¾Æ¶ó¹Ù¶÷ > (°¨¼ºµ¼)ÃÊ´ë¹Ú ½Ç½Ã°£ ¿¬ÀÏ 5Â¥4Â¥ ÃÊ´ë¹Ú ³¡³»Áà¿ä~¾ßÈ£(23ÀÏ ¿¹¾à) : ³¬½Ã»ç¶û
ȸ¿ø°¡ÀÔ | ·Î±×ÀΠ| ½ÃÀÛÆäÀÌÁö | Áñ°Üã±â | ¹®ÀÇ/¿äû/½Å°í
³¬½ÃÅͼ±Åà | Àαâ°Ë»ö¾î | ¹Î¹°ÈÄ¿ø³¬½ÃÅÍ | ¹Ù´ÙÈÄ¿øÅÍ
 
¹Î¹°³¬½Ã | Á´ë/À¯·áÅÍ | ¹Ù´Ù³¬½Ã | ·ç¾î³¬½Ã | Ä¿¹Â´ÏƼ | ³¬¶ûŬ·´ | ³¬½Ã½ºÄð | Áß°íÀåÅÍ | ³¬½ÃQ&A | »ç¿ë±â/°­Á | ÃâÁ¶Á¤º¸ | °ø±¸/¿ëǰÁ¤º¸

 Æ¯ÆÄ¿ø(ÃâÁ¶Á¡)Á¶È²Á¤º¸

- º» °Ô½Ã¹°À» ¹«´Ü ´Ù¿î·Îµå, µµ¿ë, Àοë, ¸µÅ© ±ÝÁö. HOME >¹Ù´Ù³¬½Ã >ƯÆÄ¿ø(ÃâÁ¶Á¡)Á¶È²Á¤º¸

¾Æ¶ó¹Ù¶÷
ÀÛ¼ºÀÏ : 2026-03-22 09:43:00 / Á¶È¸ : 1,124      

Á¦¸ñ l ¾Æ¶ó¹Ù¶÷ > (°¨¼ºµ¼)ÃÊ´ë¹Ú ½Ç½Ã°£ ¿¬ÀÏ 5Â¥4Â¥ ÃÊ´ë¹Ú ³¡³»Áà¿ä~¾ßÈ£(23ÀÏ ¿¹¾à) : ³¬½Ã»ç¶û

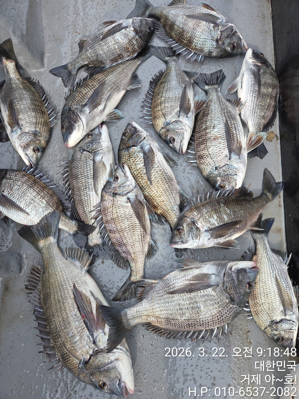
¿À´Ãµµ ´ë¹Ú 5Â¥ 4Â¥ ÆÛ ´ã¾Æ¿ä~!!!
22ÀÏ(ÀÏ¿äÀÏ) °ÅÁ¦µµ ¾îÃÊ¿©¹ç °¨¼ºµ¼ È긲³¬½Ã "¾ßÈ£" (½Ç½Ã°£)ÇÖÁ¶È²ÀÔ´Ï´Ù.
¡Ø ¿¹¾à(03½Ã Ãâ¹ß ~ 13½Ã ±îÁö(À¯µ¿Àû)) ¢Ï010-6400-2082·Î ¹®ÀÇ ÇØ ÁÖ¼¼¿ä.
¡Ø 53CmÀÌ»ó °¨¼ºµ¼ üÆ÷½Ã ¾ÆÁöÄ« ÃÖ»ó±Þ¶óÀÎ ÁõÁ¤.,

¡Ù 23ÀÏ(¿ù¿äÀÏ) °ÅÁ¦±Ç ¾îÃÊ¿©¹ç ´ë¹° °¨¼ºµ¼³¬½Ã "¿¹¾à°¡´É"
(23ÀÏ 12¹°, °£Á¶: 05:11 ¸¸Á¶: 11:21 )
(°¨¼ºµ¼) ½Ç½Ã°£ Æø°Ý!!! 5Â¥ ¿Ü 4Â¥µé ¶¼·Î ´ýºñ³×¿ä
°ÅÁ¦±Ç ¾îÃÊ¿©¹ç ¿µµîö ´ë¹° °¨¼ºµ¼ ¸ÅÀÏ ½ñ¾ÆÁý´Ï´Ù~

