¾îõ³¬½ÃÅÍÁö±â À¯·á³¬½ÃÅÍ > ÅäÁ¾ºØ¾î 4Â¥¼Ò½Ä (115¹øÂ°)Á¶È² ¹× ÅäÁ¾ ´ëºØ¾î ¹æ·ù : ³¬½Ã»ç¶û
ȸ¿ø°¡ÀÔ | ·Î±×ÀΠ| ½ÃÀÛÆäÀÌÁö | Áñ°Üã±â | ¹®ÀÇ/¿äû/½Å°í
³¬½ÃÅͼ±Åà | Àαâ°Ë»ö¾î | ¹Î¹°ÈÄ¿ø³¬½ÃÅÍ | ¹Ù´ÙÈÄ¿øÅÍ
 
¹Î¹°³¬½Ã | Á´ë/À¯·áÅÍ | ¹Ù´Ù³¬½Ã | ·ç¾î³¬½Ã | Ä¿¹Â´ÏƼ | ³¬¶ûŬ·´ | ³¬½Ã½ºÄð | Áß°íÀåÅÍ | ³¬½ÃQ&A | »ç¿ë±â/°­Á | ÃâÁ¶Á¤º¸ | °ø±¸/¿ëǰÁ¤º¸

 ½Ç½Ã°£³¬½ÃÅͼҽÄ(ÈÄ¿øÅÍ)

- º» °Ô½Ã¹°À» ¹«´Ü ´Ù¿î·Îµå, µµ¿ë, Àοë, ¸µÅ© ±ÝÁö. HOME >À¯·áÅÍÁ¤º¸ >½Ç½Ã°£³¬½ÃÅͼҽÄ(ÈÄ¿øÅÍ)

¾îõ³¬½ÃÅÍÁö±â
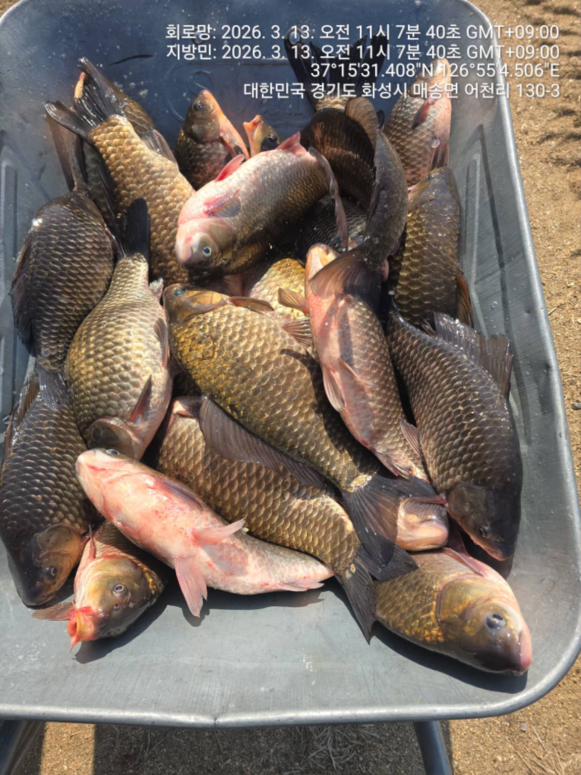
ÀÛ¼ºÀÏ : 2026-03-13 13:01:44 / Àú¼öÁö / °æ±â È­¼º½Ã ¾îõ³¬½ÃÅÍ   

Á¦¸ñ l ¾îõ³¬½ÃÅÍÁö±â À¯·á³¬½ÃÅÍ > ÅäÁ¾ºØ¾î 4Â¥¼Ò½Ä (115¹øÂ°)Á¶È² ¹× ÅäÁ¾ ´ëºØ¾î ¹æ·ù : ³¬½Ã»ç¶û

ÅäÁ¾ºØ¾î 4Â¥¼Ò½Ä 

 

1000090191.jpg

 

 

1000090190.jpg

115¹øÂ° ÅäÁ¾ºØ¾î 4Â¥ÀÔ´Ï´Ù.

 

1000090188.jpg

 

 

1000090187.jpg

114¹øÂ° ÅäÁ¾ºØ¾î 4Â¥ÀÔ´Ï´Ù 

1000090172.jpg

 

 

1000090173.jpg

113¹øÂ° ÅäÁ¾ºØ¾î 4Â¥ÀÔ´Ï´Ù 

 

1000090157.jpg

 

 

1000090156.jpg

112¹øÂ° ÅäÁ¾ºØ¾î 4Â¥ÀÔ´Ï´Ù.

