¾È¼º °Åû³¬½ÃÅÍ À¯·á³¬½ÃÅÍ > 3¿ù 18ÀÏ °Åû³¬½ÃÅÍ ºØ¾îÁ¶È² : ³¬½Ã»ç¶û
ȸ¿ø°¡ÀÔ | ·Î±×ÀΠ| ½ÃÀÛÆäÀÌÁö | Áñ°Üã±â | ¹®ÀÇ/¿äû/½Å°í
³¬½ÃÅͼ±Åà | Àαâ°Ë»ö¾î | ¹Î¹°ÈÄ¿ø³¬½ÃÅÍ | ¹Ù´ÙÈÄ¿øÅÍ
 
¹Î¹°³¬½Ã | Á´ë/À¯·áÅÍ | ¹Ù´Ù³¬½Ã | ·ç¾î³¬½Ã | Ä¿¹Â´ÏƼ | ³¬¶ûŬ·´ | ³¬½Ã½ºÄð | Áß°íÀåÅÍ | ³¬½ÃQ&A | »ç¿ë±â/°­Á | ÃâÁ¶Á¤º¸ | °ø±¸/¿ëǰÁ¤º¸

 ½Ç½Ã°£³¬½ÃÅͼҽÄ(ÈÄ¿øÅÍ)

- º» °Ô½Ã¹°À» ¹«´Ü ´Ù¿î·Îµå, µµ¿ë, Àοë, ¸µÅ© ±ÝÁö. HOME >À¯·áÅÍÁ¤º¸ >½Ç½Ã°£³¬½ÃÅͼҽÄ(ÈÄ¿øÅÍ)

¾È¼º °Åû³¬½ÃÅÍ
ÀÛ¼ºÀÏ : 2026-03-18 09:21:36 / ÀϹÝÅÍ / °Åû   

Á¦¸ñ l ¾È¼º °Åû³¬½ÃÅÍ À¯·á³¬½ÃÅÍ > 3¿ù 18ÀÏ °Åû³¬½ÃÅÍ ºØ¾îÁ¶È² : ³¬½Ã»ç¶û

                                                  

 

 


 

 

 ¹ãÁ¶È² º¸´Ù  ³¸Á¶È²ÀÌ  ´ë¹ÚÀ¸·Î  À̾îÁö°í  ÀÖÀ¾´Ï´Ù

 

µû½ºÇÑ  º½±â¿îÀ»  ´À³¢  ½Ã¸é¼­  ÈûÂù  ¿ùôºØ¾îÀÇ  ¼Õ¸ÀÀ»  Áñ±â¼¼¿ä 

 

 


 

     www.°Åû³¬½ÃÅÍ.kr 

 

 

 (  ¹æ°¡·Î ½Ç½Ã°£ ¿¹¾à  °¡´ÉÇÕ´Ï´Ù  )

 

= ¸ðµç  ¹æ°¡·Î  Wi- Fi  ¼³Ä¡  ¿Ï·á =

 

= ¿¡¾îÄÁ.³ÃÀå°í.À̺Ò.Àü±â½Ã¼³.¼ö¼¼½ÄÈ­Àå½Ç = 

 

=    ¸ðµç ¹æ°¡·Î ¾Õ  ÁÖÂ÷°¡´É     =

 

 


  °¡Á·.Ä£±¸.¿¬ÀÎµî  Á÷À嵿·á¿Í  ÇÔ²²  

 


Â¥¸´ÇÑ  ¼Õ¸À°ú  Âî¸ÀÀ»  ´À³¢¸é¼­ 

  

 

Áñ°Å¿î  ºØ¾î³¬½Ã¸¦  Áñ±â½Ç¼ö  ÀÖÀ¾´Ï´Ù

 

 

 

 

 

20260316_181336.jpg

 

 

20260316_181337.jpg

 

 

20260316_181343.jpg

 

 

20260316_181344.jpg

 

 

20260316_181347.jpg

 

 

20260316_181350.jpg

 

 

20260316_181430.jpg

 

 

20260316_181435.jpg

 

 

20260316_181734.jpg

 

 

20260316_181737.jpg

 

