¾È³çÇϽʴϱî ÃÖ Ãѹ«ÀÔ´Ï´Ù
¾î´Àµ¡ Ãä´Ù"¼Ò¸®´Â ¿Âµ¥°£µ¥ ¾ø°í
¹ÝÆÈÀÌ ÇÊ¿äÇÑ ½Ã±â°¡ ´Ù°¡¿Ô½À´Ï´Ù
Àϱ³Â÷°¡ ³Ê¹«³ª Å« ³ª¸ÓÁö Á¶È²Àº
½â ÁÁÁö ¾ÊÁö¸¸ ¼ö¿ÂÀÌ ¾ÈÁ¤µÇ¸é
´ë¹ÚÀÇ ²ÞÀÌ ÀÌ·ç¾îÁöÁö ¾ÊÀ»±î »ý°¢Çغ¾´Ï´Ù
°ü¸®¼Ò µÚÂÊÀº °£°£È÷ µÚÁý´Â ¸ð½ÀÀÌ º¸À̰í ÀÖÀ¸³ª
¾ÆÁ÷ º»°ÝÀûÀ¸·Î »ê¶õÀº ÀÌ·ç¾îÁöÁö ¾Ê´Â °¡¿îµ¥
¼ö¿ÂÀÌ ¸ÂÀ¸¸é °ð »ê¶õÀ» ÇÒµíÇÕ´Ï´Ù
Àú¼öÁö Ư¼º»ó ¿¬¾ÈÂÊÀÌ ´õ ±í±â ¶§¹®¿¡
¹è¼ö±â¿¡ ´õ ÁÁÀº Á¶È²À» º¸ÀÌ´Â °æÇâÀÌ Àֱ⿡
¹è¼ö¸¦ ´ëºñÇÑ ¸¹Àº ¹æ·ù¸¦ ÇÏ¿´½À´Ï´Ù
´©°¡ ¿ì¸® »çÀå´Ô Á» ¸»·Á ÁÖ¼ÌÀ½Çմϴ٤ФÐ
ºØ¾î´Â ¸øÀâÀ¸¼Åµµ ¹æ·ù´Â Âü ÀßÇϽʴϴÙ^^
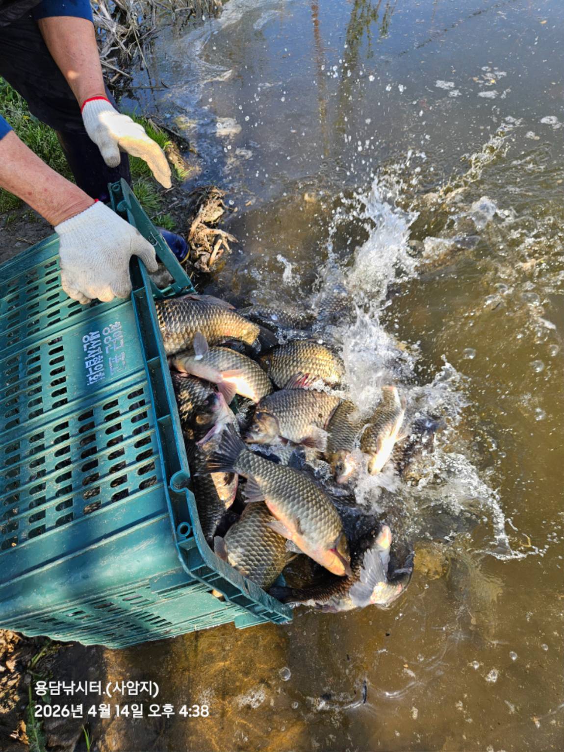
4¿ù 6ÀÏ 300KG
4¿ù 8ÀÏ 350KG
4¿ù 12ÀÏ 450KG
4¿ù 13ÀÏ 350KG
4¿ù 14ÀÏ 900KG
(»çÂ¥ 130KG)
¾ÕÀ¸·Î ²ÙÁØÈ÷ ¹æ·ù ¿¹Á¤ÀÌ¸ç ¹è¼ö±â¿¡µµ
º¯ÇÔ¾ø´Â Á¶È²ÀÌ ÀÌ·ç¾îÁöµµ·Ï ³ë·ÂÇϰڽÀ´Ï´Ù
¹®ÀÇ: 031-322-7860
*****Á¶È²Á¤º¸*****
°ü¸®¼Ò ¸ÂÀºÆí ¼ö¸ô³ª¹« Æ÷ÀÎÆ®
°ü¸®¼Ò µÚ ¼ö¸ô³ª¹« ÂÊÀ¸·Î ´ëÆí¼º Çϼ̽À´Ï´Ù
1ÀÎÁ´뿡¼µµ ¼Õ¸À º¸¼Ì³×¿ä~~
Ä¿ÇÇ °¨»çÈ÷ Àß ¸Ô¾ú½À´Ï´Ù^^
Àß»ý±ä ¿¹ºñ»çÂ¥ ÇѼö ÇϽÅÈÄ ¹Ù·Î »çÁøÀü¼Û^^
1ÀÎÁ´뿡¼ ¼Õ¸Àº¸½Ã°í °¡¼Ì´ä´Ï´Ù~
²Ê¹è±â À߸Ծú½À´Ï´Ù~^^
¼öÃÊ¼Ó ºØ¾î´Ôµé~~½ÃÄ¿¸Õ½º³×¿ä~~^^
*******¹æ·ù»çÁø*****
|
|
* °¡²û ±¤°í¸¦ Ŭ¸¯ÇØ ºÁ ÁÖ½Ã¸é ³¬¶û »çÀÌÆ® ¿î¿µ¿¡ µµ¿òÀÌ µË´Ï´Ù ^^
|
|
|