¾Æ¶ó¹Ù¶÷ > (°¨¼ºµ¼)ÃÊ´ë¹Ú ½Ç½Ã°£ 5Â¥5Â¥ 4Â¥µé ¾îâ °¡µæ~´ë¾î³¬½Ã(22ÀÏ ¿¹¾à) : ³¬½Ã»ç¶û
ȸ¿ø°¡ÀÔ | ·Î±×ÀΠ| ½ÃÀÛÆäÀÌÁö | Áñ°Üã±â | ¹®ÀÇ/¿äû/½Å°í
³¬½ÃÅͼ±Åà | Àαâ°Ë»ö¾î | ¹Î¹°ÈÄ¿ø³¬½ÃÅÍ | ¹Ù´ÙÈÄ¿øÅÍ
 
¹Î¹°³¬½Ã | Á´ë/À¯·áÅÍ | ¹Ù´Ù³¬½Ã | ·ç¾î³¬½Ã | Ä¿¹Â´ÏƼ | ³¬¶ûŬ·´ | ³¬½Ã½ºÄð | Áß°íÀåÅÍ | ³¬½ÃQ&A | »ç¿ë±â/°­Á | ÃâÁ¶Á¤º¸ | °ø±¸/¿ëǰÁ¤º¸

 Æ¯ÆÄ¿ø(ÃâÁ¶Á¡)Á¶È²Á¤º¸

- º» °Ô½Ã¹°À» ¹«´Ü ´Ù¿î·Îµå, µµ¿ë, Àοë, ¸µÅ© ±ÝÁö. HOME >¹Ù´Ù³¬½Ã >ƯÆÄ¿ø(ÃâÁ¶Á¡)Á¶È²Á¤º¸

¾Æ¶ó¹Ù¶÷
ÀÛ¼ºÀÏ : 2026-03-21 09:57:52 / Á¶È¸ : 1,045      

Á¦¸ñ l ¾Æ¶ó¹Ù¶÷ > (°¨¼ºµ¼)ÃÊ´ë¹Ú ½Ç½Ã°£ 5Â¥5Â¥ 4Â¥µé ¾îâ °¡µæ~´ë¾î³¬½Ã(22ÀÏ ¿¹¾à) : ³¬½Ã»ç¶û

