¾Æ¶ó¹Ù¶÷ > (°¨¼ºµ¼)Ý«í­ Á¶»ç´Ô ½ÖµÕÀÌ 52Cm ´õºí HIT¿ª´ë±Þ~3´ëÈ£(7ÀÏ ¿¹¾à) : ³¬½Ã»ç¶û
ȸ¿ø°¡ÀÔ | ·Î±×ÀΠ| ½ÃÀÛÆäÀÌÁö | Áñ°Üã±â | ¹®ÀÇ/¿äû/½Å°í
³¬½ÃÅͼ±Åà | Àαâ°Ë»ö¾î | ¹Î¹°ÈÄ¿ø³¬½ÃÅÍ | ¹Ù´ÙÈÄ¿øÅÍ
 
¹Î¹°³¬½Ã | Á´ë/À¯·áÅÍ | ¹Ù´Ù³¬½Ã | ·ç¾î³¬½Ã | Ä¿¹Â´ÏƼ | ³¬¶ûŬ·´ | ³¬½Ã½ºÄð | Áß°íÀåÅÍ | ³¬½ÃQ&A | »ç¿ë±â/°­Á | ÃâÁ¶Á¤º¸ | °ø±¸/¿ëǰÁ¤º¸

 Æ¯ÆÄ¿ø(ÃâÁ¶Á¡)Á¶È²Á¤º¸

- º» °Ô½Ã¹°À» ¹«´Ü ´Ù¿î·Îµå, µµ¿ë, Àοë, ¸µÅ© ±ÝÁö. HOME >¹Ù´Ù³¬½Ã >ƯÆÄ¿ø(ÃâÁ¶Á¡)Á¶È²Á¤º¸

¾Æ¶ó¹Ù¶÷
ÀÛ¼ºÀÏ : 2026-03-05 15:27:36 / Á¶È¸ : 1,271      

Á¦¸ñ l ¾Æ¶ó¹Ù¶÷ > (°¨¼ºµ¼)Ý«í­ Á¶»ç´Ô ½ÖµÕÀÌ 52Cm ´õºí HIT¿ª´ë±Þ~3´ëÈ£(7ÀÏ ¿¹¾à) : ³¬½Ã»ç¶û

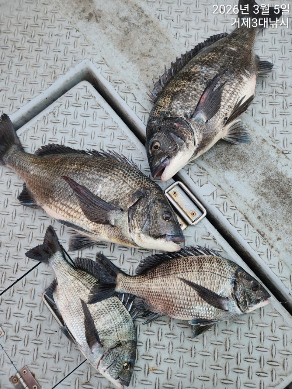
Ý«í­ Á¶»ç´Ô 5Â¥ ´õºí HIT~ÃàÇϵ帳´Ï´Ù!!!
5ÀÏ(¸ñ) °ÅÁ¦ ÇÐ»ê ¸¶À» Ãâ¹ß °¨¼ºµ¼ È긲³¬½Ã "3´ëÈ£" (ö¼ö)ÇÖÁ¶È²ÀÔ´Ï´Ù.
¡Ø(3´ëÈ£ & ¾ÆÁöÄ«) 53CmÀÌ»ó °¨¼ºµ¼ üÆ÷½Ã ¾ÆÁöÄ« ÃÖ»ó±Þ ¿øÁÙ ÁõÁ¤.

¡Ú7ÀÏ(Åä¿äÀÏ) °ÅÁ¦±Ç ¾îÃÊ¿©¹ç °¨¼ºµ¼ È긲³¬½Ã "¿¹¾à°¡´É"
(°¨¼ºµ¼) ¾Æºü¿Í ¾Æµé 52Cm ½ÖµÕÀÌ 5Â¥ ´ë¹Ú Á¶È²~

