¼ºÈ£³¬½ÃÅÍ À¯·á³¬½ÃÅÍ > 11¿ù18ÀÏ È­¿äÀÏ Á¶È²Á¤º¸ ¼ºÈ£³¬½ÃÅÍ. : ³¬½Ã»ç¶û
ȸ¿ø°¡ÀÔ | ·Î±×ÀΠ| ½ÃÀÛÆäÀÌÁö | Áñ°Üã±â | ¹®ÀÇ/¿äû/½Å°í
³¬½ÃÅͼ±Åà | Àαâ°Ë»ö¾î | ¹Î¹°ÈÄ¿ø³¬½ÃÅÍ | ¹Ù´ÙÈÄ¿øÅÍ
 
¹Î¹°³¬½Ã | Á´ë/À¯·áÅÍ | ¹Ù´Ù³¬½Ã | ·ç¾î³¬½Ã | Ä¿¹Â´ÏƼ | ³¬¶ûŬ·´ | ³¬½Ã½ºÄð | Áß°íÀåÅÍ | ³¬½ÃQ&A | »ç¿ë±â/°­Á | ÃâÁ¶Á¤º¸ | °ø±¸/¿ëǰÁ¤º¸

 ½Ç½Ã°£³¬½ÃÅͼҽÄ(ÈÄ¿øÅÍ)

- º» °Ô½Ã¹°À» ¹«´Ü ´Ù¿î·Îµå, µµ¿ë, Àοë, ¸µÅ© ±ÝÁö. HOME >À¯·áÅÍÁ¤º¸ >½Ç½Ã°£³¬½ÃÅͼҽÄ(ÈÄ¿øÅÍ)
¼ºÈ£³¬½ÃÅÍ
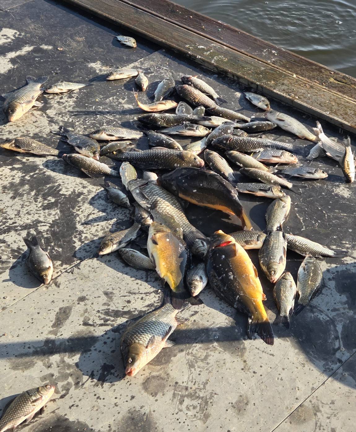
ÀÛ¼ºÀÏ : 2025-11-18 08:44:01 / Àú¼öÁö / °æ±â ÀÌõ½Ã ¼ºÈ£³¬½ÃÅÍ ÀÌõ   

Á¦¸ñ l ¼ºÈ£³¬½ÃÅÍ À¯·á³¬½ÃÅÍ > 11¿ù18ÀÏ È­¿äÀÏ Á¶È²Á¤º¸ ¼ºÈ£³¬½ÃÅÍ. : ³¬½Ã»ç¶û

 

1763373490955.jpg

 

ÁÂ´ë »çÀÌÁî ÁÁÀº ¸¶¸´¼ö¾î¸Á 
³¯¾¾ »ó°ü¾øÀÌ Àâ¾Æ ³»¼Ì³×¿ä.
 

 

1763266557035.jpg

 

 ´ë¹Ú ¸¶¸´¼ö ¾î¸Á ÁÖÀΰø

ÃàÇÏÇÕ´Ï´Ù.

 
 

 

20251115_171302.jpg

 

 

 

20251115_171242.jpg

 

 

 

20251115_170955.jpg

 

 

20251116_075248.jpg

 

 

20251115_171053.jpg

 

 

1763373498627.jpg

 

»çÀÌÁî ÁÁÀº µ¢¾î¸® ÀÎÁõ¼¦
 ¸¹ÀÌ º¸³» Áּ̳׿ä.
°¨»çÇÕ´Ï´Ù.

 

 

1763266557487.jpg

 

 

20251115_171257.jpg


 

20251115_171251.jpg

 

 

 

20251115_170939.jpg

 

 

20251115_171059.jpg

 

 

20251116_075047.jpg

 

 

20251116_075439.jpg

 

 

Resized_20251116_085408_1763268936061.jpeg

 

 

Resized_20251116_085349_1763268935392.jpeg

 

 

Resized_20251116_085408_1763268936061(1).jpeg

 

 

Resized_20251116_074010(1).jpeg

 

 

Resized_20251116_074010.jpeg

 

 

1763266557686.jpg

 

 

Resized_20251116_085349_1763268935392(1).jpeg

 

 

Resized_20251116_085223_1763268939048.jpeg

 

 

Screenshot_20251116_142602_Messages.jpg

 

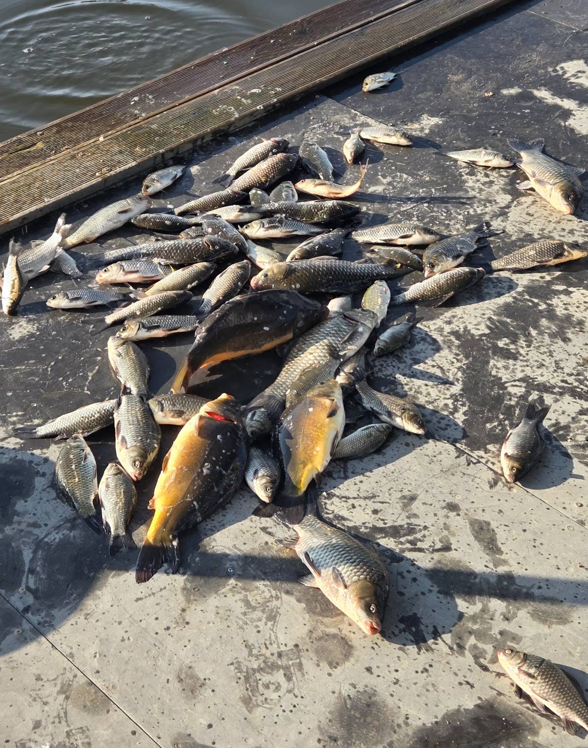
Áö±Ý ºÎÅÍ °Ü¿ï³»³» 

