»êµé³¬½ÃÅÍ À¯·á³¬½ÃÅÍ > ¾Æ»ê »êµé³¬½ÃÅÍ 4¿ù15ÀÏ »ê¶õ ÆÄ½Ã : ³¬½Ã»ç¶û
ȸ¿ø°¡ÀÔ | ·Î±×ÀΠ| ½ÃÀÛÆäÀÌÁö | Áñ°Üã±â | ¹®ÀÇ/¿äû/½Å°í
³¬½ÃÅͼ±Åà | Àαâ°Ë»ö¾î | ¹Î¹°ÈÄ¿ø³¬½ÃÅÍ | ¹Ù´ÙÈÄ¿øÅÍ
 
¹Î¹°³¬½Ã | Á´ë/À¯·áÅÍ | ¹Ù´Ù³¬½Ã | ·ç¾î³¬½Ã | Ä¿¹Â´ÏƼ | ³¬¶ûŬ·´ | ³¬½Ã½ºÄð | Áß°íÀåÅÍ | ³¬½ÃQ&A | »ç¿ë±â/°­Á | ÃâÁ¶Á¤º¸ | °ø±¸/¿ëǰÁ¤º¸

 ½Ç½Ã°£³¬½ÃÅͼҽÄ(ÈÄ¿øÅÍ)

- º» °Ô½Ã¹°À» ¹«´Ü ´Ù¿î·Îµå, µµ¿ë, Àοë, ¸µÅ© ±ÝÁö. HOME >À¯·áÅÍÁ¤º¸ >½Ç½Ã°£³¬½ÃÅͼҽÄ(ÈÄ¿øÅÍ)

»êµé³¬½ÃÅÍ
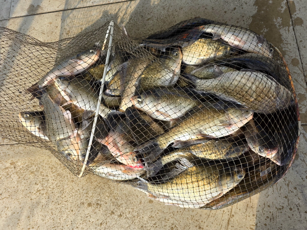
ÀÛ¼ºÀÏ : 2026-04-15 07:28:30 / Àú¼öÁö / Ãæ³² ¾Æ»ê½Ã »êµé³¬½ÃÅÍ   

Á¦¸ñ l »êµé³¬½ÃÅÍ À¯·á³¬½ÃÅÍ > ¾Æ»ê »êµé³¬½ÃÅÍ 4¿ù15ÀÏ »ê¶õ ÆÄ½Ã : ³¬½Ã»ç¶û

 

 

 


 

            

 ±×°÷¿¡ °¡°í ½Í´Ù~ ¾Æ»êÀÇ ´ëÇ¥ Èú¸µÅÍ

           

»êµé ³¬½ÃÅÍ

 

 


 ¿¬ÀÏ µû¶æÇÏ´Ù ¸øÇØ ´þ±â±îÁö ÇÑ ³¯¾¾¿¡ ¼ö¿Âµµ ºÎ½¿Ã¶ó »ê¶õ ÆÄ½Ã°¡ ½ÃÀ۵Ǿú½À´Ï´Ù

¿©±âÀú±â ºØ¾î µÚÁý´Â ¼Ò¸®¿¡ Àú¼öÁö°¡ ½Ã²ø¹÷ÀûÇÕ´Ï´Ù

¼öÃʱÙó¿¡¼­´Â ºØ¾îµéÀÌ ±ºÁýµÇ¾î µ¹¾Æ´Ù´Ï´Â dz°æµµ ½±°Ô ¸ñ°ÝÇÒ¼ö ÀÖ½À´Ï´Ù

ÀϳâÁß ÇѹøÃ£¾Æ¿À´Â Âù½º¿¡ ´Ùµé »ì¸²¸ÁÀÌ ¹¬Á÷ÇÒ Á¤µµ·Î ¼Õ¸Àµé º¸¼Ì´Âµ¥¿ä

¾ËÀÌ ¹¬Á÷ÇÏ°Ô Â÷ÀÖ´Â ºØ¾î´Â ¹Ù·Î ¹æ»ýÇØÁֽðÍÀ» ºÎʵ右´Ï´Ù

 

 

KakaoTalk_20260415_070440120_03[edit].jpg

 

 

KakaoTalk_20260415_070451786_17[edit].jpg

 

