°íÀܳ¬½ÃÅÍ À¯·á³¬½ÃÅÍ > Áö³­ ÁÖ¸» ¾ç¾îÀå/Àú¼öÁö Á¶È²(3/28 Åä °³Àå) : ³¬½Ã»ç¶û
ȸ¿ø°¡ÀÔ | ·Î±×ÀΠ| ½ÃÀÛÆäÀÌÁö | Áñ°Üã±â | ¹®ÀÇ/¿äû/½Å°í
³¬½ÃÅͼ±Åà | Àαâ°Ë»ö¾î | ¹Î¹°ÈÄ¿ø³¬½ÃÅÍ | ¹Ù´ÙÈÄ¿øÅÍ
 
¹Î¹°³¬½Ã | Á´ë/À¯·áÅÍ | ¹Ù´Ù³¬½Ã | ·ç¾î³¬½Ã | Ä¿¹Â´ÏƼ | ³¬¶ûŬ·´ | ³¬½Ã½ºÄð | Áß°íÀåÅÍ | ³¬½ÃQ&A | »ç¿ë±â/°­Á | ÃâÁ¶Á¤º¸ | °ø±¸/¿ëǰÁ¤º¸

 ½Ç½Ã°£³¬½ÃÅͼҽÄ(ÈÄ¿øÅÍ)

- º» °Ô½Ã¹°À» ¹«´Ü ´Ù¿î·Îµå, µµ¿ë, Àοë, ¸µÅ© ±ÝÁö. HOME >À¯·áÅÍÁ¤º¸ >½Ç½Ã°£³¬½ÃÅͼҽÄ(ÈÄ¿øÅÍ)
°íÀܳ¬½ÃÅÍ
ÀÛ¼ºÀÏ : 2026-03-18 14:27:27 / ÀϹÝÅÍ / °æ±â È­¼º½Ã °íÀܳ¬½ÃÅÍ   

Á¦¸ñ l °íÀܳ¬½ÃÅÍ À¯·á³¬½ÃÅÍ > Áö³­ ÁÖ¸» ¾ç¾îÀå/Àú¼öÁö Á¶È²(3/28 Åä °³Àå) : ³¬½Ã»ç¶û

 

°íÀܳ¬½ÃÅÍ.png

 

 <¾ç¾îÀå/ Àú¼öÁö ²ÙÁØÇÑ ¹æ·ù ÁßÀÔ´Ï´Ù>

 

 

 

 

 

 

 

 

 

<2026³â ½ÃÁð ½ÃÀÛ ÀÌÈÄ·Î ÅäÁ¾ 4Â¥´Â ÃÑ 7¸¶¸® ÀÔ´Ï´Ù> 

 

 


 

 

 

 

 

 

 

 

 

 

 

 

 

À̰ɷÎ! °³Àå½Ä.png

 

 

 

 

 

 

 

 

 

 

 

 

 

KakaoTalk_20260318_140449194.jpg

 

 

 

 

 

 

 

 

 

 

 

 

 

 

 

Àú¼öÁö_¾ç¾îÀå.png

 

 

 

 

 

 

 

 

 


 


 

¾ç¾îÀå ÁÂ´ë ¹èÄ¡µµ.JPG

 

 

 

 

 

 

 

 

 

 

 

¾ç¾îÀå¼Ò°³.png

 

 

 

 

 

 

 

 

 

 

 

 

Àú¼öÁö ÁÂ´ë ¼Ò°³ 1.png

 

 

 

 

 

 

 

 

 

 

Àú¼öÁö ÁÂ´ë ¼Ò°³.png

  

 

 

 

 

 

 

 

 

 

 

 

 

 

3¿ù 14ÀÏ Åä¿äÀÏ ¾ç¾îÀå

 

KakaoTalk_20260318_140441425.jpg

 

¾ç¾îÀå ¼Õ¸ÀÅÍ 41cm ÅäÁ¾ºØ¾î Á¶°ú! 