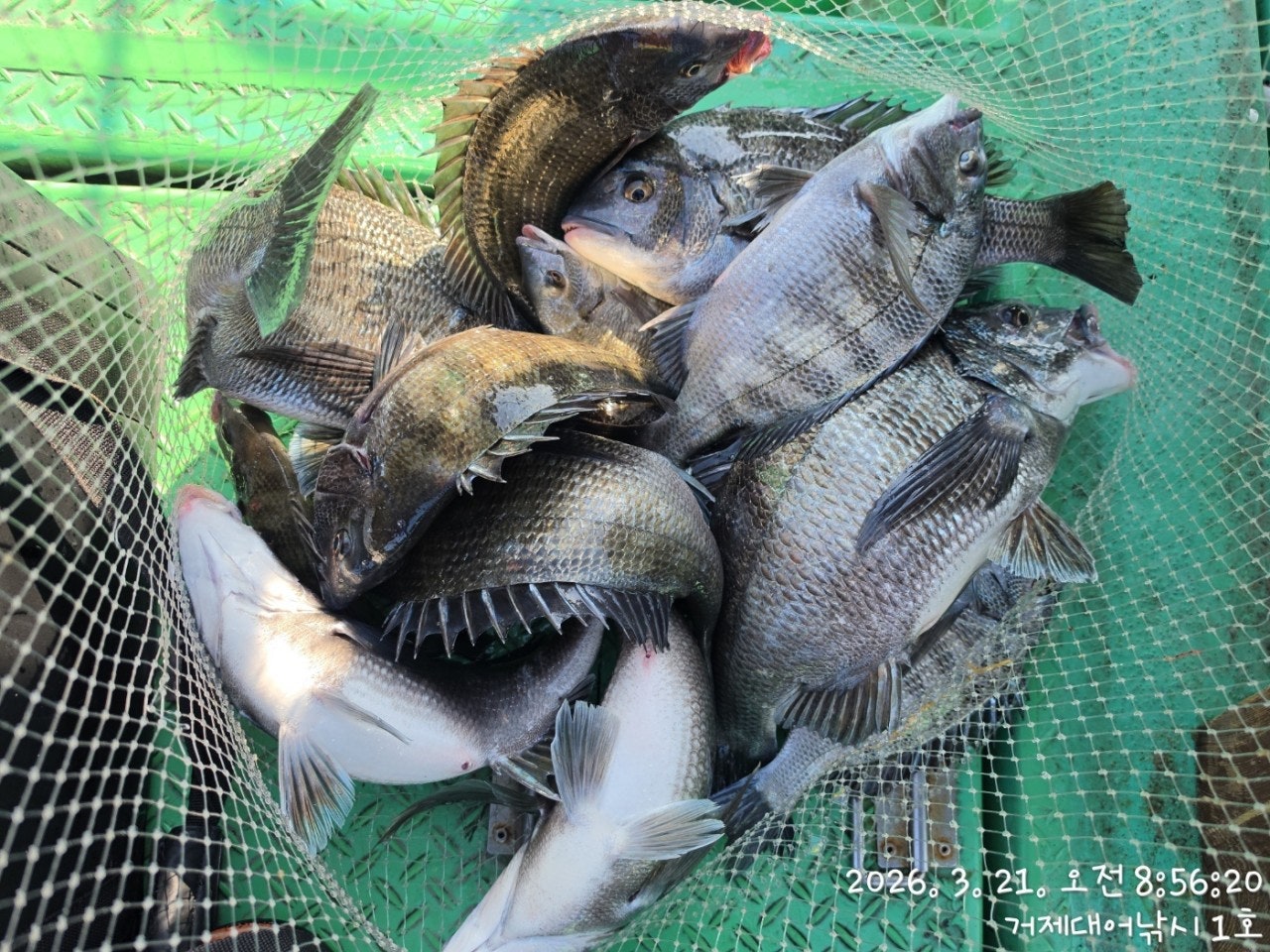
5Â¥ 4Â¥ ´ë¹° °¨¼ºµ¼ ½Ç½Ã°£ ´ë¹Ú ¿¹°¨~!!!
21ÀÏ(Åä¿äÀÏ) °ÅÁ¦ ¾îÃÊ¿©¹ç °¨¼ºµ¼³¬½Ã "°ÅÁ¦´ë¾î³¬½Ã" (½Ç½Ã°£)ÇÖÁ¶È²ÀÔ´Ï´Ù.
¡Ø °¨¼ºµ¼ 53Cm Âüµ¼ 68CmÀÌ»ó(ìí1¸í) ´ë¾î&¾ÆÁöÄ«À̺¥Æ® ÃÖ°í±Þ¿øÁÙ ÁõÁ¤!!!

¡Ù 22ÀÏ(ÀÏ¿äÀÏ) ¸Õ¹Ù´Ù Âüµ¼ ºÎ½Ã¸® È긲³¬½Ã(01¸í)"¿¹¾à°¡´É"
(22ÀÏ 11¹°, °£Á¶: 04:32 ¸¸Á¶: 10:48 )
(°¨¼ºµ¼)½Ç½Ã°£ ´ë¹° ÁÖÀǺ¸ 5Â¥ 4Â¥ ¿ì´çÅÁÅÁ Çǵù!!!
¡Ú¡Ú¾îÃÊ¿©¹ç±Ç ´ë¹° ½ÃÁð OPEN Âß~ ¿¹¾à °¡´É!!!¡Ú¡Ú

