|
ƯÆÄ¿ø(ÃâÁ¶Á¡)Á¶È²Á¤º¸
|
- º» °Ô½Ã¹°À» ¹«´Ü ´Ù¿î·Îµå, µµ¿ë, Àοë, ¸µÅ© ±ÝÁö.
|
HOME >¹Ù´Ù³¬½Ã >ƯÆÄ¿ø(ÃâÁ¶Á¡)Á¶È²Á¤º¸ |
 |
|
 |
|
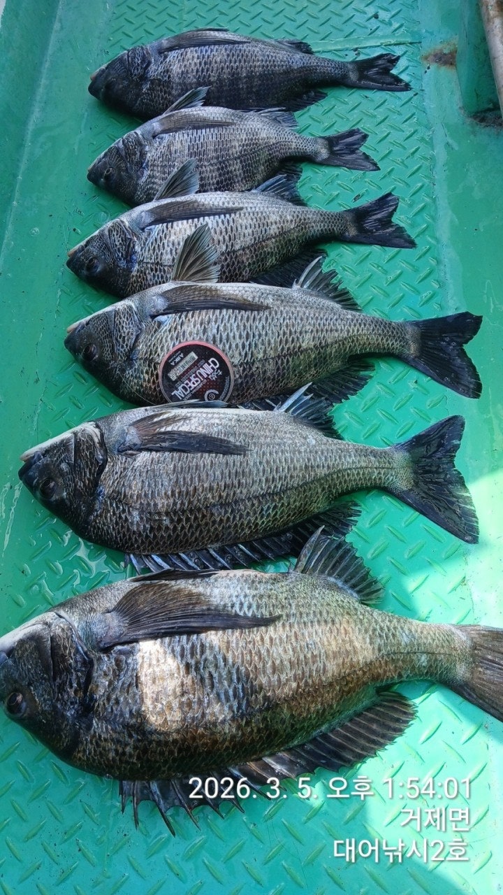
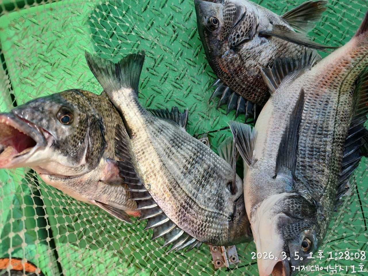
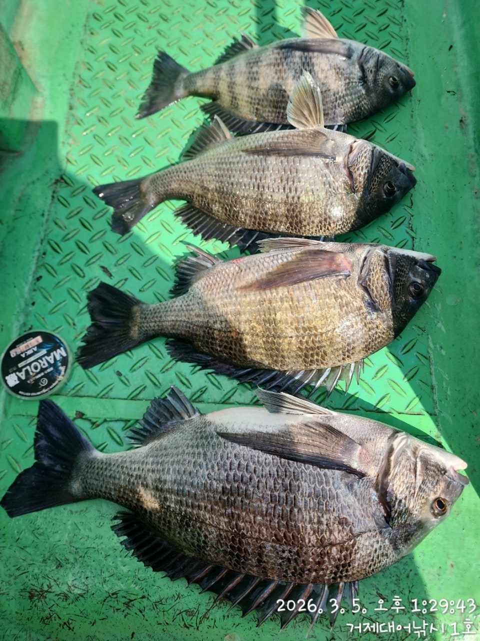
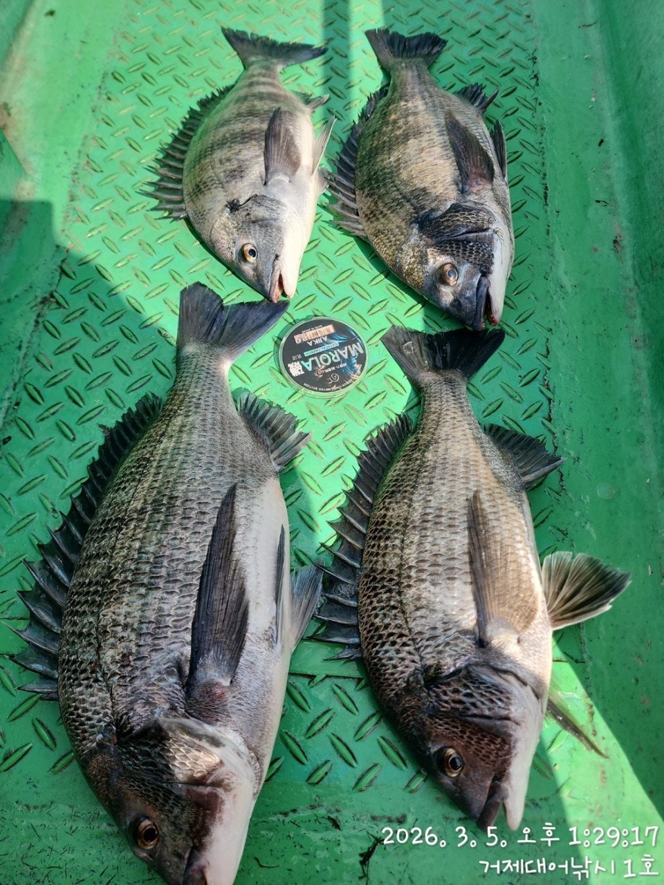
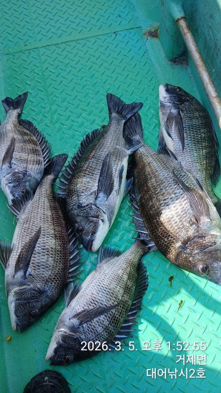
52 51 5Â¥µé ¿Ü 4Â¥µé ¾îÃÊ¿©¹ç Á¶È²~ 5ÀÏ(¸ñ¿äÀÏ) °ÅÁ¦ ¾îÃÊ¿©¹ç °¨¼ºµ¼³¬½Ã "°ÅÁ¦´ë¾î³¬½Ã" (ö¼ö)ÇÖÁ¶È²ÀÔ´Ï´Ù. ¡Ø °¨¼ºµ¼ 53Cm Âüµ¼ 68CmÀÌ»ó(ìí1¸í) ´ë¾î&¾ÆÁöÄ«À̺¥Æ® ÃÖ°í±Þ¿øÁÙ ÁõÁ¤!!!
¡Ù3¿ù 6ÀÏ(±Ý¿äÀÏ) ¾îÃÊ¿©¹ç ´ë¹° °¨¼ºµ¼ È긲³¬½Ã"¿¹¾à°¡´É" (6ÀÏ 10¹°, °£Á¶: 04:13 ¸¸Á¶: 10:31 ) (°¨¼ºµ¼) 52 51 47 46 ¿Ü 4Â¥ 4Â¥±Þµé È®½ÅÀÇ Æ÷ÀÎÆ®~ ¡Ú¡Ú¾îÃÊ¿©¹ç±Ç ´ë¹° ½ÃÁð OPEN Âß~ ¿¹¾à °¡´É!!!¡Ú¡Ú
°ÅÁ¦´ë¾î2È£ ÀÔ´Ï´Ù.¸Å³â ³ôÀº ½Â·üÀ» º¸ÀÌ´Â ¾îÃÊ¿©¹ç Æ÷ÀÎÆ® ¾ÈÁ¤µÈ ¼ö¿ÂÀÌ ³à¼®µéÀÇȰ¹ßÇÑ ¸ÔÀÌ È°µ¿À» À̲ø¾ú°í ¾îÁ¦¿¡ ÀÌ¾î ¿À´Ãµµ ´ë¹° °¨¼ºµ¼µé·Î´çÂù ¼Õ¸À Áñ±æ ¼ö ÀÖ¾ú½À´Ï´Ù. 3¹æ ÅÍÁø ³à¼®µéµµ 5Â¥¿¡ °¡±î¿ï µíÇѵ¥ ³»ÀÏ ´Ù½Ã µµÀüÇϱâ·Î Çϰí 52 51 47 46 41 40 üÆ÷ ÈÄ ¸¶¹«¸®ÇÕ´Ï´Ù 5Â¥ÀÇ È®·üÀÌ °¡Àå ³ôÀº ½Ã±âÀÔ´Ï´Ù~ Àåºñ ưưÈ÷ ÁغñÇϼż¼Õ¸À Áñ±â·¯ ¿À½Ê½Ã¿À ³»ÀÏ ¿¹¾à °¡´ÉÇÕ´Ï´Ù~°ÅÁ¦´ë¾î1È£ ÀÔ´Ï´Ù.´ë¹° °¨¼ºµ¼À» ³ë¸®°í »õº® ¹°¶§¿¡ ¸ÂÃç ÁøÀÔÇÑ Æ÷ÀÎÆ®¿¡¼ Á¶·ù°¡¾Ö¸¦ ¸ÔÀÌ¸ç ¿©·¯¹øÀÇ ´é ¼öÁ¤À» °ÅÃÆÁö¸¸ ¾Æ½¬¿ò¸¸ ³²¾Ò°í ¿Å°Ü°£Æ÷ÀÎÆ®¿¡¼ ´ÙÇàÈ÷ 4Â¥ 4Â¥ ¿Ü ÁßÄ¡±Þµé·Î ¼Õ¸À Áñ±â°í ¸¶¹«¸® ÇÒ ¼ö ÀÖ¾ú½À´Ï´Ù. ÁÖ¸»±îÁö Á¶°ÇÀº »ó´çÈ÷ ÁÁ¾Æº¸ÀÌ´Ï ´ë¹° Æ÷ÀÎÆ®·Î´Ù½Ã ÇÑ ¹ø ÀçµµÀü ´Þ·Áº¸°Ú½À´Ï´Ù ÇÔ²²ÇÏ½Ç ºÐµé ¿¬¶ôÁֽʽÿÀ~6ÀÏ(±Ý¿äÀÏ) °ÅÁ¦Ãâ¹ß ¾îÃÊ¿©¹ç ´ë¹° °¨¼ºµ¼³¬½Ã ¿¹¾à °¡´ÉÇÕ´Ï´Ù~¿À´Ãµµ °ÅÁ¦´ë¾î³¬½Ã¿Í ÇÔ²²ÇØÁֽŠÁ¶»ç´Ôµé ¼ö°í ¸¹À¸¼Ì½À´Ï´Ù.¡Ø ¼Õ¸À º¸½Ã°í ö¼ö ÇϽǶ§ ¿äû Áֽøé ÀâÀ¸½Å °í±â ¼ÒÁ¤ÀÇ ºñ¿ëÀ¸·Î ¼ÕÁú ÇØµå¸³´Ï´Ù~ ¼±Àå´Ô²² ¿äÃ»ÇØ ÁÖ¼¼¿ä~¢Ã °ÅÁ¦´ë¾î³¬½Ã ¾îÃÊ¿©¹ç °¨¼ºµ¼ /¼±¿Ü±â´ë¿© ÀÏÁ¤ ¾È³» ¢Ã¡Ø ³¬½Ã Èú¸µÀº "°ÅÁ¦´ë¾î³¬½Ã"¿¡¼ ³¬½Ã¹è+¼÷¹Ú±îÁö Çѹ濡 ÇØ°á~¡Ù3¿ù 6ÀÏ(±Ý) ÃâÁ¶ È®Á¤~ ¾îÃÊ¿©¹ç °¨¼ºµ¼³¬½Ã ¼±¿Ü±â´ë¿© "¿¹¾à°¡´É"¡Ù3¿ù 7ÀÏ(Åä) ÃâÁ¶ È®Á¤~ ¾îÃÊ¿©¹ç °¨¼ºµ¼³¬½Ã ¼±¿Ü±â´ë¿© "¿¹¾à°¡´É"¡Ù3¿ù 8ÀÏ(ÀÏ) ÃâÁ¶ È®Á¤~ ¾îÃÊ¿©¹ç °¨¼ºµ¼³¬½Ã ¼±¿Ü±â´ë¿© "¿¹¾à°¡´É"¡Ù3¿ù 9ÀÏ(¿ù) ÃâÁ¶ È®Á¤~ ¾îÃÊ¿©¹ç °¨¼ºµ¼³¬½Ã ¼±¿Ü±â´ë¿© "¿¹¾à°¡´É"¡Ù3¿ù 10ÀÏ(È) ÃâÁ¶ È®Á¤~ ¾îÃÊ¿©¹ç °¨¼ºµ¼³¬½Ã ¼±¿Ü±â´ë¿© "¿¹¾à°¡´É"¡Ø ÁÁÀº Æ÷ÀÎÆ® ¼±Á¤À» À§ÇØ ¿¹¾àÀ» ¹Ì¸®¹Ì¸® ¼µÑ·¯ Áֽʽÿä.°ÅÁ¦´ë¾î³¬½Ã ¼±»ó³¬½Ã ¿¹¾à(µ¶Ã¤ ¹Î¹Ú ¿î¿µ)¹®ÀÇ ¢Ï 010-6400-2082 / ¢Ï 010-454-3937¤±¼±¿Ü±â ¿¹¾à: ¢Ï 010-6400-202¤± ¹êµå: https://band.us/@geojdaeeofishing
°ÅÁ¦´ë¾î³¬½Ã´Â 1~7¼±´ÜÀ» ¿î¿µÇϰí ÀÖ½À´Ï´Ù.´ÜüÆÀ/ȸ»çÆÀ/±â¾÷ÆÀ/µ¿È£È¸ÆÀ/¼±»ó ³¬½Ã´ëȸµµ °¡´ÉÇÑ ÃæºÐÇÑ ÀοøÀ» ¼ö¿ë °¡´ÉÇÕ´Ï´Ù. ¢Ã °ÅÁ¦Ãâ¹ß ¢º»ç·®µµ Çѻ굵±Ç Á÷Ç× "µ¹¹®¾î³¬½Ã" ¢Ã - 04½Ã 30ºÐ Ãâ¹ß ~ ¿ÀÈÄ 1½Ã(À¯µ¿Àû) ö¼ö- µµ½Ã¶ô, »ý¼ö, Ä¿ÇÇ Á¦°øÇÕ´Ï´Ù.¢Ã µ¹¹®¾î »ýȰ³¬½Ã & ³¬½ÃüÇè ¢Ã ¸ö¸¸ ¿À½Ã¸é µË´Ï´Ù.- ³¬½Ë´ë, ÀåºñÀÏÀýÁ¦°ø, ±¸¸íº¹ Á¦°ø- °¡Á·µé, ¿©¸§ÈÞ°¡, ´ÜüÆÀµé ´ëȯ¿µ~ °¡¼ººñ ÁÁ½À´Ï´Ù.