¾Æ¶ó¹Ù¶÷ > (°¨¼ºµ¼)õÇÏÀå»ç~5Â¥4Â¥4Â¥4Â¥4Â¥4Â¥±Þµé ÁÙÁÙÀÌ~¾ßÈ£(6ÀÏ ¿¹¾à) : ³¬½Ã»ç¶û
ȸ¿ø°¡ÀÔ | ·Î±×ÀΠ| ½ÃÀÛÆäÀÌÁö | Áñ°Üã±â | ¹®ÀÇ/¿äû/½Å°í
³¬½ÃÅͼ±Åà | Àαâ°Ë»ö¾î | ¹Î¹°ÈÄ¿ø³¬½ÃÅÍ | ¹Ù´ÙÈÄ¿øÅÍ
 
¹Î¹°³¬½Ã | Á´ë/À¯·áÅÍ | ¹Ù´Ù³¬½Ã | ·ç¾î³¬½Ã | Ä¿¹Â´ÏƼ | ³¬¶ûŬ·´ | ³¬½Ã½ºÄð | Áß°íÀåÅÍ | ³¬½ÃQ&A | »ç¿ë±â/°­Á | ÃâÁ¶Á¤º¸ | °ø±¸/¿ëǰÁ¤º¸

 Æ¯ÆÄ¿ø(ÃâÁ¶Á¡)Á¶È²Á¤º¸

- º» °Ô½Ã¹°À» ¹«´Ü ´Ù¿î·Îµå, µµ¿ë, Àοë, ¸µÅ© ±ÝÁö. HOME >¹Ù´Ù³¬½Ã >ƯÆÄ¿ø(ÃâÁ¶Á¡)Á¶È²Á¤º¸

¾Æ¶ó¹Ù¶÷
ÀÛ¼ºÀÏ : 2026-03-05 16:04:03 / Á¶È¸ : 1,650      

Á¦¸ñ l ¾Æ¶ó¹Ù¶÷ > (°¨¼ºµ¼)õÇÏÀå»ç~5Â¥4Â¥4Â¥4Â¥4Â¥4Â¥±Þµé ÁÙÁÙÀÌ~¾ßÈ£(6ÀÏ ¿¹¾à) : ³¬½Ã»ç¶û

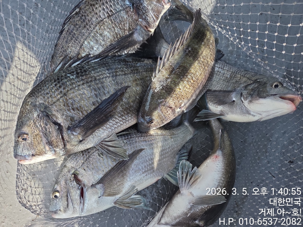
5Â¥ ´ë¹° ¿Ü 4Â¥ 4Â¥±Þ ¸¶¸´¼ö ¼Õ¸À~
5ÀÏ(¸ñ¿äÀÏ) °ÅÁ¦µµ ¾îÃÊ¿©¹ç °¨¼ºµ¼ È긲³¬½Ã "¾ßÈ£"(ö¼ö)ÇÖÁ¶È²ÀÔ´Ï´Ù.
¡Ø ¿¹¾à(03½Ã Ãâ¹ß ~ 13½Ã ±îÁö(À¯µ¿Àû)) ¢Ï010-6400-2082·Î ¹®ÀÇ ÇØ ÁÖ¼¼¿ä.
¡Ø 53CmÀÌ»ó °¨¼ºµ¼ üÆ÷½Ã ¾ÆÁöÄ« ÃÖ»ó±Þ¶óÀÎ ÁõÁ¤.,

¡Ù 6ÀÏ(±Ý¿äÀÏ) ¾îÃÊ¿©¹ç ´ë¹° °¨¼ºµ¼ È긲³¬½Ã"¿¹¾à°¡´É"
(6ÀÏ 10¹°, °£Á¶: 04:13 ¸¸Á¶: 10:31 )
(°¨¼ºµ¼)±â·Ï °»½ÅÀÇ ´Þ 5Â¥ 4Â¥4Â¥4Â¥4Â¥4Â¥±Þµé~
¼ö¿Â ¾ÈÁ¤~º»°Ý ÅÊÅ©µé ½ÃÁð ¸ñÁÙ µçµçÇϰÔ~

