µ¹ÇÉÈ£ ¹Ù´Ù³¬½ÃÁ¶È² > 22Àν / ¾î±¸°¡ÀÚ¹Ì ³¬½Ã Á¶È²ÀÔ´Ï´Ù : ³¬½Ã»ç¶û
ȸ¿ø°¡ÀÔ | ·Î±×ÀΠ| ½ÃÀÛÆäÀÌÁö | Áñ°Üã±â | ¹®ÀÇ/¿äû/½Å°í
³¬½ÃÅͼ±Åà | Àαâ°Ë»ö¾î | ¹Î¹°ÈÄ¿ø³¬½ÃÅÍ | ¹Ù´ÙÈÄ¿øÅÍ
 
¹Î¹°³¬½Ã | Á´ë/À¯·áÅÍ | ¹Ù´Ù³¬½Ã | ·ç¾î³¬½Ã | Ä¿¹Â´ÏƼ | ³¬¶ûŬ·´ | ³¬½Ã½ºÄð | Áß°íÀåÅÍ | ³¬½ÃQ&A | »ç¿ë±â/°­Á | ÃâÁ¶Á¤º¸ | °ø±¸/¿ëǰÁ¤º¸

 ¼±»ó³¬½ÃÁ¶È²Á¤º¸

- º» °Ô½Ã¹°À» ¹«´Ü ´Ù¿î·Îµå, µµ¿ë, Àοë, ¸µÅ© ±ÝÁö. HOME >¹Ù´Ù³¬½Ã >¼±»ó³¬½ÃÁ¶È²Á¤º¸

µ¹ÇÉÈ£
Á¶È¸ : 7,282 / ¼±»ó³¬½ÃÁ¶È²Á¤º¸   

Á¦¸ñ l µ¹ÇÉÈ£ ¹Ù´Ù³¬½ÃÁ¶È² > 22Àν / ¾î±¸°¡ÀÚ¹Ì ³¬½Ã Á¶È²ÀÔ´Ï´Ù : ³¬½Ã»ç¶û

 

[Å©±âº¯È¯]°øÇöÁø³¬½Ã¸¶Æ®(µ¹ÇÉÈ£)_»çÁø_20260221_1.jpg

 

 

[Å©±âº¯È¯]°øÇöÁø³¬½Ã¸¶Æ®(µ¹ÇÉÈ£)_»çÁø_20260221_2.jpg

 

 

[Å©±âº¯È¯]°øÇöÁø³¬½Ã¸¶Æ®(µ¹ÇÉÈ£)_»çÁø_20260221_3.jpg

 

 

[Å©±âº¯È¯]°øÇöÁø³¬½Ã¸¶Æ®(µ¹ÇÉÈ£)_»çÁø_20260221_4.jpg

 

 

[Å©±âº¯È¯]°øÇöÁø³¬½Ã¸¶Æ®(µ¹ÇÉÈ£)_»çÁø_20260221_5.jpg

 

 

[Å©±âº¯È¯]°øÇöÁø³¬½Ã¸¶Æ®(µ¹ÇÉÈ£)_»çÁø_20260221_6.jpg

 

 

[Å©±âº¯È¯]°øÇöÁø³¬½Ã¸¶Æ®(µ¹ÇÉÈ£)_»çÁø_20260221_7.jpg

 

 

[Å©±âº¯È¯]°øÇöÁø³¬½Ã¸¶Æ®(µ¹ÇÉÈ£)_»çÁø_20260221_8.jpg

 

 

[Å©±âº¯È¯]°øÇöÁø³¬½Ã¸¶Æ®(µ¹ÇÉÈ£)_»çÁø_20260221_9.jpg

 

 

[Å©±âº¯È¯]°øÇöÁø³¬½Ã¸¶Æ®(µ¹ÇÉÈ£)_»çÁø_20260221_10.jpg

 

 

[Å©±âº¯È¯]°øÇöÁø³¬½Ã¸¶Æ®(µ¹ÇÉÈ£)_»çÁø_20260221_11.jpg

 

 

[Å©±âº¯È¯]°øÇöÁø³¬½Ã¸¶Æ®(µ¹ÇÉÈ£)_»çÁø_20260221_12.jpg

¾È³çÇϼ¼¿ä~
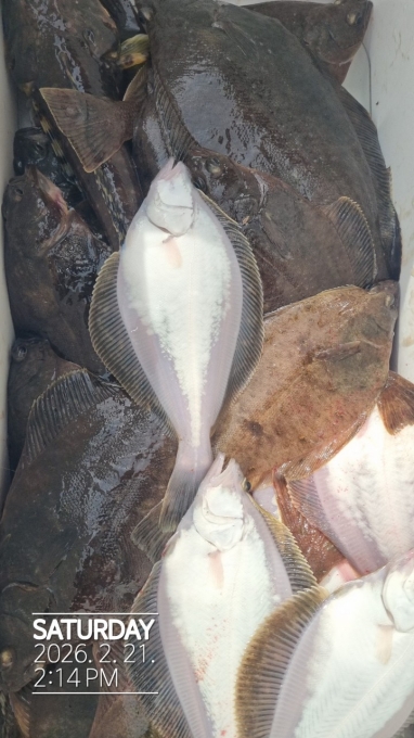
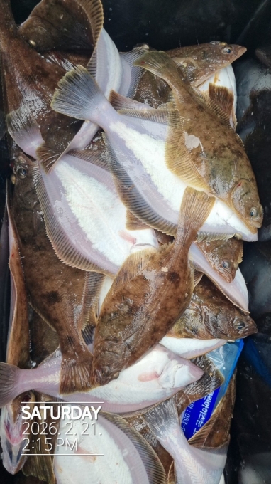
¿À´ÃÀÚ ¾î±¸°¡ÀÚ¹Ì Á¶È²ÀÔ´Ï´Ù.
¿äÁò Á¶·ù°¡ °­Çؼ­ ³¬½Ã°¡ ¸¹ÀÌ ¾ûŰ³×¿ä..
ÇÔ²²ÇϽŠÁ¶»ç´Ôµé ¸ðµÎ °í»ý¸¹À¸¼Ì½À´Ï´Ù ^^