¾ßÈ£ ¾îÃÊ ¿©¹ç °¨¼ºµ¼ È긲 Á¶È²ÀÔ´Ï´Ù.
¾îÁ¦ ´ë¹Ú Á¶È²¿¡ ÀÌ¾î ¿À´Ãµµ ¿ª½Ã³ª ¾¾¾Ë ÁÁÀº °¨¼ºµ¼µéÀÇ ½À°ÝÀÌ
À̾îÁý´Ï´Ù~ ÀÌ¹Ì ¾îâ¿¡´Â µ¢Ä¡±Þµé·Î °¡µæÇÑ »óȲ~ »õº®ºÎÅÍ À̾îÁø
ÀÔÁú ·¯½¬¿¡ ¼±¼ö ¼±¹Ì ÇÒ °Í ¾øÀÌ ²ÙÁØÈ÷ ÀÔÁúÀ» ¹Þ¾Æ³»½Ã³×¿ä~
5Â¥ ´ë¹° ¿Ü 4Â¥ 4Â¥ 4Â¥ 4Â¥ 4Â¥ 4Â¥ 4Â¥ 4Â¥ 4Â¥ 4Â¥ 4Â¥~
¿ÀÁø ³ð 5¹æ ÅÍÆ®¸®°í ¹ÌÄ£ ¼Õ¸À Áñ±â°í ÀÖ½À´Ï´Ù. ³»ÀÏ ¿¹¾à
°¡´ÉÇÕ´Ï´Ù ´ë¹Ú Âù½º ÀâÀ¸·¯ ¿À½Ê½Ã¿À~

23ÀÏ(¿ù¿äÀÏ) ¾îÃÊ¿©¹ç ´ë¹° °¨¼ºµ¼³¬½Ã ¼±¿Ü±â´ë¿© ¿¹¾à °¡´ÉÇÕ´Ï´Ù.
Âß ÁÁÀº ±â»ó°ú ¹°¶§ ¼Ó½Â·ü ³ô½À´Ï´Ù. °³Àαâ·Ï °»½Å µµÀüÇØ º¸¼¼¿ä~

¢Ã "¾ßÈ£" °ÅÁ¦ ¾ÆÁö¶û ¸¶À» Ãâ¹ß ÃâÁ¶ ÀÏÁ¤ ¾È³» ¢Ã
¡Ù23ÀÏ(¿ù¿äÀÏ) °¨¼ºµ¼ È긲³¬½Ã ¼±¿Ü±â ´ë¿© "¿¹¾à°¡´É"
¡Ù24ÀÏ(È­¿äÀÏ) °¨¼ºµ¼ È긲³¬½Ã ¼±¿Ü±â ´ë¿© "¿¹¾à°¡´É"
¡Ù25ÀÏ(¼ö¿äÀÏ) °¨¼ºµ¼ È긲³¬½Ã ¼±¿Ü±â ´ë¿© "¿¹¾à°¡´É"
¡Ù26ÀÏ(¸ñ¿äÀÏ) °¨¼ºµ¼ È긲³¬½Ã ¼±¿Ü±â ´ë¿© "¿¹¾à°¡´É"
¡Ù27ÀÏ(±Ý¿äÀÏ) °¨¼ºµ¼ È긲³¬½Ã ¼±¿Ü±â ´ë¿© "¿¹¾à°¡´É"
¡Ù28ÀÏ(Åä¿äÀÏ) °¨¼ºµ¼ È긲³¬½Ã ¼±¿Ü±â ´ë¿© "¿¹¾à°¡´É"
¡Ø ÁÖ¸» °øÈÞÀÏÀº ¹Ì¸® ¹Ì¸® ¿¹¾àÀ» ÇØ ÁÖ½Ã±æ ¹Ù¶ø´Ï´Ù.
¡Ø ³¬½ÃÀåºñ°¡ ÇÊ¿äÇϽŠºÐµéÀº ÀÓ´ë ÇØ µå¸³´Ï´Ù. ¿¹¾à½Ã ²À ¾Ë·Á ÁÖ¼¼¿ä.

¢Ë °ÅÁ¦ ¾ßÈ£ ¢Ï ¿¹¾à¹®ÀÇ¢Ï 010-6537-2082
¤±¼±»ó³¬½Ã (¹Î¹Ú) ¹®ÀÇ : ¢Ï 010-6400-2082 / ¢Ï010-4547-3937
¡Ø (¿ÀÀü 6½ÃºÎÅÍ 12½Ã±îÁö 010-6400-2082·Î ¿¹¾à ¹Ù¶ø´Ï´Ù)
¤±¼±¿Ü±â ¹®ÀÇ : ¢Ï 010-6400-2082
(ÃâÇ×Áö) °ÅÁ¦½Ã °ÅÁ¦¸é ¹ýµ¿¸® 1074¹øÁö ¾ÆÁö¶û°æ·Î´ç ¹æÆÄÁ¦
¤± °ÅÁ¦ ¾ßÈ£ ¹êµå : https://band.us/@yahoboat
(21ÀÏ 5Â¥ 4Â¥·Î¸¸ 26¼ö ÃÊ´ë¹Ú Á¶È² ÷ºÎÇÕ´Ï´Ù~)
¢Ã´ë¹° °¨¼ºµ¼ È긲³¬½Ã ¢Ã
- ¾ßÈ£¿Í ´ë¾î³¬½Ã ¼±´Ü »ó½Ã ¿î¿µÁßÀÔ´Ï´Ù.

