¾Æ¶ó¹Ù¶÷ > (ÀÚ¿¬¾îÃÊ)Âüµ¼ °¨¼ºµ¼ µ¿½Ã °ø·«~5Â¥~4Â¥±îÁö º£ÀÌÈ£(18ÀÏ ¿¹¾à) : ³¬½Ã»ç¶û
ȸ¿ø°¡ÀÔ | ·Î±×ÀΠ| ½ÃÀÛÆäÀÌÁö | Áñ°Üã±â | ¹®ÀÇ/¿äû/½Å°í
³¬½ÃÅͼ±Åà | Àαâ°Ë»ö¾î | ¹Î¹°ÈÄ¿ø³¬½ÃÅÍ | ¹Ù´ÙÈÄ¿øÅÍ
 
¹Î¹°³¬½Ã | Á´ë/À¯·áÅÍ | ¹Ù´Ù³¬½Ã | ·ç¾î³¬½Ã | Ä¿¹Â´ÏƼ | ³¬¶ûŬ·´ | ³¬½Ã½ºÄð | Áß°íÀåÅÍ | ³¬½ÃQ&A | »ç¿ë±â/°­Á | ÃâÁ¶Á¤º¸ | °ø±¸/¿ëǰÁ¤º¸

 Æ¯ÆÄ¿ø(ÃâÁ¶Á¡)Á¶È²Á¤º¸

- º» °Ô½Ã¹°À» ¹«´Ü ´Ù¿î·Îµå, µµ¿ë, Àοë, ¸µÅ© ±ÝÁö. HOME >¹Ù´Ù³¬½Ã >ƯÆÄ¿ø(ÃâÁ¶Á¡)Á¶È²Á¤º¸

¾Æ¶ó¹Ù¶÷
ÀÛ¼ºÀÏ : 2026-04-16 15:07:56 / Á¶È¸ : 2,810      

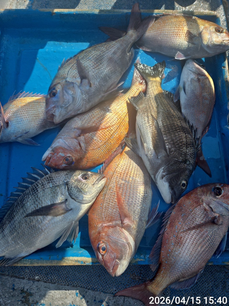
Á¦¸ñ l ¾Æ¶ó¹Ù¶÷ > (ÀÚ¿¬¾îÃÊ)Âüµ¼ °¨¼ºµ¼ µ¿½Ã °ø·«~5Â¥~4Â¥±îÁö º£ÀÌÈ£(18ÀÏ ¿¹¾à) : ³¬½Ã»ç¶û

ÀÚ¿¬¾îÃ求 Âüµ¼ °¨¼ºµ¼ µ¿½Ã¿¡~
15ÀÏ(¼ö) ¿åÁö±Ç ÀÚ¿¬¾îÃÊ °¨¼ºµ¼ Âüµ¼ È긲³¬½Ã "°í¼ºº£ÀÌÈ£" (ö¼ö)Á¶È²ÀÔ´Ï´Ù.
¡Ø °¨¼ºµ¼ 53Cm ¾ÆÁöÄ«¶óÀÎ À̺¥Æ®, Ä«°í Àý´ë »çÀý~ÀÚ¿¬ ¾îÃÊ¿©¹ç È긲³¬½Ã!!!

