¼ºÈ£³¬½ÃÅÍ À¯·á³¬½ÃÅÍ > ÁÖ¸» Á¶È² ¹× ÅäÁ¾ºØ¾î ´ë·®¹æ·ù ¼ºÈ£³¬½ÃÅÍ ÀÌõ. : ³¬½Ã»ç¶û
ȸ¿ø°¡ÀÔ | ·Î±×ÀΠ| ½ÃÀÛÆäÀÌÁö | Áñ°Üã±â | ¹®ÀÇ/¿äû/½Å°í
³¬½ÃÅͼ±Åà | Àαâ°Ë»ö¾î | ¹Î¹°ÈÄ¿ø³¬½ÃÅÍ | ¹Ù´ÙÈÄ¿øÅÍ
 
¹Î¹°³¬½Ã | Á´ë/À¯·áÅÍ | ¹Ù´Ù³¬½Ã | ·ç¾î³¬½Ã | Ä¿¹Â´ÏƼ | ³¬¶ûŬ·´ | ³¬½Ã½ºÄð | Áß°íÀåÅÍ | ³¬½ÃQ&A | »ç¿ë±â/°­Á | ÃâÁ¶Á¤º¸ | °ø±¸/¿ëǰÁ¤º¸

 ½Ç½Ã°£³¬½ÃÅͼҽÄ(ÈÄ¿øÅÍ)

- º» °Ô½Ã¹°À» ¹«´Ü ´Ù¿î·Îµå, µµ¿ë, Àοë, ¸µÅ© ±ÝÁö. HOME >À¯·áÅÍÁ¤º¸ >½Ç½Ã°£³¬½ÃÅͼҽÄ(ÈÄ¿øÅÍ)
¼ºÈ£³¬½ÃÅÍ
ÀÛ¼ºÀÏ : 2026-03-02 10:51:12 / Àú¼öÁö / °æ±â ÀÌõ½Ã ¼ºÈ£³¬½ÃÅÍ ÀÌõ   

Á¦¸ñ l ¼ºÈ£³¬½ÃÅÍ À¯·á³¬½ÃÅÍ > ÁÖ¸» Á¶È² ¹× ÅäÁ¾ºØ¾î ´ë·®¹æ·ù ¼ºÈ£³¬½ÃÅÍ ÀÌõ. : ³¬½Ã»ç¶û

 

20260225_170031.jpg

 

³»ÀÏÀ» À§ÇÑ ÅäÁ¾ºØ¾î 4Â¥ºÎÅÍ 

´ë¹°¸¸ ¼±º°ÇØ ¿¬ÀÏ ¹æ·ù Çϰí ÀÖ½À´Ï´Ù.

 

 

 

20260221_181550.jpg

 

ÀüÀÏ 4Â¥ºÎÅÍ 

µ¢¾î¸® ´ë¹° ¸¶¸´¼ö ¾î¸Á¿¡ À̾î

 

 

 

20260221_181544.jpg

 

ÀÛ³â 3°³¿ù ÈÞÀå ±â°£µ¿¾È ´ë·® ¹æ·ùµÈ µ¢¾î¸®µé 

¾ó±¼À» º¸¿©Áֱ⠽ÃÀÛ Çß½À´Ï´Ù.

 

 

 

20260301_184918.jpg

 

 

20260301_144652.jpg

 

ÃÖ°í±ÞÇü ¹æ°¥·ÎÁ´ë ÀÌ¿ëÀº

ȨÆäÀÌÁö ¶Ç´Â ÀüÈ­ ¿¹¾àÈÄ ¾ðÁ¦³ª ÀÌ¿ë °¡´ÉÇÕ´Ï´Ù.

(ÀÌ¿ë¿ä±Ý Àü³â°ú µ¿ÀÏ ÇÕ´Ï´Ù.)

 

 

 

20260301_184736.jpg

 

 

20260302_075548.jpg

 

 

20260302_075543.jpg

 

 

20260302_075627.jpg

 

 

20260302_075628.jpg

 

³ëÁö ½ÃÁ¶È¸ ´Üü¸ðÀÓÀº 

»çÀü ¿¹¾à¿¡ ÇÑÇØ ÀÌ¿ë °¡´É ÇÕ´Ï´Ù.

 

ps-3¿ù21ÀÏ(Åä) 

ÃÖ»ó·ù. °ü¸®½Ç¿· °ñÀÚ¸® ¹× °ø¿ø¹ØÀº ´Üü ¿¹¾àµÊ.

