ȸ¾ÏÁö À¯·á³¬½ÃÅÍ > ¾È¼º ȸ¾Ï³¬½ÃÅÍ Á¶È²Á¤º¸^^ : ³¬½Ã»ç¶û
ȸ¿ø°¡ÀÔ | ·Î±×ÀΠ| ½ÃÀÛÆäÀÌÁö | Áñ°Üã±â | ¹®ÀÇ/¿äû/½Å°í
³¬½ÃÅͼ±Åà | Àαâ°Ë»ö¾î | ¹Î¹°ÈÄ¿ø³¬½ÃÅÍ | ¹Ù´ÙÈÄ¿øÅÍ
 
¹Î¹°³¬½Ã | Á´ë/À¯·áÅÍ | ¹Ù´Ù³¬½Ã | ·ç¾î³¬½Ã | Ä¿¹Â´ÏƼ | ³¬¶ûŬ·´ | ³¬½Ã½ºÄð | Áß°íÀåÅÍ | ³¬½ÃQ&A | »ç¿ë±â/°­Á | ÃâÁ¶Á¤º¸ | °ø±¸/¿ëǰÁ¤º¸

 ½Ç½Ã°£³¬½ÃÅͼҽÄ(ÈÄ¿øÅÍ)

- º» °Ô½Ã¹°À» ¹«´Ü ´Ù¿î·Îµå, µµ¿ë, Àοë, ¸µÅ© ±ÝÁö. HOME >À¯·áÅÍÁ¤º¸ >½Ç½Ã°£³¬½ÃÅͼҽÄ(ÈÄ¿øÅÍ)
ȸ¾ÏÁö
ÀÛ¼ºÀÏ : 2026-04-08 16:04:15 / ÀϹÝÅÍ   

Á¦¸ñ l ȸ¾ÏÁö À¯·á³¬½ÃÅÍ > ¾È¼º ȸ¾Ï³¬½ÃÅÍ Á¶È²Á¤º¸^^ : ³¬½Ã»ç¶û

 

 

³Ð°í Æí¾ÈÇÑ Á´ë¿Í ÀßÁ¤µ·µÈ ÁÖº¯ ȯ°æ  È¸¾ÏÁö´Â Á¶»ç´Ô µé¿¡°Ô ¾Æ¸§´Ù¿î ³¬½ÃÅÍ·Î

°¢±¤À» ¹Þ°í ÀÖ½À´Ï´Ù^^


20260405_175703.jpg

 

 

20260405_182910.jpg

 

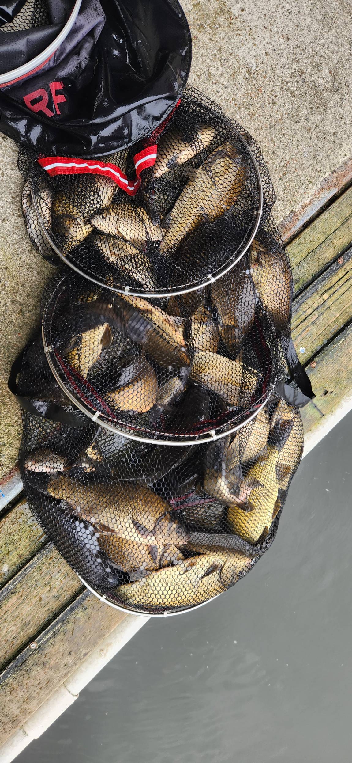
À̽ñâ ȸ¾ÏÁö  ¼Õ¸À ¸øº¸½Ã´Â Á¶»ç´ÔÀÌ ¾øÀ» Á¤µµ·Î  È¸¾ÏÁö ¿¡¼­´Â 

Æø¹ßÀû ÀÎ Á¶È²ÀÌ ÀÌ·ç¾î Áö°íÀÖ½À´Ï´Ù.

