»ó°î³¬½ÃÅÍ À¯·á³¬½ÃÅÍ > ÅäÁ¾ºØ¾îÅÍ »ó°îÁö~~~ÅäÁ¾ºØ¾î ´ë·® ¹æ·ù¸ð½À~~~ : ³¬½Ã»ç¶û
ȸ¿ø°¡ÀÔ | ·Î±×ÀΠ| ½ÃÀÛÆäÀÌÁö | Áñ°Üã±â | ¹®ÀÇ/¿äû/½Å°í
³¬½ÃÅͼ±Åà | Àαâ°Ë»ö¾î | ¹Î¹°ÈÄ¿ø³¬½ÃÅÍ | ¹Ù´ÙÈÄ¿øÅÍ
 
¹Î¹°³¬½Ã | Á´ë/À¯·áÅÍ | ¹Ù´Ù³¬½Ã | ·ç¾î³¬½Ã | Ä¿¹Â´ÏƼ | ³¬¶ûŬ·´ | ³¬½Ã½ºÄð | Áß°íÀåÅÍ | ³¬½ÃQ&A | »ç¿ë±â/°­Á | ÃâÁ¶Á¤º¸ | °ø±¸/¿ëǰÁ¤º¸

 ½Ç½Ã°£³¬½ÃÅͼҽÄ(ÈÄ¿øÅÍ)

- º» °Ô½Ã¹°À» ¹«´Ü ´Ù¿î·Îµå, µµ¿ë, Àοë, ¸µÅ© ±ÝÁö. HOME >À¯·áÅÍÁ¤º¸ >½Ç½Ã°£³¬½ÃÅͼҽÄ(ÈÄ¿øÅÍ)
»ó°î³¬½ÃÅÍ
ÀÛ¼ºÀÏ : 2026-03-11 16:06:57 / Àú¼öÁö / ÃæºÏ À½¼º±º »ó°î³¬½ÃÅÍ   

Á¦¸ñ l »ó°î³¬½ÃÅÍ À¯·á³¬½ÃÅÍ > ÅäÁ¾ºØ¾îÅÍ »ó°îÁö~~~ÅäÁ¾ºØ¾î ´ë·® ¹æ·ù¸ð½À~~~ : ³¬½Ã»ç¶û

 

 