¢Ã »ýȰ³¬½Ã & ³¬½ÃüÇè ¢Ã
- ¸ö¸¸ ¿À½Ã¸é µË´Ï´Ù.
- ³¬½Ë´ë, ÀåºñÀÏÀýÁ¦°ø, ±¸¸íº¹ Á¦°ø

¡á ÁÖº¯ Á¦ÈÞ ¹Î¹ÚÁý ¡á
¾ÆÁö¶û ¹Î¹Ú(´Üü-µ¶Ã¤) ¢Ï010-6400-2082
ÇØ¼Û±¼±¸ÀÌ¹Î¹Ú (´Üü) ¢Ï010-2545-3755
°ÅÁ¦ ´ë¾î³¬½Ã ÁÖº¯ ÆÄ¶ó½ºÆÄÂòÁú¹æ °Ë»öÇÏ½Ã¸é µË´Ï´Ù.

¡Ú¾ÈÀü ÁÖÀÇ »çÇסÚ
- °ÅÁ¦´ë¾î³¬½Ã ¼±´Ü ÀÌ¿ë½Ã, ¾ÈÀüÇÑ ³¬½Ã¸¦ À§ÇØ ¼±ÂøÀå Åë·Î ÀÌ¿ë½Ã ¹Ì²ø¸²À»
ÁÖÀÇ ÇØ ÁÖ½Ã±æ ¹Ù¶ø´Ï´Ù. Åë·Î Á¿쿡 ÀÖ´Â ÇÚµéÀ» Àâ°í À̵¿ÇÏ½Ã¸é ¾ÈÀüÇÕ´Ï´Ù.
- ¼±ÂøÀåµµÂøÀü, ¹è¿¡¼­ ¹Ì¸® ³»¸®Áö ¸¶½Ã°í, ¹è°¡ Á¤¹ÚÇϰí, ·ÎÇÁ¸¦ ¹­Àº µÚ¿¡
Çϼ±ÇØ ÁÖ½Ã±æ ¹Ù¶ø´Ï´Ù.

¢Ë °ÅÁ¦ ¾ßÈ£ ¢Ï ¿¹¾à¹®ÀÇ¢Ï 010-6537-2082
¤±¼±»ó³¬½Ã (¹Î¹Ú) ¹®ÀÇ : ¢Ï 010-6400-2082 / ¢Ï010-4547-3937
¡Ø (¿ÀÀü 6½ÃºÎÅÍ 12½Ã±îÁö 010-6400-2082·Î ¿¹¾à ¹Ù¶ø´Ï´Ù)
¤±¼±¿Ü±â ¹®ÀÇ : ¢Ï 010-6400-2082
¤± °ÅÁ¦ ¾ßÈ£ ¹êµå : https://band.us/@yahoboat
(ÃâÇ×Áö) °ÅÁ¦½Ã °ÅÁ¦¸é ¹ýµ¿¸® 1074¹øÁö "¾ÆÁö¶û°æ·Î´ç ¹æÆÄÁ¦" Ãâ¹ß.
(»ç¹«½Ç) °ÅÁ¦½Ã °ÅÁ¦¸é ¼­Á¤¸® 746-3(GS25½ÃÆíÀÇÁ¡)°Ë»öÇÏ½Ã¸é ¹Ù·Î ¿· À§Ä¡
  • »ç¿ëÀÚ°¡ ¿Ã¸° À̹ÌÁö

 * °¡²û ±¤°í¸¦ Ŭ¸¯ÇØ ºÁ ÁÖ½Ã¸é ³¬¶û »çÀÌÆ® ¿î¿µ¿¡ µµ¿òÀÌ µË´Ï´Ù ^^
     
ÃÑ 0°³ÀÇ ´ñ±ÛÀÌ ÀÖ½À´Ï´Ù.

