Ç⸮Áö Á¶È² ´ë¹ÚÀ̾ú½À´Ï´Ù.
¾îÁ¬¹ã ÁÖÀΰøÀº ½Å½ÂÈ£Á¶»ç´ÔÀÔ´Ï´Ù. ³¬½Ã»ç¶û ÀÎõÁöºÎ ¸â¹öÀ̱⵵ ÇϽŵ¥ BÁ¸ Àü¿øÁÖÅà ¾Æ½Ã¹ÙÆ÷ÀÎÆ®¿¡¼ ¿ÀÈÄ2½Ã°æºÎÅÍ 4Â¥¸¦ Àâ¾Æ³»¸ç ½ºÅ¸Æ®¸¦ ÇϽôõ´Ï 4Â¥ 3¸¶¸® Æ÷ÇÔ 13¼öÇϼ̽À´Ï´Ù. èÁú¿¡¼ ¹Ù´Ã ÅÍÁø °Ô 5¹øÀ̶ó°í Çϳ׿ä. ÀÌ ºÐÀº ƯÀÌÇÑ °Ô ³·¿¡ ¸¹ÀÌ Àâ°í ¹ã12¿¡ ÁÖ¹«½Å´Ù°í ÇϽʴϴÙ. äºñµµ µ¶Æ¯ÇÑ°Ô ½ºÀ§Æ®ÄÜÀº ¾È ¾²°í ¿Á¼ö¼ö±Û·çÅÙ¿¡ µþ±â±Û·çÅÙ ¾à°£ ¼¯¾î¼ ÇѴٳ׿ä. Çѹ濡 5,6,7¹øÂ° 4Â¥ºØ¾î Àâ°í ÀÌÆ±³¯ 8¹øÂ° 4Â¥ºØ¾î Àâ¾Æ¼ ÇöÀç 4Â¥ 4¸¶¸®·Î ÀúÈñ ³¬½ÃÅÍ ·©Å· 1À§¿¡ µî±ØÇß½À´Ï´Ù. ¹«·áÄíÆù°ú ½ºÀ§Æ®ÄÜ Áö±ÞÇß½À´Ï´Ù. ÃàÇϵ帳´Ï´Ù.
Ç⸮²Û À±¾çÇå Á¶»ç´Ô Â÷¹Ù´ÚÆ÷ÀÎÆ®¿¡¼ 39¼¾Æ¼Æ÷ÇÔ µ¢¾î¸® 12¼öÇϼ̽À´Ï´Ù. ´ë´ÜÇÕ´Ï´Ù. ºØ¾î Åä½ÇÅä½ÇÇÑ°Ô Á¤¸» À̻ڳ׿ä. ¿ª½Ã ²ÛÀ̽ʴϴÙ. ÀÌ ºÐÀº ÇöÀç 4Â¥ 3¸¶¸®Â°·Î 2À§¿¡ µî±ØÇϰí ÀÖ½À´Ï´Ù.
»ó·ù 3¹ø ¹æ°¥·Î¿¡¼ ÀþÀº Ç⸮²Û ¼Û½ÂÅÂÁ¶»ç´Ô 38.5¼¾Æ¼Æ÷ÇÔ 4¼ö Çϼ̽À´Ï´Ù.
»ó·ù 1¹ø Á¶»ç´Ô ¿ùô 3¼öÇϽðí ÀÚµ¿¹æ»ýÇϼ̴ٰí ÇÕ´Ï´Ù.
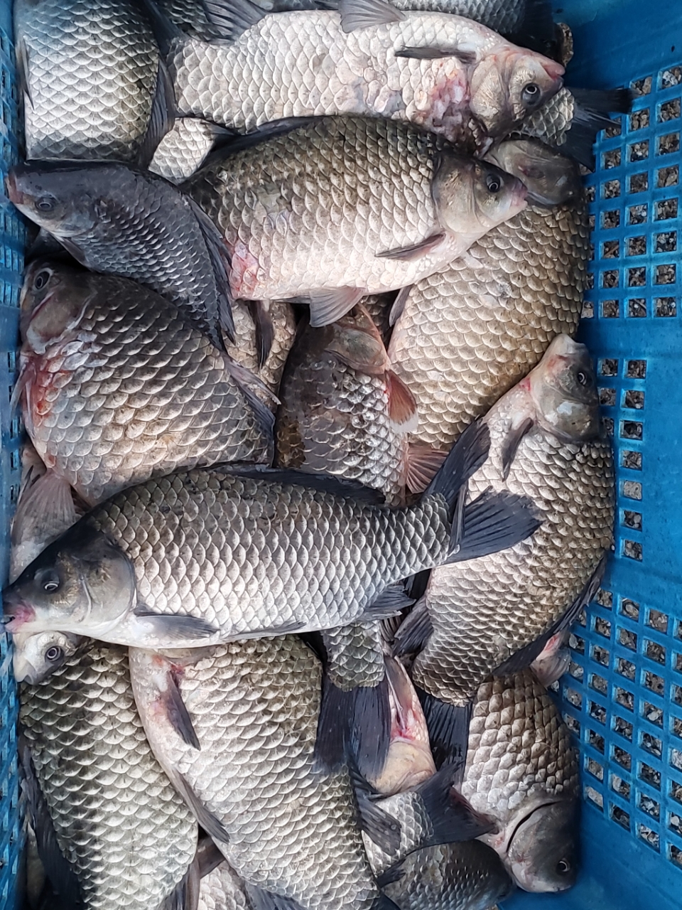
ÇÏ·ù ³ëÀÎÁ¤Æ÷ÀÎÆ® ±Ùó¿¡¼ ±èÁ¶»ç´Ô 37¼¾Æ¼Æ÷ÇÔ 14¼ö Çϼ̽À´Ï´Ù. ´ë¹ÚÀ̽ʴϴÙ.