°ÅÁ¦´ë¾î³¬½Ã2È£ °¨¼ºµ¼È긲 Á¶È²ÀÔ´Ï´Ù.
´ë¹° °¨¼ºµ¼µéÀÌ º»°ÝÀûÀ¸·Î °É·Áµé±â ½ÃÀÛÇÕ´Ï´Ù~ ¸Å³â ´ë¹°ÀÇ
¼Õ¸ÀÀ» ¾È°ÜÁá´ø ¿µµîö Æ÷ÀÎÆ® ¿ÃÇØµµ ¿ª½Ã³ª ±½Á÷ÇÑ ³ðµéÀÌ ÁøÀÔÀ»
³¡³½ µí µû¹Ú µû¹Ú ÀüÇØÁö´Â ÀÔÁú¿¡ ¼Óµµ°¡ ºÙ±â ½ÃÀÛÇϳ׿ä~
5Â¥ ´ë¹° ¿Ü 4Â¥ 4Â¥ 4Â¥ 4Â¥±Þµé·Î ¸¶¸´¼ö¸¦ ä¿ö°©´Ï´Ù~ ½Â·ü
³ôÀº ¿µµî »ç¸®±¸°£ ´ë¹°ÀÇ Âù½º´Â Ȱ¦ ¿­·ÁÀÖ½À´Ï´Ù ÁýÁßÇØº¸°Ú½À´Ï´Ù.

°ÅÁ¦´ë¾î³¬½Ã1È£ °¨¼ºµ¼È긲 Á¶È²ÀÔ´Ï´Ù.
»õº®ºÎÅÍ ½¯ Æ´ ¾øÀÌ ´ýº­µå´Â ´ë¹° °¨¼ºµ¼µéÀÇ È­²öÇÑ ÀÔÁú ÆÛ·¹À̵忡
Á¶»ç´Ôµé ¼Õ±æÀÌ ¹ÙºüÁö³×¿ä 5Â¥ 4Â¥ ¹Ù±Û ¹Ù±ÛÇÕ´Ï´Ù~ »õº®ºÎÅÍ ¾ÆÄ§
Çǵù ŸÀÓ È®·üÀÌ »ó´çÈ÷ ³ôÀº ½Ã°£´ëÀÌ´Ï ²À ÁýÁßÇϼžßÇÕ´Ï´Ù.
Âß ÁÁÀº ¹°? ±¸°£ ´õ Å« ³à¼®µéÀ» ³ë¸®¸ç ÁýÁßÇØº¸°Ú½À´Ï´Ù.

22ÀÏ(ÀÏ¿äÀÏ) °ÅÁ¦Ãâ¹ß ¸Õ¹Ù´Ù Âüµ¼ ºÎ½Ã¸®³¬½Ã ¿¹¾à °¡´ÉÇÕ´Ï´Ù~
¡Ø ¼Õ¸À º¸½Ã°í ö¼ö ÇϽǶ§ ¿äû Áֽøé ÀâÀ¸½Å °í±â ¼ÒÁ¤ÀÇ ºñ¿ëÀ¸·Î ¼ÕÁú
ÇØµå¸³´Ï´Ù~ ¼±Àå´Ô²² ¿äÃ»ÇØ ÁÖ¼¼¿ä~
¢Ã °ÅÁ¦´ë¾î³¬½Ã ¾îÃÊ¿©¹ç °¨¼ºµ¼ /¼±¿Ü±â´ë¿© ÀÏÁ¤ ¾È³» ¢Ã
¡Ù22ÀÏ(ÀÏ) ÃâÁ¶ È®Á¤~¸Õ¹Ù´Ù Âüµ¼ ºÎ½Ã¸® È긲 (01¸í)"¿¹¾à°¡´É"
¡Ù23ÀÏ(¿ù) ÃâÁ¶ È®Á¤~ ¾îÃÊ¿©¹ç °¨¼ºµ¼³¬½Ã ¼±¿Ü±â´ë¿© "¿¹¾à°¡´É"
¡Ù24ÀÏ(È­) ÃâÁ¶ È®Á¤~ ¾îÃÊ¿©¹ç °¨¼ºµ¼³¬½Ã ¼±¿Ü±â´ë¿© "¿¹¾à°¡´É"
¡Ù25ÀÏ(¼ö) ÃâÁ¶ È®Á¤~ ¾îÃÊ¿©¹ç °¨¼ºµ¼³¬½Ã ¼±¿Ü±â´ë¿© "¿¹¾à°¡´É"
¡Ø ÁÁÀº Æ÷ÀÎÆ® ¼±Á¤À» À§ÇØ ¿¹¾àÀ» ¹Ì¸®¹Ì¸® ¼­µÑ·¯ Áֽʽÿä.