 

KakaoTalk_20260415_070451786_03[edit].jpg

 

 

KakaoTalk_20260415_070451786_02[edit].jpg

 

 

KakaoTalk_20260415_070451786_09[edit].jpg

 

 

KakaoTalk_20260415_070451786_04[edit].jpg

 

 

KakaoTalk_20260415_070440120_23[edit].jpg

 

 

KakaoTalk_20260415_070440120_24[edit].jpg

 

 

KakaoTalk_20260415_070440120_25[edit].jpg

 

 

KakaoTalk_20260415_070440120_17[edit].jpg

 

 

KakaoTalk_20260415_070440120_19[edit].jpg

 

 

KakaoTalk_20260415_070440120_11 (1)[edit].jpg

 

 

KakaoTalk_20260415_070440120_12[edit].jpg

 

 

KakaoTalk_20260415_070440120_10[edit].jpg

 

 

KakaoTalk_20260414_102606090_06[edit].jpg

 

 

KakaoTalk_20260414_102606090_05[edit].jpg

 

 

KakaoTalk_20260415_070440120_15[edit].jpg

 

 

KakaoTalk_20260414_102606090_01[edit].jpg

 

 

KakaoTalk_20260414_102606090_02[edit].jpg

 

 

KakaoTalk_20260414_102606090[edit].jpg

 

 

KakaoTalk_20260415_070440120_06[edit].jpg

 

 

KakaoTalk_20260415_070440120_08 (1)[edit].jpg

 

 

KakaoTalk_20260415_070440120_09 (1)[edit].jpg

 

 

KakaoTalk_20260415_070440120[edit].jpg

 




 

 

 

<³¬½ÃÅÍÁ¤º¸>

 

 ¡Ü À§ Ä¡ : Ãæ³² ¾Æ»ê½Ã ¹è¹æ¸é ¼öö¸® 270-1 (³×ºñ°ÔÀ̼Ç:»êµé³¬½ÃÅÍ)
¡Ü Àü È­ : 010-9060-4121 / 041-532 -6980
¡Ü ±³ Åë : ´ëÁß±³Åë
¡Ü ¸é Àû : 2¸¸ 5õ ¿© Æò
¡Ü ¼ö Áú : ÀÚ¿¬°è°î¼ö
¡Ü ¾î Á¾ : ¶±ºØ¾î, ÅäÁ¾ºØ¾î, ÇâºØ¾î, À×¾î,Çâ¾î,¸Þ±â
¡Ü ¼ö ½É : 1
~4m

¡Ü ¹Ì ³¢ : ¶±¹ä,Áö··ÀÌ ,»ý¹Ì³¢

 


¡Ü ¼ö»óÁ´ëÀÌ¿ë¿ä±Ý

 

  ÁßÇüÁ´ë,¿¬·úÁ´ë(2ÀαâÁØ) :ÆòÀÏ 8¸¸¿ø , ÁÖ¸»(±ÝÅä,°øÈÞÀÏÀüÀÏ): 10¸¸¿ø

       ´ëÇüÁ´ë(3ÀαâÁØ) : ÆòÀÏ11¸¸¿ø ,ÁÖ¸»(±ÝÅä,°øÈÞÀÏÀüÀÏ): 13¸¸¿ø
       Æ¯´ëÁ´ë(5ÀαâÁØ) : ÆòÀÏ17¸¸¿ø ,ÁÖ¸»(±ÝÅä,°øÈÞÀÏÀüÀÏ): 20¸¸¿ø
      


      * 1ÀÎ Ãß°¡ ÀÌ¿ë½Ã : 25,000¿ø Ãß°¡

      

¡Ü ³ëÁö ¹× Àܱ³ ÀÌ¿ë¿ä±Ý : 25,000¿ø(¼Õ¸À, ÀâÀÌ ±¸ºÐ ¾øÀ½)

   
 

 


¡Ü ºÎ´ë½Ã¼³ : ¸ÅÁ¡, È­Àå½Ç, ÁÖÂ÷½Ã¼³ 
¡Ü ¿µ¾÷½Ã°£ : 24½Ã°£

 

sandul_co_kr_20160809_163313.jpg

 

 

 







 

 

 

 

 

 

 * °¡²û ±¤°í¸¦ Ŭ¸¯ÇØ ºÁ ÁÖ½Ã¸é ³¬¶û »çÀÌÆ® ¿î¿µ¿¡ µµ¿òÀÌ µË´Ï´Ù ^^
  
ÃÑ 0°³ÀÇ ´ñ±ÛÀÌ ÀÖ½À´Ï´Ù.