¿åÁöµµ ÀÚ¿¬¾îÃ求 Âüµ¼ ½ÃÁð OPEN~
¡Ù18ÀÏ(Åä) 07½Ã Ãâ¹ß, ÀÚ¿¬¾îÃÊ °¨¼ºµ¼ Âüµ¼³¬½Ã "¿¹¾à°¡´É"
(ÀÚ¿¬¾îÃÊ)Âüµ¼ °¨¼ºµ¼ µ¿½Ã¿¡ 5Â¥~4Â¥±îÁö ¿ì´çÅÁÅÁ~
¡Ø¾îÀ峬½Ã Ä«°í³¬½Ã »çÀý~ ÀÚ¿¬¾îÃ求 ¸ÅÀÏ ÁøÀÔÇÕ´Ï´Ù~
ÀÚ¿¬¾îÃ求 ´ë¹° °¨¼ºµ¼ Àü¹® ÃâÁ¶ °í¼º º£ÀÌÈ£ÀÔ´Ï´Ù.
ÀÚ¿¬¾îÃ求 µ¢Ä¡±Þ Âüµ¼ °¨¼ºµ¼ ¼Ò½ÄÀÔ´Ï´Ù~ ³Ã¼ö´ëÀÇ ¿µÇâÀÎÁö
¸¹Àº ¸¶¸´¼ö´Â ¾Æ´ÏÁö¸¸ 5Â¥~4Â¥±îÁö µ¢Ä¡±ÞµéÀÇ ÀÔÁúÀ» ¹Þ¾Æ³¾
¼ö ÀÖ¾ú°í, Áß°£ Áß°£ ã¾Æ¿À´Â ´ëÇü±ÞµéÀÇ ÀÔÁú¿¡ ÅÍÁ®³ª°¡±âµµ
Çϸç Áñ°Ì°Ô ¼Õ¸À Áñ±â°í ¸¶¹«¸® ÇÕ´Ï´Ù. ÁÖ¸» ÁÁÀº ¹°¶§¿Í ±â»ó ¼Ó
Âüµ¼ °¨¼ºµ¼À» µ¿½Ã¿¡ ³ë¸®¸ç ÃâÁ¶ÇÏ´Ï ÇÔ²²ÇÏ½Ç ºÐµé ¿¬¶ôÁֽʽÿÀ.

18ÀÏ(Åä¿äÀÏ) 7½Ã Ãâ¹ß, °í¼ºÃâ¹ß, ÀÚ¿¬¾îÃÊ °¨¼ºµ¼ Âüµ¼³¬½Ã Á÷Ç×ÇÕ´Ï´Ù.
ÀÚ¿¬¾îÃʱǿ¡ ±½Àº °¨¼ºµ¼°ú Âüµ¼µéÀÌ ÇÔ²² ´ýºñ°í ÀÖ½À´Ï´Ù.
¿À´Ãµµ °í¼º º£ÀÌÈ£¿Í ÇÔ²²ÇØÁֽŠÁ¶»ç´Ôµé ¼ö°í ¸¹À¸¼Ì½À´Ï´Ù.

¢Ã °í¼ºº£ÀÌÈ£ ÀÚ¿¬ ¾îÃÊ ¿©¹ç È긲³¬½Ã ÃâÁ¶ ÀÏÁ¤ ¢Ã
¡Ú18ÀÏ(Åä) 9¹°, ÀÚ¿¬¾îÃÊ ´ë¹° °¨¼ºµ¼ Âüµ¼³¬½Ã "¿¹¾à°¡´É"
¡Ú19ÀÏ(ÀÏ) 10¹°, ÀÚ¿¬¾îÃÊ ´ë¹° °¨¼ºµ¼ Âüµ¼³¬½Ã "¿¹¾à°¡´É"
¡Ú20ÀÏ(¿ù) 11¹°, ÀÚ¿¬¾îÃÊ ´ë¹° °¨¼ºµ¼ Âüµ¼³¬½Ã "¿¹¾à°¡´É"
¡Ú21ÀÏ(È­) 12¹°, ÀÚ¿¬¾îÃÊ ´ë¹° °¨¼ºµ¼ Âüµ¼³¬½Ã "¿¹¾à°¡´É"
¡Ú22ÀÏ(¼ö) 13¹°, ÀÚ¿¬¾îÃÊ ´ë¹° °¨¼ºµ¼ Âüµ¼³¬½Ã "¿¹¾à°¡´É"
¡Ú23ÀÏ(¸ñ) 14¹°, ÀÚ¿¬¾îÃÊ ´ë¹° °¨¼ºµ¼ Âüµ¼³¬½Ã "¿¹¾à°¡´É"
¡Ø ÀÚ¿¬¾îÃÊ¿©¹ç ÁÖÁß, ÁÖ¸» ¿¹¾à °¡´ÉÇÕ´Ï´Ù.