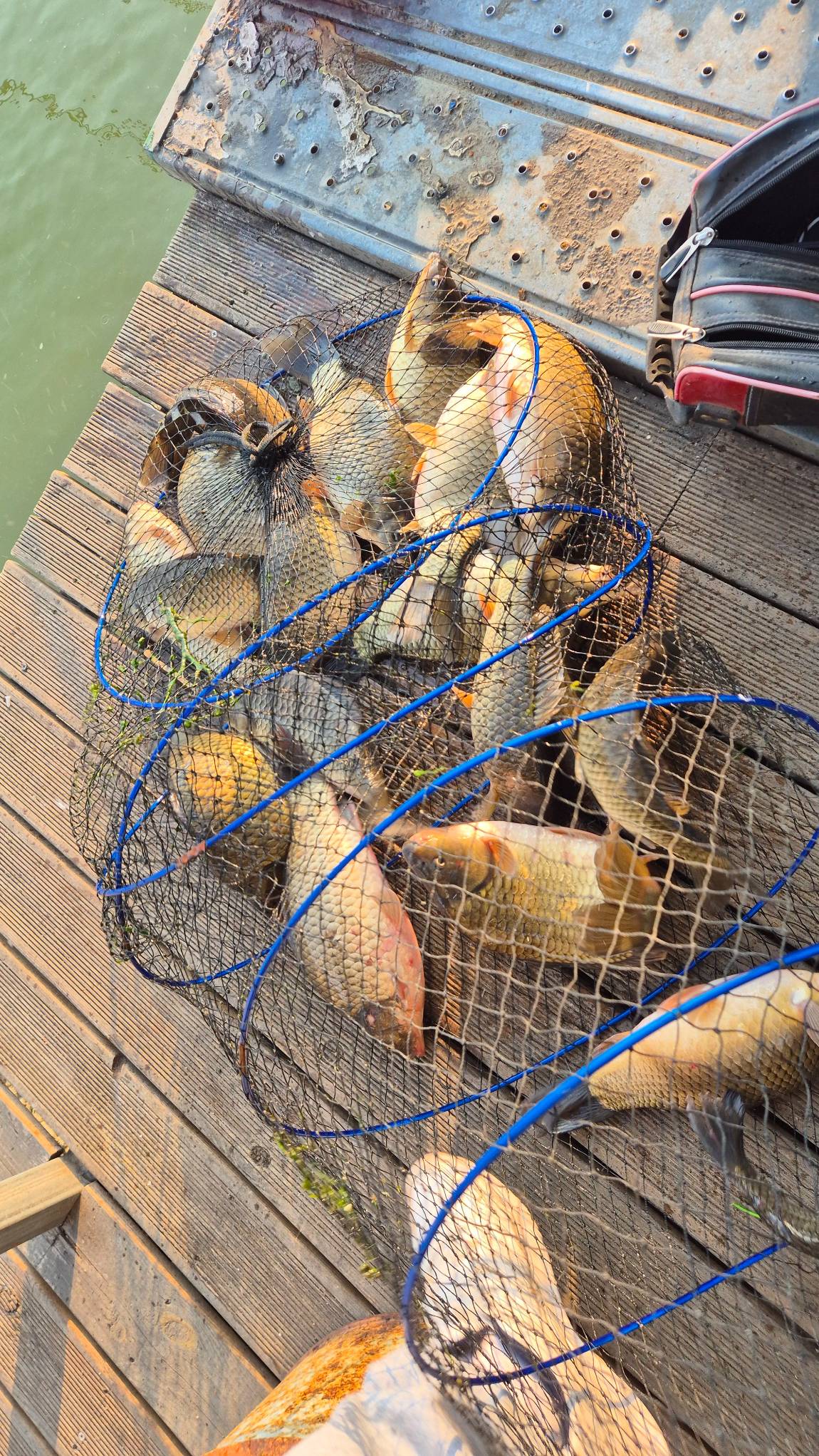
 ºØ¾î  ¾¾¾ËÀÌ  ³Ê¹«³ª  ÁÁ¾Æ¼­  ¼Õ¸À´Ï  ³¡³»  ÁÖ½Å´Ù°í  ÇϽó׿ä

 

ºØ¾î ¶ÇÇÑ  ±ú²ýÇÔ¿¡  ´Ù½ÃÇѹø  Áñ°Å¿òÀ»  ´õÇѴٳ׿ä

 

 

 

 

20260316_181805.jpg

 

 

20260316_181806.jpg

 

 

20260316_181809.jpg

 

 

20260316_181927.jpg

 

 

20260316_181933.jpg

 È¥ÀÚ¼­  ³¸³¬½Ã¿¡  4¾î¸ÁÀ»  ä¿ì½Å  Á¶»ç´Ô

 

¾ÆÄ§ºÎÅÍ  ³¬½Ã´ë¸¦  µå¸®¿ìÀÚ  ¸¶ÀÚ  ºÎÅÍ  ÀÔÁúÀ»  ½ÃÀÛÇÏ¿©  ÇÏ·çÁ¾ÀÏ  ¼Õ¸ÀÀ»  º¸¾Ò´Ù³×¿ä

 

ÆÈÀÌ ¾ÆÆÄ¼­  µµÀúÈ÷  ´õ´Â  ¸øÀâ°Ù´Ù°í  ÇϽó׿ä

 

3.2Ä­  ½ÖÆ÷  ¿¡  ¾îºÐ  »ç¿ë

 

 

 

 

 

 

20260316_181936.jpg

 

 

20260316_181939.jpg

 

 

20260316_181948(0).jpg

 

 

20260316_181948.jpg

 

 

20260316_181951.jpg

 

 

20260316_181956.jpg

 

 

20260316_182033.jpg

 

 

20260317_173116.jpg

 

 

20260317_173138.jpg

 

 

20260317_173139.jpg

 

 

20260317_173143.jpg

 

 

20260317_173148.jpg

 