¾ßÈ£ ¾îÃÊ¿©¹ç °¨¼ºµ¼ È긲³¬½Ã Àü¹® ÃâÁ¶Á¡ ¾ßÈ£ÀÔ´Ï´Ù.
¾îÃÊ¿©¹ç ¼Ò½ÄÀÔ´Ï´Ù º¹¼öÀüÀº ¼º°øÀûÀÌ³×¿ä ¿ÀÈÄ ³¯¹° ŸÀÓ ¹Ù¶÷ÀÌ
ÅÍÁö¸ç ¾Æ½¬¿òÀÌ ³²¾ÒÁö¸¸ 5Â¥ ´ë¹° ¿Ü 4Â¥ 4Â¥ 4Â¥ 4Â¥ 4Â¥±Þµé·Î
¿ÀÁø ¼Õ¸À Áñ±â°í ¸¶¹«¸® ÇÕ´Ï´Ù. È®½ÇÈ÷ µ¢Ä¡¸¦ Ű¿î ³ðµéÀÇ ÆÄ¿ö´Â
»ó»ó ÀÌ»óÀÌ³×¿ä ³¡±îÁö ÀúÇ×Çϸç Á¶»ç´Ôµé²² ¼Õ¸ÀÀ» ¼±»çÇÕ´Ï´Ù~
³»ÀϺÎÅÍ Âß~ ½Â·ü ³ôÀº ´ë¹° Æ÷ÀÎÆ®·Î ÁøÀÔÇÏ´Ï ¸ñÁÙ µçµçÇϰÔ
ì°Ü¿À½Ê½Ã¿À~

6ÀÏ(±Ý¿äÀÏ) °¨¼ºµ¼³¬½Ã ¼±¿Ü±â´ë¿© ¿¹¾à °¡´ÉÇÕ´Ï´Ù. ÁÖ¸»±îÁö ÁÁÀº ¹°¶§ ±¸°£
À̶ó ½ÂÀ² ³ô½À´Ï´Ù. °³Àαâ·Ï °»½Å µµÀüÇØ º¸¼¼¿ä~
¿À´Ãµµ °ÅÁ¦ ¾ßÈ£¿Í ÇÔ²²ÇØÁֽŠÁ¶»ç´Ôµé ¼ö°í ¸¹À¸¼Ì½À´Ï´Ù.

¢Ã "¾ßÈ£" °ÅÁ¦ ¾ÆÁö¶û ¸¶À» Ãâ¹ß ÃâÁ¶ ÀÏÁ¤ ¾È³» ¢Ã
¡Ù3¿ù 6ÀÏ(±Ý¿äÀÏ) °¨¼ºµ¼ È긲³¬½Ã ¼±¿Ü±â ´ë¿© "¿¹¾à°¡´É"
¡Ù3¿ù 7ÀÏ(Åä¿äÀÏ) °¨¼ºµ¼ È긲³¬½Ã ¼±¿Ü±â ´ë¿© "¿¹¾à°¡´É"
¡Ù3¿ù 8ÀÏ(ÀÏ¿äÀÏ) °¨¼ºµ¼ È긲³¬½Ã ¼±¿Ü±â ´ë¿© "¿¹¾à°¡´É"
¡Ù3¿ù 9ÀÏ(¿ù¿äÀÏ) °¨¼ºµ¼ È긲³¬½Ã ¼±¿Ü±â ´ë¿© "¿¹¾à°¡´É"
¡Ù3¿ù 10ÀÏ(È­¿äÀÏ) °¨¼ºµ¼ È긲³¬½Ã ¼±¿Ü±â ´ë¿© "¿¹¾à°¡´É"
¡Ø ÁÖ¸» °øÈÞÀÏÀº ¹Ì¸® ¹Ì¸® ¿¹¾àÀ» ÇØ ÁÖ½Ã±æ ¹Ù¶ø´Ï´Ù.
¡Ø ³¬½ÃÀåºñ°¡ ÇÊ¿äÇϽŠºÐµéÀº ÀÓ´ë ÇØ µå¸³´Ï´Ù. ¿¹¾à½Ã ²À ¾Ë·Á ÁÖ¼¼¿ä.

¢Ë °ÅÁ¦ ¾ßÈ£ ¢Ï ¿¹¾à¹®ÀÇ¢Ï 010-6537-2082
¤±¼±»ó³¬½Ã (¹Î¹Ú) ¹®ÀÇ : ¢Ï 010-6400-2082 / ¢Ï010-4547-3937
¡Ø (¿ÀÀü 6½ÃºÎÅÍ 12½Ã±îÁö 010-6400-2082·Î ¿¹¾à ¹Ù¶ø´Ï´Ù)
¤±¼±¿Ü±â ¹®ÀÇ : ¢Ï 010-6400-2082
(ÃâÇ×Áö) °ÅÁ¦½Ã °ÅÁ¦¸é ¹ýµ¿¸® 1074¹øÁö ¾ÆÁö¶û°æ·Î´ç ¹æÆÄÁ¦
¤± °ÅÁ¦ ¾ßÈ£ ¹êµå : https://band.us/@yahoboat
¢Ã´ë¹° °¨¼ºµ¼ È긲³¬½Ã ¢Ã
- ¾ßÈ£¿Í ´ë¾î³¬½Ã ¼±´Ü »ó½Ã ¿î¿µÁßÀÔ´Ï´Ù.

