¾Æ¶ó¹Ù¶÷ > ¾îÃÊ È긲(°¨¼ºµ¼) 46Cm¿Ü 4Â¥4Â¥4Â¥4Â¥ ¹¬Á÷ ¼Õ¸À~Á¨Æ²È£(¿¹¾à°¡´É) : ³¬½Ã»ç¶û
ȸ¿ø°¡ÀÔ | ·Î±×ÀΠ| ½ÃÀÛÆäÀÌÁö | Áñ°Üã±â | ¹®ÀÇ/¿äû/½Å°í
³¬½ÃÅͼ±Åà | Àαâ°Ë»ö¾î | ¹Î¹°ÈÄ¿ø³¬½ÃÅÍ | ¹Ù´ÙÈÄ¿øÅÍ
 
¹Î¹°³¬½Ã | Á´ë/À¯·áÅÍ | ¹Ù´Ù³¬½Ã | ·ç¾î³¬½Ã | Ä¿¹Â´ÏƼ | ³¬¶ûŬ·´ | ³¬½Ã½ºÄð | Áß°íÀåÅÍ | ³¬½ÃQ&A | »ç¿ë±â/°­Á | ÃâÁ¶Á¤º¸ | °ø±¸/¿ëǰÁ¤º¸

 Æ¯ÆÄ¿ø(ÃâÁ¶Á¡)Á¶È²Á¤º¸

- º» °Ô½Ã¹°À» ¹«´Ü ´Ù¿î·Îµå, µµ¿ë, Àοë, ¸µÅ© ±ÝÁö. HOME >¹Ù´Ù³¬½Ã >ƯÆÄ¿ø(ÃâÁ¶Á¡)Á¶È²Á¤º¸

¾Æ¶ó¹Ù¶÷
ÀÛ¼ºÀÏ : 2026-03-14 14:24:16 / Á¶È¸ : 833      

Á¦¸ñ l ¾Æ¶ó¹Ù¶÷ > ¾îÃÊ È긲(°¨¼ºµ¼) 46Cm¿Ü 4Â¥4Â¥4Â¥4Â¥ ¹¬Á÷ ¼Õ¸À~Á¨Æ²È£(¿¹¾à°¡´É) : ³¬½Ã»ç¶û

"¼ø±Ý °ñµå¹Ù À̺¥Æ® 2Â÷ ÁøÇà ñé" ¿µµî ´ë¹°½ÃÁð~
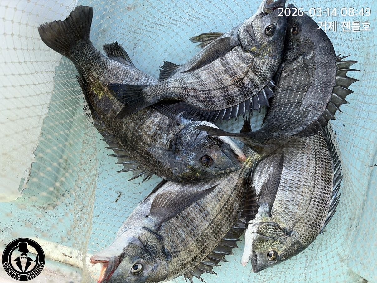
14ÀÏ(Åä) 3¹°, °ÅÁ¦µµ ¾îÃÊ ¿©¹ç °¨¼ºµ¼ È긲³¬½Ã "Á¨Æ²È£" (¸¶°¨) ÇÖÁ¶È²ÀÔ´Ï´Ù.
¡Ø(´ë¹°½Ã»ó) °¨¼ºµ¼ 53CmÀÌ»ó üÆ÷½Ã(1ÀÏ 1Ù£) ¾ÆÁöÄ« ÃÖ»ó±Þ¶óÀÎ ÁõÁ¤.

°¨¼ºµ¼(¾îÃÊ È긲) 46Cm¿Ü 4Â¥4Â¥4Â¥4Â¥ ´ë¹° ¼Õ¸À~
15ÀÏ(ÀÏ) 4¹°, (01¸í ÀÚ¸®)°ÅÁ¦µµ ¾îÃÊ ¿©¹ç °¨¼ºµ¼ È긲³¬½Ã "¿¹¾à °¡´É"

°ÅÁ¦µµ ¸±Â½Ã Àü¹® ÃâÁ¶Á¡ Á¨Æ²È£ ÇѼ±ÀåÀÔ´Ï´Ù.
¿À´ÃÀº Àü¹ÝÀûÀ¸·Î À̸¥ »õº® 4½Ã 50ºÐ°æºÎÅÍ ½Ã¿øÇÑ ÀÔÁúÀÌ ½ÃÀ۵Ǿú½À´Ï´Ù.

