀÖ½À´Ï´Ù.
¾Æ·¡ ¢Ù À̹ÌÁö¸¦ Ŭ¸¯ÇÏ½Ã¸é »ïÀÎÁö Ä«Æä·Î À̵¿ ÇÕ´Ï´Ù.

|
|
* °¡²û ±¤°í¸¦ Ŭ¸¯ÇØ ºÁ ÁÖ½Ã¸é ³¬¶û »çÀÌÆ® ¿î¿µ¿¡ µµ¿òÀÌ µË´Ï´Ù ^^
|
|
|
ÃÑ 0°³ÀÇ ´ñ±ÛÀÌ ÀÖ½À´Ï´Ù.
|
|