¾È³ç Çϼ¼¿ä~~!!
¼ö·ÁÇÑ Ç³±¤, Èû ÁÁÀº ÅäÁ¾ºØ¾î ³¬½ÃÅÍ, Èú¸µÀÇ °ø°£ (ÅäÁ¾ºØ¾îÅÍ) ¿ëÀÎ »ïÀ㬽ÃÅÍÀÔ´Ï´Ù
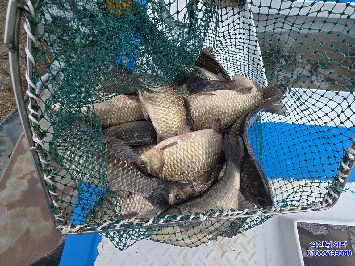
ÁÖ¸» ºÎÅÍ ºØ¾î°¡ µé¾î °¡±â ½ÃÀÛ Çß½À´Ï´Ù.
±ú²ýÇÏ°í ¾¾¾Ëµµ ³Ê¹« ÁÁ½À´Ï´Ù.
¾ÕÀ¸·Îµµ Áö¼ÓÀûÀÎ ¹æ·ù°¡ µÉ °ÍÀÔ´Ï´Ù.
Á¶È²µµ ¾¾¾ËÁÁÀº ÅäÁ¾ºØ¾îµéÀÌ °è¼Ó ³ª¿Í ÁÖ°í ÀÖ½À´Ï´Ù.
¼öÃʵ鵵 Àß Çü¼ºÀÌµÇ¾î ³¬½ÃÀÇ Àç¹Ì¸¦ ´õÇϰí ÀÖ½À´Ï´Ù.
°ü¸®½Ç¾Õ ÀϹÝÁ´ë´Â °Ü¿ïµ¿¾È Àü¸éÀûÀÌ ³»ºÎÀÛ¾÷À» ÇÏ¿© Á»´õ ¾Æ´ÁÇϰí
ÆíÇÏ°Ô ½¬½Ã¸é¼ ³¬½Ã¸¦ Áñ±â½Ç¼ö ÀÖµµ·Ï ¹Ù²î¾ú½À´Ï´Ù.
2µ¿À» ºÐ¸® À̵¿½ÃÄÑ ÀüüÀûÀ¸·Î °£°ÝÀ» ÃæºÐÈ÷ ¹ú·Á
³¬½ÃÇϽôµ¥ ºÒÆíÀÌ ¾øµµ·Ï ÇÏ¿´½À´Ï´Ù.
¸¹Àº ÀÌ¿ë ºÎŹ µå¸³´Ï´Ù.
°Ç° À¯ÀÇ ÇÏ½Ã¸é¼ Áñ°Ì°í ÇູÇÑ ÇÏ·ç µÇ¼¼¿ä~~!!
»ïÀ㬽ÃÅÍ´Â ¹Ù¶÷À» ¸¹ÀÌ Å¸Áö ¾Ê°í Àú³áÀÌ¸é ´ëºÎºÐ ¹Ù¶÷ÀÌ
Àæ¾Æµé¾î ¹Ù¶÷ÀÇ ¿µÇâÀ» Àû°Ô ¹Þ½À´Ï´Ù.
¶ÇÇÑ Á´ë½Ã¼³ ¸ðµÎ°¡ ¿¬¾È¿¡¼ °É¾î¼ ¾ÈÀüÇÏ°Ô ÀÌ¿ëÇϽǼö ÀÖ½À´Ï´Ù.
¹Ù·Î µÚ¿¡ ÁÖÂ÷ÇÏ½Ã°í ¾ðÁ¦µç ÆíÇÏ°Ô ¿À½Ã°í °¡½Ç¼ö ÀÖ½À´Ï´Ù.
¼¿ï ±Ù±³¿¡ ÀÚ¸®ÇÑ °¡±î¿î ³¬½ÃÅÍ ÀÔ´Ï´Ù
»ê°ú ½£À¸·Î µÑ·¯½Î¿© ÀÖ¾î ³ìÁ¶µµ ¾ø¾î ¹°µµ ±ú²ýÇϰí dz±¤µµ ¼ö·ÁÇÕ´Ï´Ù.
Á¶¿ëÇÏ°Ô (ÅäÁ¾ºØ¾î) ³¬½Ãµµ Áñ±â½Ã¸ç »êÃ¥µµ ÇϽðí ÀÚ¿¬°ú ÇÔ²² ÇϽǼö ÀÖ½À´Ï´Ù.
***±Ã±ÝÇϽÅÁ¡ ÀÖÀ¸½Ã¸é ÀüÈ·Î ¹®ÀÇ ÇϽñ⠹ٶø´Ï´Ù~~!!
¹®ÀÇÀüÈ:031)332-6795,010-8379-9080 »ïÀ㬽ÃÅÍ


»ïÀ㬽ÃÅÍ ÁÖ¼Ò : °æ±âµµ ¿ëÀνà óÀα¸ »ïÀηΠ150
¡Ý¡Ý »ïÀÎÁö ³×À̹öÄ«Æä¿¡´Â ´õ ¸¹Àº Á¤º¸°¡ ÁغñµÇ¾î ÀÖ½À´Ï´Ù.
¾Æ·¡ ¢Ù À̹ÌÁö¸¦ Ŭ¸¯ÇÏ½Ã¸é »ïÀÎÁö Ä«Æä·Î À̵¿ ÇÕ´Ï´Ù.

|
|
* °¡²û ±¤°í¸¦ Ŭ¸¯ÇØ ºÁ ÁÖ½Ã¸é ³¬¶û »çÀÌÆ® ¿î¿µ¿¡ µµ¿òÀÌ µË´Ï´Ù ^^
|
|
|
ÃÑ 0°³ÀÇ ´ñ±ÛÀÌ ÀÖ½À´Ï´Ù.
|
|