¼ºÈ£³¬½ÃÅÍ À¯·á³¬½ÃÅÍ > Á¶È²Á¤º¸ ÅäÁ¾ºØ¾î ´ë¹° ¼±º° ¹æ·ù ¼ºÈ£³¬½ÃÅÍ ÀÌõ. : ³¬½Ã»ç¶û
ȸ¿ø°¡ÀÔ | ·Î±×ÀΠ| ½ÃÀÛÆäÀÌÁö | Áñ°Üã±â | ¹®ÀÇ/¿äû/½Å°í
³¬½ÃÅͼ±Åà | Àαâ°Ë»ö¾î | ¹Î¹°ÈÄ¿ø³¬½ÃÅÍ | ¹Ù´ÙÈÄ¿øÅÍ
 
¹Î¹°³¬½Ã | Á´ë/À¯·áÅÍ | ¹Ù´Ù³¬½Ã | ·ç¾î³¬½Ã | Ä¿¹Â´ÏƼ | ³¬¶ûŬ·´ | ³¬½Ã½ºÄð | Áß°íÀåÅÍ | ³¬½ÃQ&A | »ç¿ë±â/°­Á | ÃâÁ¶Á¤º¸ | °ø±¸/¿ëǰÁ¤º¸

 ½Ç½Ã°£³¬½ÃÅͼҽÄ(ÈÄ¿øÅÍ)

- º» °Ô½Ã¹°À» ¹«´Ü ´Ù¿î·Îµå, µµ¿ë, Àοë, ¸µÅ© ±ÝÁö. HOME >À¯·áÅÍÁ¤º¸ >½Ç½Ã°£³¬½ÃÅͼҽÄ(ÈÄ¿øÅÍ)
¼ºÈ£³¬½ÃÅÍ
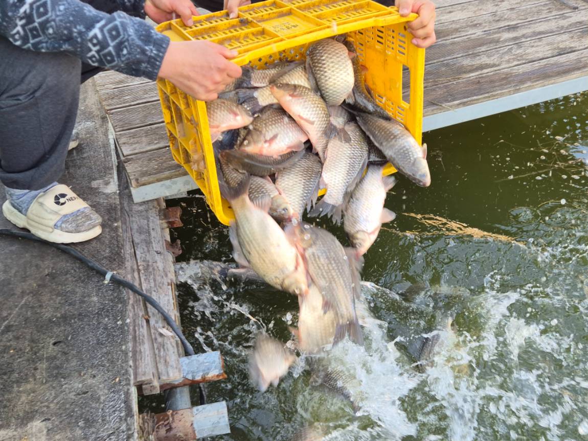
ÀÛ¼ºÀÏ : 2026-03-12 07:34:01 / Àú¼öÁö / °æ±â ÀÌõ½Ã ¼ºÈ£³¬½ÃÅÍ ÀÌõ   

Á¦¸ñ l ¼ºÈ£³¬½ÃÅÍ À¯·á³¬½ÃÅÍ > Á¶È²Á¤º¸ ÅäÁ¾ºØ¾î ´ë¹° ¼±º° ¹æ·ù ¼ºÈ£³¬½ÃÅÍ ÀÌõ. : ³¬½Ã»ç¶û

 

ĸó.JPG

 

ÀÌÁ¦ ÇÏ·ç ÇÏ·ç 

¾î¸Á ä¿ì´Â ±â»Ý¸¸ °¡µæ ÇϰÚÁö¿ä.

 

 

 

ĸó-1.JPG

 

 

³¬½ÃÅÍ °£ÆÇ.jpg

 

 

20260228_105632.jpg

 

 

20260228_105610(0).jpg

 

ÅäÁ¾ºØ¾î 

´ë¹° µ¢¾î¸® ¼±º° ¹æ·ù.

 

 

¾÷ÀںР¹Ì²ô·³Æ² ¾È°¡Á®¿Í 

ÃâÁ¶ µÎºÐ Á¶»ç´Ô µµ¿Í Áּ̳׿ä.

 

µÎºÐ 1³â³»³» 

¹æ·ùÇÑ µ¢¾î¸®µé·Î ´ë¹Ú ¾î¸Á Çϼ¼¿ä.

°¨»çÇÕ´Ï´Ù.

 

 

 

20260228_104837.jpg

 

 

20260228_104640(1).jpg

 

 

20260228_104321.jpg

 

 

20260228_105209(0).jpg

 

 

20260228_104514.jpg

 

 

20260228_104640(0).jpg

 

 

20260228_105209.jpg

 

 

20260228_104539.jpg

 

 

20260228_104726.jpg

 

 

20260228_104641(2).jpg

 

 

20260228_105308(0).jpg

 

 

20260228_105148.jpg

 

 

20260228_104638.jpg

 

 

20260228_104641(0).jpg

 

 

20260228_105228.jpg

 

 

20260228_104321(1).jpg

 

 

20260228_105309(0).jpg

 

 

20260228_104136.jpg

 

 

20260228_104320(1).jpg

 

 

20260228_105209(1).jpg

 

 

20260228_104225.jpg

 

 

20260228_104321(0).jpg

 

 

20260228_105309.jpg

 

 

20260228_105615.jpg

 

 

20260228_104320.jpg

 

 

20260228_105308.jpg

 

 

20260228_104754.jpg

 




 

 * °¡²û ±¤°í¸¦ Ŭ¸¯ÇØ ºÁ ÁÖ½Ã¸é ³¬¶û »çÀÌÆ® ¿î¿µ¿¡ µµ¿òÀÌ µË´Ï´Ù ^^
  
ÃÑ 0°³ÀÇ ´ñ±ÛÀÌ ÀÖ½À´Ï´Ù.