 

 

 

20260301_122200.jpg

 

 

20260301_102618.jpg

 

 

20260301_103328.jpg

 

 

20260225_170030.jpg


 

20260225_170622.jpg

 

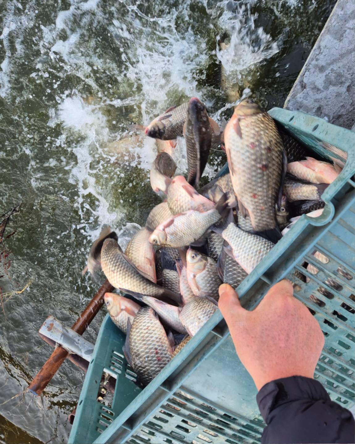
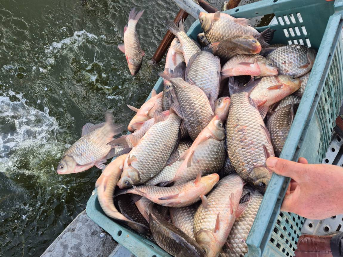
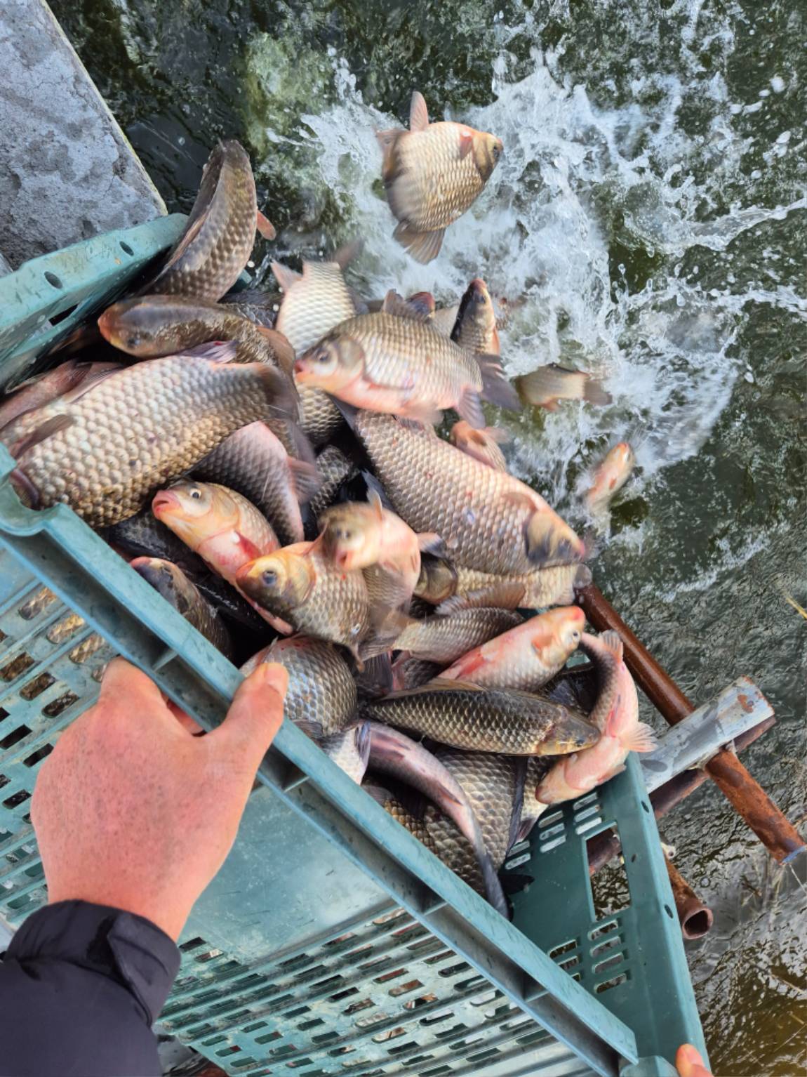
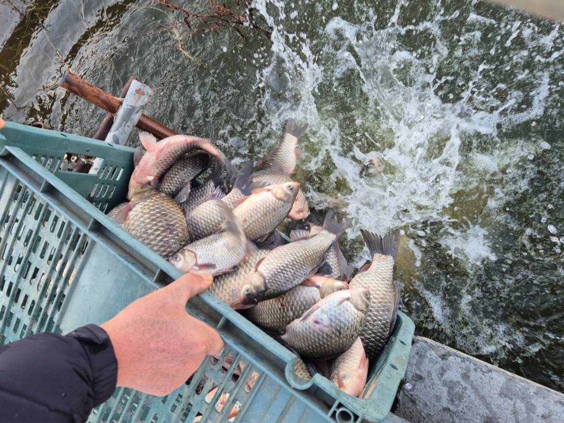
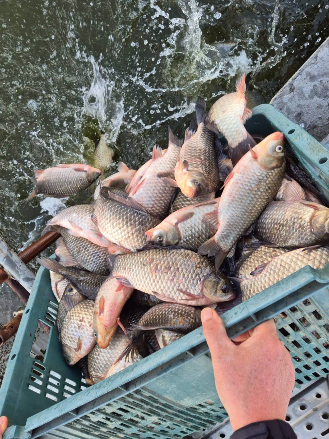
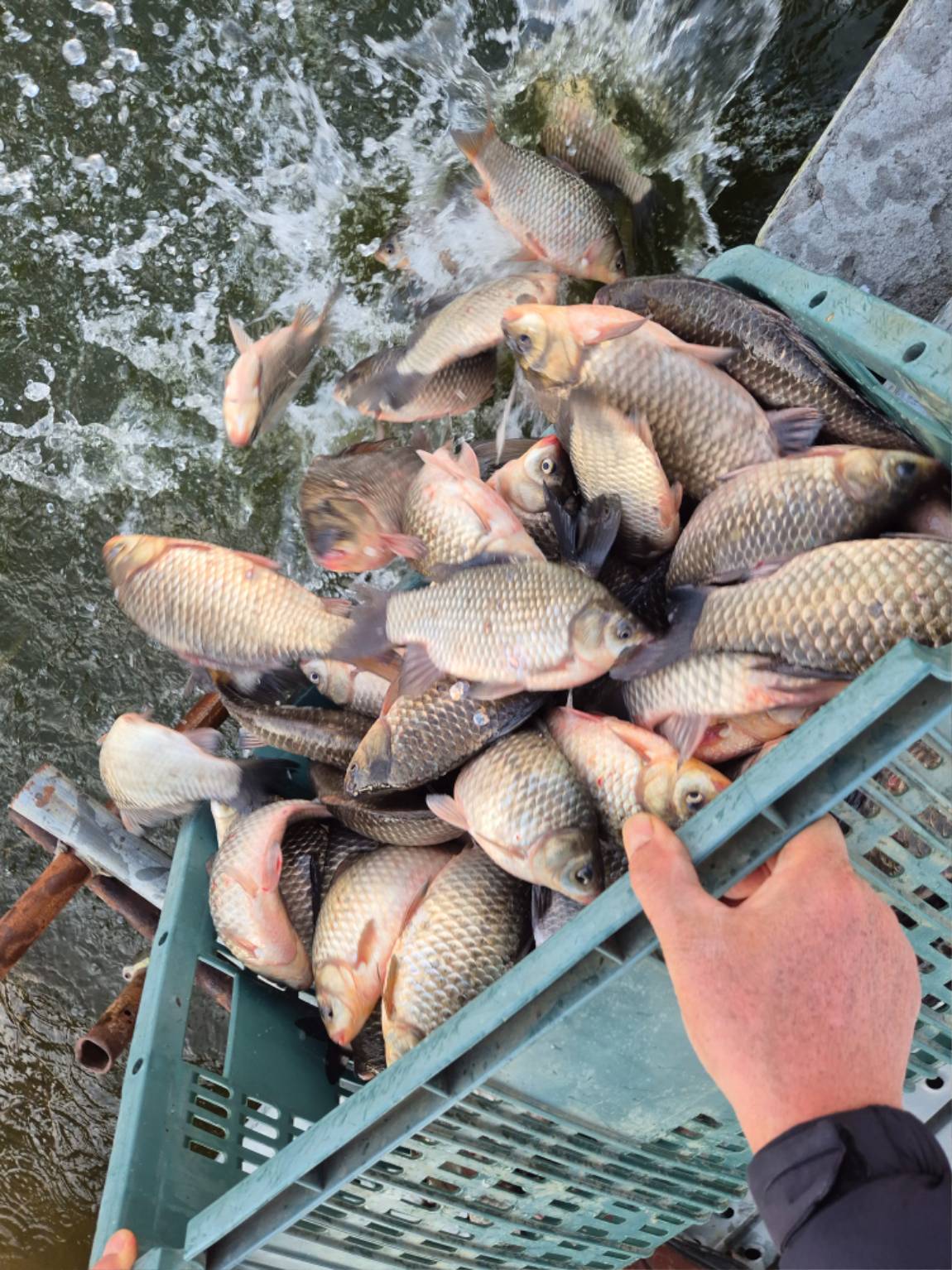
Àú´Â ´ë·®ÀÇ ¹æ·ù·Î ÀÚ¿øÁ¶¼º