¢Ã »ýȰ³¬½Ã & ³¬½ÃüÇè ¢Ã
- ¸ö¸¸ ¿À½Ã¸é µË´Ï´Ù.
- ³¬½Ë´ë, ÀåºñÀÏÀýÁ¦°ø, ±¸¸íº¹ Á¦°ø

¡á ÁÖº¯ Á¦ÈÞ ¹Î¹ÚÁý ¡á
¾ÆÁö¶û ¹Î¹Ú(´Üü-µ¶Ã¤) ¢Ï010-6400-2082
ÇØ¼Û±¼±¸ÀÌ¹Î¹Ú (´Üü) ¢Ï010-2545-3755
°ÅÁ¦ ´ë¾î³¬½Ã ÁÖº¯ ÆÄ¶ó½ºÆÄÂòÁú¹æ °Ë»öÇÏ½Ã¸é µË´Ï´Ù.

¡Ú¾ÈÀü ÁÖÀÇ »çÇסÚ
- °ÅÁ¦´ë¾î³¬½Ã ¼±´Ü ÀÌ¿ë½Ã, ¾ÈÀüÇÑ ³¬½Ã¸¦ À§ÇØ ¼±ÂøÀå Åë·Î ÀÌ¿ë½Ã ¹Ì²ø¸²À»
ÁÖÀÇ ÇØ ÁÖ½Ã±æ ¹Ù¶ø´Ï´Ù. Åë·Î Á¿쿡 ÀÖ´Â ÇÚµéÀ» Àâ°í À̵¿ÇÏ½Ã¸é ¾ÈÀüÇÕ´Ï´Ù.
- ¼±ÂøÀåµµÂøÀü, ¹è¿¡¼­ ¹Ì¸® ³»¸®Áö ¸¶½Ã°í, ¹è°¡ Á¤¹ÚÇϰí, ·ÎÇÁ¸¦ ¹­Àº µÚ¿¡
Çϼ±ÇØ ÁÖ½Ã±æ ¹Ù¶ø´Ï´Ù.

¢Ë °ÅÁ¦ ¾ßÈ£ ¢Ï ¿¹¾à¹®ÀÇ¢Ï 010-6537-2082
¤±¼±»ó³¬½Ã (¹Î¹Ú) ¹®ÀÇ : ¢Ï 010-6400-2082 / ¢Ï010-4547-3937
¡Ø (¿ÀÀü 6½ÃºÎÅÍ 12½Ã±îÁö 010-6400-2082·Î ¿¹¾à ¹Ù¶ø´Ï´Ù)
¤±¼±¿Ü±â ¹®ÀÇ : ¢Ï 010-6400-2082
¤± °ÅÁ¦ ¾ßÈ£ ¹êµå : https://band.us/@yahoboat
(ÃâÇ×Áö) °ÅÁ¦½Ã °ÅÁ¦¸é ¹ýµ¿¸® 1074¹øÁö "¾ÆÁö¶û°æ·Î´ç ¹æÆÄÁ¦" Ãâ¹ß.
(»ç¹«½Ç) °ÅÁ¦½Ã °ÅÁ¦¸é ¼­Á¤¸® 746-3(GS25½ÃÆíÀÇÁ¡)°Ë»öÇÏ½Ã¸é ¹Ù·Î ¿· À§Ä¡
  • »ç¿ëÀÚ°¡ ¿Ã¸° À̹ÌÁö

 * °¡²û ±¤°í¸¦ Ŭ¸¯ÇØ ºÁ ÁÖ½Ã¸é ³¬¶û »çÀÌÆ® ¿î¿µ¿¡ µµ¿òÀÌ µË´Ï´Ù ^^
     
ÃÑ 0°³ÀÇ ´ñ±ÛÀÌ ÀÖ½À´Ï´Ù.

