|
¹Ù´Ù³¬½ÃÅÍÁ¶È²Á¤º¸
|
- º» °Ô½Ã¹°À» ¹«´Ü ´Ù¿î·Îµå, µµ¿ë, Àοë, ¸µÅ© ±ÝÁö.
|
HOME >¹Ù´Ù³¬½Ã >¹Ù´Ù³¬½ÃÅÍÁ¶È²Á¤º¸ |
 |
|
 |
|
|
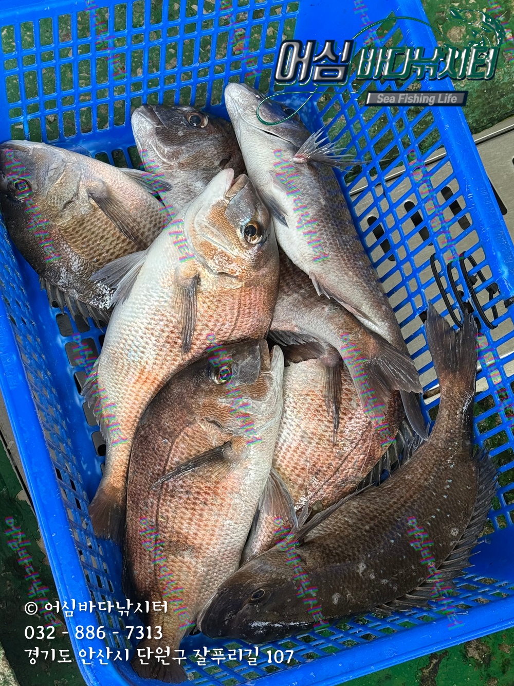
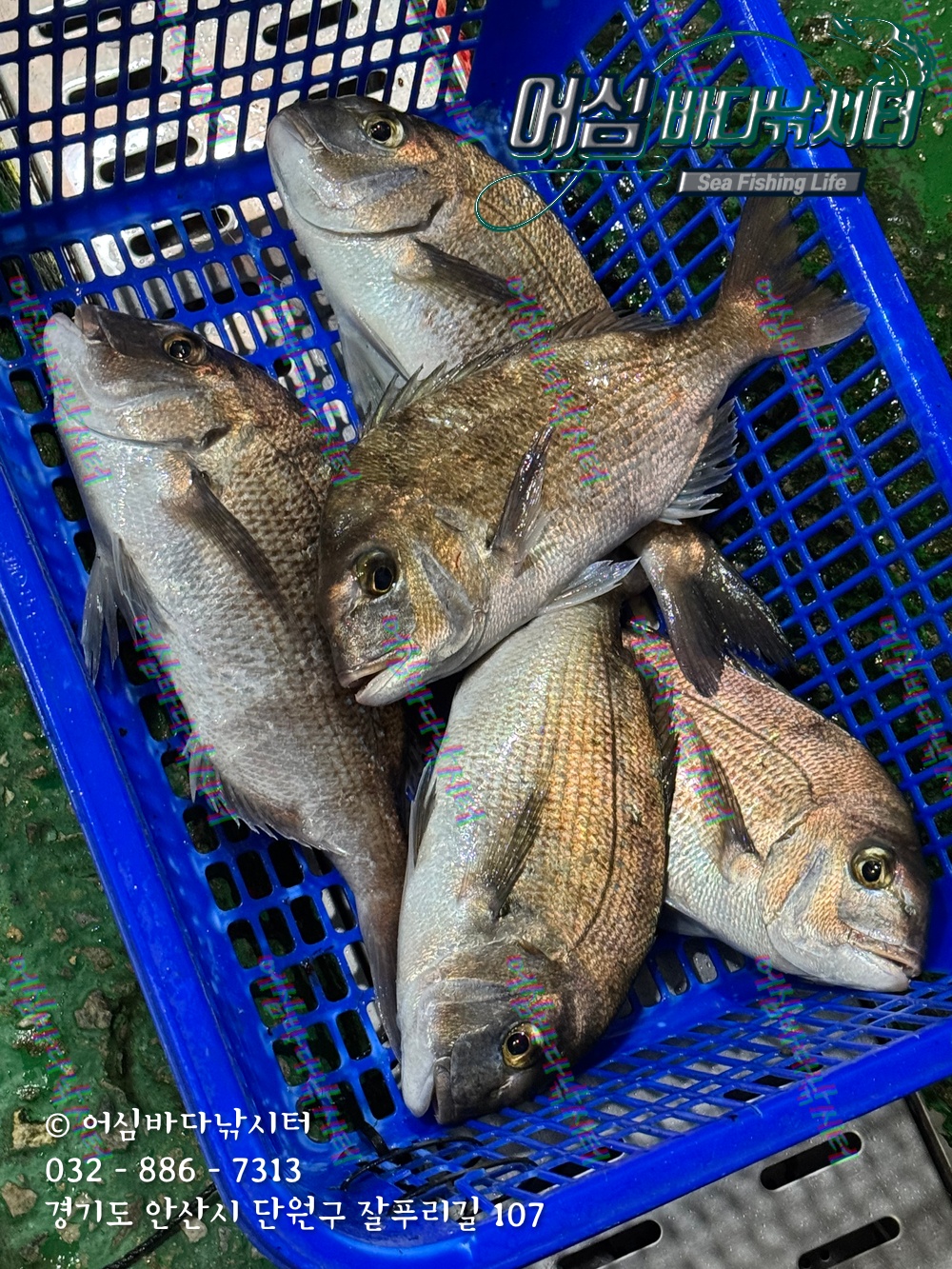
