¸¶Àü³¬½Ã°ø¿ø À¯·á³¬½ÃÅÍ > È­»çÇÑ ²Éµé°ú ÇÔ²² : ³¬½Ã»ç¶û
ȸ¿ø°¡ÀÔ | ·Î±×ÀΠ| ½ÃÀÛÆäÀÌÁö | Áñ°Üã±â | ¹®ÀÇ/¿äû/½Å°í
³¬½ÃÅͼ±Åà | Àαâ°Ë»ö¾î | ¹Î¹°ÈÄ¿ø³¬½ÃÅÍ | ¹Ù´ÙÈÄ¿øÅÍ
 
¹Î¹°³¬½Ã | Á´ë/À¯·áÅÍ | ¹Ù´Ù³¬½Ã | ·ç¾î³¬½Ã | Ä¿¹Â´ÏƼ | ³¬¶ûŬ·´ | ³¬½Ã½ºÄð | Áß°íÀåÅÍ | ³¬½ÃQ&A | »ç¿ë±â/°­Á | ÃâÁ¶Á¤º¸ | °ø±¸/¿ëǰÁ¤º¸

 ½Ç½Ã°£³¬½ÃÅͼҽÄ(ÈÄ¿øÅÍ)

- º» °Ô½Ã¹°À» ¹«´Ü ´Ù¿î·Îµå, µµ¿ë, Àοë, ¸µÅ© ±ÝÁö. HOME >À¯·áÅÍÁ¤º¸ >½Ç½Ã°£³¬½ÃÅͼҽÄ(ÈÄ¿øÅÍ)
¸¶Àü³¬½Ã°ø¿ø
ÀÛ¼ºÀÏ : 2026-04-01 13:02:32 / ÀϹÝÅÍ / °æ±â Æ÷õ½Ã ¸¶Àü³¬½Ã°ø¿ø   

Á¦¸ñ l ¸¶Àü³¬½Ã°ø¿ø À¯·á³¬½ÃÅÍ > È­»çÇÑ ²Éµé°ú ÇÔ²² : ³¬½Ã»ç¶û

 

¾È³çÇϼ¼¿ä. ¸¶ÀüÁö±âÀÔ´Ï´Ù.

¿ÃÇØ´Â ³¯¾¾ÀÇ ¿µÇâÀ¸·Î °³È­ ½Ã±â°¡

¿¹³âº¸´Ù ¾à 10ÀÏ Á¤µµ »¡¶óÁ³½À´Ï´Ù.

È­»çÇÏ°Ô ÇÉ ²ÉµéÀÇ Çâ±âÀ» ¸ÃÀ¸¸é¼­

¹Ù»Û ÀÏ»ó¼Ó¿¡ ÇູÇÑ ¿¡³ÊÁö ¾ò±æ ¹Ù¶ø´Ï´Ù.

°³È­µÇ´Â ³¯¾¾¼Ó¿¡¼­ Á¡Á¡ ÁÁ¾ÆÁö´Â Á¶È²ÀÇ ±â¿îµµ

°ð ¸ÓÁö ¾Ê¾Æ Ȱ¦ ÇʰŶó°í »ý°¢ µË´Ï´Ù.

