â½ÅÁ´ë À¯·á³¬½ÃÅÍ > ¼ÛÀüÁö â½ÅÁý Á¶È²Á¤º¸ : ³¬½Ã»ç¶û
ȸ¿ø°¡ÀÔ | ·Î±×ÀΠ| ½ÃÀÛÆäÀÌÁö | Áñ°Üã±â | ¹®ÀÇ/¿äû/½Å°í
³¬½ÃÅͼ±Åà | Àαâ°Ë»ö¾î | ¹Î¹°ÈÄ¿ø³¬½ÃÅÍ | ¹Ù´ÙÈÄ¿øÅÍ
 
¹Î¹°³¬½Ã | Á´ë/À¯·áÅÍ | ¹Ù´Ù³¬½Ã | ·ç¾î³¬½Ã | Ä¿¹Â´ÏƼ | ³¬¶ûŬ·´ | ³¬½Ã½ºÄð | Áß°íÀåÅÍ | ³¬½ÃQ&A | »ç¿ë±â/°­Á | ÃâÁ¶Á¤º¸ | °ø±¸/¿ëǰÁ¤º¸

 ½Ç½Ã°£³¬½ÃÅͼҽÄ(ÈÄ¿øÅÍ)

- º» °Ô½Ã¹°À» ¹«´Ü ´Ù¿î·Îµå, µµ¿ë, Àοë, ¸µÅ© ±ÝÁö. HOME >À¯·áÅÍÁ¤º¸ >½Ç½Ã°£³¬½ÃÅͼҽÄ(ÈÄ¿øÅÍ)

â½ÅÁ´ë
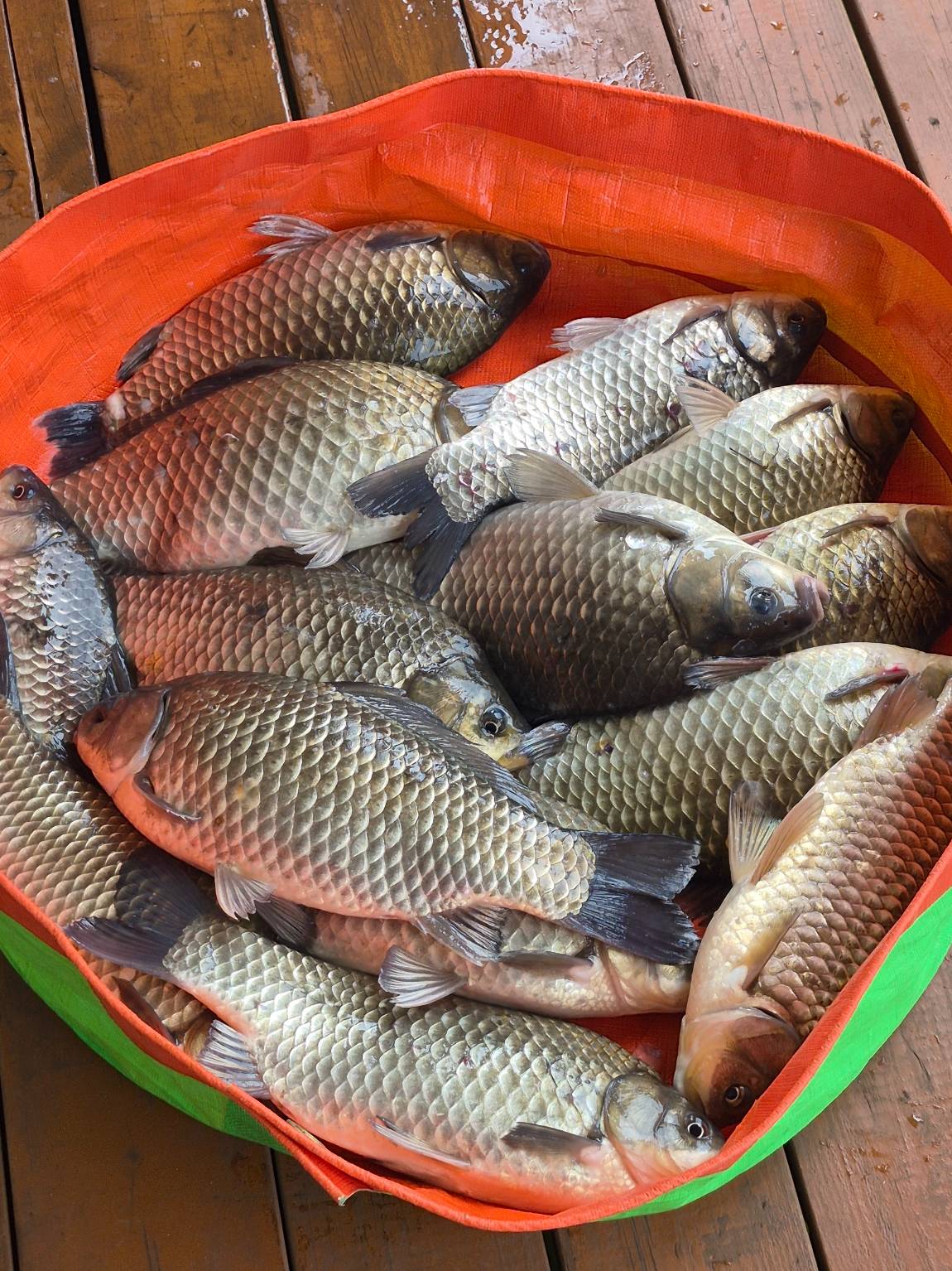
ÀÛ¼ºÀÏ : 2026-04-05 21:23:33 / Àú¼öÁö / °æ±â ¼ÛÀüÁö â½ÅÁý   

Á¦¸ñ l â½ÅÁ´ë À¯·á³¬½ÃÅÍ > ¼ÛÀüÁö â½ÅÁý Á¶È²Á¤º¸ : ³¬½Ã»ç¶û


 


¹Ù¶÷ÀÌ Á¶±Ý °­ÇÑ °¡¿îµ¥¿¡µµ

ÀÔÁúÀº À̾îÁö°í ÀÖ¾î

Àü¹ÝÀûÀ¸·Î ¸¶¸®¼ö Á¶È²À» º¸À̰í Àֳ׿ä.