ÃàÇÏÇÕ´Ï´Ù^^

 

 

 

KakaoTalk_20260318_140441425_01.jpg

 

 

 

 

 

 

 

 

 

 

 

 

 


 

KakaoTalk_20260318_140441425_03.jpg

 

 

 

 

 

 

 

 

 

 

KakaoTalk_20260318_141443233_01.jpg

 

 

 

 

 

 

 

 

 

 

 

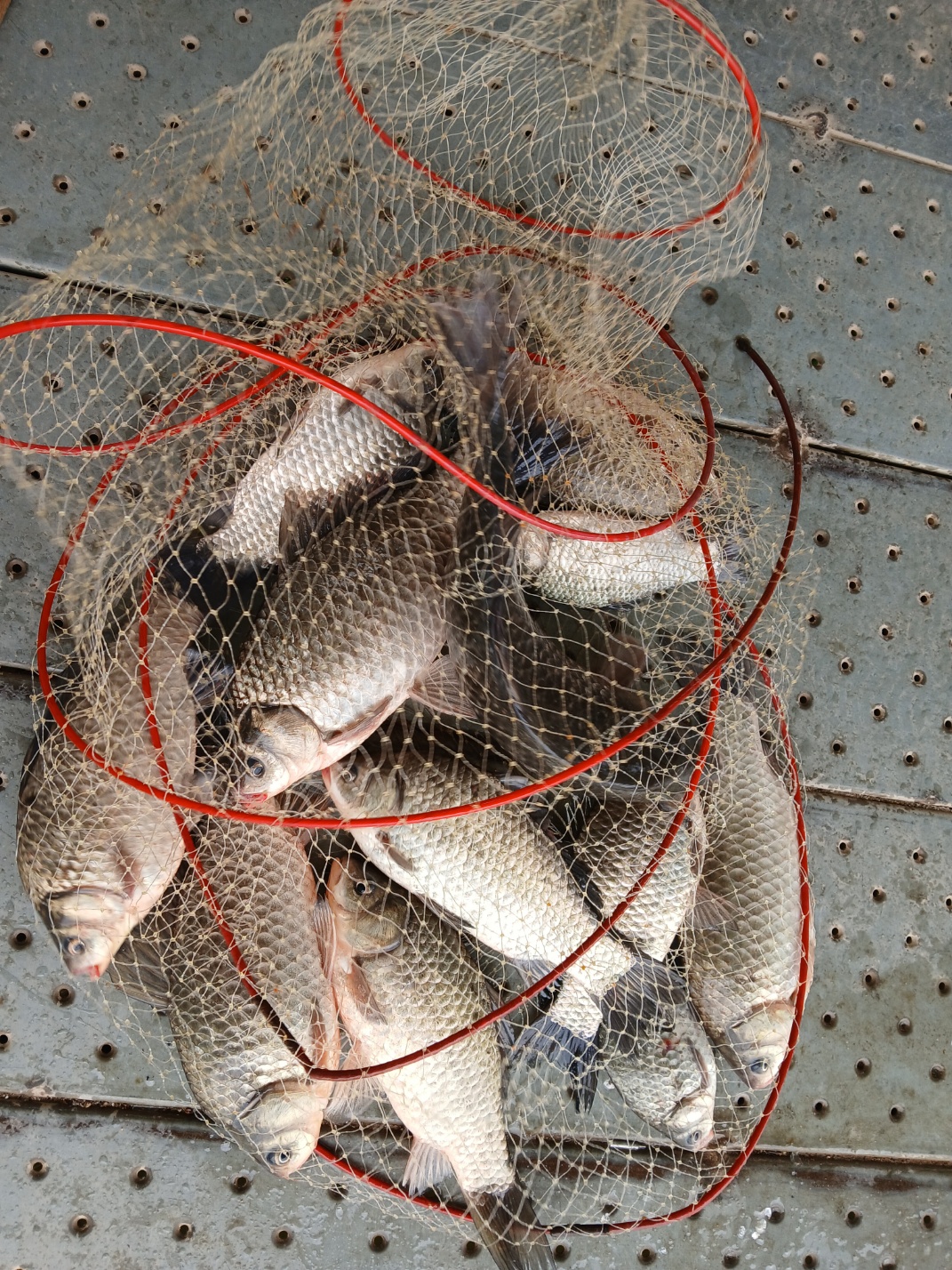
- ¾ç¾îÀå ÀâÀÌÅÍ/¼Õ¸ÀÅÍ ¹æ·ù- 

 