°ÅÁ¦µµ Çл긶À» Ãâ¹ß °¨¼ºµ¼ È긲³¬½Ã 3´ëÈ£ Á¶È²ÀÔ´Ï´Ù
¾Æ¹öÁö¿Í ¾Æµé Á¶»ç´ÔÀ» ¸ð½Ã°í ÁøÀÔÇÑ ¾îÃÊ¿©¹ç±Ç Æ÷ÀÎÆ® ÆøÇ³
Àü¾ß °°Àº ºÐÀ§±â ¼Ó ÁßÄ¡±Þµé·Î ¼Õ¸À Áñ±â´Ù°¡ ´úÄ¿µ¢ ½ÖµÕÀÌ
°°Àº 52Cm ´ë¹° °¨¼ºµ¼À» ´õºí ÈýÆ®·Î °É¾î³»½Ã³×¿ä.
ÀÌ·±ÀûÀº óÀ½ÀÔ´Ï´Ù~ °¡Á·°ú Áñ±â´Â ´ë¹° °¨¼ºµ¼³¬½Ã ÀØÁö ¸øÇÒ
Ãß¾ï ÇÑ ÄÆ ´ã°í ¸¶¹«¸® ÇÕ´Ï´Ù. 7ÀϺÎÅÍ Âß~ ¿¹¾à °¡´ÉÇÏ´Ï
ÇÔ²²ÇÏ½Ç ºÐµé ¿¬¶ôÁֽʽÿÀ~

7ÀÏ(Åä¿äÀÏ) ÁÁÀº ¹°¶§ ±¸°£À¸·Î ÁøÀÔÇÕ´Ï´Ù. ½ÂÀ²ÀÌ ³ô¾ÆÁö´Â
ÁÁÀº Á¶°Ç, °ÅÁ¦µµ Ãâ¹ß °¨¼ºµ¼ È긲³¬½Ã OPEN~¿¹¾à °¡´ÉÇÕ´Ï´Ù.
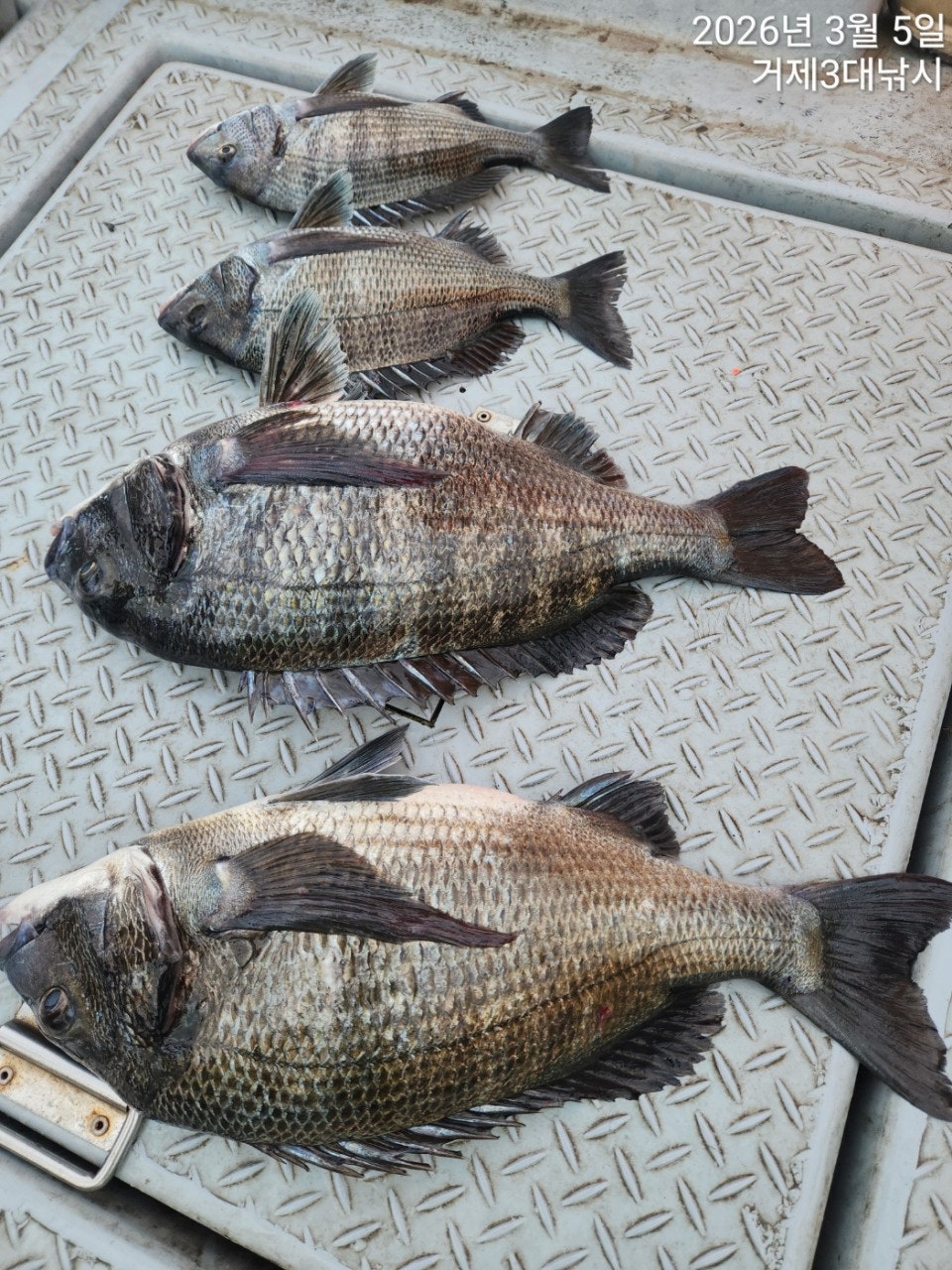
¿À´Ãµµ °ÅÁ¦ 3´ëÈ£¿Í ÇÔ²²ÇØÁֽŠÁ¶»ç´Ôµé ¼ö°í ¸¹À¸¼Ì½À´Ï´Ù.

