¾È°ñÁö À¯·á³¬½ÃÅÍ > ¾Æ»ê ¾È°ñÁö Á¶È²ÀÔ´Ï´Ù. : ³¬½Ã»ç¶û
ȸ¿ø°¡ÀÔ | ·Î±×ÀΠ| ½ÃÀÛÆäÀÌÁö | Áñ°Üã±â | ¹®ÀÇ/¿äû/½Å°í
³¬½ÃÅͼ±Åà | Àαâ°Ë»ö¾î | ¹Î¹°ÈÄ¿ø³¬½ÃÅÍ | ¹Ù´ÙÈÄ¿øÅÍ
 
¹Î¹°³¬½Ã | Á´ë/À¯·áÅÍ | ¹Ù´Ù³¬½Ã | ·ç¾î³¬½Ã | Ä¿¹Â´ÏƼ | ³¬¶ûŬ·´ | ³¬½Ã½ºÄð | Áß°íÀåÅÍ | ³¬½ÃQ&A | »ç¿ë±â/°­Á | ÃâÁ¶Á¤º¸ | °ø±¸/¿ëǰÁ¤º¸

 ½Ç½Ã°£³¬½ÃÅͼҽÄ(ÈÄ¿øÅÍ)

- º» °Ô½Ã¹°À» ¹«´Ü ´Ù¿î·Îµå, µµ¿ë, Àοë, ¸µÅ© ±ÝÁö. HOME >À¯·áÅÍÁ¤º¸ >½Ç½Ã°£³¬½ÃÅͼҽÄ(ÈÄ¿øÅÍ)
¾È°ñÁö
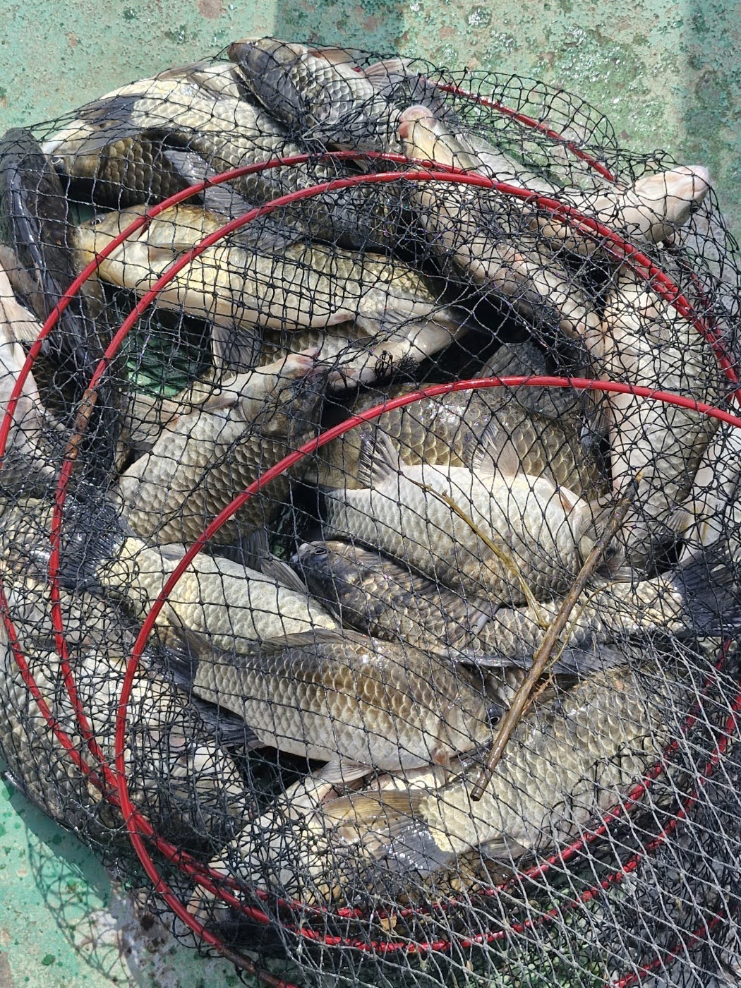
ÀÛ¼ºÀÏ : 2026-04-20 20:56:25 / ÀϹÝÅÍ / Ãæ³² ¾Æ»ê½Ã ¾Æ»ê ¾È°ñ³¬½ÃÅÍ   

Á¦¸ñ l ¾È°ñÁö À¯·á³¬½ÃÅÍ > ¾Æ»ê ¾È°ñÁö Á¶È²ÀÔ´Ï´Ù. : ³¬½Ã»ç¶û

 ÁÁ¾ÆÇÏ´Â Ãë¹Ì »ýȰÀ» Çϸç ÁÖ¸»À» º¸³¾ ¼ö ÀÖ´Ù´Â °ÍÀº

ÇູÇÑ ÀÏÀÌ ¾Æ´Ñ°¡ ½Í½À´Ï´Ù. Èûµé°í °ÅÄ£ ¼¼»óÀ» ÇìÃijª°¡¸ç,

°¡²ûÀº ÀÚ½ÅÀ» À§ÇÑ ½Ã°£À» °¡Áú ¼ö ÀÖ´Ù´Â °ÍÀº Àá½Ã ½°À» ¾òÀ¸¸ç

½É½ÅÀÇ °Ç°­¿¡µµ µµ¿òÀÌ µÉ°Í °°½À´Ï´Ù.

2Â÷ »ê¶õ ÈÄ Á´ë¿Í ³ëÁö Á¶È²ÀÌ ÁÁ¾Ò½À´Ï´Ù. ¿©·¯ºÐ ¸ðµÎ È­ÀÌÆÃ

ÇÏ½Ã´Ï ÀúÈñµµ ³Ê¹« ³Ê¹« ÁÁÀ¸¸ç º¸¶÷ÀÌ ´À²¸Áý´Ï´Ù.