¿µµîöÀÌ ¸ñÀüÀÌÁö¸¸, ÀÌ¹Ì ¾îÃÊ¿©¹ç¿¡´Â ±½Àº³ðµéÀÌ Æ÷ÁøÇÑ »óȲ, èÁúÀÌÈÄ
¹öƼ´Â ÈûÀÌ ¸·°­Çß´ø ±½Àº »çÀÌÁî 46Cm¸¦ ºñ·ÔÇØ 4Â¥ 4Â¥ 4Â¥·Î ¿À´Ã ÃâÁ¶¸¦
¸¶Ä¥ ¼ö ÀÖ¾ú½À´Ï´Ù. À̹°°¨ÀÌ ¾øÀ» Á¤µµ·Î Âî ¼¼ÆÃÀÌ Áß¿äÇÑ ½Ã±âÀÔ´Ï´Ù. ÀÔ¾È
¿¡¼­ ±¼·Á ¸ÔÀÕ°¨À» ¸Ô´Â ½ÃÁð, °¨¼ºµ¼ 2È£~3È£ ¹Ù´ÃÀÌ Àß ¸ÔÈ÷´Â ½Ã±âÀ̱⵵
ÇÕ´Ï´Ù. ´ë¹° µµÀüÀº °è¼Ó µË´Ï´Ù.

º»°ÝÀûÀÎ ºÏ¼­Ç³ÀÇ °èÀý, ´ë¹° °¨¼ºµ¼µéÀÌ °¡Àå ¸¹ÀÌ ³ª¿À´Â ¿µµîö ÃÊÀÔ´Ï´Ù.
´ÙÀ½ÁÖºÎÅÍ ±½Àº³ðµéÀÌ ³ª¿À´Â ¾îÃʱÇÀ¸·Î º»°Ý ÁøÀÔÇÕ´Ï´Ù.
15ÀÏ(ÀÏ¿äÀÏ) 1¸í ÀÚ¸®, °ÅÁ¦µµ ¾îÃÊ/¿©¹ç °¨¼ºµ¼ È긲³¬½Ã ¿¹¾à°¡´ÉÇÕ´Ï´Ù.
º»°ÝÀûÀÎ ´ë¹°½ÃÁð, ¿µµîöÀÌ °ð ½ÃÀ۵˴ϴÙ. °¨¼ºµ¼µéÀÌ È°µ¿Çϱâ ÀûÇÕÇÑ È²±Ý
¹°¶§°¡ À̾îÁö±â¿¡ ¼Õ¸À Áñ±â·¯ ¿À¼Åµµ ÁÁÀ» µí ÇÕ´Ï´Ù~
¿À´Ãµµ °ÅÁ¦ Á¨Æ²È£¸¦ ã¾Æ ÁֽŠÁ¶»ç´Ô ¼ö°í ¸¹À¸¼Ì½À´Ï´Ù.

¢Ã Á¨Æ²È£ °¨¼ºµ¼ È긲³¬½Ã ¿¹¾à ÀÏÁ¤ ¢Ã
15ÀÏ(ÀÏ) 4¹°, (01¸í ÀÚ¸®)°ÅÁ¦µµ ¾îÃÊ ¿©¹ç °¨¼ºµ¼ È긲³¬½Ã "¿¹¾à °¡´É"
16ÀÏ(¿ù) 5¹°, (07¸í ÀÚ¸®)°ÅÁ¦µµ ¾îÃÊ ¿©¹ç °¨¼ºµ¼ È긲³¬½Ã "¿¹¾à °¡´É"
17ÀÏ(È­) 6¹°, (07¸í ÀÚ¸®)°ÅÁ¦µµ ¾îÃÊ ¿©¹ç °¨¼ºµ¼ È긲³¬½Ã "¿¹¾à °¡´É"
18ÀÏ(¼ö) 7¹°, (07¸í ÀÚ¸®)°ÅÁ¦µµ ¾îÃÊ ¿©¹ç °¨¼ºµ¼ È긲³¬½Ã "¿¹¾à °¡´É"
19ÀÏ(¸ñ) 8¹°, (07¸í ÀÚ¸®)°ÅÁ¦µµ ¾îÃÊ ¿©¹ç °¨¼ºµ¼ È긲³¬½Ã "¿¹¾à °¡´É"