 

20260404_191240.jpg

 

 

20260404_191304.jpg

 

 

20260404_191315.jpg

 

ÀÌÁ¦ º»°Ý ÀûÀ¸·Î ½ÃÀÛ µÇ´Â ³¬½Ã ö¿¡ ÀÚ¿¬ ȯ°æÀÌ

¾Æ¸§ ´Ù¿î ȸ¾ÏÁö ¿¡¼­ ¾Æ¸§ ´Ù¿î ³¬½Ã Ãß¾ï ¸¸µå¼¼¿ä? 

 

20260404_090843.jpg

 

 

20260404_191240.jpg

 

 

20260328_163224.jpg

 

 

20260330_141400.jpg

 

 

20260404_213522.jpg

 

Á¶Ç×Àº ºñ±³Àû ÆòÀÏÀÌ ÁÁ°í^^

 

20260329_105103.jpg

 

 

20260329_105554.jpg

 

 

20260330_132229.jpg

 

   ½Ã°£ µÇ½Ã¸é ÁÖÁß¿¡ ÃâÁ¶ ÇÏ½Ã¾î ½Ã¿øÇÑ Âî¿Ã¸²°ú ¼Õ¸À º¸·¯ ¿À¼¼¿ä^^                                          

 

20260401_094328.jpg

 

 

20260408_090032.jpg

 

 

20260404_213519.jpg

 

 

20260401_094338.jpg

 

 

20260324_095242.jpg

 

¹þ²ÉÇÇ´Â À̹øÁÖ ÀÚ¿¬°ú ´õºÒ¾î ´çÂù¼Õ¸À º¸¼¼¿ä^^ 

 

20260329_105549.jpg

 

 

20260401_094338.jpg

 

 

20260329_105109.jpg

 

 

¾È¼º ȸ¾ÏÁö´Â µ¢¾î¸® »óÁÖº¸ ºØ¾î ±×¸®°í  ¿ùô¿¡¼­ Ç㸮±ÞÀº ÆÄ¶óÈ£ ÅäÁ¾ºØ¾î,

Ȳ±ÝºØ¾î ¹æ·ùÇϸç ÀâÀÌÅÍ ÀÔ´Ï´Ù.                              

³ëÁöÁ´ë ÀÔ¾î·á´Â 4¸¸¿øÀ̸ç Á´ë´Â ÀüÈ­ ¿¹¾à¸¸ ¹Þ°í ÀÖ½À´Ï´Ù.                                

¡Ø   Á´ë Åð½ÇÀº ¿ÀÀü 9½Ã ÀÌÀü  ÀÔ½ÇÀº  ¿ÀÀü11½Ã ÀÌÈÄ ÀÔ´Ï´Ù . 

Á¶È²¹®ÀÇ: 010  3852  4499   

ȸ¾ÏÁö: °æ±âµµ ¾È¼º½Ã ±¹»çºÀ·Î 680¹øÁö(±¸ ³»°­¸®528)   

 

*°øÁö»çÇ×

- Àú³á 7½ÃÀÌÈÄ ³¬½ÃÅÍ ÀÔÀå ¹× Â÷·®À̵¿ ºÒ°¡ÇÏ¿À´Ï Âü°í ¹Ù¶ø´Ï´Ù.

- ³¬½Ã´ë´Â 3.2Ä­´ë±îÁö 2´ë¸¸ »ç¿ë °¡´ÉÇÕ´Ï´Ù.

- ¹æ°¡·Î ÀÌ¿ë½Ã Ãë»ç±ÝÁö ¹× ºÐ¸®¼ö°Å ºÎʵ右´Ï´Ù.

- ³»¸² ³¬½Ã´Â ºÒ°¡ÇÕ´Ï´Ù.

- ³¬½Ã½Ã¼ö°ÇÀ» ²À ÁöÂüÇÏ¿© ¹æ¹® ºÎʵ右´Ï´Ù.