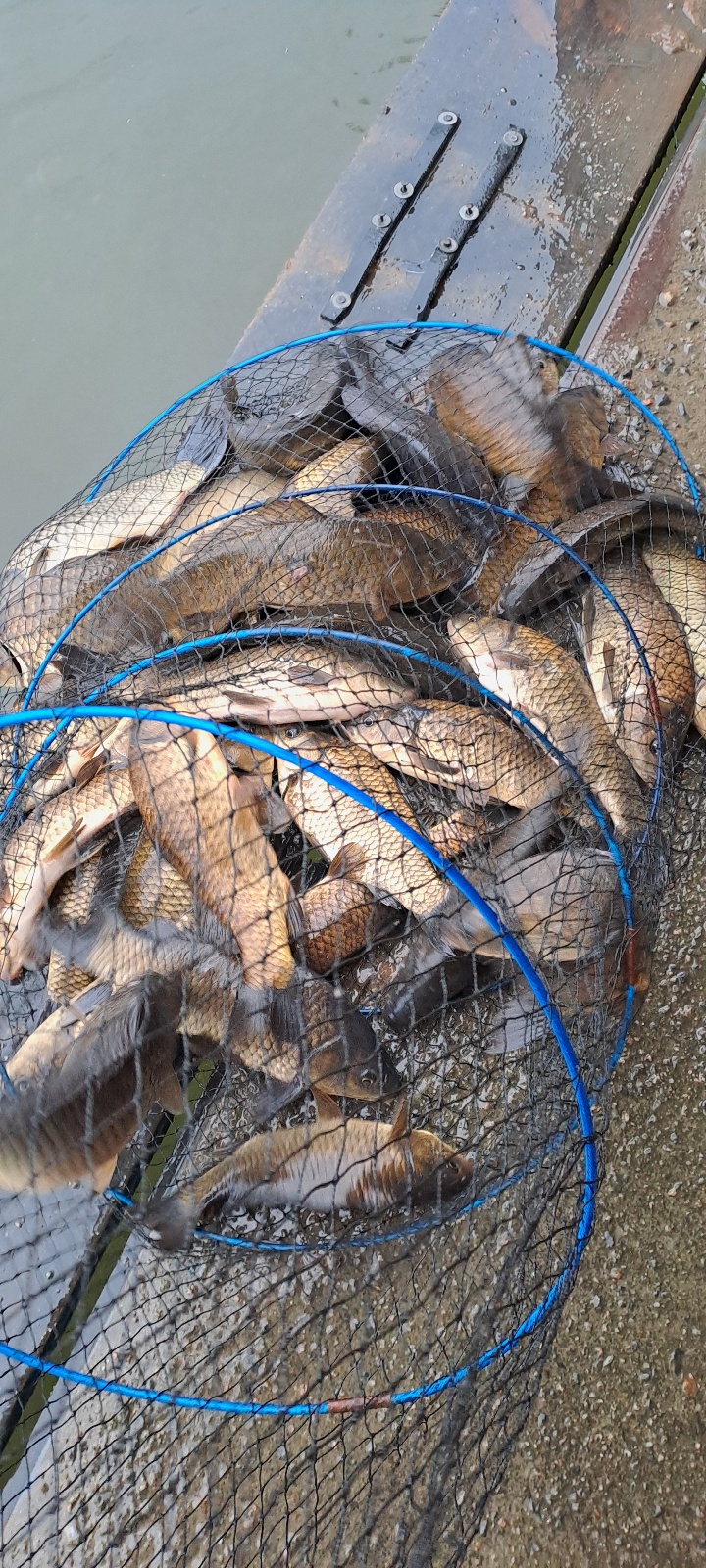
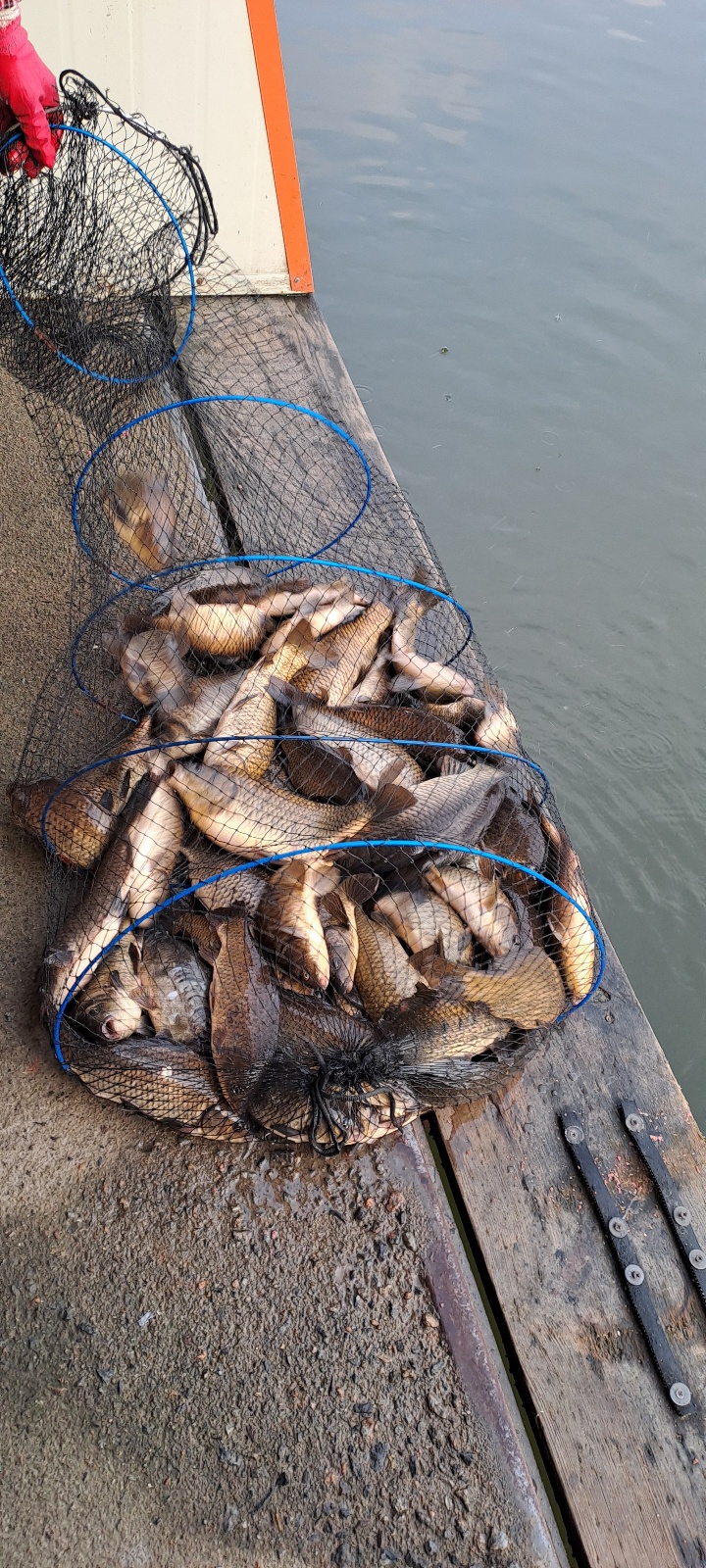
4¿ù 18ÀÏ¿¡´Â Á¶»ç´Ôµé²²¼­ 