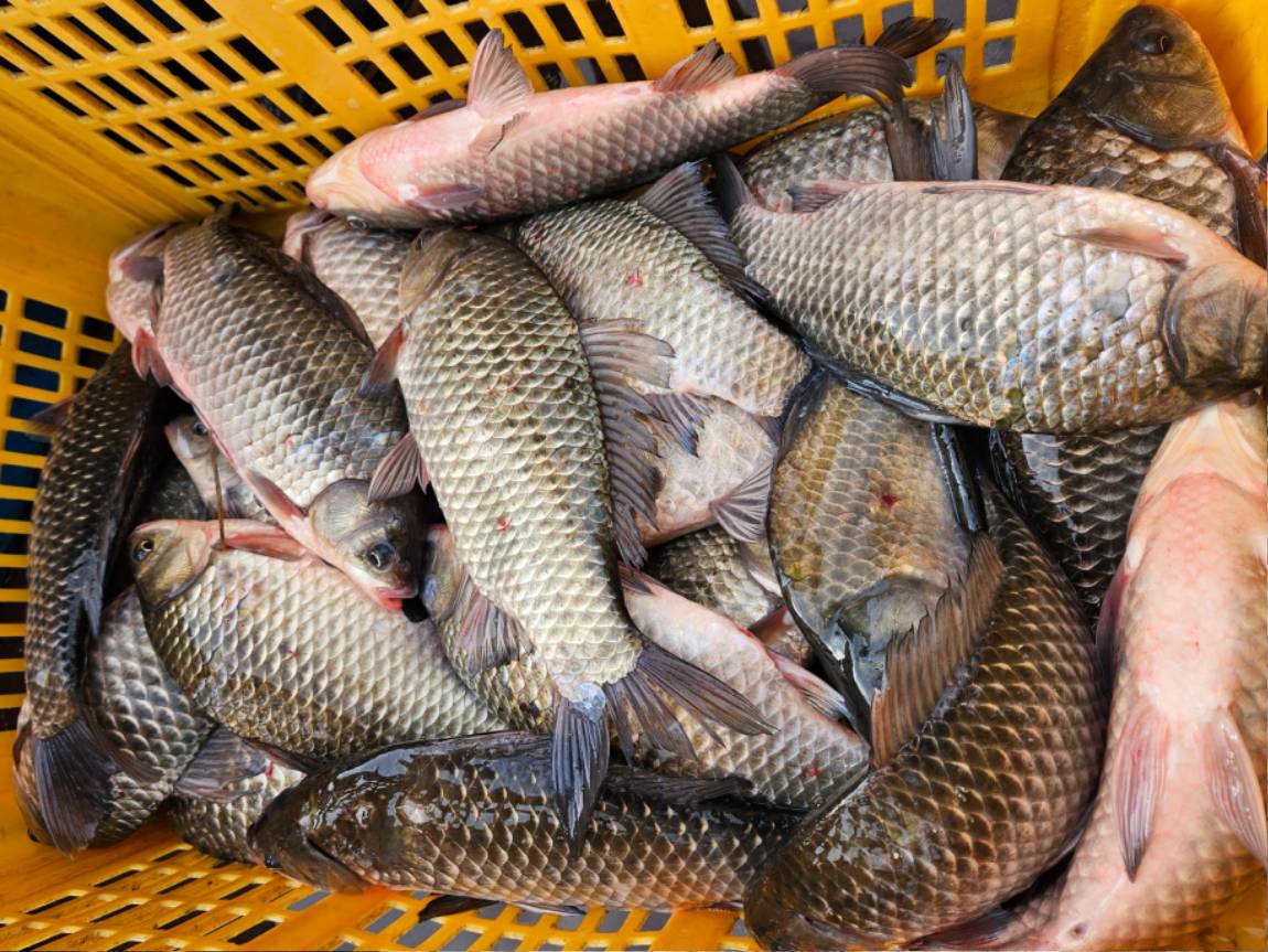
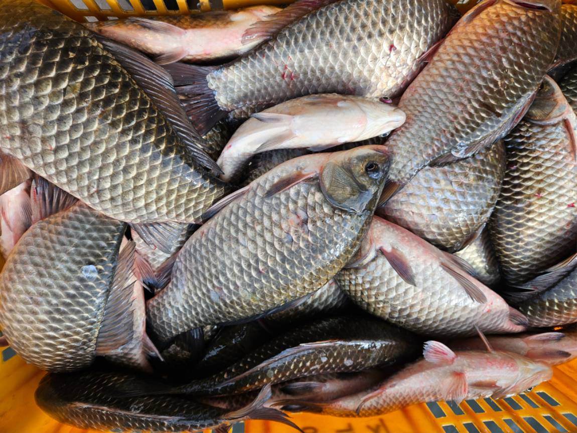
                      ¾È³çÇϼ¼¿ä.~»ó°îÁö Àλçµå¸³´Ï´Ù.^^

             ³·°ú¹ã ±â¿ÂÂ÷°¡ ½ÉÇÕ´Ï´Ù.

             ¿ùô¿¡¼­ 4Â¥ ÀÌ»ó±Þµé·Î¸¸ ´ë·® ¹æ·ùÇÕ´Ï´Ù.~~~

             ±â¿ÂÂ÷ »ó°ü¾øÀÌ 3¿ù Á¢¾î µé¸é¼­ Á¶È²µµ ÁÁ½À´Ï´Ù.~~~~~~~~ 

 

 

 

20251215_115142.jpg

 

 

20251215_115133.jpg

 

 

20251215_115159.jpg

 

 

20251215_115201.jpg

 

 

20251215_115103.jpg

 

 

20251215_115041.jpg

 

 

20251215_115042.jpg

 

 

20251215_115052.jpg

 

 

20251215_115054.jpg

 

 

20251215_115134.jpg

 

 

20251215_115202.jpg

 

 

20251215_115204.jpg

 

 

20251215_115205(0).jpg

 

 

20251215_115205.jpg

 

 

20251120_114544.jpg

 

 

20251120_114602.jpg

 

 

20251215_114854.jpg

 

 

20251215_114905.jpg

 

 

20251215_114914.jpg

 

 

20251215_114954.jpg

 

 

20251215_114956.jpg

 

 

20251215_114958.jpg

 

 

20251215_114959.jpg

 

 

20251215_115000.jpg

 

 

Resized_20240925_152433_1727339490454.jpeg

 

 

20190514132858_bvmf[1].jpg

 

 

20190514133458_coxi[1].jpg

 

 

20201020065642_rzzv[1].jpg

 

 

20201020070206_ahof[1].jpg

 

 

20201020070243_vacx[1].jpg

 

 

20250306_163019.jpg

 

 

20201029131501_ahao[1].jpg

 

 

 

 


 * °¡²û ±¤°í¸¦ Ŭ¸¯ÇØ ºÁ ÁÖ½Ã¸é ³¬¶û »çÀÌÆ® ¿î¿µ¿¡ µµ¿òÀÌ µË´Ï´Ù ^^
  
ÃÑ 0°³ÀÇ ´ñ±ÛÀÌ ÀÖ½À´Ï´Ù.