 - ¹æ°¡·Î ¿¹¾àÀº ¼±ºÒÀÔ´Ï´Ù. (ÀüÈ­ ¿¹¾à¸¸ °¡´É)

  °èÁ¹øÈ£: ³óÇù) 356-1236-4778-23 ¿©»ó¿±  

1725840236350.png


 * °¡²û ±¤°í¸¦ Ŭ¸¯ÇØ ºÁ ÁÖ½Ã¸é ³¬¶û »çÀÌÆ® ¿î¿µ¿¡ µµ¿òÀÌ µË´Ï´Ù ^^
  
ÃÑ 0°³ÀÇ ´ñ±ÛÀÌ ÀÖ½À´Ï´Ù.

    ´ñ±Û¾²±â     [·Î±×ÀÎ] | [ȸ¿ø°¡ÀÔ]
 
 
476¾È¼º ȸ¾Ï³¬½ÃÅÍ Á¶È²Á¤º¸^^ȸ¾ÏÁö26.04.08
475¾È¼º ȸ¾Ï³¬½ÃÅÍ Á¶È²Á¤º¸^^ȸ¾ÏÁö26.03.31
474¾È¼º ȸ¾Ï³¬½ÃÅÍ Á¶È²Á¤º¸^^ȸ¾ÏÁö26.03.23
473¾È¼º ȸ¾Ï³¬½ÃÅÍ Á¶È²Á¤º¸^^ȸ¾ÏÁö26.03.16
472¾È¼º ȸ¾Ï³¬½ÃÅÍ Á¶È²Á¤º¸^^ȸ¾ÏÁö26.03.02
471¾È¼ºÈ¸¾Ï³¬½ÃÅÍ Á¶È²Á¤º¸^^ȸ¾ÏÁö26.02.24
470¾È¼ºÈ¸¾Ï³¬½ÃÅÍ Á¶È²Á¤º¸^^ȸ¾ÏÁö26.02.17
469¾È¼ºÈ¸¾Ï³¬½ÃÅÍ Á¶È²Á¤º¸^^ȸ¾ÏÁö26.01.16
468¾È¼ºÈ¸¾Ï³¬½ÃÅÍ Á¶È²Á¤º¸^^ȸ¾ÏÁö25.12.28
467¾È¼ºÈ¸¾Ï³¬½ÃÅÍ Á¶È²Á¤º¸^^ȸ¾ÏÁö25.12.25
466¾È¼ºÈ¸¾Ï³¬½ÃÅÍ Á¶È²Á¤º¸^^ȸ¾ÏÁö25.12.10
465¾È¼ºÈ¸¾Ï³¬½ÃÅÍ Á¶È²Á¤º¸^^ȸ¾ÏÁö25.11.27
  1   2   3   4   5   6   7   8   9   10   

³¬½Ã»ç¶û¼Ò°³ | ¿À½Ã´Â±æ | ³¬½Ã»ç¶û¹è³Ê | ÀÌ¿ë¾à°ü | À̸ÞÀϹ«´Ü¼öÁý°ÅºÎ | °³ÀÎÁ¤º¸Ãë±Þ¹æÄ§ | ±Ç¸®Ä§ÇØ½Å°í¼¾ÅÍ
Copyright 1997~2022 (ÁÖ)À¥¶óÀÌÇÁ/³¬½Ã»ç¶û All rights reserved »ç¾÷ÀÚµî·Ï¹øÈ£ 110-81-42683
»ç¾÷Àå : ¼­¿ïƯº°½Ã ¿µµîÆ÷±¸ ¿µµîÆ÷·Î 374, 3Ãþ
[±¤°í/Á¦ÈÞ ¹× Ãßõ»óǰ µî·Ï¹®ÀÇ]     [³¬½ÃÅÍ ¹× ³¬½Ë¹è µî·Ï¹®ÀÇ]     [¹Î¿ø/°ÇÀÇ/½Å°í]     [¸ÞÀϹ®ÀÇ]     [¹®ÀÇ(FAX) 02-2634-2730]