Á÷Á¢ ÃøÁ¤ÇÏ¿© 1t¹æ·ù °í±â ´ëÃàÁ¦°¡ ÁøÇà µÉ ¿¹Á¤ÀÔ´Ï´Ù.

º½Ã³·³ µû¶æÇϰí ÇູÇÑ 4¿ù º¸³»½Ã±æ ¹Ù¶ø´Ï´Ù.

 

 

 

 

¸ÅÁÖ ºØ¾î ¹æ·ùÇÕ´Ï´Ù.

 

 

 

 

4¿ù18ÀÏ Åä¿äÀÏ

Á¶»ç´Ô²²¼­ Á÷Á¢ ÃøÁ¤ÇÏ¿©

1t ¹æ·ùÇÏ´Â ¸¶Àü°í±â´ëÃàÁ¦°¡ ¿­¸³´Ï´Ù.

 

 


 

KakaoTalk_20260401_111100940.jpg

 

 

KakaoTalk_20260401_111039984.jpg

 

 

KakaoTalk_20260401_111026066.jpg

 

 

KakaoTalk_20260401_111007467_20.jpg

 

 

KakaoTalk_20260401_111007467_19.jpg

 

 

KakaoTalk_20260401_111007467_18.jpg

 

 

KakaoTalk_20260401_111007467_17.jpg

 

 

KakaoTalk_20260401_111007467_16.jpg

 

 

KakaoTalk_20260401_111007467_15.jpg

 

 

KakaoTalk_20260401_111007467_14.jpg

 

 

KakaoTalk_20260401_111007467_13.jpg

 

 

KakaoTalk_20260401_111007467_12.jpg

 

 

KakaoTalk_20260401_111007467_11.jpg

 

 

KakaoTalk_20260401_111007467_10.jpg

 

 

KakaoTalk_20260401_111007467_09.jpg

 

 

KakaoTalk_20260401_111007467_08.jpg

 

 

KakaoTalk_20260401_111007467_07.jpg

 

 

KakaoTalk_20260401_111007467_06.jpg

 

 

KakaoTalk_20260401_111007467_05.jpg

 

 

KakaoTalk_20260401_111007467_04.jpg

 

 

KakaoTalk_20260401_111007467_03.jpg

 

 

KakaoTalk_20260401_111007467_02.jpg

 

 

KakaoTalk_20260401_111007467_01.jpg

 

 

KakaoTalk_20260401_111007467.jpg

 

 

1741017442005-1.jpg

 


KakaoTalk_20250710_234101893.png

 

 

Á¦¸ñ ¾øÀ½03.png

 

 

 

1741017442005-4.jpg

1,2ÀÎ½Ç ¹æ°¥·Î »çÁø ¾÷µ¥ÀÌÆ®!! 