¿©·¯ºÐÀº Àâ¾Æ ÁÖ½Ã¸é µË´Ï´Ù. ¹æ·ù´Â ¿¬ÀÏ ÁøÇà µË´Ï´Ù.

 

 

 

20260225_170624(1).jpg

 

ÀÚ°í·Î ¹æ·ù·®¿¡ µû¶ó

¾ÕÀ¸·Î ¾î¸Á ä¿ì´Â ±â»ÝÀÌ ´Þ¶ó Áö°ÚÁö¿ä.

 

 

 

20260225_170430.jpg

 

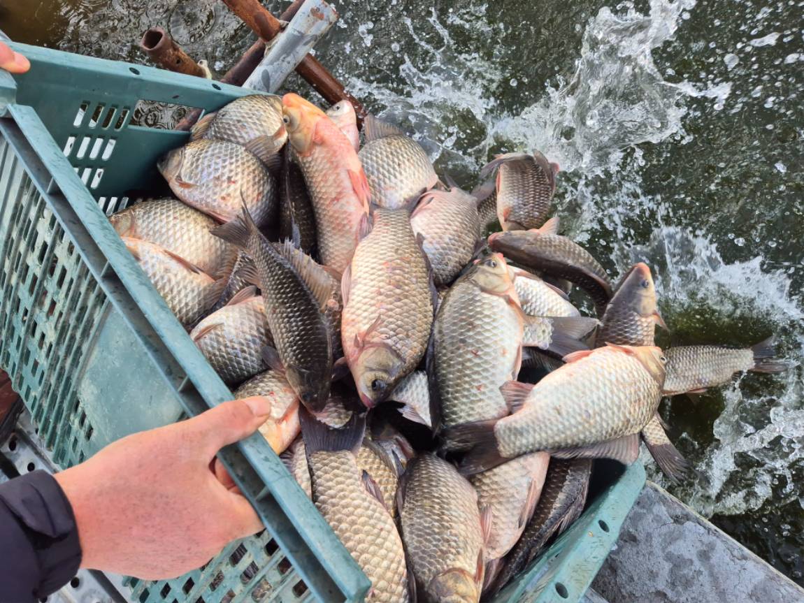
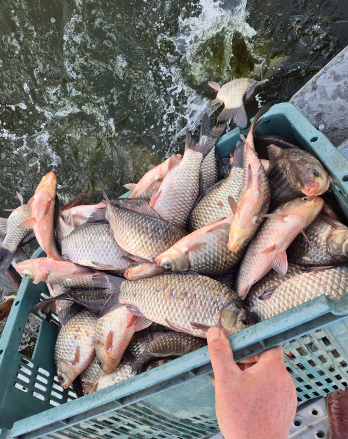
¾Æ·¡·Î Âß~~ 

¾ÕÀ¸·Î ¿©·¯ºÐÀÌ ÀâÀ» µ¢¾î¸®µé ±¸°æ ÇϽÃÁö¿ä.

 

 

 

20260225_170624(2).jpg

 

 

20260225_170623.jpg

 

 

20260225_170315.jpg

 

 

20260225_170624(0).jpg

 

 

20260225_170039.jpg

 

 

20260225_170622(0).jpg

 

 

20260225_170626(0).jpg

 

 

20260225_170621.jpg

 

 

20260225_170623(0).jpg

 

 

20260225_170625(0).jpg

 

 

20260225_170420.jpg

 

 

20260225_170624.jpg

 

 

20260225_170626.jpg

 




 

 * °¡²û ±¤°í¸¦ Ŭ¸¯ÇØ ºÁ ÁÖ½Ã¸é ³¬¶û »çÀÌÆ® ¿î¿µ¿¡ µµ¿òÀÌ µË´Ï´Ù ^^
  
ÃÑ 0°³ÀÇ ´ñ±ÛÀÌ ÀÖ½À´Ï´Ù.