ÀÚ¼¼ÇÑ Á¶È² Á¤º¸ ¹× ÁÂ´ë ¿¹¾à ¹®ÀÇ

010-5342-7449

031-336-7089 

 

 

changsin_01 2.jpeg

 

 

changsin_02 2.jpeg

 

 

changsin_03 2.jpeg

 

 

changsin_04 2.jpeg

 

 

changsin_05 2.jpeg

 

 

changsin_06 2.jpeg

 

 

changsin_07 2.jpeg

 

 

changsin_08 2.jpeg

 

 

changsin_09 2.jpeg

 

 

changsin_10 2.jpeg

 

 

changsin_11 2.jpeg

 

 

changsin_12 2.jpeg

 

 

changsin_13 2.jpeg

 

 

changsin_14 2.jpeg

 

 

changsin_15 2.jpeg

 

 

changsin_16 2.jpeg

 

 

changsin_17 2.jpeg

 

 

changsin_18 2.jpeg

 

 

changsin_19 2.jpeg

 

 

changsin_20 2.jpeg

 

 

changsin_21 2.jpeg

 

 

changsin_22 2.jpeg

 

 

changsin_23 2.jpeg

 

 

changsin_24 2.jpeg

 

 

changsin_25 2.jpeg

 

 

changsin_26 2.jpeg

 


 * °¡²û ±¤°í¸¦ Ŭ¸¯ÇØ ºÁ ÁÖ½Ã¸é ³¬¶û »çÀÌÆ® ¿î¿µ¿¡ µµ¿òÀÌ µË´Ï´Ù ^^
  
ÃÑ 0°³ÀÇ ´ñ±ÛÀÌ ÀÖ½À´Ï´Ù.

    ´ñ±Û¾²±â     [·Î±×ÀÎ] | [ȸ¿ø°¡ÀÔ]
 
 
222 ¼ÛÀüÁö â½ÅÁý Á¶È²Á¤º¸ Ã¢½ÅÁ´ë26.04.05
221¼ÛÀüÁö â½ÅÁý Á¶È² Á¤º¸Ã¢½ÅÁ´ë26.03.30
220¼ÛÀüÁö â½ÅÁý Á¶È² Á¤º¸Ã¢½ÅÁ´ë26.03.28
219¼ÛÀüÁö â½ÅÁý Á¶È² Á¤º¸Ã¢½ÅÁ´ë26.03.22
218¼ÛÀüÁö â½ÅÁý Á¶È² Á¤º¸Ã¢½ÅÁ´ë26.03.19
217¼ÛÀüÁö â½ÅÁý Á¶È² Á¤º¸Ã¢½ÅÁ´ë26.03.15
216¼ÛÀüÁö â½ÅÁý Á¶È² Á¤º¸Ã¢½ÅÁ´ë26.03.10
215¼ÛÀüÁö â½ÅÁý Á¶È²Á¤º¸Ã¢½ÅÁ´ë26.03.08
214º½ ½ÃÁð 1È£, 2È£ 4Â¥~â½ÅÁ´ë26.03.04
2132026³â º½ÀÇ ½ÃÀÛ~â½ÅÁ´ë26.02.26
212¼ÛÀüÁö â½ÅÁ´ë Á¶È²Á¤º¸Ã¢½ÅÁ´ë25.11.02
211¼ÛÀüÁö â½ÅÁ´ë Á¶È²Á¤º¸~â½ÅÁ´ë25.05.25
  1   2   3   4   5   6   7   8   9   10   

³¬½Ã»ç¶û¼Ò°³ | ¿À½Ã´Â±æ | ³¬½Ã»ç¶û¹è³Ê | ÀÌ¿ë¾à°ü | À̸ÞÀϹ«´Ü¼öÁý°ÅºÎ | °³ÀÎÁ¤º¸Ãë±Þ¹æÄ§ | ±Ç¸®Ä§ÇØ½Å°í¼¾ÅÍ
Copyright 1997~2022 (ÁÖ)À¥¶óÀÌÇÁ/³¬½Ã»ç¶û All rights reserved »ç¾÷ÀÚµî·Ï¹øÈ£ 110-81-42683
»ç¾÷Àå : ¼­¿ïƯº°½Ã ¿µµîÆ÷±¸ ¿µµîÆ÷·Î 374, 3Ãþ
[±¤°í/Á¦ÈÞ ¹× Ãßõ»óǰ µî·Ï¹®ÀÇ]     [³¬½ÃÅÍ ¹× ³¬½Ë¹è µî·Ï¹®ÀÇ]     [¹Î¿ø/°ÇÀÇ/½Å°í]     [¸ÞÀϹ®ÀÇ]     [¹®ÀÇ(FAX) 02-2634-2730]