¡á °í¼º º£ÀÌÈ£ ¢Ï010 4596 1782
¡á ÃâÇ×Áö : °í¼º±º »ï»ê¸é µÎÆ÷¸®177-16 ºí·ç¿þÀÏ ±Û·¥ÇÎÒ®
¡á ¹êµå : https://band.us/@bayho
¢Ã°¨¼ºµ¼ Âüµ¼³¬½Ã ÀÚ¿¬¾îÃÊ ¿©¹çÆ÷ÀÎÆ® °ø·« ¢Ã
1) (ÃâÇ×) ¿ÀÀü 6½Ã Ãâ¹ß, ¿ÀÈÄ 2½Ã°æ (À¯µ¿Àû)
2) ÃâÁ¶Áö¿ª: »ç·®µµ(Ãßµµ±Ç)
¿øµµ±Ç¿ª : ¿åÁöµµ, Á»縮µµ, °¥µµ±Ç
3) ¹Ø¹ä, ¹Ì³¢, µµ½Ã¶ô Á¦°ø
- Ä¿ÇÇ, »ý¼ö,À½·á µîÀº »ó½Ã ºñÄ¡µÇ¾î ÀÖ½À´Ï´Ù.

¢Ã ¾ÆÁöÄ«(AJIKA)¶óÀΠƯº°½Ã»ó ¢Ã
- ³¬½ÃÁÙȸ»ç ¾ÆÁöÄ«(AJIKA)¶óÀο¡¼­ °¨¼ºµ¼ 55CmÀÌ»ó
ÃÖ»ó±Þ¶óÀÎ "±¸·¹½ºÆä¼È"¿øÁÙ ÁõÁ¤(¹è¼Ûºñ ¹«·á)ÇÕ´Ï´Ù.

¡á °í¼º º£ÀÌÈ£ ¢Ï010 4598 1782
¡á ÃâÇ×Áö : °í¼º±º »ï»ê¸é µÎÆ÷¸®177-16 ºí·ç¿þÀÏ ±Û·¥ÇÎÒ®
¡á ¹êµå : https://band.us/@bayho
¡áºí·Î±× : https://blog.naver.com/bayfishing
  • »ç¿ëÀÚ°¡ ¿Ã¸° À̹ÌÁö

 * °¡²û ±¤°í¸¦ Ŭ¸¯ÇØ ºÁ ÁÖ½Ã¸é ³¬¶û »çÀÌÆ® ¿î¿µ¿¡ µµ¿òÀÌ µË´Ï´Ù ^^
     
ÃÑ 0°³ÀÇ ´ñ±ÛÀÌ ÀÖ½À´Ï´Ù.

    ´ñ±Û¾²±â     [·Î±×ÀÎ] | [ȸ¿ø°¡ÀÔ]
 