°ÅÁ¦´ë¾î³¬½Ã ¼±»ó³¬½Ã ¿¹¾à(µ¶Ã¤ ¹Î¹Ú ¿î¿µ)
¹®ÀÇ ¢Ï 010-6400-2082 / ¢Ï 010-454-3937
¤±¼±¿Ü±â ¿¹¾à: ¢Ï 010-6400-202
¤± ¹êµå: https://band.us/@geojdaeeofishing
°ÅÁ¦´ë¾î³¬½Ã´Â 1~7¼±´ÜÀ» ¿î¿µÇϰí ÀÖ½À´Ï´Ù.
´ÜüÆÀ/ȸ»çÆÀ/±â¾÷ÆÀ/µ¿È£È¸ÆÀ/¼±»ó ³¬½Ã´ëȸµµ °¡´ÉÇÑ ÃæºÐÇÑ ÀοøÀ» ¼ö¿ë
°¡´ÉÇÕ´Ï´Ù.

¢Ã °ÅÁ¦Ãâ¹ß ¢º»ç·®µµ Çѻ굵±Ç Á÷Ç× "µ¹¹®¾î³¬½Ã" ¢Ã
- 04½Ã 30ºÐ Ãâ¹ß ~ ¿ÀÈÄ 1½Ã(À¯µ¿Àû) ö¼ö
- µµ½Ã¶ô, »ý¼ö, Ä¿ÇÇ Á¦°øÇÕ´Ï´Ù.

¢Ã µ¹¹®¾î »ýȰ³¬½Ã & ³¬½ÃüÇè ¢Ã ¸ö¸¸ ¿À½Ã¸é µË´Ï´Ù.
- ³¬½Ë´ë, ÀåºñÀÏÀýÁ¦°ø, ±¸¸íº¹ Á¦°ø
- °¡Á·µé, ¿©¸§ÈÞ°¡, ´ÜüÆÀµé ´ëȯ¿µ~ °¡¼ººñ ÁÁ½À´Ï´Ù.

¡á Âüµ¼ È긲³¬½Ã (³»¸¸±Ç/ÁßÀå°Å¸® »ó½Ã ÃâÁ¶)
ÇѳªÀý:»õº®ºÎÅÍ ~ 2½Ã±îÁö(À¯µ¿Àû) 14¸¸¿ø
- ¹Ø¹ä,¹Ì³¢,µµ½Ã¶ô Á¦°ø, Ä¿ÇÇ, À½·á, »ý¼ö Á¦°ø
(³¬½Ë´ë) ±âº» 1.5È£~2È£´ë 530(°æÁú´ë ¼±È£)
(¸±) 4000¹ø~6000¹ø. ±Ç»ç·® 150~200¹ÌÅÍ ÃßõµÇ´Â ½ºÇǴ׸±.
(¶óÀÎ) ¿øÁÙ 4~6È£ ÇÃ·ÎÆÃ ¼¼¹ÌŸÀÔ, ¸ñÁÙ ÈķηÎÄ«º» 100% 4È£~6È£ ¼±È£.
(¹Ù´Ã) Âüµ¼ 8~12È£, Å¥¼Ç¶Ç´Â ¼öÁßÅ¥¼Ç -2B ~ -5B, Á¼½ÒºÀµ¹, ½ºÀ§º§µµ·¡
¡Øµ¶¹è´Â ½Ã°£ Á¶Á¤ °¡´ÉÇÕ´Ï´Ù.