    ´ñ±Û¾²±â     [·Î±×ÀÎ] | [ȸ¿ø°¡ÀÔ]
 
 
4822(°¨¼ºµ¼)5Â¥ 3¸¶¸® 4Â¥ ÃÊÁß¹Ý Æø°Ý ¼Õ¸À ÃàÁ¦~´ë¾î¼±¿Ü±â(23ÀÏ ¿¹¾à) ¾Æ¶ó¹Ù¶÷26.03.22722
4821(°¨¼ºµ¼)4Â¥ ÀüÈÄ ¸¶¸´¼ö ¿Ü 21ÀÏ 5Â¥4Â¥ ÇÖÁ¶È² °¡°íÆÄÈ£(23ÀÏ ¿¹¾à) ¾Æ¶ó¹Ù¶÷26.03.22771
4820(°¨¼ºµ¼)³»¸¸±Ç 5Â¥4Â¥~´ë¹°µé ÁøÀÔ ¿Ï·á~´ëµ¿³¬½Ã(23ÀÏ ¿¹¾à) ¾Æ¶ó¹Ù¶÷26.03.22780
4819(°¨¼ºµ¼)¿¬ÀÏ ´ë¹Ú ñé~4Â¥ ¶¼°í±â~6Â¥5Â¥ Âüµ¼±îÁö~´ë¾î³¬½Ã(23ÀÏ ¿¹¾à) ¾Æ¶ó¹Ù¶÷26.03.22777
4818(ÃÊÃÊ~´ë¹Ú)°¨¼ºµ¼ ¶¼°í±â 5Â¥ ¿Ü 4Â¥ 24¼ö~Á¨Æ²È£(28ÀÏ ¿¹¾à) ¾Æ¶ó¹Ù¶÷26.03.22835
4817(°¨¼ºµ¼)55.5 52 5Â¥µé ¿Ü 4Â¥4Â¥±Þµé 30¼ö °¡±îÀÌ~¾ßÈ£(23ÀÏ ¿¹¾à) ¾Æ¶ó¹Ù¶÷26.03.22844
4816(°¨¼ºµ¼)¾îÃÊ¿©¹ç ¼Ò½Ä 4Â¥ 4Â¥±Þ Æ÷ÇÔ 6¼ö~3´ëÈ£(23ÀÏ ¿¹¾à) ¾Æ¶ó¹Ù¶÷26.03.22154
4815(°¨¼ºµ¼)ÇØ±Ý°­±Ç ¿µµîö »§»§ÇÑ 4Â¥3Â¥ Á¶È²~½Å¼ºÈ£(23ÀÏ ¿¹¾à) ¾Æ¶ó¹Ù¶÷26.03.22112
4814(°¨¼ºµ¼)53 52 5Â¥µé ¿Ü 4Â¥ ÃÊÁßÈÄ µÎ ÀÚ¸´¼ö~´ë¾çÈ£(23ÀÏ ¿¹¾à) ¾Æ¶ó¹Ù¶÷26.03.2282
4813(¿øµµ±Ç)½Ç½Ã°£ ¹®¾î ´º½º~K±Þ~ÁßÄ¡±Þ üÆ÷ ñé °í°íÇǽÌ(23ÀÏ ¿¹¾à) ¾Æ¶ó¹Ù¶÷26.03.22824
4812(½Ç½Ã°£)5Â¥4Â¥ °¨¼ºµ¼µé ¿Ü ¸Õ¹Ù´Ù Âüµ¼ 6Â¥±îÁö~´ë¾î³¬½Ã(23ÀÏ ¿¹¾à) ¾Æ¶ó¹Ù¶÷26.03.221,098
4811(°¨¼ºµ¼)53 52 ½Ç½Ã°£ 5Â¥µé ¿Ü 4Â¥4Â¥4Â¥4Â¥~´ë¾çÈ£(23ÀÏ ¿¹¾à) ¾Æ¶ó¹Ù¶÷26.03.221,125
  1   2   3   4   5   6   7   8   9   10   

³¬½Ã»ç¶û¼Ò°³ | ¿À½Ã´Â±æ | ³¬½Ã»ç¶û¹è³Ê | ÀÌ¿ë¾à°ü | À̸ÞÀϹ«´Ü¼öÁý°ÅºÎ | °³ÀÎÁ¤º¸Ãë±Þ¹æÄ§ | ±Ç¸®Ä§ÇØ½Å°í¼¾ÅÍ
Copyright 1997~2022 (ÁÖ)À¥¶óÀÌÇÁ/³¬½Ã»ç¶û All rights reserved »ç¾÷ÀÚµî·Ï¹øÈ£ 110-81-42683
»ç¾÷Àå : ¼­¿ïƯº°½Ã ¿µµîÆ÷±¸ ¿µµîÆ÷·Î 374, 3Ãþ
[±¤°í/Á¦ÈÞ ¹× Ãßõ»óǰ µî·Ï¹®ÀÇ]     [³¬½ÃÅÍ ¹× ³¬½Ë¹è µî·Ï¹®ÀÇ]     [¹Î¿ø/°ÇÀÇ/½Å°í]     [¸ÞÀϹ®ÀÇ]     [¹®ÀÇ(FAX) 02-2634-2730]