 


KakaoTalk_20250710_233941136.png

 

 

1741017442005-5.jpg

              

 


 * °¡²û ±¤°í¸¦ Ŭ¸¯ÇØ ºÁ ÁÖ½Ã¸é ³¬¶û »çÀÌÆ® ¿î¿µ¿¡ µµ¿òÀÌ µË´Ï´Ù ^^
  
ÃÑ 0°³ÀÇ ´ñ±ÛÀÌ ÀÖ½À´Ï´Ù.

    ´ñ±Û¾²±â     [·Î±×ÀÎ] | [ȸ¿ø°¡ÀÔ]
 
 
1520È­»çÇÑ ²Éµé°ú ÇÔ²² ¸¶Àü³¬½Ã°ø¿ø26.04.01
15193¿ùÀÇ ¸»±îÁö!!¸¶Àü³¬½Ã°ø¿ø26.03.30
1518²ÙÁØÇÔÀÇ ¿¬¼Ó¸¶Àü³¬½Ã°ø¿ø26.03.27
1517º½ºµÀÇ Á¶È²¸¶Àü³¬½Ã°ø¿ø26.03.25
1516º½ ÁÖ¸» Á¶È²¼Ò½Ä¸¶Àü³¬½Ã°ø¿ø26.03.23
1515ÃáºÐÀÇ ±â¼¼¸¶Àü³¬½Ã°ø¿ø26.03.20
1514Á¶È²°ú ÇÔ²² º½À¸·Î¸¶Àü³¬½Ã°ø¿ø26.03.18
1513Ãʺ½ ±â¿îÀÇ ÀÔÁú¸¶Àü³¬½Ã°ø¿ø26.03.16
1512ºØ¾î ¹æ·ù ½ÃÀÛÇÕ´Ï´Ù!!¸¶Àü³¬½Ã°ø¿ø26.03.13
1511ºØ¾î ¹æ·ù ½ÃÀÛÇÕ´Ï´Ù¸¶Àü³¬½Ã°ø¿ø26.03.11
1510Ãʺ½ÀÇ ÁÖ¸»Á¶È²¸¶Àü³¬½Ã°ø¿ø26.03.09
1509Ȱ¹ßÇÑ ºØ¾îÀÇ ¿òÁ÷ÀÓ¸¶Àü³¬½Ã°ø¿ø26.03.06
  1   2   3   4   5   6   7   8   9   10   

³¬½Ã»ç¶û¼Ò°³ | ¿À½Ã´Â±æ | ³¬½Ã»ç¶û¹è³Ê | ÀÌ¿ë¾à°ü | À̸ÞÀϹ«´Ü¼öÁý°ÅºÎ | °³ÀÎÁ¤º¸Ãë±Þ¹æÄ§ | ±Ç¸®Ä§ÇØ½Å°í¼¾ÅÍ
Copyright 1997~2022 (ÁÖ)À¥¶óÀÌÇÁ/³¬½Ã»ç¶û All rights reserved »ç¾÷ÀÚµî·Ï¹øÈ£ 110-81-42683
»ç¾÷Àå : ¼­¿ïƯº°½Ã ¿µµîÆ÷±¸ ¿µµîÆ÷·Î 374, 3Ãþ
[±¤°í/Á¦ÈÞ ¹× Ãßõ»óǰ µî·Ï¹®ÀÇ]     [³¬½ÃÅÍ ¹× ³¬½Ë¹è µî·Ï¹®ÀÇ]     [¹Î¿ø/°ÇÀÇ/½Å°í]     [¸ÞÀϹ®ÀÇ]     [¹®ÀÇ(FAX) 02-2634-2730]