¢Ë °ÅÁ¦´ë¾î³¬½Ã Âüµ¼ ½Ã»ó ³»¿ª ¢Ë ÀÏ 1¸í¾¿ ½Ã»óµË´Ï´Ù.
68Cm ÀÌ»ó - ÃÖ»ó±Þ ¿øÁÙ ÁõÁ¤

¡á ¼±¿Ü±â ´ë¿©
(4ÀνÂ)- 13¸¸¿ø, (3ÀνÂ) - 10¸¸¿ø / (2ÀνÂ) - 8¸¸¿ø / (1ÀνÂ)- 7¸¸¿ø.
¿µ¾÷±¸¿ª ³» Á¶Á¤¸éÇãÁõ ÇÊ¿ä ¾øÀ¸¹Ç·Î, ´©±¸³ª ÀÌ¿ëÀÌ °¡´ÉÇÕ´Ï´Ù.
- ¼±¿Ü±â »ç¿ë±³À° 3ºÐÀÌ¸é ¹Ù·Î, ¿îÀüÇÏ½Ç ¼ö ÀÖ½À´Ï´Ù.

¡Ú¾ÈÀü ÁÖÀÇ »çÇסÚ
- °ÅÁ¦´ë¾î³¬½Ã ¼±´Ü ÀÌ¿ë½Ã,¾ÈÀüÇÑ ³¬½Ã¸¦ À§ÇØ ¼±ÂøÀå Åë·Î ÀÌ¿ë½Ã ¹Ì²ø¸²À»
ÁÖÀÇ ÇØ ÁÖ½Ã±æ ¹Ù¶ø´Ï´Ù. Åë·Î Á¿쿡 ÀÖ´Â ÇÚµéÀ» Àâ°í À̵¿ÇÏ½Ã¸é ¾ÈÀüÇÕ´Ï´Ù.
- ¼±ÂøÀåµµÂøÀü, ¹è¿¡¼­ ¹Ì¸® ³»¸®Áö ¸¶½Ã°í, ¹è°¡ Á¤¹ÚÇϰí, ·ÎÇÁ¸¦ ¹­Àº µÚ¿¡
Çϼ±ÇØ ÁÖ½Ã±æ ¹Ù¶ø´Ï´Ù.

¡Ú´ë¾î³¬½Ã ¼±´Ü¡Ú
°ÅÁ¦ ´ë¾î³¬½Ã 1È£ ¤Ñ ¾ÈÁ©¶óÈ£
°ÅÁ¦ ´ë¾î³¬½Ã 2È£ ¤Ñ ¾Èµå·¹¾ÆÈ£
°ÅÁ¦ ´ë¾î³¬½Ã 3È£ ¤Ñ ¾ßÈ£(YAHO)
°ÅÁ¦ ´ë¾î³¬½Ã 4È£ ¤Ñ µ¹ÇÉÈ£
°ÅÁ¦ ´ë¾î³¬½Ã 5È£ ¤Ñ ¹Ì·¡È£
°ÅÁ¦ ´ë¾î³¬½Ã 6È£ ¤Ñ °ÅÁ¦¹Ù´ÙÈ£
°ÅÁ¦ ´ë¾î³¬½Ã 7È£ ¤Ñ »ç¶ûÈ£

¡á ÁÖº¯ Á¦ÈÞ ¹Î¹ÚÁý ¡á
¾ÆÁö¶û ¹Î¹Ú(´Üü-µ¶Ã¤) ¢Ï010-6400-2082
ÇØ¼Û±¼±¸ÀÌ¹Î¹Ú (´Üü) ¢Ï010-2545-3755
°ÅÁ¦ ´ë¾î³¬½Ã ÁÖº¯ ÆÄ¶ó½ºÆÄÂòÁú¹æ °Ë»öÇÏ½Ã¸é µË´Ï´Ù.