¡á Âüµ¼ È긲³¬½Ã (³»¸¸±Ç/ÁßÀå°Å¸® »ó½Ã ÃâÁ¶)ÇѳªÀý:»õº®ºÎÅÍ ~ 2½Ã±îÁö(À¯µ¿Àû) 14¸¸¿ø- ¹Ø¹ä,¹Ì³¢,µµ½Ã¶ô Á¦°ø, Ä¿ÇÇ, À½·á, »ý¼ö Á¦°ø(³¬½Ë´ë) ±âº» 1.5È£~2È£´ë 530(°æÁú´ë ¼±È£)(¸±) 4000¹ø~6000¹ø. ±Ç»ç·® 150~200¹ÌÅÍ ÃßõµÇ´Â ½ºÇǴ׸±.(¶óÀÎ) ¿øÁÙ 4~6È£ ÇÃ·ÎÆÃ ¼¼¹ÌŸÀÔ, ¸ñÁÙ ÈķηÎÄ«º» 100% 4È£~6È£ ¼±È£.(¹Ù´Ã) Âüµ¼ 8~12È£, Å¥¼Ç¶Ç´Â ¼öÁßÅ¥¼Ç -2B ~ -5B, Á¼½ÒºÀµ¹, ½ºÀ§º§µµ·¡¡Øµ¶¹è´Â ½Ã°£ Á¶Á¤ °¡´ÉÇÕ´Ï´Ù.¢Ë °ÅÁ¦´ë¾î³¬½Ã Âüµ¼ ½Ã»ó ³»¿ª ¢Ë ÀÏ 1¸í¾¿ ½Ã»óµË´Ï´Ù.68Cm ÀÌ»ó - ÃÖ»ó±Þ ¿øÁÙ ÁõÁ¤¡á ¼±¿Ü±â ´ë¿©(4ÀνÂ)- 13¸¸¿ø, (3ÀνÂ) - 10¸¸¿ø / (2ÀνÂ) - 8¸¸¿ø / (1ÀνÂ)- 7¸¸¿ø.¿µ¾÷±¸¿ª ³» Á¶Á¤¸éÇãÁõ ÇÊ¿ä ¾øÀ¸¹Ç·Î, ´©±¸³ª ÀÌ¿ëÀÌ °¡´ÉÇÕ´Ï´Ù.- ¼±¿Ü±â »ç¿ë±³À° 3ºÐÀÌ¸é ¹Ù·Î, ¿îÀüÇÏ½Ç ¼ö ÀÖ½À´Ï´Ù.¡Ú¾ÈÀü ÁÖÀÇ »çÇסÚ- °ÅÁ¦´ë¾î³¬½Ã ¼±´Ü ÀÌ¿ë½Ã,¾ÈÀüÇÑ ³¬½Ã¸¦ À§ÇØ ¼±ÂøÀå Åë·Î ÀÌ¿ë½Ã ¹Ì²ø¸²À» ÁÖÀÇ ÇØ ÁÖ½Ã±æ ¹Ù¶ø´Ï´Ù. Åë·Î Á¿쿡 ÀÖ´Â ÇÚµéÀ» Àâ°í À̵¿ÇÏ½Ã¸é ¾ÈÀüÇÕ´Ï´Ù.- ¼±ÂøÀåµµÂøÀü, ¹è¿¡¼ ¹Ì¸® ³»¸®Áö ¸¶½Ã°í, ¹è°¡ Á¤¹ÚÇϰí, ·ÎÇÁ¸¦ ¹Àº µÚ¿¡Çϼ±ÇØ ÁÖ½Ã±æ ¹Ù¶ø´Ï´Ù.