    ´ñ±Û¾²±â     [·Î±×ÀÎ] | [ȸ¿ø°¡ÀÔ]
 
 
110¾Æ»ê »êµé³¬½ÃÅÍ 4¿ù15ÀÏ »ê¶õ ÆÄ½Ã »êµé³¬½ÃÅÍ26.04.15
109¾Æ»ê »êµé³¬½ÃÅÍ 4¿ù13ÀÏ ÁÖ¸» Á¶È²Á¤º¸ »êµé³¬½ÃÅÍ26.04.13
108¾Æ»ê »êµé³¬½ÃÅÍ 4¿ù11ÀÏ ¹æ·ù ¹× Á¶È²Á¤º¸»êµé³¬½ÃÅÍ26.04.11
107¾Æ»ê »êµé³¬½ÃÅÍ 4¿ù10ÀÏ ÁÖÁß Á¶È²Á¤º¸»êµé³¬½ÃÅÍ26.04.10
106¾Æ»ê »êµé³¬½ÃÅÍ 4¿ù7ÀÏ Á¶È²Á¤º¸ »êµé³¬½ÃÅÍ26.04.07
105¾Æ»ê »êµé³¬½ÃÅÍ 4¿ù 5ÀÏ È­²öÇß´ø ÁÖ¸»Á¶È²»êµé³¬½ÃÅÍ26.04.05
104¾Æ»ê »êµé³¬½ÃÅÍ 4¿ù4ÀÏ °÷°÷¿¡¼­ ÅÍÁ®Áֳ׿ä»êµé³¬½ÃÅÍ26.04.04
103¾Æ»ê »êµé³¬½ÃÅÍ 4¿ù3ÀÏ ¹æ·ù ¹× Á¶È²Á¤º¸»êµé³¬½ÃÅÍ26.04.03
102¾Æ»ê »êµé³¬½ÃÅÍ 4¿ù2ÀÏ Á¶È²Á¤º¸ »êµé³¬½ÃÅÍ26.04.02
101¾Æ»ê »êµé³¬½ÃÅÍ 3¿ù31ÀÏ Á¶È²Á¤º¸ »êµé³¬½ÃÅÍ26.03.31
100¾Æ»ê »êµé³¬½ÃÅÍ 3¿ù 29ÀÏ ÁÖ¸» Á¶È²Á¤º¸»êµé³¬½ÃÅÍ26.03.29
99¾Æ»ê »êµé³¬½ÃÅÍ 3¿ù28ÀÏ Á¶È²Á¤º¸»êµé³¬½ÃÅÍ26.03.28
  1   2   3   4   5   6   7   8   9   10   

³¬½Ã»ç¶û¼Ò°³ | ¿À½Ã´Â±æ | ³¬½Ã»ç¶û¹è³Ê | ÀÌ¿ë¾à°ü | À̸ÞÀϹ«´Ü¼öÁý°ÅºÎ | °³ÀÎÁ¤º¸Ãë±Þ¹æÄ§ | ±Ç¸®Ä§ÇØ½Å°í¼¾ÅÍ
Copyright 1997~2022 (ÁÖ)À¥¶óÀÌÇÁ/³¬½Ã»ç¶û All rights reserved »ç¾÷ÀÚµî·Ï¹øÈ£ 110-81-42683
»ç¾÷Àå : ¼­¿ïƯº°½Ã ¿µµîÆ÷±¸ ¿µµîÆ÷·Î 374, 3Ãþ
[±¤°í/Á¦ÈÞ ¹× Ãßõ»óǰ µî·Ï¹®ÀÇ]     [³¬½ÃÅÍ ¹× ³¬½Ë¹è µî·Ï¹®ÀÇ]     [¹Î¿ø/°ÇÀÇ/½Å°í]     [¸ÞÀϹ®ÀÇ]     [¹®ÀÇ(FAX) 02-2634-2730]