¡á ȯºÒ ±ÔÁ¤ ¡á
°ÅÁ¦´ë¾î³¬½Ã¿¡¼­´Â ÃâÁ¶¿¡ ´ëÇÑ È¯ºÒ±ÔÁ¤À» ¾Æ·¡¿Í °°ÀÌ ¿î¿µÁßÀÔ´Ï´Ù.
"¿¹¾à¿Ï·á" È®Á¤½Ã ÃâÁ¶ºñ Àü¾× ȯºÒÀÌ µÇÁö ¾Ê½À´Ï´Ù.
1ÀÏÀü, µµ½Ã¶ô°ú ¹Ø¹ä¿¡ µû¸¥ ½Çºñ¿Ü¿¡ ȯºÒ(ÃâÁ¶ÀÏ º¯°æ °¡´É)
2ÀÏÀü, ÃâÁ¶ºñ Àü¾× ȯºÒ,
"¿¹¾à ¿Ï·á" °øÁö ÀÌÈÄ, Ãë¼Ò ¿äû½Ã¿¡´Â ȯºÒµÇÁö ¾Ê½À´Ï´Ù.

¡Úã¾Æ¿À½Ã´Â±æ¡Ú
¡ØÃâÇ×Áö: °ÅÁ¦½Ã °ÅÁ¦¸é ¹ýµ¿¸® 1074¹øÁö ¾ÆÁö¶û°æ·Î´ç ¹æÆÄÁ¦
¡Ú¡Ú¡Ú½ÅºÐÁõ ²À ÁöÂüÇØÁÖ¼¼¿ä¡Ú¡Ú¡Ú

¢Ï °ÅÁ¦´ë¾î³¬½Ã ¼±»ó³¬½Ã ¿¹¾à(µ¶Ã¤ ¹Î¹Ú) ¹®ÀÇ¢Ï
¢Ï 010-6400-2082 / ¢Ï 010-4547-3937
¤±¼±¿Ü±â: ¢Ï 010-6400-2082
¡á ¹êµå: https://band.us/@geojdaeeofishing
  • »ç¿ëÀÚ°¡ ¿Ã¸° À̹ÌÁö

 * °¡²û ±¤°í¸¦ Ŭ¸¯ÇØ ºÁ ÁÖ½Ã¸é ³¬¶û »çÀÌÆ® ¿î¿µ¿¡ µµ¿òÀÌ µË´Ï´Ù ^^
     
ÃÑ 0°³ÀÇ ´ñ±ÛÀÌ ÀÖ½À´Ï´Ù.

    ´ñ±Û¾²±â     [·Î±×ÀÎ] | [ȸ¿ø°¡ÀÔ]
 
