Åë»ï³¬½ÃÅÍ À¯·á³¬½ÃÅÍ > °¡À»ÀÌ ´Ù°¡¿Â Åë»ï¿¡¼­ ¼Õ¸À Âî¸À Áñ±â¼¼¿ä~ : ³¬½Ã»ç¶û
ȸ¿ø°¡ÀÔ | ·Î±×ÀΠ| ½ÃÀÛÆäÀÌÁö | Áñ°Üã±â | ¹®ÀÇ/¿äû/½Å°í
³¬½ÃÅͼ±Åà | Àαâ°Ë»ö¾î | ¹Î¹°ÈÄ¿ø³¬½ÃÅÍ | ¹Ù´ÙÈÄ¿øÅÍ
 
¹Î¹°³¬½Ã | Á´ë/À¯·áÅÍ | ¹Ù´Ù³¬½Ã | ·ç¾î³¬½Ã | Ä¿¹Â´ÏƼ | ³¬¶ûŬ·´ | ³¬½Ã½ºÄð | Áß°íÀåÅÍ | ³¬½ÃQ&A | »ç¿ë±â/°­Á | ÃâÁ¶Á¤º¸ | °ø±¸/¿ëǰÁ¤º¸

 ½Ç½Ã°£³¬½ÃÅͼҽÄ(ÈÄ¿øÅÍ)

- º» °Ô½Ã¹°À» ¹«´Ü ´Ù¿î·Îµå, µµ¿ë, Àοë, ¸µÅ© ±ÝÁö. HOME >À¯·áÅÍÁ¤º¸ >½Ç½Ã°£³¬½ÃÅͼҽÄ(ÈÄ¿øÅÍ)
Åë»ï³¬½ÃÅÍ
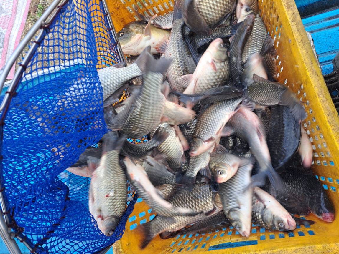
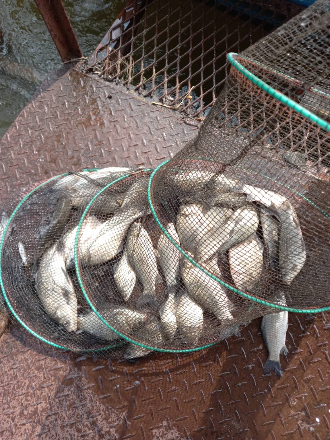
ÀÛ¼ºÀÏ : 2025-10-27 10:34:57 / Àú¼öÁö / °æ±â ¿ëÀνà Åë»ï³¬½ÃÅÍ   

Á¦¸ñ l Åë»ï³¬½ÃÅÍ À¯·á³¬½ÃÅÍ > °¡À»ÀÌ ´Ù°¡¿Â Åë»ï¿¡¼­ ¼Õ¸À Âî¸À Áñ±â¼¼¿ä~ : ³¬½Ã»ç¶û

¸Ö¾îÁö´Â °¡À»À» ¸¶À½°Í Áñ±â°í °è½ÅÁö¿ä??

 

¿À´Ã¾ÆÄ§Àº ÇÑÆÄ ÁÖÀǺ¸¿¡...ÁøÂ¥ °Ü¿ï ±Ý¹æ

 

¿À³×¿ä....±× ±æ´ø ¿©¸§ÀÌ ³¡³ª°í ªµð ªÀº

 

°¡À»Àº ½ºÃİ¡´Âµí ÇÕ´Ï´Ù ¤¾¤¾¤¾

 

±×·¡µµ ¾ÆÁ÷ °¡À»ÀÇ µÞÀÚ¶ô!! 

 

°¡À» ºØ¾î Áñ±â·¯ Åë»ïÀ¸·Î ¿À¼¼¿ä~~

 

³»³â º½À» À§Çؼ­¶óµµ Áö¼Ó ¹æ·ùÁßÀÔ´Ï´Ù^^

 

°¨»çÇÕ´Ï´Ù~  

 

 

-  °Ü ¿ï ö   ¹° ´ë Æ÷  ºØ ¾î ³¬ ½Ã  Áö ¼Ó ÇÕ ´Ï ´Ù  -

 

- µ¿Àý±â ÇÒÀο¹Á¤ ½Ã±â ȨÆäÀÌÁö °øÁöÇß½À´Ï´Ù -

 

- Åë»ï³¬½ÃÅÍ °Ë»ö °øÁö È®ÀκÎŹµå¸³´Ï´Ù -

 

 

a¤¡1Åë»ï 2023.png

 

 

KakaoTalk_20251027_092825611.jpg

 

 

KakaoTalk_20251027_092825611_01.jpg

 

 

KakaoTalk_20251027_092825611_02.jpg

 

 

KakaoTalk_20251027_092825611_04.jpg

 

 

KakaoTalk_20251027_092825611_05.jpg

 

 

KakaoTalk_20251027_092825611_06.jpg

 

 

KakaoTalk_20251027_092825611_07.jpg

 

 

KakaoTalk_20251027_092825611_08.jpg

 

 

KakaoTalk_20251027_092825611_09.jpg

 

 

KakaoTalk_20251027_092825611_10.jpg

 

 

KakaoTalk_20251027_092825611_11.jpg

 

 

KakaoTalk_20251027_092825611_12.jpg

 

 

KakaoTalk_20251027_092825611_13.jpg

 

 

KakaoTalk_20251027_092825611_14.jpg

 

 

KakaoTalk_20251027_092825611_15.jpg

 

 

KakaoTalk_20251027_092825611_16.jpg

 

 

KakaoTalk_20251027_092835126.jpg

 

 

KakaoTalk_20251027_092835126_01.jpg

 


 * °¡²û ±¤°í¸¦ Ŭ¸¯ÇØ ºÁ ÁÖ½Ã¸é ³¬¶û »çÀÌÆ® ¿î¿µ¿¡ µµ¿òÀÌ µË´Ï´Ù ^^
  
ÃÑ 0°³ÀÇ ´ñ±ÛÀÌ ÀÖ½À´Ï´Ù.