³·¿¡´Â ´þÁö¸¸ ¹ã¿¡´Â Ãß¿ì´Ï µû¶æÇÑ ¿ÜÅõµµ ÁغñÇÏ¼Å¾ß ÇϰڽÀ´Ï´Ù.

°¨»çÇÕ´Ï´Ù.

 

¡Ø³¬½ÃÅÍ ÁÖ¼Ò ¹×  ¿¹¾àÀüÈ­¹øÈ£


µµ·Î¸í ÁÖ¼Ò : ÃæÃ»³²µµ ¾Æ»ê½Ã ¿µÀÎ¸é °í·æ»ê·Î 448


¿¹¾à ÀüÈ­¹øÈ£ : 010-5427-2369


 

1776250585671.jpg

 

 

1776684151657.jpg

 

 

1776684151819.jpg

 

 

1776684151878.jpg

 

 

1776684151999.jpg

 

 

1776684152150.jpg

 

 

1776684152277.jpg

 

 

1776684152427.jpg

 

 

1776684152579.jpg

 

 

1776684152794.jpg

 

 

1776684152949.jpg

 

 

1776684153077.jpg

 

 

1776684153136.jpg

 

 

1776684153237.jpg

 

 

1776684153304.jpg

 

 

1776684153385.jpg

 

 

1776684153460.jpg

 

 

1776684153526.jpg

 

 

1776684153593.jpg

 

 

1776684153711.jpg

 

 

1776684153805.jpg

 

 

1776684153873.jpg

 

 

1776684153949.jpg

 

 

1776684154074.jpg

 

 

1776684154190.jpg

 

 

1776684154299.jpg

 

 

1776684154719.jpg

 

 

1776684154773.jpg

 

 

1776684154826.jpg

 

 

1776684154879.jpg

 

 

1776684154938.jpg

 

 

1776684155032.jpg

 

 



 * °¡²û ±¤°í¸¦ Ŭ¸¯ÇØ ºÁ ÁÖ½Ã¸é ³¬¶û »çÀÌÆ® ¿î¿µ¿¡ µµ¿òÀÌ µË´Ï´Ù ^^
  
ÃÑ 0°³ÀÇ ´ñ±ÛÀÌ ÀÖ½À´Ï´Ù.

    ´ñ±Û¾²±â     [·Î±×ÀÎ] | [ȸ¿ø°¡ÀÔ]
 
 
375¾Æ»ê ¾È°ñÁö Á¶È²ÀÔ´Ï´Ù. ¾È°ñÁö26.04.20
374¾Æ»ê ¾È°ñÁö Á¶È²Á¤º¸ÀÔ´Ï´Ù.¾È°ñÁö26.04.15
373¾Æ»ê ¾È°ñÁö ÀÔ´Ï´Ù.¾È°ñÁö26.04.08
372¾Æ»ê ¾È°ñÁö Á¶È²Á¤º¸ÀÔ´Ï´Ù.¾È°ñÁö26.04.02
371¾Æ»ê ¾È°ñÁö 4Â¥ Á¶È²ÀÔ´Ï´Ù.¾È°ñÁö26.03.29
370¾Æ»ê ¾È°ñÁö ÀÔ´Ï´Ù.¾È°ñÁö26.03.16
36926/3/13 ¾Æ»ê ¾È°ñÁö 4Â¥ ¼Ò½ÄÀÔ´Ï´Ù.¾È°ñÁö26.03.13
368¾Æ»ê ¾È°ñÁö Á¶È²Á¤º¸ÀÔ´Ï´Ù.¾È°ñÁö26.03.04
367¾Æ»ê ¾È°ñÁö 4Â¥ ¼Ò½ÄÀÔ´Ï´Ù.¾È°ñÁö26.02.19
36626³â 1/19ÀÏ ¾Æ»ê ¾È°ñÁö Á¶È²Á¤º¸ÀÔ´Ï´Ù.¾È°ñÁö26.01.19
365¾Æ»ê ¾È°ñÁö ÀԴϴپȰñÁö26.01.05
36412/16 ¾Æ»ê ¾È°ñÁö ÀÔ´Ï´Ù.¾È°ñÁö25.12.16
  1   2   3   4   5   6   7   8   9   10   

³¬½Ã»ç¶û¼Ò°³ | ¿À½Ã´Â±æ | ³¬½Ã»ç¶û¹è³Ê | ÀÌ¿ë¾à°ü | À̸ÞÀϹ«´Ü¼öÁý°ÅºÎ | °³ÀÎÁ¤º¸Ãë±Þ¹æÄ§ | ±Ç¸®Ä§ÇØ½Å°í¼¾ÅÍ
Copyright 1997~2022 (ÁÖ)À¥¶óÀÌÇÁ/³¬½Ã»ç¶û All rights reserved »ç¾÷ÀÚµî·Ï¹øÈ£ 110-81-42683
»ç¾÷Àå : ¼­¿ïƯº°½Ã ¿µµîÆ÷±¸ ¿µµîÆ÷·Î 374, 3Ãþ
[±¤°í/Á¦ÈÞ ¹× Ãßõ»óǰ µî·Ï¹®ÀÇ]     [³¬½ÃÅÍ ¹× ³¬½Ë¹è µî·Ï¹®ÀÇ]     [¹Î¿ø/°ÇÀÇ/½Å°í]     [¸ÞÀϹ®ÀÇ]     [¹®ÀÇ(FAX) 02-2634-2730]