¾È¼ºÁ×»êÀå°è³¬½ÃÅÍ À¯·á³¬½ÃÅÍ > Àå°è³¬½ÃÅÍ ¹°³¬½Ã ½ÃÀÛ : ³¬½Ã»ç¶û
ȸ¿ø°¡ÀÔ | ·Î±×ÀΠ| ½ÃÀÛÆäÀÌÁö | Áñ°Üã±â | ¹®ÀÇ/¿äû/½Å°í
³¬½ÃÅͼ±Åà | Àαâ°Ë»ö¾î | ¹Î¹°ÈÄ¿ø³¬½ÃÅÍ | ¹Ù´ÙÈÄ¿øÅÍ
 
¹Î¹°³¬½Ã | Á´ë/À¯·áÅÍ | ¹Ù´Ù³¬½Ã | ·ç¾î³¬½Ã | Ä¿¹Â´ÏƼ | ³¬¶ûŬ·´ | ³¬½Ã½ºÄð | Áß°íÀåÅÍ | ³¬½ÃQ&A | »ç¿ë±â/°­Á | ÃâÁ¶Á¤º¸ | °ø±¸/¿ëǰÁ¤º¸

 ½Ç½Ã°£³¬½ÃÅͼҽÄ(ÈÄ¿øÅÍ)

- º» °Ô½Ã¹°À» ¹«´Ü ´Ù¿î·Îµå, µµ¿ë, Àοë, ¸µÅ© ±ÝÁö. HOME >À¯·áÅÍÁ¤º¸ >½Ç½Ã°£³¬½ÃÅͼҽÄ(ÈÄ¿øÅÍ)

¾È¼ºÁ×»êÀå°è³¬½ÃÅÍ
ÀÛ¼ºÀÏ : 2026-03-12 20:09:47 / Àú¼öÁö / Àå°è³¬½ÃÅÍ   

Á¦¸ñ l ¾È¼ºÁ×»êÀå°è³¬½ÃÅÍ À¯·á³¬½ÃÅÍ > Àå°è³¬½ÃÅÍ ¹°³¬½Ã ½ÃÀÛ : ³¬½Ã»ç¶û

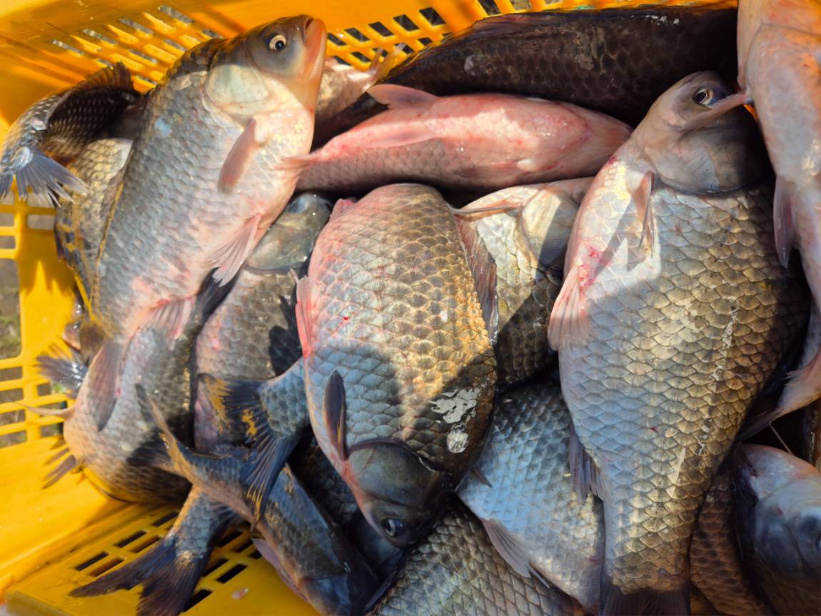
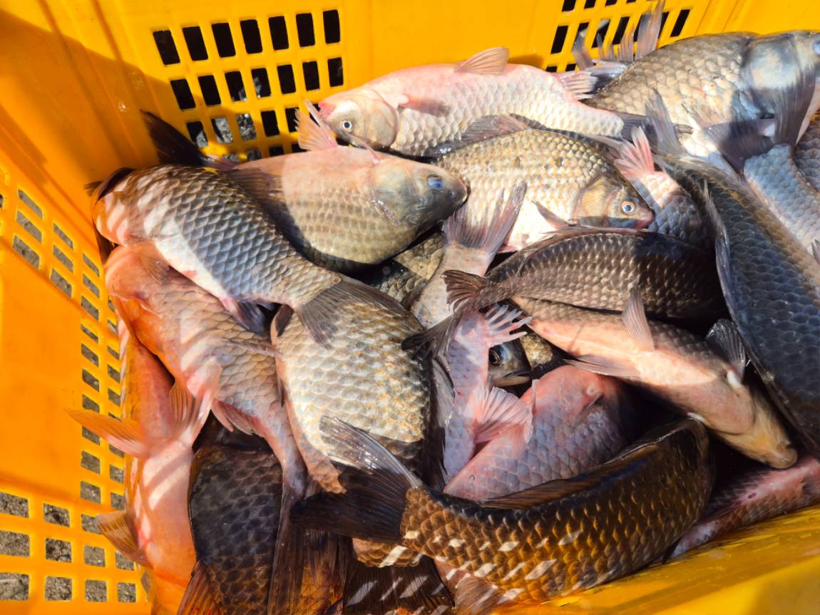
Àå°è³¬½ÃÅÍ´Â ºù¾î³¬½Ã¸¦ ¸¶Ä¡°í