¢Ã 3´ëÈ£ °ÅÁ¦±Ç °¨¼ºµ¼ È긲³¬½Ã ÀÏÁ¤ ¢Ã
¡Ú6ÀÏ(±Ý) ±â»ó ¾ÇÈ­ ÈÞÇ×
¡Ú7ÀÏ(Åä) °ÅÁ¦±Ç ´ë¹° °¨¼ºµ¼ È긲³¬½Ã ¿¹¾à °¡´É
¡Ú8ÀÏ(ÀÏ) °ÅÁ¦±Ç ´ë¹° °¨¼ºµ¼ È긲³¬½Ã ¿¹¾à °¡´É
¡Ú9ÀÏ(¿ù) °ÅÁ¦±Ç ´ë¹° °¨¼ºµ¼ È긲³¬½Ã ¿¹¾à °¡´É
¡Ø ÁÖ¸»Àº Æ÷ÀÎÆ®°¡ Á¦ÇÑÀÌ ¸¹¾Æ ¹Ì¸®¹Ì¸® ¿¹¾àÀ» ¼­µÑ·¯ ÁÖ¼¼¿ä.

¡Ü 3´ëÈ£ ¿¹¾à ¢Ï010-5188-5399 (3´ëÈ£ ¼±Àå)
¡Ü 3´ëÈ£ ¹êµå http://band.us/@3daenaksi
¡Ü ÃâÇ×Áö; °æ³² °ÅÁ¦½Ã µÐ´ö¸é Çлê3±æ 75
(4ÀÏ ¸¶¸´¼ö Á¶È² ÷ºÎÇÕ´Ï´Ù~)
¢Ë°¨¼ºµ¼ ¾îÃÊ¿©¹ç È긲³¬½Ã ¾È³» ¢Ë
(ÃâÁ¶ ½Ã°£) »õº® Ãâ¹ß ~ ¿ÀÈÄ 2½Ã 30ºÐ ö¼ö(À¯µ¿Àû) ¼±ºñ 11¸¸¿ø.
- °ÅÁ¦µµÃâ¹ß Çѻ굵±Ç ¾îÃÊ¿©¹ç ´ë¹°Æ÷ÀÎÆ® °ø·«.
- µ¶¹è »ó½Ã ¿¹¾à °¡´ÉÇÕ´Ï´Ù.
- ½Ä»ç,¹Ø¹ä,¹Ì³¢,Ä¿ÇÇ,»ý¼ö Á¦°ø