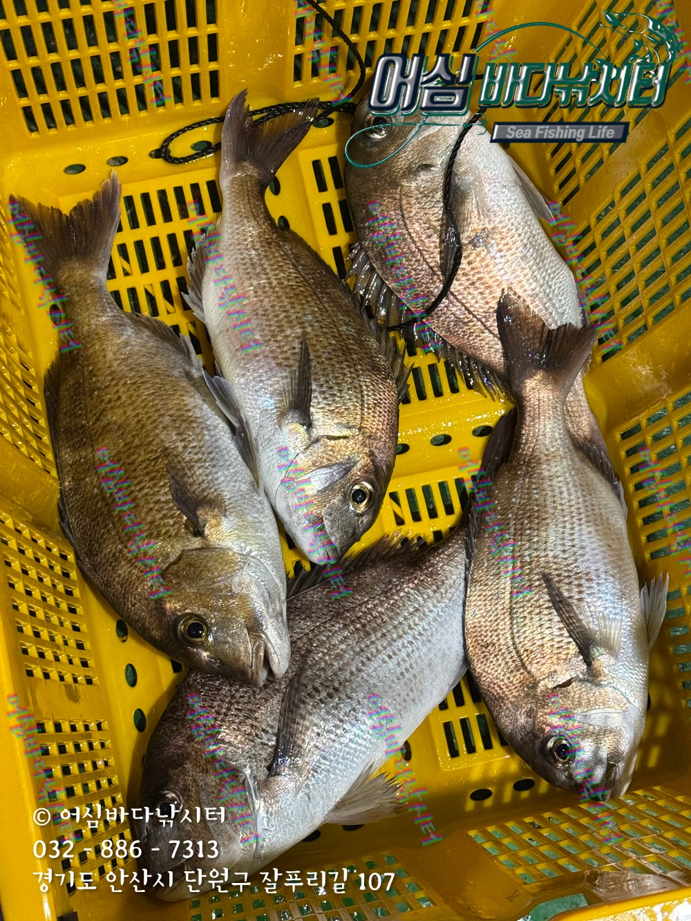
11¿ù 8ÀÏ (Åä)
06:00~13:00 ¾î½É¹Ù´Ù³¬½ÃÅÍ¿¡¼
Á¦1ȸ °æ±âÄÅ Àü±¹¾î¿ï¸² ¹Ù´Ù³¬½Ã´ëȸ°¡ ÁøÇàµÇ¾ú½À´Ï´Ù.
´ëȸ Àå¸éÀº FTV·Î ¼ÛÃâµÉ ¿¹Á¤ÀÔ´Ï´Ù!