¢Ã Á¨Æ²È£ ¿¹¾à¹®ÀÇ ¢Ï 010-8949-4045
(ã¾Æ ¿À½Ã´Â ±æ) °ÅÁ¦½Ã °ÅÁ¦¸é ¼­Á¤¸® 773-14
¢ÃÁ¨Æ²È£ ¹êµå : https://band.us/@gentlefishing
(1Â÷ ¼ø±Ý À̺¥Æ® ¿ì½ÂÇϽŠÁ¶»ç´Ô ÃàÇϵ帳´Ï´Ù~)
-2Â÷ ¼ø±Ý À̺¥Æ®°¡ 15ÀϺÎÅÍ ¹Ù·Î ½ÃÀÛµÇ´Ï µµÀüÇØº¸½Ê½Ã¿À!!!
°¨¼ºµ¼ ¼ø±Ý °ñµå¹Ù ÁõÁ¤ À̺¥Æ®
¢Ã °¨¼ºµ¼³¬½Ã & Âüµ¼ ¾îÃÊ È긲³¬½Ã ¢Ã
(°¨¼ºµ¼) »õº®~14½Ã ÀüÈÄ(À¯µ¿Àû) Á¾ÀÏ 11¸¸¿ø/µ¶¹è 75¸¸¿ø
( Âüµ¼ ) »õº®~14½Ã ÀüÈÄ(À¯µ¿Àû) Á¾ÀÏ 13¸¸¿ø/µ¶¹è 75¸¸¿ø
- ¹Ø¹ä, ¹Ì³¢, µµ½Ã¶ô, »ý¼ö, À½·á Ä¿ÇÇ Á¦°ø

¢Ã Á¨Æ²È£ °øÁö»çÇ× ¹× ÁÖÀÇ »çÇ×
- ¿¹¾à ¹®ÀÇ´Â Àú³á 9½Ã±îÁö ¿¬¶ô ¹Ù¶ø´Ï´Ù
- ¼±»ó¿¡¼­ À½ÁÖ ¹× ÁÖ·ù ¹ÝÀÔÀº ±ÝÁöÀÔ´Ï´Ù
- ½ÅºÐÁõ ²À ÁöÂü ¹× ±¸¸íÁ¶³¢ Âø¿ë ÇʼöÀÔ´Ï´Ù.

Á¨Æ²È£ ¿¹¾à¹®ÀÇ ¢Ï 010-8949-4045
(ã¾Æ ¿À½Ã´Â ±æ) °ÅÁ¦½Ã °ÅÁ¦¸é ¼­Á¤¸® 773-14
¢Ã Á¨Æ²È£ ¹êµå : https://band.us/@gentlefishing
ÀԱݰèÁ (¼öÇù) 0010-8949-4045 ÇѼºÀç
  • »ç¿ëÀÚ°¡ ¿Ã¸° À̹ÌÁö


 * °¡²û ±¤°í¸¦ Ŭ¸¯ÇØ ºÁ ÁÖ½Ã¸é ³¬¶û »çÀÌÆ® ¿î¿µ¿¡ µµ¿òÀÌ µË´Ï´Ù ^^
     
ÃÑ 0°³ÀÇ ´ñ±ÛÀÌ ÀÖ½À´Ï´Ù.

    ´ñ±Û¾²±â     [·Î±×ÀÎ] | [ȸ¿ø°¡ÀÔ]
 