¡Ü ÃâÁ¶½Ã ±¸¸íÁ¶³¢/½ÅºÐÁõÀº ¹Ýµå½Ã ÁöÂüÇØÁÖ¼¼¿ä.
¡Ü ÀԱݰèÁÂ: ¼öÇù 2020-4581-7819(±è¹Î±Ô)
¡Ü ¿¹¾àÀº ÀÔ±ÝÀÚ ¼ø¼­À̸ç ÅëÈ­ÈÄ ÀԱݹٶø´Ï´Ù.(¹ÌÀԱݽà ÀÓÀÇ Ãë¼Ò µÉ¼ö ÀÖÀ½)

¡Ü ȯºÒ ±ÔÁ¤
'¿¹¾à ¿Ï·á' °øÁö ÀÌÈÄ, Ãë¼Ò ¿äû½Ã ȯºÒ µÇÁö ¾Ê½À´Ï´Ù.
´Ü, ´Ù¸¥ ¼Õ´ÔÀ¸·Î ´ëü µÉ¶§´Â ȯºÒÇØ µå¸³´Ï´Ù.

¡Ü 3´ëÈ£ ¿¹¾à ¢Ï010-5188-5399 (3´ëÈ£ ¼±Àå)
¡Ü 3´ëÈ£ ¹êµå http://band.us/@3daenaksi
¡Ü ÃâÇ×Áö; °æ³² °ÅÁ¦½Ã µÐ´ö¸é Çлê3±æ 75
  • »ç¿ëÀÚ°¡ ¿Ã¸° À̹ÌÁö

 * °¡²û ±¤°í¸¦ Ŭ¸¯ÇØ ºÁ ÁÖ½Ã¸é ³¬¶û »çÀÌÆ® ¿î¿µ¿¡ µµ¿òÀÌ µË´Ï´Ù ^^
     
ÃÑ 0°³ÀÇ ´ñ±ÛÀÌ ÀÖ½À´Ï´Ù.

    ´ñ±Û¾²±â     [·Î±×ÀÎ] | [ȸ¿ø°¡ÀÔ]
 