KakaoTalk_20260318_141443233_11.jpg

 

 

 

 

 

 

 

 

 

 

 

 

 

 

 

KakaoTalk_20260318_141443233_03.jpg

 

 

 

 

 

 

 

 

 

 

 

 

 

 

KakaoTalk_20260318_141443233_08.jpg

 

 

 

 

 

 

 

 

 

 

 

 

KakaoTalk_20260318_141443233_07.jpg

 

 

 

 

 

 

 

 

 

 

 

 

 

KakaoTalk_20260318_141443233_02.jpg

 

 

 

 

 

 

 

 

 

 

 

 

 

KakaoTalk_20260318_141443233_05.jpg

 

 

 

 

 

 

 

 

 

 

 

 

 

 

KakaoTalk_20260318_141443233_19.jpg

 

 

 

 

 

 

 

 

 

 

 

 

KakaoTalk_20260318_141443233_15.jpg

 

 

 

 

 

 

 

 

 

 

 

 

 

KakaoTalk_20260318_141443233_17.jpg

 

 

 

 

 

 

 

 

 

 

 

 

 

 

KakaoTalk_20260318_141443233_27.jpg

 

 

 

 

 

 

 

 

 

 

 

 

 

 

KakaoTalk_20260318_141443233_20.jpg

 

 

 

 

 

 

 

 

 

 

 

 

KakaoTalk_20260318_141443233_25.jpg

 

 

 

 

 

 

 

 

 

 

 

 

KakaoTalk_20260318_141443233_24.jpg

 

 

 

 

 

 

 

 

 

 

 

 

 

 

KakaoTalk_20260318_142026294_02.jpg

 

 

 

 

 

 

 

 

 

 

 

 

 

 

 

 

KakaoTalk_20260318_142026294_05.jpg

 

 

 

 

 

 

 

 

 

 

 

 

 

KakaoTalk_20260318_142026294_04.jpg

 

 

 

 

 

 

 

 

 

 

 

KakaoTalk_20260318_142026294_06.jpg

 

 

 

 

 

 

 

 

 

 

 

 

 

 

 

 

  3¿ù 14ÀÏ Åä¿äÀÏ Àú¼öÁö

 

KakaoTalk_20260318_141250010_01.jpg

Àú¼öÁö µ¥Å© 40cm ÅäÁ¾ºØ¾î Á¶°ú! 

ÃàÇÏÇÕ´Ï´Ù^^

 

 

 

KakaoTalk_20260318_141250010.jpg

 

 

 

 

 

 

 

 

 

 

 

KakaoTalk_20260318_141250010_04.jpg

 

 

 

 

 

 

 

 

 

 

 

 

KakaoTalk_20260318_141250010_05.jpg

 

 

 

 

 

 

 

 

 

 

 

 

KakaoTalk_20260318_141250010_07.jpg

 

 

 

 

 

 

 

 

 

 

 

KakaoTalk_20260318_141454246_01.jpg

 

Àú¼öÁö 41cm ÅäÁ¾ºØ¾î Á¶°ú! 

ÃàÇÏÇÕ´Ï´Ù^^

 

 

 

KakaoTalk_20260318_141454246_02.jpg

 

 

 

 

 

 

 

 

 

 

 

 

KakaoTalk_20260318_141454246_03.jpg

 

 

 

 

 

 

 

 

 

 

 

 

KakaoTalk_20260318_141454246.jpg

 

 

 

 

 

 

 

 

 

 

 


  3¿ù 15ÀÏ ÀÏ¿äÀÏ Àú¼öÁö

 

KakaoTalk_20260318_142231141.jpg

 

Àú¼öÁö 42cm ÅäÁ¾ºØ¾î Á¶°ú! 

