

¾î´Àµ¡ °Ü¿ïÀÇ ¹®Åο¡ ¿Í ÀÖ½À´Ï´Ù
³Ê¹« ´þ´Ù ÇÑ°Ô ¾îÁ¦ °°Àºµ¥ Âü ºü¸¨´Ï´Ù
°Ü¿ïö¿¡µµ °è¼Ó ¿î¿µÀ» ÇÕ´Ï´Ù Âü°í¹Ù¶ø´Ï´Ù
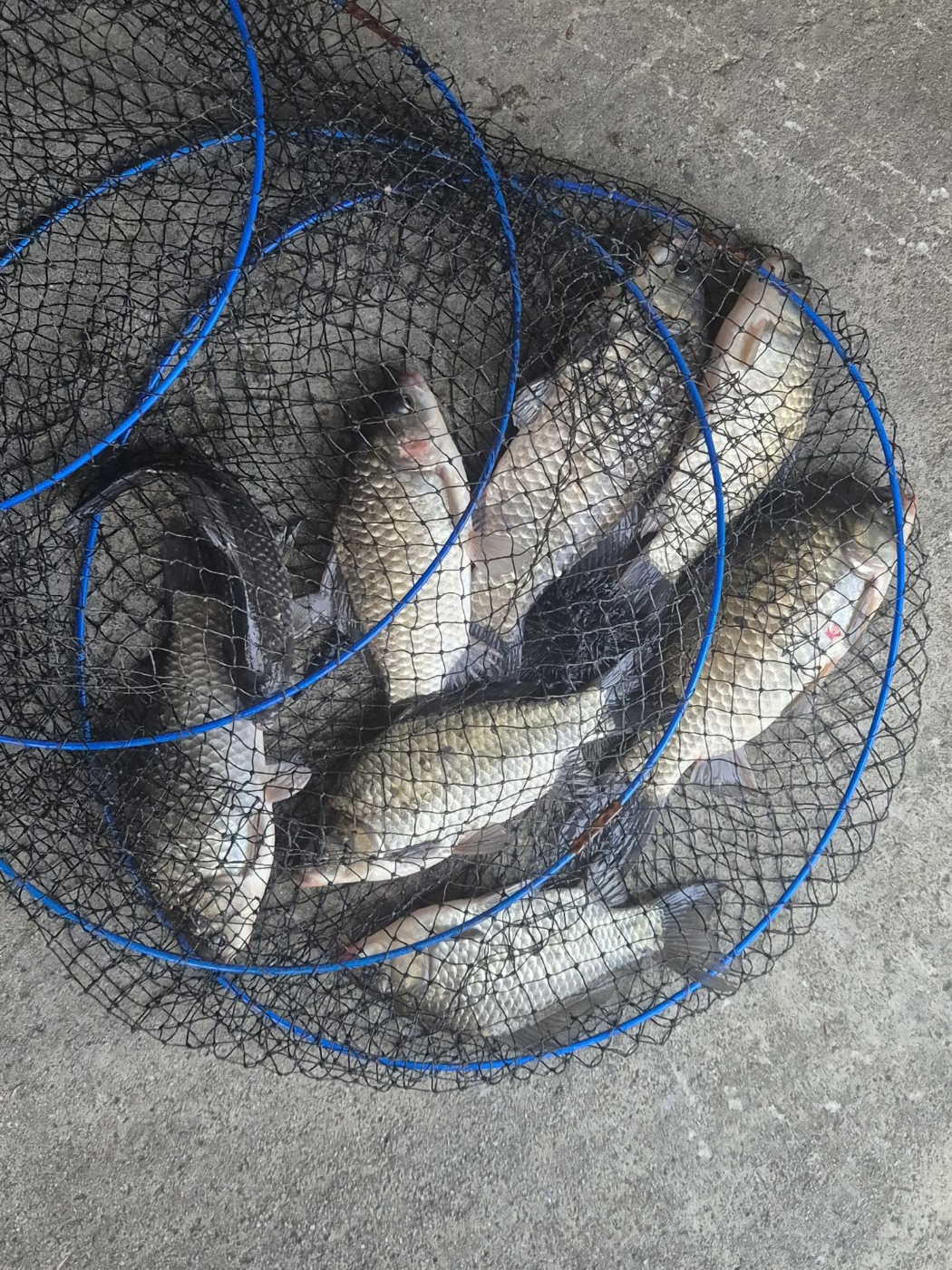
ÀÌÁ¦ ¸¶¸´¼ö Á¶È²º¸´Ù´Â ´ë¹°ºØ¾îµéÀÌ ¿Ã¶ó¿À±¸ ÀÖ½À´Ï´Ù
ÀÌ»Û ÅäÁ¾ ´ë¹°À» ¸¸ ³ªº¸½Ã±â ¹Ù¶ø´Ï´Ù
°¨»çÇÕ´Ï´Ù


|
|
* °¡²û ±¤°í¸¦ Ŭ¸¯ÇØ ºÁ ÁÖ½Ã¸é ³¬¶û »çÀÌÆ® ¿î¿µ¿¡ µµ¿òÀÌ µË´Ï´Ù ^^
|
|
|
ÃÑ 0°³ÀÇ ´ñ±ÛÀÌ ÀÖ½À´Ï´Ù.
|
|