´ë·®ÀÇ ¹æ·ù·Î ¼Õ¸À º¸½Ç¼ö ÀÖµµ·Ï

ÇϰڽÀ´Ï´Ù.

 

³»³â 2026³â °³Àå¶§ ºË°Ú½À´Ï´Ù.

°¨»çÇÕ´Ï´Ù.

 

 

 

 

 

20251115_170933.jpg

 

 

20251115_170943.jpg

 

 

20251115_170945.jpg

 

 

20251115_170952.jpg

 

 

20251115_171101.jpg

 

 

20251116_075426.jpg

 

 

20251116_075449.jpg

 

 

20251116_075620.jpg

 

 

20251116_075640.jpg

 

 




 

 * °¡²û ±¤°í¸¦ Ŭ¸¯ÇØ ºÁ ÁÖ½Ã¸é ³¬¶û »çÀÌÆ® ¿î¿µ¿¡ µµ¿òÀÌ µË´Ï´Ù ^^
  
ÃÑ 0°³ÀÇ ´ñ±ÛÀÌ ÀÖ½À´Ï´Ù.

    ´ñ±Û¾²±â     [·Î±×ÀÎ] | [ȸ¿ø°¡ÀÔ]
 
 
1225¾Æ~µà 2025³â ¼ºÈ£³¬½ÃÅÍ.¼ºÈ£³¬½ÃÅÍ25.12.03
1224±Ý¿äÀÏ 11¿ù28ÀÏ ¼ºÈ£³¬½ÃÅÍ.¼ºÈ£³¬½ÃÅÍ25.11.28
1223¼ö¿äÀÏ 26ÀÏ ¼ºÈ£³¬½ÃÅÍ.¼ºÈ£³¬½ÃÅÍ25.11.26
1222¹®È­´©¸®Ä«µå»ç¿ëó ÀÌõ ¼ºÈ£³¬½ÃÅÍ.¼ºÈ£³¬½ÃÅÍ25.11.24
1221³¬½Ã´Â ¹ã³¬½Ã Á´볬½Ã ÀÌõ ¼ºÈ£³¬½ÃÅÍ.¼ºÈ£³¬½ÃÅÍ25.11.22
1220¹®È­´©¸®Ä«µå»ç¿ëó ÀÌõ ¼ºÈ£³¬½ÃÅÍ.¼ºÈ£³¬½ÃÅÍ25.11.21
1219¸ñ¿äÀÏ 11¿ù20ÀÏ ¼ºÈ£³¬½ÃÅÍ.¼ºÈ£³¬½ÃÅÍ25.11.20
121811¿ù18ÀÏ È­¿äÀÏ Á¶È²Á¤º¸ ¼ºÈ£³¬½ÃÅÍ.¼ºÈ£³¬½ÃÅÍ25.11.18
1217¸ñ¿äÀÏ 11¿ù13ÀÏ ¼ºÈ£³¬½ÃÅÍ.¼ºÈ£³¬½ÃÅÍ25.11.13
1216¼ºÈ£³¬½ÃÅÍ È­¿äÀÏ Á¶È²Á¤º¸.¼ºÈ£³¬½ÃÅÍ25.11.11
1215ÀÌõ ¼ºÈ£³¬½ÃÅͼºÈ£³¬½ÃÅÍ25.11.10
1214±Ý¿äÀÏ Á¶È²Á¤º¸ ¼ºÈ£³¬½ÃÅÍ.¼ºÈ£³¬½ÃÅÍ25.11.07
  1   2   3   4   5   6   7   8   9   10   

³¬½Ã»ç¶û¼Ò°³ | ¿À½Ã´Â±æ | ³¬½Ã»ç¶û¹è³Ê | ÀÌ¿ë¾à°ü | À̸ÞÀϹ«´Ü¼öÁý°ÅºÎ | °³ÀÎÁ¤º¸Ãë±Þ¹æÄ§ | ±Ç¸®Ä§ÇØ½Å°í¼¾ÅÍ
Copyright 1997~2022 (ÁÖ)À¥¶óÀÌÇÁ/³¬½Ã»ç¶û All rights reserved »ç¾÷ÀÚµî·Ï¹øÈ£ 110-81-42683
»ç¾÷Àå : ¼­¿ïƯº°½Ã ¿µµîÆ÷±¸ ¿µµîÆ÷·Î 374, 3Ãþ
[±¤°í/Á¦ÈÞ ¹× Ãßõ»óǰ µî·Ï¹®ÀÇ]     [³¬½ÃÅÍ ¹× ³¬½Ë¹è µî·Ï¹®ÀÇ]     [¹Î¿ø/°ÇÀÇ/½Å°í]     [¸ÞÀϹ®ÀÇ]     [¹®ÀÇ(FAX) 02-2634-2730]