¾Æ¶ó¹Ù¶÷ > (ÀÚ¿¬¾îÃÊ)Âüµ¼¶¼ ÀÔ¼º~ºü°¡±Þ ÅÍÁö°í ¸¶¸´¼ö ¼Ò½Ä~º£ÀÌÈ£(21ÀÏ ¿¹¾à) : ³¬½Ã»ç¶û
ȸ¿ø°¡ÀÔ | ·Î±×ÀΠ| ½ÃÀÛÆäÀÌÁö | Áñ°Üã±â | ¹®ÀÇ/¿äû/½Å°í
³¬½ÃÅͼ±Åà | Àαâ°Ë»ö¾î | ¹Î¹°ÈÄ¿ø³¬½ÃÅÍ | ¹Ù´ÙÈÄ¿øÅÍ
 
¹Î¹°³¬½Ã | Á´ë/À¯·áÅÍ | ¹Ù´Ù³¬½Ã | ·ç¾î³¬½Ã | Ä¿¹Â´ÏƼ | ³¬¶ûŬ·´ | ³¬½Ã½ºÄð | Áß°íÀåÅÍ | ³¬½ÃQ&A | »ç¿ë±â/°­Á | ÃâÁ¶Á¤º¸ | °ø±¸/¿ëǰÁ¤º¸

 Æ¯ÆÄ¿ø(ÃâÁ¶Á¡)Á¶È²Á¤º¸

- º» °Ô½Ã¹°À» ¹«´Ü ´Ù¿î·Îµå, µµ¿ë, Àοë, ¸µÅ© ±ÝÁö. HOME >¹Ù´Ù³¬½Ã >ƯÆÄ¿ø(ÃâÁ¶Á¡)Á¶È²Á¤º¸

¾Æ¶ó¹Ù¶÷
ÀÛ¼ºÀÏ : 2026-04-20 14:54:08 / Á¶È¸ : 1,703      

Á¦¸ñ l ¾Æ¶ó¹Ù¶÷ > (ÀÚ¿¬¾îÃÊ)Âüµ¼¶¼ ÀÔ¼º~ºü°¡±Þ ÅÍÁö°í ¸¶¸´¼ö ¼Ò½Ä~º£ÀÌÈ£(21ÀÏ ¿¹¾à) : ³¬½Ã»ç¶û

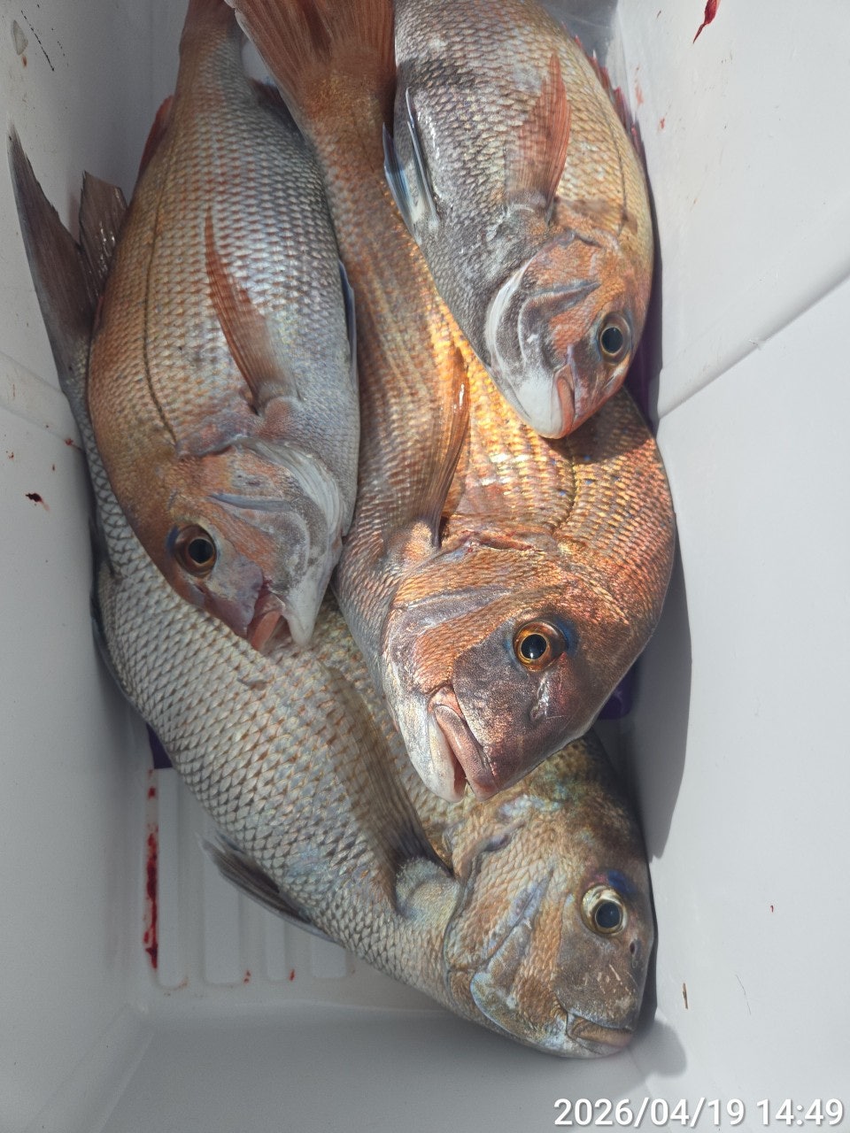
ÀÚ¿¬¾îÃ求 Âüµ¼¶¼ È®½ÇÈ÷ ÀÚ¸® Àâ¾Ò³×¿ä~
19ÀÏ(ÀÏ) ¿åÁö±Ç ÀÚ¿¬¾îÃÊ °¨¼ºµ¼ Âüµ¼ È긲³¬½Ã "°í¼ºº£ÀÌÈ£" (ö¼ö)Á¶È²ÀÔ´Ï´Ù.
¡Ø °¨¼ºµ¼ 53Cm ¾ÆÁöÄ«¶óÀÎ À̺¥Æ®, Ä«°í Àý´ë »çÀý~ÀÚ¿¬ ¾îÃÊ¿©¹ç È긲³¬½Ã!!!