¹°³¬½ÃÁغñ¸¦ ÀÌÁ¦ ¸¶Ä¡°í Á¶»ç´Ô ¸ÂÀÌ¿¡

°í±âµµ ´ë·®¹æ·ùÈ÷°í 3¿ù14ÀÏ

¿ÂÇ ÇÕ´Ï´Ù ¿ÃÇØµµ ¸¹Àº¼º¿ø¹Ù¶÷´Ï´Ù

 

1000038432.jpg

 

 

1000038430.jpg

 

 

1000038429.jpg

 

 

1000038425.jpg

 

 

1000038427.jpg

 

 

1000038250.jpg

 

 

1000038232.jpg

 

 

1000038234.jpg

 

 

1000038233.jpg

 

 

1000038230.jpg

 

 

1000038229.jpg

 

 

1000038228.jpg

 

 

1000038224.jpg

 

 

1000038222.jpg

 

 

1000038221.jpg

 

 

1000038225.jpg

 

 

1000038220.jpg

 

 

1000029721.jpg

 

 

1000029719.jpg

 

 

1000029716.jpg

 

 

1000029715.jpg

 

 

1000029712.jpg

 

 

1000029713.jpg

 

 

1000029714.jpg

 

 


 * °¡²û ±¤°í¸¦ Ŭ¸¯ÇØ ºÁ ÁÖ½Ã¸é ³¬¶û »çÀÌÆ® ¿î¿µ¿¡ µµ¿òÀÌ µË´Ï´Ù ^^
  
ÃÑ 0°³ÀÇ ´ñ±ÛÀÌ ÀÖ½À´Ï´Ù.

    ´ñ±Û¾²±â     [·Î±×ÀÎ] | [ȸ¿ø°¡ÀÔ]
 
 
380Àå°è³¬½ÃÅÍ ¹°³¬½Ã ½ÃÀÛ ¾È¼ºÁ×»êÀå°è³¬½ÃÅÍ26.03.12
379¾È¼ºÁ×»êÀå°è³¬½ÃÅÍ Á¶È²Á¤º¸¾È¼ºÁ×»êÀå°è³¬½ÃÅÍ26.02.27
378Àå°è³¬½ÃÅÍ ºù¾îÀå¼Ò½Ä¾È¼ºÁ×»êÀå°è³¬½ÃÅÍ26.02.23
377Àå°è³¬½ÃÅÍ ºù¾î¼Ò½Ä¾È¼ºÁ×»êÀå°è³¬½ÃÅÍ26.02.20
376Àå°è³¬½ÃÅÍ ºù¾îµé¼Ò½Ä ¾È¼ºÁ×»êÀå°è³¬½ÃÅÍ26.02.16
375Àå°ÜÁö. ºù¾î¼Ò½Ä ¾È¼ºÁ×»êÀå°è³¬½ÃÅÍ26.02.13
374Àå°èÁö ºù¾îµé¿¡ ¼Ò½Ä¾È¼ºÁ×»êÀå°è³¬½ÃÅÍ26.02.09
373ºù¾îµé¿¡¼Ò½Ä¾È¼ºÁ×»êÀå°è³¬½ÃÅÍ26.02.06
372Àå°è³¬½ÃÅÍ ºù¾îµé¼Ò½Ä ¾È¼ºÁ×»êÀå°è³¬½ÃÅÍ26.02.03
371ºù¾î¼Ò½Ä¾È¼ºÁ×»êÀå°è³¬½ÃÅÍ26.01.30
370Àå°è³¬½ÃÅÍ ºù¾îµé¼Ò½Ä ¾È¼ºÁ×»êÀå°è³¬½ÃÅÍ26.01.26
369°Ü¿ïºù¾î³îÀ̾ȼºÁ×»êÀå°è³¬½ÃÅÍ26.01.23
  1   2   3   4   5   6   7   8   9   10   

³¬½Ã»ç¶û¼Ò°³ | ¿À½Ã´Â±æ | ³¬½Ã»ç¶û¹è³Ê | ÀÌ¿ë¾à°ü | À̸ÞÀϹ«´Ü¼öÁý°ÅºÎ | °³ÀÎÁ¤º¸Ãë±Þ¹æÄ§ | ±Ç¸®Ä§ÇØ½Å°í¼¾ÅÍ
Copyright 1997~2022 (ÁÖ)À¥¶óÀÌÇÁ/³¬½Ã»ç¶û All rights reserved »ç¾÷ÀÚµî·Ï¹øÈ£ 110-81-42683
»ç¾÷Àå : ¼­¿ïƯº°½Ã ¿µµîÆ÷±¸ ¿µµîÆ÷·Î 374, 3Ãþ
[±¤°í/Á¦ÈÞ ¹× Ãßõ»óǰ µî·Ï¹®ÀÇ]     [³¬½ÃÅÍ ¹× ³¬½Ë¹è µî·Ï¹®ÀÇ]     [¹Î¿ø/°ÇÀÇ/½Å°í]     [¸ÞÀϹ®ÀÇ]     [¹®ÀÇ(FAX) 02-2634-2730]