 
4630(¹®¾î)½Ç½Ã°£ Çǵù~Ȱ¼ºµµ UP ÆÛ´ã´Â ñé °í°íÇǽÌÈ£(¾ß°£ ³«Áö ¿¹¾à) ¾Æ¶ó¹Ù¶÷26.03.07144
4629(½Ç½Ã°£)¾îÃÊ¿©¹ç °¨¼ºµ¼ 4Â¥ ÀüÈÄ ¼Ò³ª±â HIT~´ë¾î³¬½Ã(8ÀÏ ¿¹¾à) ¾Æ¶ó¹Ù¶÷26.03.07195
4628(°¨¼ºµ¼)½Ç½Ã°£ 46Cm ºò¿ø 4Â¥ 3Â¥ ŸÀÛ ñé~´ë¾çÈ£(8ÀÏ ¿¹¾à) ¾Æ¶ó¹Ù¶÷26.03.07194
4627(°¨¼ºµ¼)½Ç½Ã°£ ¿Ô±¸³ª~4Â¥¿À¹ö µ¢Ä¡ üÆ÷ ñé ´ëµ¿³¬½Ã(8ÀÏ ¿¹¾à) ¾Æ¶ó¹Ù¶÷26.03.07225
4626(°¨¼ºµ¼)¾îÁ¦¿À´Ã 5¹æ ÆÃ~4Â¥¿À¹ö ´çÂù ¼Õ¸À~½Å¼ºÈ£(8ÀÏ ¿¹¾à) ¾Æ¶ó¹Ù¶÷26.03.061,257
4625(µµ´Ù¸® ÃâÁ¶)10Åæ ÃÊ¹Ý ½ÃÁð »¡·¡ÆÇ ¾¾¾Ë~¸¶¸´¼ö OK~¼ö´ÞÈ£(7ÀÏ ¿¹¾à) ¾Æ¶ó¹Ù¶÷26.03.061,297
4624(°¨¼ºµ¼)4¹æ ³¯¸®°í 4Â¥4Â¥4Â¥4Â¥4Â¥ ÅÊÅ©µé~´ë¾î³¬½Ã(7ÀÏ ¿¹¾à) ¾Æ¶ó¹Ù¶÷26.03.061,130
4623(°¨¼ºµ¼)4Â¥ Áß¹Ý~3Â¥ ´ë¹Ú¾îÃÊ ¸¶¸´¼ö üÆ÷~´ë¾çÈ£(7ÀÏ ¿¹¾à) ¾Æ¶ó¹Ù¶÷26.03.061,128
4622(°¨¼ºµ¼)½Ç½Ã°£ 4Â¥4Â¥3Â¥ µî 8¼ö ºý¼¾ ¼Õ¸À ñé ´ë¾çÈ£(7ÀÏ ¿¹¾à) ¾Æ¶ó¹Ù¶÷26.03.061,437
4621(°¨¼ºµ¼)½Ç½Ã°£ 4¹æ ÆÃ ¸àºØ~4Â¥4Â¥4Â¥±Þµé HIT~´ë¾î³¬½Ã(7ÀÏ ¿¹¾à) ¾Æ¶ó¹Ù¶÷26.03.061,523
4620(¿øµµ±Ç)ÓÞ¹®¾î ¼Õ¸À~ÁßÄ¡±Þµé·Î µû¹Úµû¹Ú~°­¹ÎÈ£(7ÀÏ ¿¹¾à) ¾Æ¶ó¹Ù¶÷26.03.051,505
4619(°¨¼ºµ¼)53.5Cm ¿Ü 4Â¥ ÃÊÁß¹Ý ¾¾¾Ë ¸¶¸´¼ö GOOD~´ë¾î¼±¿Ü±â(6ÀÏ ¿¹¾à) ¾Æ¶ó¹Ù¶÷26.03.051,610
  1   2   3   4   5   6   7   8   9   10   

³¬½Ã»ç¶û¼Ò°³ | ¿À½Ã´Â±æ | ³¬½Ã»ç¶û¹è³Ê | ÀÌ¿ë¾à°ü | À̸ÞÀϹ«´Ü¼öÁý°ÅºÎ | °³ÀÎÁ¤º¸Ãë±Þ¹æÄ§ | ±Ç¸®Ä§ÇØ½Å°í¼¾ÅÍ
Copyright 1997~2022 (ÁÖ)À¥¶óÀÌÇÁ/³¬½Ã»ç¶û All rights reserved »ç¾÷ÀÚµî·Ï¹øÈ£ 110-81-42683
»ç¾÷Àå : ¼­¿ïƯº°½Ã ¿µµîÆ÷±¸ ¿µµîÆ÷·Î 374, 3Ãþ
[±¤°í/Á¦ÈÞ ¹× Ãßõ»óǰ µî·Ï¹®ÀÇ]     [³¬½ÃÅÍ ¹× ³¬½Ë¹è µî·Ï¹®ÀÇ]     [¹Î¿ø/°ÇÀÇ/½Å°í]     [¸ÞÀϹ®ÀÇ]     [¹®ÀÇ(FAX) 02-2634-2730]