*** °øÇöÁø µ¹ÇÉÈ£ ¿¹¾à ¾È³» ***


¿¹¾à¹®ÀÇ : 010-3352-6692

¿À½Ã´Â±æ : °­¿øµµ °í¼º±º Á×¿Õ¸é °øÇöÁøÇغ¯±æ 69-1
ȨÆäÀÌÁö : https://dolphin.sunsang24.com/

 * °¡²û ±¤°í¸¦ Ŭ¸¯ÇØ ºÁ ÁÖ½Ã¸é ³¬¶û »çÀÌÆ® ¿î¿µ¿¡ µµ¿òÀÌ µË´Ï´Ù ^^
  
14022Àν µ¹ÇÉÈ£ / ¿­±â ³¬½Ã Á¶È²ÀÔ´Ï´Ù. µ¹ÇÉÈ£26.03.14826
13922Àν µ¹ÇÉÈ£ / Ȳ¿­±â Á¶È²ÀÔ´Ï´Ù.µ¹ÇÉÈ£26.03.114,223
13822Àν µ¹ÇÉÈ£ / ¾î±¸°¡ÀÚ¹Ì ³¬½Ã Á¶È²ÀÔ´Ï´Ùµ¹ÇÉÈ£26.02.217,282
13722Àν µ¹ÇÉÈ£ / ¾î±¸°¡ÀÚ¹Ì ³¬½Ã Á¶È²ÀÔ´Ï´Ùµ¹ÇÉÈ£26.02.205,229
13622Àν µ¹ÇÉÈ£ / ¾î±¸°¡ÀÚ¹Ì Á¶È²ÀÔ´Ï´Ù.µ¹ÇÉÈ£26.02.148,208
13522Àν µ¹ÇÉÈ£ / ¾î±¸°¡ÀÚ¹Ì ³¬½Ã Á¶È²ÀÔ´Ï´Ùµ¹ÇÉÈ£26.01.258,087
13422Àν µ¹ÇÉÈ£ / ¾î±¸°¡ÀÚ¹Ì ³¬½Ã Á¶È²ÀÔ´Ï´Ùµ¹ÇÉÈ£26.01.237,382
13322Àν µ¹ÇÉÈ£ / ¾î±¸°¡ÀÚ¹Ì ³¬½Ã Á¶È²ÀÔ´Ï´Ùµ¹ÇÉÈ£26.01.068,505
13222Àν µ¹ÇÉÈ£ / ¾î±¸°¡ÀÚ¹Ì ³¬½Ã Á¶È²ÀÔ´Ï´Ùµ¹ÇÉÈ£25.12.287,386
13122Àν µ¹ÇÉÈ£ / ¾î±¸°¡ÀÚ¹Ì ³¬½Ã Á¶È²ÀÔ´Ï´Ùµ¹ÇÉÈ£25.12.276,810
13022Àν µ¹ÇÉÈ£ / ´ë±¸¶ó¹Ù ³¬½Ã Á¶È²ÀÔ´Ï´Ùµ¹ÇÉÈ£25.11.229,395
12922Àν µ¹ÇÉÈ£ / ´ë±¸³¬½Ã Á¶È²ÀÔ´Ï´Ùµ¹ÇÉÈ£25.11.208,939
  1   2   3   4   5   6   7   8   9   10   

³¬½Ã»ç¶û¼Ò°³ | ¿À½Ã´Â±æ | ³¬½Ã»ç¶û¹è³Ê | ÀÌ¿ë¾à°ü | À̸ÞÀϹ«´Ü¼öÁý°ÅºÎ | °³ÀÎÁ¤º¸Ãë±Þ¹æÄ§ | ±Ç¸®Ä§ÇØ½Å°í¼¾ÅÍ
Copyright 1997~2022 (ÁÖ)À¥¶óÀÌÇÁ/³¬½Ã»ç¶û All rights reserved »ç¾÷ÀÚµî·Ï¹øÈ£ 110-81-42683
»ç¾÷Àå : ¼­¿ïƯº°½Ã ¿µµîÆ÷±¸ ¿µµîÆ÷·Î 374, 3Ãþ
[±¤°í/Á¦ÈÞ ¹× Ãßõ»óǰ µî·Ï¹®ÀÇ]     [³¬½ÃÅÍ ¹× ³¬½Ë¹è µî·Ï¹®ÀÇ]     [¹Î¿ø/°ÇÀÇ/½Å°í]     [¸ÞÀϹ®ÀÇ]     [¹®ÀÇ(FAX) 02-2634-2730]