    ´ñ±Û¾²±â     [·Î±×ÀÎ] | [ȸ¿ø°¡ÀÔ]
 
 
512°¡À»ÀÌ ´Ù°¡¿Â Åë»ï¿¡¼­ ¼Õ¸À Âî¸À Áñ±â¼¼¿ä~ Åë»ï³¬½ÃÅÍ25.10.27
511¾ÆÁ÷Àº °¡À»!!! °¡±î¿î Åë»ï³¬½ÃÅÍ·Î °¡À»ºØ¾î º¸·¯ ¿À¼¼¿ä^^Åë»ï³¬½ÃÅÍ25.10.25
510°¡À»ÀÌ ´Ù°¡¿Â Åë»ï¿¡¼­ ¼Õ¸À Âî¸À Áñ±â¼¼¿ä~(°Ü¿ï ¹°´ëÆ÷ ºØ¾î³¬½Ã ¿î..Åë»ï³¬½ÃÅÍ25.10.13
509°¡À»ÀÌ ´Ù°¡¿Â Åë»ï¿¡¼­ ÅäÁ¾ ºØ¾î ¼Õ¸À Âî¸À Áñ±â¼¼¿ä~(Ãß¼®¿¬ÈÞ Á¤..Åë»ï³¬½ÃÅÍ25.10.09
508Ãß¼® ¿¬ÈÞ Á¤»ó¿µ¾÷ÇÕ´Ï´Ù~ °¡±î¿î Åë»ïÀ¸·Î ³ªµéÀÌ ¿À¼¼¿ä^^Åë»ï³¬½ÃÅÍ25.10.04
507Ãß¼® ¿¬ÈÞ Á¤»ó¿µ¾÷ÇÕ´Ï´Ù~ °¡±î¿î Åë»ïÀ¸·Î ³ªµéÀÌ ¿À¼¼¿ä^^Åë»ï³¬½ÃÅÍ25.10.03
506Ãß¼® ¿¬ÈÞ Á¤»ó¿µ¾÷ÇÕ´Ï´Ù~ °¡±î¿î Åë»ïÀ¸·Î ³ªµéÀÌ ¿À¼¼¿ä^^Åë»ï³¬½ÃÅÍ25.10.01
505Ãß¼® ¿¬ÈÞ Á¤»ó¿µ¾÷ÇÕ´Ï´Ù~ °¡±î¿î Åë»ïÀ¸·Î ³ªµéÀÌ ¿À¼¼¿ä^^Åë»ï³¬½ÃÅÍ25.09.29
504°¡À»ÀÌ ´Ù°¡¿Â Åë»ï¿¡¼­ ¼Õ¸À Âî¸À Áñ±â¼¼¿ä~(Ãß¼®¿¬ÈÞ Á¤»ó¿µ¾÷)Åë»ï³¬½ÃÅÍ25.09.28
503°¡À»ÀÌ ´Ù°¡¿Â Åë»ï¿¡¼­ ¼Õ¸À Âî¸À Áñ±â¼¼¿ä~(Ãß¼®¿¬ÈÞ Á¤»ó¿µ¾÷)Åë»ï³¬½ÃÅÍ25.09.25
502°¡À»ÀÌ ´Ù°¡¿Â Åë»ï¿¡¼­ ¼Õ¸À Âî¸À Áñ±â¼¼¿ä~(Ãß¼®¿¬ÈÞ Á¤»ó¿µ¾÷)Åë»ï³¬½ÃÅÍ25.09.18
501°¡À»ÀÌ ´Ù°¡¿Â Åë»ï¿¡¼­ ÅäÁ¾ ºØ¾î ¼Õ¸À Âî¸À Áñ±â¼¼¿ä~(Ãß¼®¿¬ÈÞ Á¤..Åë»ï³¬½ÃÅÍ25.09.15
  1   2   3   4   5   6   7   8   9   10   

³¬½Ã»ç¶û¼Ò°³ | ¿À½Ã´Â±æ | ³¬½Ã»ç¶û¹è³Ê | ÀÌ¿ë¾à°ü | À̸ÞÀϹ«´Ü¼öÁý°ÅºÎ | °³ÀÎÁ¤º¸Ãë±Þ¹æÄ§ | ±Ç¸®Ä§ÇØ½Å°í¼¾ÅÍ
Copyright 1997~2022 (ÁÖ)À¥¶óÀÌÇÁ/³¬½Ã»ç¶û All rights reserved »ç¾÷ÀÚµî·Ï¹øÈ£ 110-81-42683
»ç¾÷Àå : ¼­¿ïƯº°½Ã ¿µµîÆ÷±¸ ¿µµîÆ÷·Î 374, 3Ãþ
[±¤°í/Á¦ÈÞ ¹× Ãßõ»óǰ µî·Ï¹®ÀÇ]     [³¬½ÃÅÍ ¹× ³¬½Ë¹è µî·Ï¹®ÀÇ]     [¹Î¿ø/°ÇÀÇ/½Å°í]     [¸ÞÀϹ®ÀÇ]     [¹®ÀÇ(FAX) 02-2634-2730]