µ¿±³³¬½ÃÅÍÀÔ´Ï´Ù
¾È³çÇϼ¼¿ä
µ¿±³³¬½ÃÅ͸¦ ã¾ÆÁÖ½Å
¸ðµç Á¶»ç´Ôµé²² °¨»çµå¸³´Ï´Ù
³¯¾¾°¡ À̹øÁÖ¿¡µµ
ÁÖÃÊ¿¡´Â Ãß¿ü´Ù°¡ ÁÖÁߺÎÅÍ´Â
¿Âµµ°¡ ¿Ã¶ó°£´Ù°í ÇÕ´Ï´Ù
Áö³ÁÖº¸´Ù ¹Ù¶÷ÀÌ ¾ÈºÒ¾î¼ ±×·±Áö
±×¸® ÃäÁö´Â ¾ÊÀº°Å°°½À´Ï´Ù
Á¶È²Àº
¾ÆÁÖ ÁÁÁö´Â ¾Ê¾Ò´Âµ¥¿ä
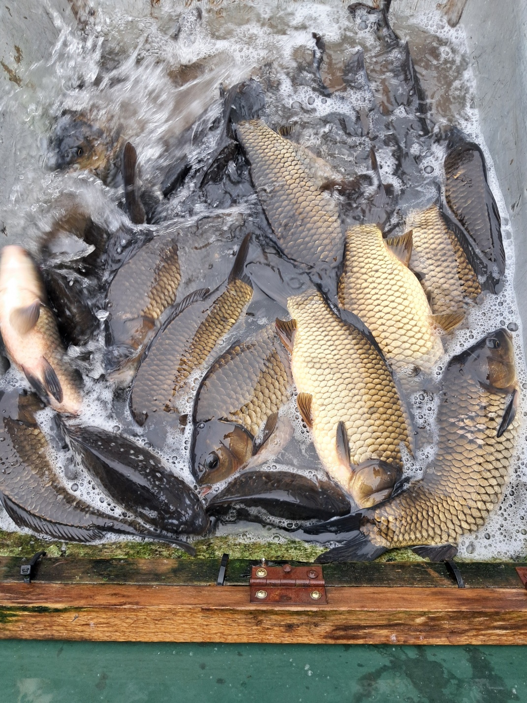
ÃÖ´ë¾î°¡ 6Â¥°¡ ³ª¿Ô½À´Ï´Ù
³¬½Ã¿À½Ç¶§
ÆÐµùÀá¹Ù¿Í ¹æÇÑ¿ëǰÀº
ì°Ü¿À½Ê½Ã¿ä
°¨»çÇÕ´Ï´Ù~~~






Åä¿äÀÏ¿¡ ÃÖ´ë¾î°¡ 66¼¾Æ¼°¡ ³ª¿Ô¾î¿ä
´ë¹Ú~~~ Á¤¸» ¾î¸¶¾î¸¶ÇÏ°Ô Å©³×¿©~~~
Âü°í·Î À̺ÐÀº 23³âµµ¿¡ 2¹øÀ̳ª ³¬½Ã´ë¸¦ ¹ÞÀ¸¼Ì´ø Á¶»ç´ÔÀ̽ʴϴÙ
¾îº¹ÀÌ ÀÖÀ¸½Å°¡ºÁ¿ä~~~




ÃÖ´ë¾î65¼¾Æ¼ÀÔ´Ï´Ù
6Â¥¸¦ ÀâÀ¸¼Ì´Âµ¥ Àü³¯ 66¼¾Æ¼¿¡ ¹Ð¸®´Ù´Ï¿ä¤Ì¤Ì



ÃàÇϵ帳´Ï´Ù
10¿ù ÃÖ´ë¾î 49.5¼¾Æ¼¿´¾î¿ä








*µ¿±³³¬½ÃÅÍ´Â 3.2ÄÀÌÇÏ 2´ë·Î Á¦ÇÑÇÕ´Ï´Ù.
*±³´ë(µ¹¸²),´ë¸®³¬½Ã,ÁßÃþ(³»¸²)³¬½Ã±ÝÁöÇÕ´Ï´Ù.
*ÀüÁÂ´ë ½áÄ¡»ç¿ëÀ» ±ÝÁöÇÕ´Ï´Ù.
*¹æ°¥·Î ¾Ö¿Ïµ¿¹°±ÝÁöÇÕ´Ï´Ù.
*¹æ°¥·Î Ãë»ç±ÝÁöÇÕ´Ï´Ù.
*¹æ°¥·Î Ãß°¡Àοø1¸í´ç 1¸¸¿øÃß°¡ÀÔ´Ï´Ù.
![4205_18090308315886186_18090308352092510[1].png](https://www.fishnet.co.kr/data/C050_16/202207/20220711180513_tzpb.png)
1ÀοëÁ´빮Àǰ¡ ¸¹À¸½Åµ¥¿ä
*µ¿±³³¬½ÃÅÍ´Â 1ÀÎ¿ë¹æ°¥·Î°¡ ¾ø½À´Ï´Ù*
ÆòÀÏ 2Àι氥·Î 1À㬽ÃÇÏ½Ã¸é ¹æ°¥·Îºñ¿ë : 7¸¸¿ø
ÆòÀÏ 2Àι氥·Î 1Àγ¬½Ã µ¿¹Ý1ÀÎ ¹æ°¥·Îºñ¿ë : 8¸¸¿ø
ÁÖ¸» °øÈÞÀÏ 2Àι氥·Î 1À㬽ÃÇÏ½Ã¸é ¹æ°¥·Îºñ¿ë : 10¸¸¿ø
ÁÖ¸» °øÈÞÀÏ 2Àι氥·Î 1Àγ¬½Ã µ¿¹Ý1ÀÎ ¹æ°¥·Îºñ¿ë : 12¸¸¿ø
*¹æ°¥·Î ¿¹¾àÇϽǶ§ Âü°íÇØÁּſä*




µ¿±³¹ä»óÀº »ý¼±±¸ÀÌ¿Í ±èÄ¡Âî°³
µ¿±³Á¦À°¹ä»óÀº Á¦À°ººÀ½°ú µÈÀåÂî°³
¼¼Æ®·Î µÇ¾îÀÖ½À´Ï´Ù
´ß¿ä¸®´Â 1½Ã°£Àü¿¡ ¹Ì¸® ÁÖ¹®ºÎʵ右´Ï´Ù
°¨»çÇÕ´Ï´Ù


|
|
* °¡²û ±¤°í¸¦ Ŭ¸¯ÇØ ºÁ ÁÖ½Ã¸é ³¬¶û »çÀÌÆ® ¿î¿µ¿¡ µµ¿òÀÌ µË´Ï´Ù ^^
|
|
|
ÃÑ 0°³ÀÇ ´ñ±ÛÀÌ ÀÖ½À´Ï´Ù.
|
|