ÃàÇÏÇÕ´Ï´Ù^^

 

 

 

KakaoTalk_20260318_142231141_01.jpg

 


 

 

 

 

 

 

 

 

KakaoTalk_20260318_142231141_03.jpg

 

 

 

 

 

 

 

 

 

 

 

 

 

 

 


 * °¡²û ±¤°í¸¦ Ŭ¸¯ÇØ ºÁ ÁÖ½Ã¸é ³¬¶û »çÀÌÆ® ¿î¿µ¿¡ µµ¿òÀÌ µË´Ï´Ù ^^
  
ÃÑ 0°³ÀÇ ´ñ±ÛÀÌ ÀÖ½À´Ï´Ù.

    ´ñ±Û¾²±â     [·Î±×ÀÎ] | [ȸ¿ø°¡ÀÔ]
 
 
638Áö³­ ÁÖ¸» ¾ç¾îÀå/Àú¼öÁö Á¶È²(3/28 Åä °³Àå) °íÀܳ¬½ÃÅÍ26.03.18
637±ÝÀÏ Àú¼öÁö ¹æ·ù ¿Ï·á! 3¿ù 28ÀÏ °³Àå ¾È³»°íÀܳ¬½ÃÅÍ26.03.12
636¸ñ~ÀÏ Á¶È² ¹× ¹æ·ù_3¿ù 28ÀÏ °³Àå°íÀܳ¬½ÃÅÍ26.03.09
635Åä¿äÀÏ ¾ç¾îÀ壯Àú¼öÁö ¹æ·ù ¿Ï·á°íÀܳ¬½ÃÅÍ26.03.02
634±Ý¿äÀÏ ¾ç¾îÀå ¹æ·ù ¿Ï·á/ Àú¼öÁö 4Â¥ °íÀܳ¬½ÃÅÍ26.03.01
633¾ç¾îÀå/ Àú¼öÁö _ ¹°³¬½Ã °¡´ÉÇÕ´Ï´Ù°íÀܳ¬½ÃÅÍ26.02.25
632¹°³¬½Ã °¡´ÉÇÕ´Ï´Ù/ 4Â¥ ¼Ò½Ä°íÀܳ¬½ÃÅÍ26.02.19
631Àú¼öÁö, ¾ç¾îÀå Á¶È² ÀüÇÕ´Ï´Ù (¼Õ¸ÀÅÍ ÅÙÆ® ¼³Ä¡ ¿Ï·á)°íÀܳ¬½ÃÅÍ25.12.21
630¿ù¿äÀÏ 4Â¥ Á¶È²°íÀܳ¬½ÃÅÍ25.12.10
629ÀÏ¿äÀÏ Àú¼öÁö/ ¾ç¾îÀå ¼Õ¸ÀÅÍ ¹æ·ù°íÀܳ¬½ÃÅÍ25.12.02
628¼ö¿äÀÏ Àú¼öÁö ºØ¾î ¹æ·ù °íÀܳ¬½ÃÅÍ25.11.27
627¿ù, È­ Á¶È²ÀÔ´Ï´Ù°íÀܳ¬½ÃÅÍ25.11.26
  1   2   3   4   5   6   7   8   9   10   

³¬½Ã»ç¶û¼Ò°³ | ¿À½Ã´Â±æ | ³¬½Ã»ç¶û¹è³Ê | ÀÌ¿ë¾à°ü | À̸ÞÀϹ«´Ü¼öÁý°ÅºÎ | °³ÀÎÁ¤º¸Ãë±Þ¹æÄ§ | ±Ç¸®Ä§ÇØ½Å°í¼¾ÅÍ
Copyright 1997~2022 (ÁÖ)À¥¶óÀÌÇÁ/³¬½Ã»ç¶û All rights reserved »ç¾÷ÀÚµî·Ï¹øÈ£ 110-81-42683
»ç¾÷Àå : ¼­¿ïƯº°½Ã ¿µµîÆ÷±¸ ¿µµîÆ÷·Î 374, 3Ãþ
[±¤°í/Á¦ÈÞ ¹× Ãßõ»óǰ µî·Ï¹®ÀÇ]     [³¬½ÃÅÍ ¹× ³¬½Ë¹è µî·Ï¹®ÀÇ]     [¹Î¿ø/°ÇÀÇ/½Å°í]     [¸ÞÀϹ®ÀÇ]     [¹®ÀÇ(FAX) 02-2634-2730]