    ´ñ±Û¾²±â     [·Î±×ÀÎ] | [ȸ¿ø°¡ÀÔ]
 
 
441ÅäÁ¾ºØ¾îÅÍ »ó°îÁö~~~ÅäÁ¾ºØ¾î ´ë·® ¹æ·ù¸ð½À~~~ »ó°î³¬½ÃÅÍ26.03.11
440ÅäÁ¾ºØ¾î Àü¹® ³¬½ÃÅÍ~~~Á¶È²ÀÔ´Ï´Ù................»ó°î³¬½ÃÅÍ26.03.04
439ÅäÁ¾ºØ¾îÅÍ »ó°îÁö~~~ÇöÁ¦ ¹° ³¬½Ã ¿î¿µÇϰí ÀÖ½À´Ï´Ù.~ÅäÁ¾ºØ¾î ¹æ·ù..»ó°î³¬½ÃÅÍ26.02.26
438ÅäÁ¾ºØ¾îÅÍ »ó°îÁö~~~26³â ¹°³¬½Ã ¿î¿µÁßÀÔ´Ï´Ù.~~~ÅäÁ¾ºØ¾î ´ë·® ..»ó°î³¬½ÃÅÍ26.02.25
437ÅäÁ¾ºØ¾î Àü¹® ³¬½ÃÅÍ~~~Á¶È²ÀÔ´Ï´Ù................»ó°î³¬½ÃÅÍ25.10.22
436ÅäÁ¾ºØ¾î Àü¹® ³¬½ÃÅÍ~~~Á¶È²ÀÔ´Ï´Ù................»ó°î³¬½ÃÅÍ25.10.09
435ÅäÁ¾ºØ¾î Àü¹® ³¬½ÃÅÍ~~~Á¶È²ÀÔ´Ï´Ù................»ó°î³¬½ÃÅÍ25.10.02
434ÅäÁ¾ºØ¾î Àü¹® ³¬½ÃÅÍ~~~Á¶È²ÀÔ´Ï´Ù................»ó°î³¬½ÃÅÍ25.09.24
433ÅäÁ¾ºØ¾î Àü¹® ³¬½ÃÅÍ~~~Á¶È²Á¤º¸................»ó°î³¬½ÃÅÍ25.09.17
432ÅäÁ¾ºØ¾îÅÍ »ó°îÁö~~~ÅäÁ¾ºØ¾î ¹æ·ù¸ð½À~~~~~~~~~~»ó°î³¬½ÃÅÍ25.09.10
431ÅäÁ¾ºØ¾î Àü¹® ³¬½ÃÅÍ~~~Á¶È²ÀÔ´Ï´Ù................»ó°î³¬½ÃÅÍ25.08.20
430ÅäÁ¾ºØ¾î Àü¹® ³¬½ÃÅÍ~~~Á¶È²ÀÔ´Ï´Ù................»ó°î³¬½ÃÅÍ25.08.13
  1   2   3   4   5   6   7   8   9   10   

³¬½Ã»ç¶û¼Ò°³ | ¿À½Ã´Â±æ | ³¬½Ã»ç¶û¹è³Ê | ÀÌ¿ë¾à°ü | À̸ÞÀϹ«´Ü¼öÁý°ÅºÎ | °³ÀÎÁ¤º¸Ãë±Þ¹æÄ§ | ±Ç¸®Ä§ÇØ½Å°í¼¾ÅÍ
Copyright 1997~2022 (ÁÖ)À¥¶óÀÌÇÁ/³¬½Ã»ç¶û All rights reserved »ç¾÷ÀÚµî·Ï¹øÈ£ 110-81-42683
»ç¾÷Àå : ¼­¿ïƯº°½Ã ¿µµîÆ÷±¸ ¿µµîÆ÷·Î 374, 3Ãþ
[±¤°í/Á¦ÈÞ ¹× Ãßõ»óǰ µî·Ï¹®ÀÇ]     [³¬½ÃÅÍ ¹× ³¬½Ë¹è µî·Ï¹®ÀÇ]     [¹Î¿ø/°ÇÀÇ/½Å°í]     [¸ÞÀϹ®ÀÇ]     [¹®ÀÇ(FAX) 02-2634-2730]