    ´ñ±Û¾²±â     [·Î±×ÀÎ] | [ȸ¿ø°¡ÀÔ]
 
 
4630(¹®¾î)½Ç½Ã°£ Çǵù~Ȱ¼ºµµ UP ÆÛ´ã´Â ñé °í°íÇǽÌÈ£(¾ß°£ ³«Áö ¿¹¾à) ¾Æ¶ó¹Ù¶÷26.03.07145
4629(½Ç½Ã°£)¾îÃÊ¿©¹ç °¨¼ºµ¼ 4Â¥ ÀüÈÄ ¼Ò³ª±â HIT~´ë¾î³¬½Ã(8ÀÏ ¿¹¾à) ¾Æ¶ó¹Ù¶÷26.03.07198
4628(°¨¼ºµ¼)½Ç½Ã°£ 46Cm ºò¿ø 4Â¥ 3Â¥ ŸÀÛ ñé~´ë¾çÈ£(8ÀÏ ¿¹¾à) ¾Æ¶ó¹Ù¶÷26.03.07195
4627(°¨¼ºµ¼)½Ç½Ã°£ ¿Ô±¸³ª~4Â¥¿À¹ö µ¢Ä¡ üÆ÷ ñé ´ëµ¿³¬½Ã(8ÀÏ ¿¹¾à) ¾Æ¶ó¹Ù¶÷26.03.07228
4626(°¨¼ºµ¼)¾îÁ¦¿À´Ã 5¹æ ÆÃ~4Â¥¿À¹ö ´çÂù ¼Õ¸À~½Å¼ºÈ£(8ÀÏ ¿¹¾à) ¾Æ¶ó¹Ù¶÷26.03.061,260
4625(µµ´Ù¸® ÃâÁ¶)10Åæ ÃÊ¹Ý ½ÃÁð »¡·¡ÆÇ ¾¾¾Ë~¸¶¸´¼ö OK~¼ö´ÞÈ£(7ÀÏ ¿¹¾à) ¾Æ¶ó¹Ù¶÷26.03.061,300
4624(°¨¼ºµ¼)4¹æ ³¯¸®°í 4Â¥4Â¥4Â¥4Â¥4Â¥ ÅÊÅ©µé~´ë¾î³¬½Ã(7ÀÏ ¿¹¾à) ¾Æ¶ó¹Ù¶÷26.03.061,130
4623(°¨¼ºµ¼)4Â¥ Áß¹Ý~3Â¥ ´ë¹Ú¾îÃÊ ¸¶¸´¼ö üÆ÷~´ë¾çÈ£(7ÀÏ ¿¹¾à) ¾Æ¶ó¹Ù¶÷26.03.061,128
4622(°¨¼ºµ¼)½Ç½Ã°£ 4Â¥4Â¥3Â¥ µî 8¼ö ºý¼¾ ¼Õ¸À ñé ´ë¾çÈ£(7ÀÏ ¿¹¾à) ¾Æ¶ó¹Ù¶÷26.03.061,437
4621(°¨¼ºµ¼)½Ç½Ã°£ 4¹æ ÆÃ ¸àºØ~4Â¥4Â¥4Â¥±Þµé HIT~´ë¾î³¬½Ã(7ÀÏ ¿¹¾à) ¾Æ¶ó¹Ù¶÷26.03.061,526
4620(¿øµµ±Ç)ÓÞ¹®¾î ¼Õ¸À~ÁßÄ¡±Þµé·Î µû¹Úµû¹Ú~°­¹ÎÈ£(7ÀÏ ¿¹¾à) ¾Æ¶ó¹Ù¶÷26.03.051,507
4619(°¨¼ºµ¼)53.5Cm ¿Ü 4Â¥ ÃÊÁß¹Ý ¾¾¾Ë ¸¶¸´¼ö GOOD~´ë¾î¼±¿Ü±â(6ÀÏ ¿¹¾à) ¾Æ¶ó¹Ù¶÷26.03.051,612
  1   2   3   4   5   6   7   8   9   10   

³¬½Ã»ç¶û¼Ò°³ | ¿À½Ã´Â±æ | ³¬½Ã»ç¶û¹è³Ê | ÀÌ¿ë¾à°ü | À̸ÞÀϹ«´Ü¼öÁý°ÅºÎ | °³ÀÎÁ¤º¸Ãë±Þ¹æÄ§ | ±Ç¸®Ä§ÇØ½Å°í¼¾ÅÍ
Copyright 1997~2022 (ÁÖ)À¥¶óÀÌÇÁ/³¬½Ã»ç¶û All rights reserved »ç¾÷ÀÚµî·Ï¹øÈ£ 110-81-42683
»ç¾÷Àå : ¼­¿ïƯº°½Ã ¿µµîÆ÷±¸ ¿µµîÆ÷·Î 374, 3Ãþ
[±¤°í/Á¦ÈÞ ¹× Ãßõ»óǰ µî·Ï¹®ÀÇ]     [³¬½ÃÅÍ ¹× ³¬½Ë¹è µî·Ï¹®ÀÇ]     [¹Î¿ø/°ÇÀÇ/½Å°í]     [¸ÞÀϹ®ÀÇ]     [¹®ÀÇ(FAX) 02-2634-2730]