¾îÁ¦´Â ³·¿¡µµ »ó´çÈ÷ ¸¹ÀÌ ³ª¿Ô½À´Ï´Ù. ±×¸®°í »ó·ù, Áß·ù, ÇÏ·ù °ñ°í·ç ¸¹ÀÌ ³ª¿Ô³×¿ä.
¸î ³â°£ ²ÙÁØÈ÷ ¹æ·ùÇÑ º¸¶÷À» ´À³¢°í ÀÖ½À´Ï´Ù.
2026.03.06. ¿ÀÀü 7½Ã¹Ý '³²ÇѰ'ºØ¾î¸¦ ¹æ·ùÇß½À´Ï´Ù. 5Â¥ 3¸¶¸®µµ ÀÖ¾ú´Ù´Âµ¥ »çÁøÀÌ ¾ø³×¿ä..
»õ·Î¿À½Å Ãѹ«´Ô²²¼ Âï¾îÁֽŰŶó ´ë¹°È®ÀÎÀÌ ÇÊ¿äÇß¾ú´Âµ¥ ¾Æ½±½À´Ï´Ù. Àúµµ 5Â¥´Â º» ÀûÀÌ ¾ø¾î¼..
ÀúÈñ ³¬½ÃÅÍ´Â ³²¾ç¸¸°ú ´ëÈ£¸¸ ºØ¾î¸¦ ¹æ·ùÇϴµ¥ ³²ÇѰ ¾îºÎ²²¼ °©ÀÚ±â ÀüȰ¡ ¿Í¼ ¼Ò·® 150۷θ¸ ³Ö¾ú½À´Ï´Ù.
óÀ½ ³Ö¾îºÃ´Âµ¥ °í±â ¶§±òÀ̳ª »çÀÌÁî ÁÁ½À´Ï´Ù.
Àý¹ÝÀÌ»óÀÌ 4Â¥À̰í 5Â¥ 3¸¶¸®.. ÀúÈñ ³¬½ÃÅÍ¿¡¼µµ 5Â¥ ¼Ò½ÄÀ» ³ªÁß¿¡ µéÀ» ³¯ÀÌ ¿À°ÚÁÒ??
¼¿ï¿¡¼ 1½Ã°£°Å¸®ÀÌ°í °ü¸®Çü ÀÚ¿¬Áö ³¬½ÃÅÍÀÔ´Ï´Ù.
Ç⸮³¬½ÃÅÍ´Â ¼ö¸éÀû 5¸¸ÆòÁ¤µµÀÇ ÅäÁ¾ºØ¾î ´ë¹°ÅÍÀ̰í Àü¿ªÀ¸·Î ´Ù´ëÆí¼º °¡´ÉÇÕ´Ï´Ù.
±âº»ÀÌ Ç㸮±ÞÀ̰í 4Â¥ ºØ¾î ÀâÀ¸½Å ºÐÀº ÀÔ¾î·á ¹«·áÄíÆù Áö±ÞÇØµå¸®°í ÀÖ½À´Ï´Ù.
³×À̹ö ¹êµå 'Ç⸮³¬½ÃÅÍ'¿¡¼´Â ¸ÅÀÏ ½Ç½Ã°£ Á¶È²À» È®ÀÎÇÏ½Ç ¼ö ÀÖ½À´Ï´Ù.
°¡ÀÔÇϽøé ÁÁÀº À̺¥Æ®¿Í Á¤º¸¸¦ ¾òÀ¸½Ç ¼ö ÀÖ½À´Ï´Ù.
*±¹³» ÃÖ´ë ´ë¹° ÅäÁ¾ºØ¾î ³¬½ÃÅÍ*
°æ±âµµ ¾çÆò±º °³±º¸é ¾Æ·§»ó°ñ±æ 22-8 Ç⸮³¬½ÃÅÍ
- ¿¹¾à ¹× Á¶È²¹®ÀÇ
010-3346-1259 Ç⸮³¬½ÃÅÍ
010-6260-3847 ÃÖÇü°ï´ëÇ¥































|
|
* °¡²û ±¤°í¸¦ Ŭ¸¯ÇØ ºÁ ÁÖ½Ã¸é ³¬¶û »çÀÌÆ® ¿î¿µ¿¡ µµ¿òÀÌ µË´Ï´Ù ^^
|
|
|
ÃÑ 0°³ÀÇ ´ñ±ÛÀÌ ÀÖ½À´Ï´Ù.
|
|