 

Á¶È² Á¤º¸

1000090229.jpg

 

 

1000090230.jpg

 

 

1000090192.jpg

 

 

1000090193.jpg

ÅäÁ¾ ´ëºØ¾î ¹æ·ù 

 

1000090211.jpg

 

 

1000090212.jpg

 

 

1000090213.jpg

 

 

1000090215.jpg

 

 

1000090216.jpg

 

 

1000090217.jpg

 

 

1000090216.jpg

 

 

1000090220.jpg

 

 

1000090221.jpg

 

 

1000090222.jpg

 

 

1000090224.jpg

 

 

1000090225.jpg

 

 

1000090227.jpg

 


 * °¡²û ±¤°í¸¦ Ŭ¸¯ÇØ ºÁ ÁÖ½Ã¸é ³¬¶û »çÀÌÆ® ¿î¿µ¿¡ µµ¿òÀÌ µË´Ï´Ù ^^
  
ÃÑ 0°³ÀÇ ´ñ±ÛÀÌ ÀÖ½À´Ï´Ù.

    ´ñ±Û¾²±â     [·Î±×ÀÎ] | [ȸ¿ø°¡ÀÔ]
 
 
868ÅäÁ¾ºØ¾î 4Â¥¼Ò½Ä (115¹øÂ°)Á¶È² ¹× ÅäÁ¾ ´ëºØ¾î ¹æ·ù  ¾îõ³¬½ÃÅÍÁö±â26.03.13
867ÅäÁ¾ºØ¾î 4Â¥¼Ò½Ä (111¹øÂ°) Á¶È² ¹× ÅäÁ¾ ´ëºØ¾î ´ë·®¹æ·ù ¾îõ³¬½ÃÅÍÁö±â26.03.12
866ÅäÁ¾ºØ¾î 4Â¥¼Ò½Ä (103¹øÂ°) Á¶È² ¹× ÅäÁ¾ºØ¾î ¹æ·ù ¾îõ³¬½ÃÅÍÁö±â26.03.11
865ÅäÁ¾ºØ¾î 4Â¥¼Ò½Ä (99¹øÂ°) ¹× Á¶È²¾îõ³¬½ÃÅÍÁö±â26.03.10
864ÅäÁ¾ºØ¾î 4Â¥¼Ò½Ä (95¹øÂ°) Á¶È²¾îõ³¬½ÃÅÍÁö±â26.03.09
863ÅäÁ¾ºØ¾î 4Â¥¼Ò½Ä (89¹øÂ°) Á¶È² ¹× ÅäÁ¾ºØ¾î ¹æ·ù ¾îõ³¬½ÃÅÍÁö±â26.03.08
862ÅäÁ¾ºØ¾î 4Â¥¼Ò½Ä (86¹øÂ°) ¹× ÅäÁ¾ºØ¾î ¹æ·ù ¾îõ³¬½ÃÅÍÁö±â26.03.07
861ÅäÁ¾ºØ¾î 4Â¥¼Ò½Ä (84¹øÂ°) ¹× 46¼¾Æ¼ Á¶È²Á¤º¸¾îõ³¬½ÃÅÍÁö±â26.03.06
860ÅäÁ¾ºØ¾î 4Â¥¼Ò½Ä (77¹øÂ°)¹× Á¶È² ¾îõ³¬½ÃÅÍÁö±â26.03.05
859ÅäÁ¾ºØ¾î 4Â¥¼Ò½Ä (71¹øÂ°) ¹Ø Á¶È²¾îõ³¬½ÃÅÍÁö±â26.03.04
858ÅäÁ¾ºØ¾î 4Â¥¼Ò½Ä (67¹øÂ°)¾îõ³¬½ÃÅÍÁö±â26.03.03
857ÅäÁ¾ºØ¾î 4Â¥¼Ò½Ä (64¹øÂ°)¾îõ³¬½ÃÅÍÁö±â26.03.02
  1   2   3   4   5   6   7   8   9   10   

³¬½Ã»ç¶û¼Ò°³ | ¿À½Ã´Â±æ | ³¬½Ã»ç¶û¹è³Ê | ÀÌ¿ë¾à°ü | À̸ÞÀϹ«´Ü¼öÁý°ÅºÎ | °³ÀÎÁ¤º¸Ãë±Þ¹æÄ§ | ±Ç¸®Ä§ÇØ½Å°í¼¾ÅÍ
Copyright 1997~2022 (ÁÖ)À¥¶óÀÌÇÁ/³¬½Ã»ç¶û All rights reserved »ç¾÷ÀÚµî·Ï¹øÈ£ 110-81-42683
»ç¾÷Àå : ¼­¿ïƯº°½Ã ¿µµîÆ÷±¸ ¿µµîÆ÷·Î 374, 3Ãþ
[±¤°í/Á¦ÈÞ ¹× Ãßõ»óǰ µî·Ï¹®ÀÇ]     [³¬½ÃÅÍ ¹× ³¬½Ë¹è µî·Ï¹®ÀÇ]     [¹Î¿ø/°ÇÀÇ/½Å°í]     [¸ÞÀϹ®ÀÇ]     [¹®ÀÇ(FAX) 02-2634-2730]