 
4804(°¨¼ºµ¼)5Â¥5Â¥5Â¥5Â¥±Þ ¿Ü 4Â¥ ¶¼°í±â ÃÊ´ë¹Ú~´ë¾î¼±¿Ü±â(23ÀÏ ¿¹¾à) ¾Æ¶ó¹Ù¶÷26.03.21680
4803(¿øµµ±Ç)èݹ®¾î 1.5K~Áß·®±Þµé ³ÃÀå°í Åоî¸Ô±â~°­¹ÎÈ£(23ÀÏ ¿¹¾à) ¾Æ¶ó¹Ù¶÷26.03.21695
4802(°¨¼ºµ¼)´ë¹° ÇÑ ¹æ º¸³»°í ÁßÄ¡±Þµé ´çÂù¼Õ¸À~3´ëÈ£(23ÀÏ ¿¹¾à) ¾Æ¶ó¹Ù¶÷26.03.21780
4801(¹®¾î)µÎ ÀÚ¸´¼ö 5¸í~ÆøÆÈÀû ¸¶¸´¼ö KÀüÈÄ HIT~Çö¼­ÇǽÌ(22ÀÏ ¿¹¾à) ¾Æ¶ó¹Ù¶÷26.03.21772
4800(¹®¾î)1.6K1.5K KKKKK~¿øµµ±Ç ÆøÆÈÀûÀÎ Çǵù~°í°íÇǽÌ(22ÀÏ ¿¹¾à) ¾Æ¶ó¹Ù¶÷26.03.21798
4799(¾îÃÊ¿©¹ç)°¨¼ºµ¼ ¼Õ¸À 4Â¥±Þµé ¿ì´çÅÁÅÁ~Á¨Æ²È£(22ÀÏ ¿¹¾à) ¾Æ¶ó¹Ù¶÷26.03.21809
4798(°¨¼ºµ¼)´ë¹°µé 53 52 50 ÅÊÅ©µé ¿Ü ¸ñÁÙ ÆÃ ÆÃ~º£ÀÌÈ£(22ÀÏ ¿¹¾à) ¾Æ¶ó¹Ù¶÷26.03.21143
4797(°¨¼ºµ¼)Àü ¼±´Ü 5Â¥~4Â¥ ÃÊ´ë¹Ú ¿µµîö ´ë¹°Æø°Ý~´ë¾î³¬½Ã(22ÀÏ ¿¹¾à) ¾Æ¶ó¹Ù¶÷26.03.21125
4796(°¨¼ºµ¼)ÃÊÃÊÃÊ´ë¹Ú 5Â¥5¼ö 4Â¥ 18¼ö ڸģ Á¶È²~¾ßÈ£(23ÀÏ ¿¹¾à) ¾Æ¶ó¹Ù¶÷26.03.21105
4795(½Ç½Ã°£)K¿À¹ö~ÁßÄ¡±Þ ÓÞ¹®¾î ÂÓ ±ò·È½À´Ï´Ù~Çö¼­ÇǽÌ(³«Áö ¿¹¾à) ¾Æ¶ó¹Ù¶÷26.03.21957
4794(°¨¼ºµ¼)ÃÊ´ë¹Ú ½Ç½Ã°£ 5Â¥5Â¥ 4Â¥µé ¾îâ °¡µæ~´ë¾î³¬½Ã(22ÀÏ ¿¹¾à) ¾Æ¶ó¹Ù¶÷26.03.211,045
4793(°¨¼ºµ¼)¾îÃÊ¿©¹ç ½Ã°£ Çǵù 4Â¥±Þµé ¿ì´çÅÁÅÁ~Á¨Æ²È£(22ÀÏ ¿¹¾à) ¾Æ¶ó¹Ù¶÷26.03.211,133
  1   2   3   4   5   6   7   8   9   10   

³¬½Ã»ç¶û¼Ò°³ | ¿À½Ã´Â±æ | ³¬½Ã»ç¶û¹è³Ê | ÀÌ¿ë¾à°ü | À̸ÞÀϹ«´Ü¼öÁý°ÅºÎ | °³ÀÎÁ¤º¸Ãë±Þ¹æÄ§ | ±Ç¸®Ä§ÇØ½Å°í¼¾ÅÍ
Copyright 1997~2022 (ÁÖ)À¥¶óÀÌÇÁ/³¬½Ã»ç¶û All rights reserved »ç¾÷ÀÚµî·Ï¹øÈ£ 110-81-42683
»ç¾÷Àå : ¼­¿ïƯº°½Ã ¿µµîÆ÷±¸ ¿µµîÆ÷·Î 374, 3Ãþ
[±¤°í/Á¦ÈÞ ¹× Ãßõ»óǰ µî·Ï¹®ÀÇ]     [³¬½ÃÅÍ ¹× ³¬½Ë¹è µî·Ï¹®ÀÇ]     [¹Î¿ø/°ÇÀÇ/½Å°í]     [¸ÞÀϹ®ÀÇ]     [¹®ÀÇ(FAX) 02-2634-2730]