¿åÁöµµ ÀÚ¿¬¾îÃ求 Âüµ¼ ½ÃÁð OPEN~
¡Ù21ÀÏ(È­) 07½Ã Ãâ¹ß, ÀÚ¿¬¾îÃÊ °¨¼ºµ¼ Âüµ¼³¬½Ã "¿¹¾à°¡´É"
(ÀÚ¿¬¾îÃÊ)´ë¹°µé ÅÍÁö°í ÁßÄ¡±Þ Âüµ¼ ¸¶¸´¼ö ¼Ò½Ä~
¡Ø¾îÀ峬½Ã Ä«°í³¬½Ã »çÀý~ ÀÚ¿¬¾îÃ求 ¸ÅÀÏ ÁøÀÔÇÕ´Ï´Ù~
ÀÚ¿¬¾îÃ求 ´ë¹° °¨¼ºµ¼ Àü¹® ÃâÁ¶ °í¼º º£ÀÌÈ£ÀÔ´Ï´Ù.
ÀÚ¿¬¾îÃÊ±Ç È®½ÇÈ÷ Âüµ¼µéÀÌ ÀÚ¸®¸¦ ÀâÀº µí ÇÕ´Ï´Ù~ µû¹Ú µû¹Ú
ã¾Æ¿À´Â Âüµ¼µéÀÇ È­²öÇÑ ÀÔÁú¿¡ ÁßÄ¡±Þµé·Î ¸¶¸´¼ö¸¦ ½×¾Ò°í
¿¹°í ¾øÀÌ µé¾î¿Â ´ë¹°ÀÇ ÀÔÁú¿£ ¹öƼ°í ¹öƼ´Ù ÆÃ~ ´Ù ÅÍÁ®³ª°¡³×¿ä
¸ñÁ٠ưưÇÏ°Ô ÁغñÇØ ¿À¼Å¾ßÇÒ µí ÇÕ´Ï´Ù. Âß ÁÁÀº ¹°¶§ ±¸°£
ÀÚ¿¬¾îÃʱÇÀ¸·Î ÃâÁ¶ À̾´Ï´Ù ¿¬¶ôÁֽʽÿÀ~

21ÀÏ(È­¿äÀÏ) 7½Ã Ãâ¹ß, °í¼ºÃâ¹ß, ÀÚ¿¬¾îÃÊ °¨¼ºµ¼ Âüµ¼³¬½Ã Á÷Ç×ÇÕ´Ï´Ù.
ÀÚ¿¬¾îÃʱǿ¡ ±½Àº °¨¼ºµ¼°ú Âüµ¼µéÀÌ ÇÔ²² ´ýºñ°í ÀÖ½À´Ï´Ù.
¿À´Ãµµ °í¼º º£ÀÌÈ£¿Í ÇÔ²²ÇØÁֽŠÁ¶»ç´Ôµé ¼ö°í ¸¹À¸¼Ì½À´Ï´Ù.