    ´ñ±Û¾²±â     [·Î±×ÀÎ] | [ȸ¿ø°¡ÀÔ]
 
 
1243ÅäÁ¾ºØ¾î 4Â¥ ¸¶¸´¼ö Á¶È²Á¤º¸ ¼ºÈ£³¬½ÃÅÍÀÌõ. ¼ºÈ£³¬½ÃÅÍ26.03.10
1242Á¶È²Á¤º¸ ¹× ÅäÁ¾ºØ¾î ¹æ·ù ¼ºÈ£³¬½ÃÅÍ ÀÌõ. ¼ºÈ£³¬½ÃÅÍ26.03.09
1241±Ý¿äÀÏ ÀÌõ¼ºÈ£³¬½ÃÅÍ.¼ºÈ£³¬½ÃÅÍ26.03.06
1240¾î¼­¿Í! ¿À´Ã ³Ê¹« ÁÁÁö ÅäÁ¾ºØ¾î ´ë¹° ¹æ·ù ¼ºÈ£³¬½ÃÅÍ ÀÌõ.¼ºÈ£³¬½ÃÅÍ26.03.05
1239¼³¸íÇÒ ½Ã°£ÀÌ ¾ø¾î ¾î¼­ ¿Í. ÀÌõ ¼ºÈ£³¬½ÃÅÍ.¼ºÈ£³¬½ÃÅÍ26.03.04
1238¿¹¼úÀÌ¾ß ¿¹¼úÀÌ¾ß ÅäÁ¾ºØ¾î ´ë·®¹æ·ù ¼ºÈ£³¬½ÃÅÍ ÀÌõ.¼ºÈ£³¬½ÃÅÍ26.03.03
1237ÁÖ¸» Á¶È² ¹× ÅäÁ¾ºØ¾î ´ë·®¹æ·ù ¼ºÈ£³¬½ÃÅÍ ÀÌõ.¼ºÈ£³¬½ÃÅÍ26.03.02
1236À̺Рµû¶ó°¥ ¾î¸ÁÀÌ ¾ø´Â Á¶È² ¼ºÈ£³¬½ÃÅÍ ÀÌõ.¼ºÈ£³¬½ÃÅÍ26.03.01
123528ÀÏ ±Ý¿äÀÏ Á¶È²Á¤º¸ ¼ºÈ£³¬½ÃÅÍ.¼ºÈ£³¬½ÃÅÍ26.02.28
123428ÀÏ ±Ý¿äÀÏ Á¶È²Á¤º¸ ¼ºÈ£³¬½ÃÅÍ.¼ºÈ£³¬½ÃÅÍ26.02.28
12334Â¥ Á¶È² ¹× ´ë¹° ¹æ·ù ¼ºÈ£³¬½ÃÅÍ.¼ºÈ£³¬½ÃÅÍ26.02.27
1232Á¶È² ¹× ÅäÁ¾ºØ¾î ´ë¹° ¹æ·ù ¼ºÈ£³¬½ÃÅÍ.¼ºÈ£³¬½ÃÅÍ26.02.26
  1   2   3   4   5   6   7   8   9   10   

³¬½Ã»ç¶û¼Ò°³ | ¿À½Ã´Â±æ | ³¬½Ã»ç¶û¹è³Ê | ÀÌ¿ë¾à°ü | À̸ÞÀϹ«´Ü¼öÁý°ÅºÎ | °³ÀÎÁ¤º¸Ãë±Þ¹æÄ§ | ±Ç¸®Ä§ÇØ½Å°í¼¾ÅÍ
Copyright 1997~2022 (ÁÖ)À¥¶óÀÌÇÁ/³¬½Ã»ç¶û All rights reserved »ç¾÷ÀÚµî·Ï¹øÈ£ 110-81-42683
»ç¾÷Àå : ¼­¿ïƯº°½Ã ¿µµîÆ÷±¸ ¿µµîÆ÷·Î 374, 3Ãþ
[±¤°í/Á¦ÈÞ ¹× Ãßõ»óǰ µî·Ï¹®ÀÇ]     [³¬½ÃÅÍ ¹× ³¬½Ë¹è µî·Ï¹®ÀÇ]     [¹Î¿ø/°ÇÀÇ/½Å°í]     [¸ÞÀϹ®ÀÇ]     [¹®ÀÇ(FAX) 02-2634-2730]