¡Ú´ë¾î³¬½Ã ¼±´Ü¡Ú°ÅÁ¦ ´ë¾î³¬½Ã 1È£ ¤Ñ ¾ÈÁ©¶óÈ£°ÅÁ¦ ´ë¾î³¬½Ã 2È£ ¤Ñ ¾Èµå·¹¾ÆÈ£°ÅÁ¦ ´ë¾î³¬½Ã 3È£ ¤Ñ ¾ßÈ£(YAHO)°ÅÁ¦ ´ë¾î³¬½Ã 4È£ ¤Ñ µ¹ÇÉÈ£°ÅÁ¦ ´ë¾î³¬½Ã 5È£ ¤Ñ ¹Ì·¡È£°ÅÁ¦ ´ë¾î³¬½Ã 6È£ ¤Ñ °ÅÁ¦¹Ù´ÙÈ£°ÅÁ¦ ´ë¾î³¬½Ã 7È£ ¤Ñ »ç¶ûÈ£¡á ÁÖº¯ Á¦ÈÞ ¹Î¹ÚÁý ¡á¾ÆÁö¶û ¹Î¹Ú(´Üü-µ¶Ã¤) ¢Ï010-6400-2082ÇØ¼Û±¼±¸ÀÌ¹Î¹Ú (´Üü) ¢Ï010-2545-3755°ÅÁ¦ ´ë¾î³¬½Ã ÁÖº¯ ÆÄ¶ó½ºÆÄÂòÁú¹æ °Ë»öÇÏ½Ã¸é µË´Ï´Ù.¡á ȯºÒ ±ÔÁ¤ ¡á °ÅÁ¦´ë¾î³¬½Ã¿¡¼´Â ÃâÁ¶¿¡ ´ëÇÑ È¯ºÒ±ÔÁ¤À» ¾Æ·¡¿Í °°ÀÌ ¿î¿µÁßÀÔ´Ï´Ù."¿¹¾à¿Ï·á" È®Á¤½Ã ÃâÁ¶ºñ Àü¾× ȯºÒÀÌ µÇÁö ¾Ê½À´Ï´Ù.1ÀÏÀü, µµ½Ã¶ô°ú ¹Ø¹ä¿¡ µû¸¥ ½Çºñ¿Ü¿¡ ȯºÒ(ÃâÁ¶ÀÏ º¯°æ °¡´É)2ÀÏÀü, ÃâÁ¶ºñ Àü¾× ȯºÒ,"¿¹¾à ¿Ï·á" °øÁö ÀÌÈÄ, Ãë¼Ò ¿äû½Ã¿¡´Â ȯºÒµÇÁö ¾Ê½À´Ï´Ù.¡Úã¾Æ¿À½Ã´Â±æ¡Ú¡ØÃâÇ×Áö: °ÅÁ¦½Ã °ÅÁ¦¸é ¹ýµ¿¸® 1074¹øÁö ¾ÆÁö¶û°æ·Î´ç ¹æÆÄÁ¦¡Ú¡Ú¡Ú½ÅºÐÁõ ²À ÁöÂüÇØÁÖ¼¼¿ä¡Ú¡Ú¡Ú¢Ï °ÅÁ¦´ë¾î³¬½Ã ¼±»ó³¬½Ã ¿¹¾à(µ¶Ã¤ ¹Î¹Ú) ¹®ÀÇ¢Ï¢Ï 010-6400-2082 / ¢Ï 010-4547-3937¤±¼±¿Ü±â: ¢Ï 010-6400-2082¡á ¹êµå: https://band.us/@geojdaeeofishing
|
|
* °¡²û ±¤°í¸¦ Ŭ¸¯ÇØ ºÁ ÁÖ½Ã¸é ³¬¶û »çÀÌÆ® ¿î¿µ¿¡ µµ¿òÀÌ µË´Ï´Ù ^^
|
|
|
ÃÑ 0°³ÀÇ ´ñ±ÛÀÌ ÀÖ½À´Ï´Ù.
|
|
|
|

|
|

|
|
|
|
|
|
|
|
|