¢Ã °í¼ºº£ÀÌÈ£ ÀÚ¿¬ ¾îÃÊ ¿©¹ç È긲³¬½Ã ÃâÁ¶ ÀÏÁ¤ ¢Ã
¡Ú21ÀÏ(È­) 12¹°, ÀÚ¿¬¾îÃÊ ´ë¹° °¨¼ºµ¼ Âüµ¼³¬½Ã "¿¹¾à°¡´É"
¡Ú22ÀÏ(¼ö) 13¹°, ÀÚ¿¬¾îÃÊ ´ë¹° °¨¼ºµ¼ Âüµ¼³¬½Ã "¿¹¾à°¡´É"
¡Ú23ÀÏ(¸ñ) 14¹°, ÀÚ¿¬¾îÃÊ ´ë¹° °¨¼ºµ¼ Âüµ¼³¬½Ã "¿¹¾à°¡´É"
¡Ú24ÀÏ(±Ý) Á¶±Ý, ÀÚ¿¬¾îÃÊ ´ë¹° °¨¼ºµ¼ Âüµ¼³¬½Ã "¿¹¾à°¡´É"
¡Ú25ÀÏ(Åä) 1¹°, ÀÚ¿¬¾îÃÊ ´ë¹° °¨¼ºµ¼ Âüµ¼³¬½Ã "¿¹¾à°¡´É"
¡Ú26ÀÏ(ÀÏ) 2¹°, ÀÚ¿¬¾îÃÊ ´ë¹° °¨¼ºµ¼ Âüµ¼³¬½Ã "¿¹¾à°¡´É"
¡Ø ÀÚ¿¬¾îÃÊ¿©¹ç ÁÖÁß, ÁÖ¸» ¿¹¾à °¡´ÉÇÕ´Ï´Ù.

¡á °í¼º º£ÀÌÈ£ ¢Ï010 4596 1782
¡á ÃâÇ×Áö : °í¼º±º »ï»ê¸é µÎÆ÷¸®177-16 ºí·ç¿þÀÏ ±Û·¥ÇÎÒ®
¡á ¹êµå : https://band.us/@bayho
¢Ã°¨¼ºµ¼ Âüµ¼³¬½Ã ÀÚ¿¬¾îÃÊ ¿©¹çÆ÷ÀÎÆ® °ø·« ¢Ã
1) (ÃâÇ×) ¿ÀÀü 6½Ã Ãâ¹ß, ¿ÀÈÄ 2½Ã°æ (À¯µ¿Àû)
2) ÃâÁ¶Áö¿ª: »ç·®µµ(Ãßµµ±Ç)
¿øµµ±Ç¿ª : ¿åÁöµµ, Á»縮µµ, °¥µµ±Ç
3) ¹Ø¹ä, ¹Ì³¢, µµ½Ã¶ô Á¦°ø
- Ä¿ÇÇ, »ý¼ö,À½·á µîÀº »ó½Ã ºñÄ¡µÇ¾î ÀÖ½À´Ï´Ù.

¢Ã ¾ÆÁöÄ«(AJIKA)¶óÀΠƯº°½Ã»ó ¢Ã
- ³¬½ÃÁÙȸ»ç ¾ÆÁöÄ«(AJIKA)¶óÀο¡¼­ °¨¼ºµ¼ 55CmÀÌ»ó
ÃÖ»ó±Þ¶óÀÎ "±¸·¹½ºÆä¼È"¿øÁÙ ÁõÁ¤(¹è¼Ûºñ ¹«·á)ÇÕ´Ï´Ù.

¡á °í¼º º£ÀÌÈ£ ¢Ï010 4598 1782
¡á ÃâÇ×Áö : °í¼º±º »ï»ê¸é µÎÆ÷¸®177-16 ºí·ç¿þÀÏ ±Û·¥ÇÎÒ®
¡á ¹êµå : https://band.us/@bayho
¡áºí·Î±× : https://blog.naver.com/bayfishing
  • »ç¿ëÀÚ°¡ ¿Ã¸° À̹ÌÁö

 * °¡²û ±¤°í¸¦ Ŭ¸¯ÇØ ºÁ ÁÖ½Ã¸é ³¬¶û »çÀÌÆ® ¿î¿µ¿¡ µµ¿òÀÌ µË´Ï´Ù ^^
     
ÃÑ 0°³ÀÇ ´ñ±ÛÀÌ ÀÖ½À´Ï´Ù.