    ´ñ±Û¾²±â     [·Î±×ÀÎ] | [ȸ¿ø°¡ÀÔ]
 
 
1244Á¶È²Á¤º¸ ÅäÁ¾ºØ¾î ´ë¹° ¼±º° ¹æ·ù ¼ºÈ£³¬½ÃÅÍ ÀÌõ. ¼ºÈ£³¬½ÃÅÍ26.03.12
1243ÅäÁ¾ºØ¾î 4Â¥ ¸¶¸´¼ö Á¶È²Á¤º¸ ¼ºÈ£³¬½ÃÅÍÀÌõ. ¼ºÈ£³¬½ÃÅÍ26.03.10
1242Á¶È²Á¤º¸ ¹× ÅäÁ¾ºØ¾î ¹æ·ù ¼ºÈ£³¬½ÃÅÍ ÀÌõ.¼ºÈ£³¬½ÃÅÍ26.03.09
1241±Ý¿äÀÏ ÀÌõ¼ºÈ£³¬½ÃÅÍ.¼ºÈ£³¬½ÃÅÍ26.03.06
1240¾î¼­¿Í! ¿À´Ã ³Ê¹« ÁÁÁö ÅäÁ¾ºØ¾î ´ë¹° ¹æ·ù ¼ºÈ£³¬½ÃÅÍ ÀÌõ.¼ºÈ£³¬½ÃÅÍ26.03.05
1239¼³¸íÇÒ ½Ã°£ÀÌ ¾ø¾î ¾î¼­ ¿Í. ÀÌõ ¼ºÈ£³¬½ÃÅÍ.¼ºÈ£³¬½ÃÅÍ26.03.04
1238¿¹¼úÀÌ¾ß ¿¹¼úÀÌ¾ß ÅäÁ¾ºØ¾î ´ë·®¹æ·ù ¼ºÈ£³¬½ÃÅÍ ÀÌõ.¼ºÈ£³¬½ÃÅÍ26.03.03
1237ÁÖ¸» Á¶È² ¹× ÅäÁ¾ºØ¾î ´ë·®¹æ·ù ¼ºÈ£³¬½ÃÅÍ ÀÌõ.¼ºÈ£³¬½ÃÅÍ26.03.02
1236À̺Рµû¶ó°¥ ¾î¸ÁÀÌ ¾ø´Â Á¶È² ¼ºÈ£³¬½ÃÅÍ ÀÌõ.¼ºÈ£³¬½ÃÅÍ26.03.01
123528ÀÏ ±Ý¿äÀÏ Á¶È²Á¤º¸ ¼ºÈ£³¬½ÃÅÍ.¼ºÈ£³¬½ÃÅÍ26.02.28
123428ÀÏ ±Ý¿äÀÏ Á¶È²Á¤º¸ ¼ºÈ£³¬½ÃÅÍ.¼ºÈ£³¬½ÃÅÍ26.02.28
12334Â¥ Á¶È² ¹× ´ë¹° ¹æ·ù ¼ºÈ£³¬½ÃÅÍ.¼ºÈ£³¬½ÃÅÍ26.02.27
  1   2   3   4   5   6   7   8   9   10   

³¬½Ã»ç¶û¼Ò°³ | ¿À½Ã´Â±æ | ³¬½Ã»ç¶û¹è³Ê | ÀÌ¿ë¾à°ü | À̸ÞÀϹ«´Ü¼öÁý°ÅºÎ | °³ÀÎÁ¤º¸Ãë±Þ¹æÄ§ | ±Ç¸®Ä§ÇØ½Å°í¼¾ÅÍ
Copyright 1997~2022 (ÁÖ)À¥¶óÀÌÇÁ/³¬½Ã»ç¶û All rights reserved »ç¾÷ÀÚµî·Ï¹øÈ£ 110-81-42683
»ç¾÷Àå : ¼­¿ïƯº°½Ã ¿µµîÆ÷±¸ ¿µµîÆ÷·Î 374, 3Ãþ
[±¤°í/Á¦ÈÞ ¹× Ãßõ»óǰ µî·Ï¹®ÀÇ]     [³¬½ÃÅÍ ¹× ³¬½Ë¹è µî·Ï¹®ÀÇ]     [¹Î¿ø/°ÇÀÇ/½Å°í]     [¸ÞÀϹ®ÀÇ]     [¹®ÀÇ(FAX) 02-2634-2730]