 ¿ÀÈÄ  «³¬½Ã¿¡µµ  ¼Õ¸ÀÀ»  Àß  º¸°í°è½Å  Á¶»ç´Ô

 

µû½ºÇÑ  º½ ?À»  ¹ÞÀ¸¸ç  Áñ³¬À»  ÇϽó׿ä

 

 

 

20260317_173535.jpg

 

 

Screenshot_20260317_073234_Messages.jpg

 ´Ê°Ô¶óµµ  º¸³»ÁֽŠ Á¶È²»çÁø  °¨»ç  µå¸³´Ï´Ù  ¤¾¤¾

 

 

 

 

Screenshot_20260317_073409_Messages.jpg

 




                                                 »ó¼¼ÇÑ  Á¶È²°ú ¹®ÀÇ  ¹× ¹æ°¡·Î ¹èÄ¡µµ  

 

°Åû ³×À̹öÄ«Æä : http://cafe.naver.com/geuchunG

 

 

 

 

 

 

 * °¡²û ±¤°í¸¦ Ŭ¸¯ÇØ ºÁ ÁÖ½Ã¸é ³¬¶û »çÀÌÆ® ¿î¿µ¿¡ µµ¿òÀÌ µË´Ï´Ù ^^
  
ÃÑ 0°³ÀÇ ´ñ±ÛÀÌ ÀÖ½À´Ï´Ù.

    ´ñ±Û¾²±â     [·Î±×ÀÎ] | [ȸ¿ø°¡ÀÔ]
 
 
19133¿ù 18ÀÏ °Åû³¬½ÃÅÍ ºØ¾îÁ¶È² ¾È¼º °Åû³¬½ÃÅÍ26.03.18
19123¿ù 16ÀÏ °Åû³¬½ÃÅÍ °³ÀåÁ¶È²¾È¼º °Åû³¬½ÃÅÍ26.03.16
1911ºØ¾îÁ¶È² ¹× °³Àå¾È³»(3¿ù 14ÀÏ Åä¿äÀÏ )¾È¼º °Åû³¬½ÃÅÍ26.03.09
1910°Åû³¬½ÃÅÍ Á¶È² ¹× °³Àå(3¿ù 14ÀÏ Åä¿äÀÏ)¾È¼º °Åû³¬½ÃÅÍ26.03.05
19093¿ù 2ÀÏ º½ºØ¾î ¹æ·ù¿Í ºØ¾îÁ¶È²¾È¼º °Åû³¬½ÃÅÍ26.03.02
19082¿ù 23ÀÏ Àü±¸°£ ¹°³¬½Ã°¡´É¾È¼º °Åû³¬½ÃÅÍ26.02.23
19072¿ù 19ÀÏ Àü±¸°£ ¹°³¬½Ã°¡´É¾È¼º °Åû³¬½ÃÅÍ26.02.19
19062¿ù 16ÀÏ Àü±¸°£ ¹°³¬½Ã°¡´É¾È¼º °Åû³¬½ÃÅÍ26.02.16
19052¿ù 12ÀÏ °Ü¿ïºØ¾î¹æ·ù ? ±¸Á¤¿¬ÈÞ ¹°³¬½Ã°¡´É¾È¼º °Åû³¬½ÃÅÍ26.02.12
19042¿ù 2ÀÏ ¾È¼º °Åû³¬½ÃÅÍ Á¶È²¾È¼º °Åû³¬½ÃÅÍ26.02.02
19031¿ù 26ÀÏ ¾È¼º °Åû³¬½ÃÅÍ Á¶È²¾È¼º °Åû³¬½ÃÅÍ26.01.26
19021¿ù 19ÀÏ ¾È¼º °Åû³¬½ÃÅÍ Á¶È²¾È¼º °Åû³¬½ÃÅÍ26.01.19
  1   2   3   4   5   6   7   8   9   10   

³¬½Ã»ç¶û¼Ò°³ | ¿À½Ã´Â±æ | ³¬½Ã»ç¶û¹è³Ê | ÀÌ¿ë¾à°ü | À̸ÞÀϹ«´Ü¼öÁý°ÅºÎ | °³ÀÎÁ¤º¸Ãë±Þ¹æÄ§ | ±Ç¸®Ä§ÇØ½Å°í¼¾ÅÍ
Copyright 1997~2022 (ÁÖ)À¥¶óÀÌÇÁ/³¬½Ã»ç¶û All rights reserved »ç¾÷ÀÚµî·Ï¹øÈ£ 110-81-42683
»ç¾÷Àå : ¼­¿ïƯº°½Ã ¿µµîÆ÷±¸ ¿µµîÆ÷·Î 374, 3Ãþ
[±¤°í/Á¦ÈÞ ¹× Ãßõ»óǰ µî·Ï¹®ÀÇ]     [³¬½ÃÅÍ ¹× ³¬½Ë¹è µî·Ï¹®ÀÇ]     [¹Î¿ø/°ÇÀÇ/½Å°í]     [¸ÞÀϹ®ÀÇ]     [¹®ÀÇ(FAX) 02-2634-2730]