    ´ñ±Û¾²±â     [·Î±×ÀÎ] | [ȸ¿ø°¡ÀÔ]
 
 
5030Âüµ¼ 8¹æ ´ëÇü±Þ ÅÁÅÁÅÁ~°¨¼ºµ¼ 4Â¥ 4Â¥ ±½Àº ¼Õ¸À~´ë¾î³¬½Ã(22ÀÏ ¿¹¾à) ¾Æ¶ó¹Ù¶÷26.04.21178
5029Âüµ¼(ÇØ±Ý°­±Ç) 7Â¥ ºò»çÀÌÁî ´ë±¸¸®~ÆÜ~ÆÜ~½Å¼ºÈ£(22ÀÏ ¿¹¾à) ¾Æ¶ó¹Ù¶÷26.04.21191
5028(°¨¼ºµ¼) ¾îÃÊ ¾îÀå±Ç ±½Àº 4Â¥ ÀüÈÄ ÆÜÆÜÆÜ~3´ëÈ£ (22ÀÏ ¿¹¾à) ¾Æ¶ó¹Ù¶÷26.04.21240
5027ÁøÇØ(µµ´Ù¸®) ±½Àº³ðµé ¸¶¸®¼ö º»°Ý~µµ´Ù¸®¸ÀÁý~¼ö´Þ³¬½Ã(22ÀÏ ¿¹¾à) ¾Æ¶ó¹Ù¶÷26.04.21252
5026(¹®¾î) ¿øµµ±Ç )2.5K 2.2K ´ë¹°µé~Ű·Î¿À¹ö ÁÙÁÙÀÌ »çÅÁ~°­¹ÎÈ£(22ÀÏ ¿¹¾à) ¾Æ¶ó¹Ù¶÷26.04.21494
5025Âüµ¼(½Ç½Ã°£) ±½Àº 5Â¥~ °¨¼ºµ¼ 4Â¥ 4Â¥ ±½Àº ¼Õ¸À~´ë¾î³¬½Ã(22ÀÏ ¿¹¾à) ¾Æ¶ó¹Ù¶÷26.04.21587
5024ºÎ»ê(´Ù´ëÆ÷) Âüµ¼¶¼ ºÎ½Ã¸®¶¼ µ¹µ¼¶¼±îÁö~¿ëÁøÈ£(22ÀÏ ¿¹¾à) ¾Æ¶ó¹Ù¶÷26.04.21425
5023ÇØ½ÅÈ£(ÇÑÄ¡) ½ÃÁð °³¸·~û±â ¿Ã·Á~¹é±â ¿Ã·Á~¸Ô¹°ÆÄƼ~ÇØ½ÅÈ£(22ÀÏ ¿¹¾à) ¾Æ¶ó¹Ù¶÷26.04.21376
5022,(¿Õº¼¶ô) 27~25Cm ´ëÇüº¼¶ôµé·Î °¡µæ~ ÆÛ ´ã°í~°í°í½á´ÏÈ£(¿À´Ã ¿¹¾à) ¾Æ¶ó¹Ù¶÷26.04.21361
5021Âüµ¼(ÇØ±Ý°­±Ç ½Ç½Ã°£) ~7Â¥ ºò»çÀÌÁî ÆÜ~ÆÜ~ÆÜ~½Å¼ºÈ£(22ÀÏ ¿¹¾à) ¾Æ¶ó¹Ù¶÷26.04.21538
5020(¼±¿Ü±â)¿ÏÀü µÅÁö °¨¼ºµ¼ ¿Ü 19ÀÏ 5Â¥5Â¥ Á¶È²~(21ÀÏ ¿¹¾à) ¾Æ¶ó¹Ù¶÷26.04.201,261
5019(°¨¼ºµ¼)ÇÑ ºÐ 3¹æ Ãѽî°í 4Â¥ 4Â¥±Þµé HIT HIT~´ë¾î³¬½Ã(21ÀÏ ¿¹¾à) ¾Æ¶ó¹Ù¶÷26.04.201,408
  1   2   3   4   5   6   7   8   9   10   

³¬½Ã»ç¶û¼Ò°³ | ¿À½Ã´Â±æ | ³¬½Ã»ç¶û¹è³Ê | ÀÌ¿ë¾à°ü | À̸ÞÀϹ«´Ü¼öÁý°ÅºÎ | °³ÀÎÁ¤º¸Ãë±Þ¹æÄ§ | ±Ç¸®Ä§ÇØ½Å°í¼¾ÅÍ
Copyright 1997~2022 (ÁÖ)À¥¶óÀÌÇÁ/³¬½Ã»ç¶û All rights reserved »ç¾÷ÀÚµî·Ï¹øÈ£ 110-81-42683
»ç¾÷Àå : ¼­¿ïƯº°½Ã ¿µµîÆ÷±¸ ¿µµîÆ÷·Î 374, 3Ãþ
[±¤°í/Á¦ÈÞ ¹× Ãßõ»óǰ µî·Ï¹®ÀÇ]     [³¬½ÃÅÍ ¹× ³¬½Ë¹è µî·Ï¹®ÀÇ]     [¹Î¿ø/°ÇÀÇ/½Å°í]     [¸ÞÀϹ®ÀÇ]     [¹®ÀÇ(FAX) 02-2634-2730]