 
4989(°¨¼ºµ¼)°¨´çºÒ°¡ ÆÃÆÃÆÃÆÃÆÃÆÃ...5Â¥5Â¥±Þ ¿Ü 4Â¥µé~¾ßÈ£(19ÀÏ ¿¹¾à) ¾Æ¶ó¹Ù¶÷26.04.18297
4988(°¨¼ºµ¼)½Ç½Ã°£ 5Â¥ 5Â¥ ½ÖµÕÀÌ ´ë¹° ¼Õ¸À ñé ´ë¾î³¬½Ã(19ÀÏ ¿¹¾à) ¾Æ¶ó¹Ù¶÷26.04.18298
4987(ÇÑÄ¡)´À³ª´À³ª 123µî ÇÕ 150¿©¼ö ½ÉÇØ°©À̱îÁö~°í°íÇǽÌ(¿À´Ã ¿¹¾à) ¾Æ¶ó¹Ù¶÷26.04.18318
4986(°¨¼ºµ¼)½Ç½Ã°£ ´ýº­µå³×¿ä~4Â¥ÀüÈÄ ¿ì·ç·ç~´ëµ¿³¬½Ã(19ÀÏ ¿¹¾à) ¾Æ¶ó¹Ù¶÷26.04.18322
4985´ë¿Õ(°¨¼ºµ¼) 5Â¥±Þ 5Â¥±Þ 4Â¥¿Ü 4¹æ ÅÁÅÁÅÁÅÁ~¾ßÈ£(¼±´Ü ¿¹¾à°¡´É) ¾Æ¶ó¹Ù¶÷26.04.171,294
4984°¨¼ºµ¼(È긲) 5Â¥ ´ë¹°¿Ü 4Â¥4Â¥4Â¥ 5¹æ ÅÁÅÁÅÁ~´ë¾î³¬½Ã(18ÀÏ ¿¹¾à ¾Æ¶ó¹Ù¶÷26.04.171,403
4983(°¨¼ºµ¼)½Ç½Ã°£ ´ë¹° ½À°Ý 3¹æ ÅÍÁö°í 4Â¥4Â¥4Â¥±Þ~´ë¾î³¬½Ã(18ÀÏ ¿¹¾à) ¾Æ¶ó¹Ù¶÷26.04.171,466
4982(½Ç½Ã°£)³»¸¸±Ç °¨¼ºµ¼ 2¹æ ÅÍÁö°í 48 47 5Â¥±Þµé~¾ßÈ£(18ÀÏ ¿¹¾à) ¾Æ¶ó¹Ù¶÷26.04.171,452
4981(´Ù´ëÆ÷)Âüµ¼ ºÎ½Ã¸® ¶¼°í±â~1Ÿ1ÇÇ Å¸ÀÛÁ¶È²~¿ëÁøÈ£(18ÀÏ ¿¹¾à) ¾Æ¶ó¹Ù¶÷26.04.171,477
4980(ÀÚ¿¬¾îÃÊ)Âüµ¼ °¨¼ºµ¼ µ¿½Ã °ø·«~5Â¥~4Â¥±îÁö º£ÀÌÈ£(18ÀÏ ¿¹¾à) ¾Æ¶ó¹Ù¶÷26.04.162,810
4979(º¼¶ô)20CmÀüÈÄ ¿ì´çÅÁÅÁ~18ÀÏ ¹«´Ì ÃâÇ×È®Á¤~´º±×¸°È£(17ÀÏ ¿¹¾à) ¾Æ¶ó¹Ù¶÷26.04.162,243
4978(º¼¶ô)Æò±Õ 25Cm ÀüÈÄ °¥»Êµé ÆøÇ³ HIT~°í°í½á´ÏÈ£(17ÀÏ ¿¹¾à) ¾Æ¶ó¹Ù¶÷26.04.162,142
  1   2   3   4   5   6   7   8   9   10   

³¬½Ã»ç¶û¼Ò°³ | ¿À½Ã´Â±æ | ³¬½Ã»ç¶û¹è³Ê | ÀÌ¿ë¾à°ü | À̸ÞÀϹ«´Ü¼öÁý°ÅºÎ | °³ÀÎÁ¤º¸Ãë±Þ¹æÄ§ | ±Ç¸®Ä§ÇØ½Å°í¼¾ÅÍ
Copyright 1997~2022 (ÁÖ)À¥¶óÀÌÇÁ/³¬½Ã»ç¶û All rights reserved »ç¾÷ÀÚµî·Ï¹øÈ£ 110-81-42683
»ç¾÷Àå : ¼­¿ïƯº°½Ã ¿µµîÆ÷±¸ ¿µµîÆ÷·Î 374, 3Ãþ
[±¤°í/Á¦ÈÞ ¹× Ãßõ»óǰ µî·Ï¹®ÀÇ]     [³¬½ÃÅÍ ¹× ³¬½Ë¹è µî·Ï¹®ÀÇ]     [¹Î¿ø/°ÇÀÇ/½Å°í]     [¸ÞÀϹ®ÀÇ]     [¹®ÀÇ(FAX) 02-2634-2730]