 
4712´ë¹° °¨¼ºµ¼ ŸÀÛ~¿µµî ÃÊÀÔ ¾¾¾ËOK~¸¶¸®¼ö±Â~´ëµ¿³¬½Ã(15ÀÏ ¿¹¾à) ¾Æ¶ó¹Ù¶÷26.03.14760
4711(°¨¼ºµ¼) ±½Àº 4Â¥4Â¥4Â¥4Â¥¿Ü ¸·°­ ¼Õ¸À~´ë¾î¼±¿Ü±â(15ÀÏ ¿¹¾à) ¾Æ¶ó¹Ù¶÷26.03.14784
4710°¨¼ºµ¼ ½ñ¾ÆÁ³½À´Ï´Ù~5Â¥ 4Â¥µé ´ëÇü±Þµé ¼Õ¸À~´ë¾î³¬½Ã(15ÀÏ ¿¹¾à) ¾Æ¶ó¹Ù¶÷26.03.14798
4709¿µµî ´ë¹°°¨¼ºµ¼µéÀÌ ¾îÃÊ¿©¹ç¿¡ º»°Ý ÀÔ¼ºÇ߳׿ä~°¡°íÆÄÈ£ (15ÀÏ ¿¹¾à)1 ¾Æ¶ó¹Ù¶÷26.03.14808
4708µ¹¹®¾î(¿øµµ±Ç) ±½Âï~¹¬Á÷Çѳðµé ÁÖ··ÁÖ··~Çö¼­ÇǽÌ(¾ß°£ ³«Áö ¿¹¾à) ¾Æ¶ó¹Ù¶÷26.03.14802
4707¹®¾î(¿øµµ±Ç Çǵù) 2K 1.3K KKKKK ±½Àº³ðµé~°í°íÇǽÌÈ£ (¾ß°£ ¿Õ³«Áö ¿¹¾à) ¾Æ¶ó¹Ù¶÷26.03.14812
4706ÃÊ´ë¹Ú(°¨¼ºµ¼) 57Cm 55Cmèâ 4Â¥ 3Â¥ Æø°ÝÀÔÁú~´ë¾çÈ£ (15ÀÏ ¿¹¾à) ¾Æ¶ó¹Ù¶÷26.03.1477
4705¹®¾î(¿øµµ±Ç) Ű·Î±Þ Ű·Î¿À¹ö ÆÜ~ÆÜ~¶ôÇÇ½Ì (15ÀÏ ¾ß°£ÓÞ³«Áö ¿¹¾à ¾Æ¶ó¹Ù¶÷26.03.14105
4704°¨¼ºµ¼(È긲) 4Â¥¿Ü ±½Àº ¼Õ¸À~ ´çÀÏ ÃÖ´ë¾î À̺¥Æ®~3´ëÈ£(15ÀÏ ¿¹¾à) ¾Æ¶ó¹Ù¶÷26.03.1492
4703¾îÃÊ È긲(°¨¼ºµ¼) 46Cm¿Ü 4Â¥4Â¥4Â¥4Â¥ ¹¬Á÷ ¼Õ¸À~Á¨Æ²È£(¿¹¾à°¡´É) ¾Æ¶ó¹Ù¶÷26.03.14833
4702µ¹¹®¾î(ÇÖ ½Ç½Ã°£) ±½Âï~¹¬Á÷Çѳðµé ÁÖ··ÁÖ··~Çö¼­ÇǽÌ(¾ß°£ ³«Áö ¿¹¾à) ¾Æ¶ó¹Ù¶÷26.03.141,053
4701¹®¾î(´ë¹Ú Çǵù) Ű·Î¿À¹ö KKKKèâ ¸¶¸®¼ö ÆÛº×³×¿ä~°í°íÇǽÌÈ£(¾ß°£ ¿Õ³«Áö ¿¹¾à) ¾Æ¶ó¹Ù¶÷26.03.141,069
  1   2   3   4   5   6   7   8   9   10   

³¬½Ã»ç¶û¼Ò°³ | ¿À½Ã´Â±æ | ³¬½Ã»ç¶û¹è³Ê | ÀÌ¿ë¾à°ü | À̸ÞÀϹ«´Ü¼öÁý°ÅºÎ | °³ÀÎÁ¤º¸Ãë±Þ¹æÄ§ | ±Ç¸®Ä§ÇØ½Å°í¼¾ÅÍ
Copyright 1997~2022 (ÁÖ)À¥¶óÀÌÇÁ/³¬½Ã»ç¶û All rights reserved »ç¾÷ÀÚµî·Ï¹øÈ£ 110-81-42683
»ç¾÷Àå : ¼­¿ïƯº°½Ã ¿µµîÆ÷±¸ ¿µµîÆ÷·Î 374, 3Ãþ
[±¤°í/Á¦ÈÞ ¹× Ãßõ»óǰ µî·Ï¹®ÀÇ]     [³¬½ÃÅÍ ¹× ³¬½Ë¹è µî·Ï¹®ÀÇ]     [¹Î¿ø/°ÇÀÇ/½Å°í]     [¸ÞÀϹ®ÀÇ]     [¹®ÀÇ(FAX) 02-2634-2730]