¹æ·ù·®¿¡ ºñÇØ¼ ¾ÆÁ÷ ÈξÀ ¸¹Àº ¾çÀÌ ÀâÈ÷Áö ¾Ê¾Ò¾î¿ä!
¿ÀÈÄ2½ÃºÎÅÍ ³¬½Ã ÀÌ¿ë °¡´ÉÇÕ´Ï´Ù!
´Ù¸¥ ³¯Â¥ Á¶È² ÇÑ ´«¿¡ º¸±â
¾î½É¹Ù´Ù³¬½ÃÅÍ È¨ÆäÀÌÁö
|
|
* °¡²û ±¤°í¸¦ Ŭ¸¯ÇØ ºÁ ÁÖ½Ã¸é ³¬¶û »çÀÌÆ® ¿î¿µ¿¡ µµ¿òÀÌ µË´Ï´Ù ^^
|
|
| 2016 | | ¾î½É¹Ù´Ù³¬½ÃÅÍ Á¦1ȸ Àü±¹¾î¿ï¸² ¹Ù´Ù³¬½Ã ´ëȸ Á¶È² (¿ÀÀü) | | ¾î½É¹Ù´Ù³¬½ÃÅÍ | | 25.11.08 | | 5,500 | | | | 2015 | | ¾î½É¹Ù´Ù³¬½ÃÅÍ 11¿ù 6ÀÏ Á¶È² | | ¾î½É¹Ù´Ù³¬½ÃÅÍ | | 25.11.06 | | 6,718 | | | | 2014 | | ¾î½É¹Ù´Ù³¬½ÃÅÍ 10¿ù 28ÀÏ (¼ö) Á¶È²ÀÔ´Ï´Ù | | ¾î½É¹Ù´Ù³¬½ÃÅÍ | | 25.10.28 | | 9,949 | | | | 2013 | | ¾î½É¹Ù´Ù³¬½ÃÅÍ 10¿ù 18ÀÏ Á¶È² | | ¾î½É¹Ù´Ù³¬½ÃÅÍ | | 25.10.18 | | 8,353 | | | | 2012 | | ¾î½É¹Ù´Ù³¬½ÃÅÍ 9¿ù 30ÀÏ Á¶È² | | ¾î½É¹Ù´Ù³¬½ÃÅÍ | | 25.09.30 | | 8,018 | | | | 2011 | | ¾î½É¹Ù´Ù³¬½ÃÅÍ 9¿ù 25ÀÏ Á¶È² | | ¾î½É¹Ù´Ù³¬½ÃÅÍ | | 25.09.25 | | 6,681 | | | | 2010 | | ¾î½É¹Ù´Ù³¬½ÃÅÍ 1ÀÎ 1³¬½Ë´ë·Î ±ÔÁ¤ º¯°æ | | ¾î½É¹Ù´Ù³¬½ÃÅÍ | | 25.08.31 | | 8,777 | | | | 2009 | | 8¿ù 25ÀÏ ¾î½É¹Ù´Ù³¬½ÃÅÍ Á¶È² | | ¾î½É¹Ù´Ù³¬½ÃÅÍ | | 25.08.25 | | 8,589 | | | | 2008 | | ¾î½É¹Ù´Ù³¬½ÃÅÍ 8¿ù 18ÀÏ Á¶È² | | ¾î½É¹Ù´Ù³¬½ÃÅÍ | | 25.08.18 | | 9,999 | | | | 2007 | | ¾î½É¹Ù´Ù³¬½ÃÅÍ 8¿ù14ÀÏ Á¶È² | | ¾î½É¹Ù´Ù³¬½ÃÅÍ | | 25.08.14 | | 7,612 | | | | 2006 | | ¾î½É¹Ù´Ù³¬½ÃÅÍ 8¿ù 3ÀÏ Á¶È² | | ¾î½É¹Ù´Ù³¬½ÃÅÍ | | 25.08.04 | | 9,396 | | | | 2005 | | ¾î½É¹Ù´Ù³¬½ÃÅÍ 7¿ù 30ÀÏ Á¶È² | | ¾î½É¹Ù´Ù³¬½ÃÅÍ | | 25.07.30 | | 7,934 | | |
|
|

|
|

|
|
|